ТехЛит.ру
- крупнейшая бесплатная электронная интернет библиотека для "технически умных" людей.
WWW.TEHLIT.RU - ТЕХНИЧЕСКАЯ ЛИТЕРАТУРА

:: Алготрейдинг::


АЛГОТРЕЙДИНГ
шаг за шагом
с нуля по урокам!

Торговые роботы на PYTHON, BackTrader,
Pandas, Pine Script для TradingView. Связка с брокерами, телеграм и легкими приложениями.


ОТКРЫТОЕ АКЦИОНЕРНОЕ ОБЩЕСТВО

АКЦИОНЕРНАЯ КОМПАНИЯ
ПО ТРАНСПОРТУ НЕФТИ «ТРАНСНЕФТЬ»

ОАО «АК «ТРАНСНЕФТЬ»

ТЕХНОЛОГИЧЕСКИЕ
РЕГЛАМЕНТЫ

(стандарты предприятия)
акционерной компании
по транспорту нефти «Транснефть»

Том I

Москва 2003

РЕГЛАМЕНТ
ТЕХНИЧЕСКОЙ ЭКСПЛУАТАЦИИ ПЕРЕХОДОВ МАГИСТРАЛЬНЫХ НЕФТЕПРОВОДОВ ЧЕРЕЗ ВОДНЫЕ ПРЕГРАДЫ

Утвержден 15 мая 2002 г.
с изменениями от 20 января 2003 г.

Условные обозначения и сокращения

ВИП                      Внутритрубный инспекционный прибор

ВТД                      Внутритрубная диагностика

ГВВ                      Горизонт высоких вод

ДДК                      Дополнительный дефектоскопический контроль

ДПР                      Дефект, подлежащий ремонту

КППСОД              Камера пуска-приема средств очистки и диагностики

ЛПДС                   Линейная производственно-диспетчерская служба

ЛЭС                      Линейная эксплуатационная служба

ЛЭП                      Линия электропередачи

МН                        Магистральный нефтепровод

МТ                        Микротоннелирование

ННБ                      Наклонно-направленное бурение

НПС                      Нефтеперекачивающая станция

НТД                      Нормативно-техническая документация

ОАО МН              Открытое акционерное общество магистральных нефтепроводов

ОУ                        Очистное устройство

ПОР                      Дефект первоочередного ремонта

ПМН                     Переход магистрального нефтепровода через водную преграду

ППМН                  Подводный переход магистрального нефтепровода

РНУ                      Районное нефтепроводное управление

СОУ                      Система обнаружения утечек

ТУ                         Телеуправление

УМН                     Управление магистральных нефтепроводов

ЦТД                      Центр технической диагностики

ЭХЗ                       Электрохимическая защита

1. ОБЩИЕ ПОЛОЖЕНИЯ

Настоящий регламент распространяется на переходы через водные преграды магистральных нефтепроводов системы ОАО «АК «Транснефть».

Настоящий регламент устанавливает:

-      порядок приемки ПМН в эксплуатацию;

-      требования к оборудованию ПМН;

-      режимы работы переходов магистральных нефтепроводов (ПМН) через водные преграды;

-      требования и мероприятия по обеспечению безопасной эксплуатации отключенных резервных ниток ПМН;

-      порядок планирования и организации работ по эксплуатации переходов через водные преграды;

-      порядок мониторинга ПМН с дефектами, выявленными при ВТД и мероприятия по обеспечению безопасной эксплуатации ПМН с выявленными дефектами ПОР;

-      виды и технологию проведения контроля технического состояния, оформление результатов контроля;

-      требования к проведению частичного и полного обследования ПМН;

-      виды, периодичность и объём работ при техническом обслуживании ПМН;

-      перечень и формы технической документации, оформляемой в процессе эксплуатации подводного перехода;

-      требования по обеспечению охраны окружающей среды при эксплуатации ПМН.

Регламент технической эксплуатации переходов магистральных нефтепроводов через водные преграды предназначен для работников служб эксплуатации ОАО МН системы ОАО «АК «Транснефть».

Регламент технической эксплуатации переходов магистральных нефтепроводов через водные преграды отменяет действие следующих документов:

-      Регламент по технической эксплуатации подводных переходов нефтепроводов, построенных способом наклонно-направленного бурения, 1999 г.;

-      Регламент технической эксплуатации подводных переходов магистральных нефтепроводов, 2001 г.

Переходы магистральных нефтепроводов через водные преграды подразделяются по способу прокладки:

-      подводные;

-      воздушные.

В границы воздушного перехода магистрального нефтепровода через водную преграду входят надземная часть и участки подземного трубопровода длиной по 50 м от мест выхода трубопровода из земли.

К подводным переходам относится линейная часть нефтепровода с сооружениями, проходящая через водные преграды шириной более 10 м по зеркалу воды в межень и глубиной свыше 1,5 м.

Границами подводного перехода магистрального нефтепровода (ППМН), определяющими длину перехода, являются: для многониточных переходов - участок, ограниченный запорной арматурой, установленной на берегах; для однониточных переходов - участок, ограниченный горизонтом высоких вод (ГВВ), не ниже отметок 10 %-й обеспеченности.

Трубопроводы основной и резервной ниток в границах подводного перехода и на участке от подводного перехода до КППСОД, независимо от диаметра и способа прокладки, должны проектироваться в соответствии с категорией «В» СНиП 2.05.06-85*.

Подводные переходы, в том числе все переходы построенные методами ННБ и МТ через водные преграды шириной по зеркалу более 75 м в межень должны быть оборудованы резервными нитками.

Подводные переходы подразделяются:

-      на одно- и многониточные;

-      по способу строительства - траншейным способом, методом микротоннелирования (МТ), наклонно-направленного бурения (ННБ), «труба в трубе».

Подводные переходы, построенные методом микротоннелирования (МТ) подразделяются на:

-      переходы с тоннелем, межтрубное пространство которого заполнено инертным газом под избыточным давлением (тип 1);

-      переходы с тоннелем, межтрубное пространство которого заполнено жидкостью с антикоррозионными свойствами под избыточным давлением (тип 2).

Воздушные переходы подразделяются на:

-      подвесные (вантовые);

-      арочные;

-      балочные.

В состав перехода МН через водные преграды входят следующие сооружения:

-      участок магистрального нефтепровода в границах ПМН;

-      узлы береговых задвижек и камер пуска-приема средств очистки и диагностики;

-      берегоукрепительные и дноукрепительные сооружения, предназначенные для предотвращения размыва береговой и русловой части перехода;

-      информационные знаки ограждения охранной зоны перехода на судоходных и сплавных водных путях, указательные знаки оси трубопроводов на береговых участках, стационарные реперы и знаки закрепления геодезической сети;

-      пункт наблюдения (блок-пост обходчика);

-      вдольтрассовая линия электропередачи (ЛЭП) в границах ПМН;

-      средства электрохимзащиты (ЭХЗ) в границах ПМН;

-      трансформаторная подстанция для обеспечения электроэнергией электроприводных задвижек и средств ЭХЗ, линейной телемеханики, освещения и др.;

-      средства и оборудование телемеханики;

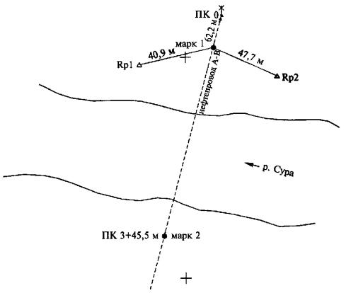
-      стационарные маркерные пункты для выполнения работ по внутритрубной диагностике;

-      датчики отбора давления, манометрические узлы, сигнализаторы прохождения очистных устройств, системы обнаружения утечек (СОУ), вантузы, системы контроля межтрубного пространства перехода, выполненного методом микротоннелирования или «труба в трубе»;

-      опорные сооружения воздушных переходов.

2. ОРГАНИЗАЦИЯ КОНТРОЛЯ КАЧЕСТВА ТРУБ И СВАРНЫХ ШВОВ ПРИ СТРОИТЕЛЬСТВЕ И ПРИЕМКЕ В ЭКСПЛУАТАЦИЮ ПЕРЕХОДОВ МН ЧЕРЕЗ ВОДНЫЕ ПРЕГРАДЫ

2.1. Организация контроля качества труб и сварных швов при строительстве переходов МН через водные преграды.

2.1.1. Требования к качеству труб, устанавливаемые ТУ и особыми условиями на поставку, должны соответствовать требованиям СНиП 2.05.06-85* «Магистральные трубопроводы» и ВСН 012-88 «Строительство магистральных и промысловых нефтепроводов. Контроль качества и приемка работ. Часть 1».

2.1.2. ОАО МН при заказе труб (импортных и отечественных) для строительства переходов через водные преграды разрабатывают технические требования, в которых указывается объем контроля и требования к качеству труб:

-      100 % ультразвуковой контроль сплошности металла труб с отметкой в сертификате. В металле труб не допускается наличие трещин, плен, рванин, закатов, а также расслоений длиной свыше 80 мм в любом направлении. Расслоения любого размера на торцах труб и в зоне шириной 25 мм от торца труб не допускаются;

-      100 % неразрушающий контроль сварных швов труб с отметкой в сертификате;

-      100 % контроль геометрических размеров труб (наружный диаметр, толщина стенки, длина секций, овальность, кривизна, косина реза торцов и т.д. должны соответствовать требованиям СНиП 2.05.06-85*);

-      не допускаются ремонты сварных соединений;

-      соответствие химического состава и механических характеристик металла труб требованиям СНиП 2.05.06-85*;

-      не допускаются царапины, риски и задиры глубиной 0,2 мм и более, вмятины глубиной 6 мм и более, выправленные вмятины.

2.1.3. Снабжающая организация указанные технические требования должна включить в контракт на поставку труб.

2.1.4. В контракте на поставку труб с отечественными и зарубежными трубопрокатными заводами должно быть указано, что контроль по п. 2.1.2 настоящего регламента проводится силами и средствами завода-изготовителя с непосредственным участием представителей технического надзора ОАО МН или подрядной организации по договору на указанный вид деятельности.

2.1.5. Служба технического надзора ОАО МН или подрядная организация по договору контролирует полноту, качество и результаты заводского контроля труб для ПМН с отметкой в сертификате.

2.1.6. После приемки представителем заказчика трубы, предназначенные для строительства переходов, маркируются «ПП». Маркировка наносится несмываемой краской внутри трубы на расстоянии 100-150 мм от торца.

2.1.7. Обязательный входной контроль труб, предназначенных для строительства ПМН, в местах разгрузки, хранения и производства работ выполняется в соответствии с требованиями СНиП 2.05.06-85*. Кроме того проверяется:

-      наличие маркировки «ПП»;

-      наличие в сертификате отметки технадзора или подрядной организации о приемке труб на заводе;

-      отсутствие расслоений любого размера на концевых (25 мм) участках труб.

2.1.8. Трубы, хранившиеся в складских условиях более 6 месяцев и предназначенные для строительства ПМН, перед монтажом подлежат проверке состояния с оформлением акта. Проверка выполняется в следующем объеме:

-      контроль качества изоляционного покрытия на соответствие требованиям ГОСТ Р 51164-98;

-      контроль отсутствия царапин, рисок и задиров глубиной 0,2 мм и более, вмятин глубиной 6 мм и более, выправленных вмятин.

Выявленные повреждения изоляции подлежат ремонту. Трубы с обнаруженными царапинами, рисками и задирами 0,2 мм и более, с вмятинами глубиной 6 мм и более, с выправленными вмятинами отбраковываются, маркировка «ПП» зачеркивается несмываемой краской.

2.1.9. Сертификаты на трубы после сдачи перехода в эксплуатацию должны храниться в эксплуатирующей организации вместе с исполнительной документацией.

2.1.10. При сварке подводного перехода 100 % стыковых швов должны быть полностью проверены неразрушающими методами контроля силами подрядчика с обязательной 100 % повторной проверкой заказчиком.

2.1.11. Гидравлические испытания и проверка герметичности вновь построенных подводных переходов магистральных нефтепроводов производится в соответствии с требованиями СНиП III-42-80* в три этапа (табл. 1):

-      1-й этап - после сварки на стапеле или площадке, но до изоляции (только участки, укладываемые с помощью подводно-технических средств или протаскиваемые для переходов, строящихся методами ННБ или МТ);

-      2-й этап - после укладки, но до засыпки для переходов, строящихся траншейным способом, после протаскивания для переходов, строящихся методами ННБ или МТ;

-      3-й этап - одновременно с прилегающими участками.

При отсутствии прилегающих участков проведение второго и третьего этапов гидравлических испытаний совмещается, при этом испытания на прочность производятся в течение 36 часов, а проверка на герметичность - не менее 24 часов в следующей последовательности (рис. 1):

-      1-й цикл испытаний на прочность - 12 часов;

-      2-й цикл проверки на герметичность - не менее 12 часов;

-      3-й цикл испытаний на прочность - 24 часа;

-      4-й цикл проверки на герметичность - не менее 12 часов.

Таблица 1

Этапы испытания непрочность и проверки на герметичность

Этапы испытания на прочность и проверки на герметичность

Давление

Продолжительность, ч, не менее

при испытании на прочность

при проверке на герметичность

при испытании на прочность

при проверке на герметичность

в верхней точке (не менее)

в нижней точке

1-й этап - после сварки на стапеле или площадке, но до изоляции (только участки, укладываемые с помощью подводно-технических средств при строительстве траншейным методом, или протаскиваемый участок при строительстве методом ННБ и МТ)

-

Рзав. (В) или Рзав. (I)

Давление при проверке на герметичность принимается равным Рраб.

6

Продолжительность проверки на герметичность определяется временем, необходимым для осмотра трассы с целью выявления утечек, но не менее, чем 12 часов

2-й этап - после укладки, но до засыпки при строительстве траншейным методом или после протаскивания при строительстве методом ННБ и МТ для трубопроводов категорий:

 

 

 

В

1,5 Рраб.

Рзав. (В)

12

I

1,25 Рраб.

Рзав. (I)

12

3-й этап - одновременно с прилегающими* участками категорий:

 

 

 

I-II

1,25 Рраб.

Рзав. (I-II)

24

III-IV

1,1 Рраб.

Рзав. (III-IV)

24

Примечание.

* Прилегающий участок - участок трубопровода между новым дюкером и существующим нефтепроводом.

Рис. 1. Давление и выдержка при испытании на прочность и герметичность

2.1.12. После укладки дюкера и до заполнения трубы нефтью, должна быть проведена внутритрубная инспекция диагностическим снарядом-профилемером с использованием воды в качестве рабочей среды. При этом перед пропуском снаряда-профилемера должна быть выполнена очистка уложенного трубопровода очистными скребками.

2.2. Приемка в эксплуатацию переходов МН через водные преграды

2.2.1. К эксплуатации допускается переход МН через водную преграду и его объекты, как вновь построенные, так и после реконструкции или капитального ремонта, соответствующие проекту по действующим нормам и правилам и прошедшие приемку в установленном порядке.

2.2.2. Приемка в эксплуатацию вновь построенных переходов МН через водные преграды, а также замененных при реконструкции и капитальном ремонте участков должна проводиться в комплексе со всеми сооружениями, предусмотренными проектом.

2.2.3. Организация и порядок приемки в эксплуатацию вновь построенных переходов МН через водные преграды и их участков после реконструкции и капитального ремонта должна производиться в соответствии с требованиями общероссийских и ведомственных нормативных документов:

-      ГОСТ Р 51164-98 Трубопроводы стальные магистральные. Общие требования к защите от коррозии;

-      СНиП 3.01.04-87 Приемка в эксплуатацию законченных строительством объектов. Основные положения;

-      СНиП III-42-80* Магистральные трубопроводы;

-      СНиП 2.05.06-85* «Магистральные трубопроводы»;

-      РД 153-39.4-056-00 «Правила технической эксплуатации магистральных нефтепроводов»;

-      ВСН 004-88 «Строительство магистральных трубопроводов. Технология и организация работ»;

-      ВСН 011-88 «Строительство магистральных и промысловых трубопроводов. Очистка полости и испытание»;

-      Регламент приемки в эксплуатацию законченных строительством объектов;

-      Регламент взаимоотношений РСУ (РСК) и служб эксплуатации (АВП) при завершении строительно-монтажных работ и вводе в эксплуатацию законченного строительством участка нефтепровода;

-      Регламент взаимоотношений служб заказчика, технического надзора, строительных подразделений ОАО МН и подрядных организаций;

-      Регламент осуществления технического надзора сварочно-монтажных работ при строительстве, реконструкции и капитальном ремонте магистральных нефтепроводов;

-      Регламент технического надзора за подготовкой поверхности трубопровода и нанесением изоляционного покрытия;

-      Регламент технического надзора при проведении работ по испытанию и подключению вновь построенных (прошедших капитальный ремонт) участков трубопроводов;

-      Табель технической оснащенности. Средства измерения и контроля. Земляные работы, входной контроль труб и изоляционных материалов, сварочно-монтажные работы, изоляционно-укладочные работы, работы по электрохимзащите;

-      Типовое положение об организации технического надзора за соблюдением проектных решений и качеством строительства, капитального ремонта и реконструкции на объектах магистральных трубопроводов.

2.2.4. Приемка в эксплуатацию вновь построенного перехода МН через водную преграду и участков МН в границах перехода, замененных при реконструкции или капитальном ремонте, должна проводиться приемочной комиссией, назначаемой ОАО МН. До предъявления вновь построенного перехода приемочной комиссии должна быть проведена приемка перехода рабочей комиссией, назначаемой ОАО МН не позднее, чем за 3 месяца до планируемого срока начала работы комиссии.

2.2.5. Приемка вновь построенных переходов МН через водные преграды и участков МН в границах перехода после реконструкции и капитального ремонта оформляется актом приемочной комиссии, который утверждается руководителем ОАО МН. Датой приемки объекта считается дата подписания акта приемочной комиссией.

2.2.6. Оформление приемки производится заказчиком и членами приемочной комиссии на основе результатов проведенных ими обследований, проверок, контрольных испытаний и измерений, документов исполнителя работ, подтверждающих соответствие принимаемого объекта утвержденному проекту, нормам, правилам и стандартам, а также заключений органов надзора.

2.2.7. По окончании работ исполнительная документация на построенный и принятый в эксплуатацию переход магистрального нефтепровода передается на хранение в ОАО МН.

3. ПАСПОРТНАЯ И ЭКСПЛУАТАЦИОННАЯ ДОКУМЕНТАЦИЯ ПЕРЕХОДОВ ЧЕРЕЗ ВОДНЫЕ ПРЕГРАДЫ

3.1. На каждый переход МН через водную преграду должен быть разработан «Паспорт перехода магистрального нефтепровода через водную преграду» согласно установленной в ОАО «АК «Транснефть» форме (приложение 1).

3.2. Паспорт перехода магистрального нефтепровода через водную преграду должен содержать технические, технологические, топогеодезические, гидрологические и другие сведения о подводном переходе. Форма «Паспорта перехода через водную преграду» приведена в приложении 1.

3.3. Сведения по техническому обслуживанию, обследованиям, текущему и капитальному ремонтам переходов должны вноситься отделом эксплуатации РНУ (УМН) ОАО МН в «Паспорт ПМН» в срок не более 7 дней после окончания работ.

3.4. Проектная и исполнительная документация на переход МН через водную преграду должна храниться в РНУ (УМН) ОАО МН в течение всего срока эксплуатации подводного перехода.

3.5. Для организации технической эксплуатации перехода МН через водную преграду РНУ (УМН) и ОАО МН, эксплуатирующие переход, обязаны иметь и вести техническую документацию, в соответствии с табл. 2.

3.6. ОАО МН, эксплуатирующие переходы, не реже чем один раз в три года обязаны предоставлять сведения о положении подводных переходов через судоходные реки и их охранных зон в Государственное бассейновое управление водных путей и судоходства и запрашивать подтверждение занесения их в лоции.

3.7. Паспорт подводного перехода, построенного методом ННБ, должен содержать информацию (в соответствии с разделом 1.13 приложения 1 настоящего Регламента) и дополнительную информацию в соответствии с приложением 2.

Таблица 2

Перечень обязательной документации по технической эксплуатации переходов нефтепроводов через водные преграды

№ п/п

Наименование технической документации

Утверждающая инстанция

Ведение и хранение документации

1

Исполнительная документация по законченному строительством переходу МН через водную преграду в соответствии с приложением 4 (2, 3)

ОАО МН

Хранится в РНУ (УМН) до замены или снятия с баланса перехода

2

Паспорт перехода по утвержденной форме в соответствии с приложением 1

-

Составляется и ведется РНУ (УМН), копия находится в ОАО МН

3

График проведения осмотров переходов

РНУ (УМН)

Разрабатывается РНУ (УМН)

4

План обследований переходов

ОАО МН

Разрабатывается ОАО МН

5

Журнал осмотра перехода

-

Ведется обходчиком, начальником ЛЭС

6

Отчеты об обследованиях переходов МН через водную преграду

РНУ (УМН)

Составляются организацией, проводившей обследование, и передаются в ОАО МН, РНУ (УМН)

7

Исполнительная документация по выполненным ремонтам переходов МН через водную преграду

ОАО МН

Находится в РНУ (УМН)

8

Проектная документация на переходы МН через водную преграду

-

Находится в РНУ (УМН)

3.8. Паспорт подводного перехода, построенного методом МТ, должен содержать дополнительную информацию (в соответствии с разделом 1.14 приложения 1) и дополнительную информацию в соответствии с приложением 3.

4. ОБСЛЕДОВАНИЕ ПОДВОДНЫХ И ВОЗДУШНЫХ ПЕРЕХОДОВ

4.1. Порядок организации проведения обследования подводной части ППМН

4.1.1. Обследование ППМН осуществляется участками подводно-технических работ ОАО «АК «Транснефть», а также подрядными организациями. Организации, проводящие обследования переходов МН через водные преграды, должны иметь необходимые технические средства для проведения обследований, иметь обученных и аттестованных в установленном порядке специалистов, лицензию Госгортехнадзора России на выполнение работ по частичному обследованию ППМН и, дополнительно, лицензию Госгеонадзора на выполнение работ по полному обследованию.

4.1.2. Основанием для проведения работ по обследованию ППМН является утвержденный ОАО «АК «Транснефть» «Сводный план работ по обследованию ППМН».

4.1.3. «План работ по обследованию ППМН ОАО МН» разрабатывается отделами эксплуатации ОАО МН и утверждается главным инженером ОАО МН. План должен содержать характеристику нефтепровода, пересекаемой преграды, срок обследования и выдачи исполнительной документации. «План работ по обследованию ППМН ОАО МН» на следующий год представляется в ОАО «АК «Транснефть» в срок до 1 октября текущего года.

4.1.4. Отдел магистральных нефтепроводов и нефтебаз ОАО «АК «Транснефть» в срок до 1 ноября анализирует «Планы работ по обследованию ППМН ОАО МН» и представляет на утверждение руководства ОАО «АК «Транснефть» «Сводный план работ по обследованию ППМН».

4.1.5. На основе утвержденного ежегодного «Плана работ по обследованию ППМН» ОАО МН разрабатывает в соответствии с требованиями нормативной документации и данного регламента техническое задание на проведение обследования ППМН. Техническое задание утверждается главным инженером ОАО МН.

4.1.6. Техническое задание на проведение обследования вновь строящихся, находящихся в эксплуатации, ремонтируемых и реконструируемых ППМН (Приложения 5, 6) в обязательном порядке должно предусматривать требования к объему работ по обследованию (в соответствии с разделами 4.3-4.5, табл. -) и составу технического отчета (в соответствии с разделом 4.9).

4.1.7. К техническому заданию должны прилагаться исходные данные, необходимые Подрядчику для проведения обследования (Приложения 7, 8).

4.1.8. Организация планирования и проведения работ по обследованию находящихся в эксплуатации переходов, а также анализ результатов обследования возлагается на отдел эксплуатации ОАО МН, а при планировании и проведении обследования вновь строящихся, ремонтируемых и реконструируемых переходов на отдел капитального строительства, отдел эксплуатации и отдел технического надзора ОАО МН.

4.1.9. На выполненные при обследовании перехода работы составляется первичная документация - акты на отдельные виды работ, акт обследования перехода по результату выполнения всего комплекса работ, как окончательный документ - технический отчет по обследованию перехода (в бумажном и электронном виде), который представляется в отдел эксплуатации ОАО МН.

4.1.10. Отдел эксплуатации ОАО МН, в течение 10 дней после получения технического отчета, анализирует результаты обследования ППМН, определяет вид ремонта, разрабатывает мероприятия по доведению технического состояния ППМН до нормативного и, в срок до 5 числа каждого месяца, представляет «Отчет о выполнении плана работ по обследованию ППМН» в отдел магистральных нефтепроводов и нефтебаз ОАО «АК «Транснефть».

4.2. Категории технического состояния ППМН

4.2.1. Техническое состояние ППМН определяется по результатам внутритрубной диагностики, обследования планово-высотного положения, берегоукрепления, гидрологических характеристик водотока и сопоставлению фактического состояния ППМН с нормативными и проектными показателями, а также с показателями состояния предыдущих 3-х обследований. Техническое состояние воздушного перехода определяется по результатам внутритрубной диагностики, обследования планово-высотного положения, состояния опор и сопоставлению фактического состояния перехода с нормативными и проектными показателями, а также с показателями состояния предыдущих 3-х обследований.

4.2.2. Основными факторами, определяющими техническое состояние перехода являются:

-      наличие дефектов, подлежащих ремонту (ДПР) и первоочередного ремонта (ПОР);

-      величина и соответствие нормативным требованиям и проекту заглубления нефтепровода в русле и береговой части водной преграды, наличие и протяженность оголений и провисов трубопровода;

-      состояние антикоррозионной изоляции и балластировки;

-      состояние берегоукрепления;

-      состояние информационных и береговых знаков;

-      для воздушного перехода - величина и соответствие нормативным требованиям и проекту положения нефтепровода на опорах;

-      состояние опорной планово-высотной топографической основы, реперов на ППМН.

4.2.3. Категории технического состояния ППМН определяются в соответствии с табл. 3:

-      исправное состояние;

-      неисправное состояние;

-      критическое состояние.

4.2.4. При выявлении неисправного или критического технического состояния ППМН должны быть приняты меры по восстановлению исправного состояния.

4.3. Виды, периодичность и границы проведения обследования переходов МН через водные преграды.

4.3.1. Настоящим Регламентом устанавливаются следующие виды обследования ППМН:

-      периодическое частичное;

-      периодическое полное;

-      обследование в период строительства и ремонта.

Периодические обследования выполняются для определения технического состояния подводного перехода в процессе эксплуатации.

Контрольное обследование выполняется для контроля соответствия качества выполненных работ требованиям проекта.

4.3.2. При периодическом частичном обследовании выполняются следующие работы:

-      определение состояния береговых участков, берегоукрепления, информационных знаков, реперов и маркерных пунктов;

-      организация водомерного поста;

-      определение планово-высотного положения трубопровода;

-      выявление участков с недостаточным заглублением, оголений и провисов, уточнение их размеров, нанесение на профиль перехода;

-      камеральная обработка результатов полевых изысканий частичного обследования, подготовка отчета.


Таблица 3

Категории технического состояния подводного перехода МН

Техническое состояние ППМН

Основные параметры, определяющие состояние ППМН

Наличие дефектов

Величина заглубления нефтепровода

Состояние антикоррозионной изоляции и балластировки

Состояние берегоукрепления

Состояние информационных и береговых знаков

Состояние опорной планово-высотной топографической основы, реперов

Исправное состояние

Дефекты ДПР отсутствуют

Соответствует нормативам, проекту

Защитный потенциал соответствует нормам**

Соответствует проекту

Все знаки в наличии, исправны

Все знаки в наличии, исправны

Неисправное состояние

Имеется 1 или более дефектов ДПР, дефекты ПОР отсутствуют

Толщина защитного слоя грунта над трубопроводом менее нормативной*

Защитный потенциал меньше нормы, имеется смещение балластных грузов

Имеются разрушения берегоукрепления (отсутствие отдельных плит, наличие промоин), без оголения нефтепровода

Отсутствует или поврежден 1 знак

Отсутствует или поврежден 1 репер

Критическое состояние

Имеется 1 или более дефектов ПОР

Имеется провис более 20 Ду

Отсутствуют или свалены 2 и более балластных грузов

Имеются разрушения берегоукрепления с оголением нефтепровода

Отсутствуют все информационные и береговые знаки

Остался 1 репер

* СНиП 2.05.06-85* Магистральные трубопроводы..

** ГОСТ Р 51164-98 Трубопроводы стальные магистральные. Общие требования к защите от коррозии (выдержка из ГОСТ Р 51164-98 приведены в приложении 9).


4.3.3. При периодическом полном обследовании выполняются все работы, предусмотренные периодическим частичным обследованием, и дополнительные работы:

-      гидрографическая съемка дна водотока (водоема);

-      гидрологические измерения водотока;

-      камеральная обработка результатов полевых изысканий полного обследования, расчет гарантийного срока эксплуатации ППМН по анализу планово-высотного положения, русловых процессов и данных внутритрубной диагностики, подготовка отчета и заключения.

Порядок выполнения и объемы работ при проведении периодического частичного обследования приведен в табл. , периодического полного обследования - в табл. .

4.3.4. Заказчик при выполнении обследования в период строительства и ремонта осуществляет технический надзор и пооперационно контролирует качество выполнения работ: Порядок и объемы выполнения работ при проведении контрольных обследований приведены в табл. .

При строительстве и ремонте подводного перехода с заменой трубы траншейным методом Заказчик контролирует:

-      соответствие требованиям проекта отметок уровня дна траншеи до укладки трубы;

-      определение отметок уровня верхней образующей трубы, уложенной в траншею, состояния футеровки и балластировки;

-      соответствие требованиям проекта толщины защитного слоя над верхней образующей трубы после засыпки траншеи.

При ремонте подводного перехода методом подбивки, засыпки Заказчик контролирует:

-      соответствие уложенной банкетной призмы требованиям проекта при выполнении подбивки провисающего участка трубопровода;

-      соответствие требованиям проекта толщины защитного слоя над верхней образующей трубы после засыпки траншеи.

При выборочном устранении дефектов на трубопроводе Заказчик контролирует:

-      технологические операции по идентификации дефектной секции трубопровода, определению параметров дефектного участка трубопровода подлежащего ремонту (ДДК);

-      качество монтажа ремонтной конструкции, нанесения изоляции, восстановления футеровки и балластировки при выборочном ремонте трубопровода;

-      соответствие требованиям проекта толщины защитного слоя над верхней образующей трубы после засыпки траншеи.

4.4. Периодичность проведения частичного и полного обследований ПМН устанавливается в соответствии с табл. 4, в зависимости от ширины водной преграды в межень, судоходности и метода строительства ППМН. Для вновь построенных (кроме построенных методами ННБ и МТ), переуложенных или отремонтированных методом подбивки и засыпки ППМН первое обследования производятся через 1 год в объеме полного не зависимо от ширины водной преграды.

Таблица 4

Периодичность проведения обследования переходов

Ширина водной преграды в межень, м

Периодичность обследования

Частичное

Полное

Судоходные реки

-

Ежегодно

Несудоходные более 200 м

Ежегодно*

1 раз в 2 года

Несудоходные 100-200 м

Ежегодно*

1 раз в 3 года

Несудоходные 30-100 м

Ежегодно*

1 раз в 4 года

Несудоходные 10-30 м

1 раз в 2 года*

1 раз в 4 года

ППМН, построенные способами ННБ и МТ, независимо от ширины русла

-

1 раз в 10 лет

Воздушные переходы МН через водные преграды

Нивелировка - ежегодно *

Обследование для переходов со сроком эксплуатации до 20 лет - 1 раз в 3 года

более 20 лет - 1 раз в 2 года

* Кроме года проведения обследования (для воздушных ПМН), полного обследования (для ППМН).

Если гарантийный срок эксплуатации перехода ограничен по результатам анализа русловых процессов и планово-высотного положения, то следующее полное обследование должно быть произведено не позднее чем за 6 месяцев до даты окончания гарантийного срока эксплуатации перехода.

4.5. Границы обследования подводного перехода магистрального нефтепровода принимаются в соответствии с табл. 5, рис. 2.

Таблица 5

Границы обследования подводных переходов МН

Вид обследования ППМН

Русловая часть

Береговая часть

выше створа перехода

ниже створа перехода

В период строительства и ремонта

100 м

100 м

В границах строительства (ремонтируемого участка)

Периодическое (частичное и полное)

100 м

100 м

В границах ППМН, но не менее 50 м от уреза воды полоса шириной 25 м от оси крайних ниток перехода, рис. 2

Рис. 2. Границы обследования подводного перехода МН


Таблица 6а

Порядок и объемы выполнения работ при проведении периодического частичного обследования

Вид работ

Контролируемые параметры

Метод

Инструменты (приборы)

Форма регистрации результатов контроля

1

2

3

4

5

Определение технического состояния береговых участков

Размеры обнаруженных на береговых участках: оврагов, обрушений (обвалов) грунта вдоль берега, оползней, промоин, провалов и пучения грунта

Визуальный осмотр с регистрацией результатов осмотра на фотоснимках, измерение размеров размытых участков берегов, оврагов, обвалов и провалов грунта, оползней, промоин, оголений трубопровода для последующего их нанесения на топографический план.

- фотоаппарат (обычный или цифровой) или видеокамера со средствами оцифровки кадров;

- рулетка (50 м), или безотражательный ручной дальномер (лазерный, ультразвуковой до 30 м)

Текстовый отчет с документальным подтверждением фактов в виде фотоматериалов

Наличие кустарника и древесной растительности по оси нефтепровода

Полоса земли шириной не менее 3 м от оси с каждой стороны нефтепровода, вдольтрассовых линий электропередачи и связи должна быть очищена от деревьев, кустарника и поросли.

Состояние берегоукрепления

В зависимости от типа берегоукрепления контролируют параметры: состояние откосов, их крутизну, толщину наброски, зазоры между отдельными плитами, прочность дернины.

Состояние информационных знаков, реперов, маркерных пунктов

Исправность информационных и геодезических знаков, маркерных пунктов. Проверяется: сохранность окраски, надписей, сохранность геодезического центра, геодезической пирамиды

Организация водомерного поста

Уровень воды

Установка и привязка к системе высот водомерной сваи или рейки для наблюдений за уровнями воды в период проведения обследования, водомерные наблюдения на посту 2 раза в день - в 8 и 20 часов местного времени

- плотницкий инструмент;

- нивелир (комплект);

Журнал измерений

Определение планово-высотного положения трубопровода в створе перехода с привязкой к пикетажу

Координаты трубопровода и, обнаруженных при осмотре береговых участков, овраги, обрушения (обвалы) грунта вдоль берега, оползни, промоины, провалы и пучения грунта

Топографическая съемка участка берега выполняется в масштабах 1:500-1:5000 геодезическими приборами с точностью, регламентированной нормативными документами.

На топоплан должны быть нанесены: трубопровод, выявленные на береговых участках овраги, обрушения (обвалы) грунта вдоль берега, оползни, промоины, провалы и пучения грунта

- теодолит-тахеометр, или электронный тахеометр (комплект) или DGPS (комплект спутниковой системы);

- нивелир (комплект);

- рулетка 50 м;

- радиостанции УКВ, носимые (компл. 3-4 шт.);

- программное обеспечение для электронного картосоставления

Журнал, файл измерений

Отметки верхней образующей нефтепровода, отметки дна по оси нефтепровода, их координаты и пикетные значения, наличие, величина и координаты оголений, провисов трубопровода

Выполняется приборами поиска подземных коммуникаций работающих на основе электромагнитных и акустических методов, с использованием водолазной станции, щупами.

На берегах закрепляется вехами створ, в котором выполняются промеры глубин. Количество промерных вертикалей определяется масштабом съемки в соответствии с нормативными документами

- трассоискатель со звуковой индикацией (класса ИК-50) или трассоискатель с прямым измерением глубины (класса «токовый топограф»- RD 400);

- судовой трассоискатель;

- щуп-комплект до глубины 15 м, (3-6 м под дном водоема);

- рулетка 50 (100 м) или ручной безотражательный лазерный дальномер до 500 м

Журнал, файл измерений, акт обследования

Состояние балластировки, футеровки и изоляции на размытых участках трубопровода, подводной части берегоукрепления

При обследовании оголенных и провисающих участков устанавливается длина участка с указанием высоты провиса низа образующей трубы до дна водоема через 1 м при длине провиса до 10 м и через 2 м при длине провиса более 10 м. Обнаруженные оголенные или провисшие участки должны иметь координаты в системе координат ППМН

- эхолот с цифровым отсчетом, или эхолот с цифровым выходом данных на ЭВМ, или эхолот регистрирующий с графическим монитором сблокированный с DGPS;

- гидролокатор бокового обзора с опцией промерного эхолота и регистрацией данных на бумажном носителе и/или на ЭВМ (Notebook) или сблокированный с эхолотом с цифровым выходом;

- DGPS - кинематический комплект;

- теодолит (2 поста);

- нивелир;

- компьютер Notebook;

- программное обеспечение обработки данных в реальном времени;

- комплект радиостанций УКВ (дальность связи до 2-3 км);

- водолазная станция;

- подводный трассоискатель;

- метр складной;

- ручной гидролокатор для ориентировки в условиях ограниченной видимости;

- подводный осветитель (монохромный, желто-зеленый);

- подводная видеосистема (кабельная или автономная);

- маломерное или моторное судно

 

Таблица 6б

Порядок и объемы выполнения работ при проведении периодического полного обследования

Вид работ

Контролируемые параметры

Метод

Инструменты (приборы)

Форма регистрации результатов контроля

1

2

3

4

5

Определение технического состояния береговых участков

Размеры обнаруженных на береговых участках: оврагов, обрушений (обвалов) грунта вдоль берега, оползней, промоин, провалов и пучения грунта

Визуальный осмотр с регистрацией результатов осмотра на фотоснимках, измерение размеров размытых участков берегов, оврагов, обвалов и провалов грунта, оползней, промоин, оголений трубопровода для последующего их нанесения на топографический план.

- рулетка (50 м) или безотражательный ручной дальномер (лазерный, ультразвуковой до 30 м);

- фотоаппарат (обычный или цифровой) или видеокамера со средствами оцифровки кадров

Текстовый отчет с документальным подтверждением фактов в виде фотоматериалов

Наличие кустарника и древесной растительности по оси нефтепровода

Полоса земли шириной не менее 3 м от оси с каждой стороны нефтепровода, вдольтрассовых линий электропередачи и связи должна быть очищена от деревьев, кустарника и поросли.

Состояние берегоукрепления

В зависимости от типа берегоукрепления контролируют параметры: состояние откосов, их крутизну, толщину наброски, зазоры между отдельными плитами, прочность дернины.

Состояние информационных знаков, реперов, маркерных пунктов

Исправность информационных и геодезических знаков, маркерных пунктов. Проверяется: сохранность окраски, надписей, сохранность геодезического центра, геодезической пирамиды

Определение планово-высотного положения трубопровода с привязкой к пикетажу

Координаты трубопровода и обнаруженных при осмотре береговых участков, овраги, обрушения (обвалы) грунта вдоль берега, оползни, промоины, провалы и пучения грунта

Топографическая съемка участка берега выполняется в масштабах 1:500-1:5000 геодезическими приборами с точностью, регламентированной нормативными документами.

На топоплан должны быть нанесены: трубопровод, выявленные на береговых участках овраги, обрушения (обвалы) грунта вдоль берега, оползни, промоины, провалы и пучения грунта

- Теодолит-тахеометр, или электронный тахеометр (комплект) или DGPS;

- нивелир (комплект);

- рулетка 50 м;

- радиостанции УКВ, носимые (компл. 3-4 шт.);

- программное обеспечение для электронного картосоставления

Журнал, файл измерений

 

Отметки верхней образующей нефтепровода, отметки дна по оси нефтепровода, их координаты и пикетные значения, наличие, величина и координаты оголений, провисов трубопровода. Состояние балластировки, футеровки и изоляции на размытых участках трубопровода, подводной части берегоукрепления

Выполняется приборами поиска подземных коммуникаций работающих на основе электромагнитных и акустических методов, с использованием водолазной станции, щупами.

На берегах закрепляется вехами створ, в котором выполняются промеры глубин. Количество промерных вертикалей определяется масштабом съемки в соответствии с нормативными документами.

При обследовании оголенных и провисающих участков устанавливается длина участка с указанием высоты провиса низа образующей трубы до дна водоема через 1 м при длине провиса до 10 м и через 2 м при длине провиса более 10 м. Обнаруженные оголенные или провисшие участки должны иметь координаты в системе координат ППМН.

Съемка дна русла гидролокатором бокового обзора

- Трассоискатель со звуковой индикацией (класса ИК-50) или трассоискатель с прямым измерением глубины (класса «токовый топограф»- RD 400);

- судовой трассоискатель;

- щуп-комплект;

- рулетка 50 (100 м) или ручной безотражательный лазерный дальномер до 500 м;

- эхолот с цифровым отсчетом, или эхолот с цифровым выходом данных на ЭВМ, или эхолот регистрирующий с графическим монитором сблокированный с DGPS;

- гидролокатор бокового обзора с опцией промерного эхолота и регистрацией данных на бумажном носителе и/или на ЭВМ (Notebook) или сблокированный с эхолотом с цифровым выходом;

- DGPS - кинематический комплект;

- теодолит (2 поста);

- нивелир;

- компьютер Notebook;

- программное обеспечение обработки данных в реальном времени;

- комплект радиостанций УКВ с дальностью связи до 2-3 км;

- водолазная станция;

- подводный трассоискатель;

- метр складной;

- подводный осветитель (монохромный, желто-зеленый);

- подводная видеосистема (кабельная или автономная);

- маломерное или моторное судно

Журнал, файл измерений

Гидрографическая съемка

Координаты и отметки русла реки (водоема)

Гидрографическая (русловая) съемка выполняется геодезическими методами в тех же масштабах, что и съемка берега в соответствии с требованиями нормативной документации

- эхолот с цифровым отсчетом, или эхолот с цифровым выходом данных на ЭВМ, сблокированный с DGPS;

- гидролокатор одно-двухсторонний одно двухчастотный с опцией промерного эхолота и регистрацией данных на бумажном носителе и/или на ЭВМ (Notebook) или сблокированный с эхолотом с цифровым выходом;

- DGPS - кинематический комплект;

- теодолит (2 поста);

- нивелир;

- компьютер Notebook;

- программное обеспечение обработки данных в реальном времени;

- комплект радиостанций УКВ;

- маломерное или моторное судно;

Журнал, файл измерений

Гидрологические измерения, в том числе:

Тип и интенсивность руслового процесса

Определение по данным государственной гидрометеорологической службы, по меткам и опросам местных жителей уровней высоких вод (УВВ) и высших исторических горизонтов (ВИГ) для сравнения их отметок с отметками расчетных уровней 1 % и 10 % обеспеченности; Оценка типа и интенсивности естественного руслового процесса реки.

Визуальный осмотр с фотографической регистрацией

- фотоаппарат (обычный или цифровой) или видеокамера со средствами оцифровки кадров;

- рулетка (50 м), или безотражательный ручной дальномер (лазерный, ультразвуковой до 30 м)

Текстовый отчет с подтверждением фактов в виде фотоматериалов

- организация водомерного поста;

Уровень воды в момент выполнения русловой съемки

Установка и привязка к системе высот водомерной сваи или рейки для наблюдений за уровнями воды в период проведения обследования, водомерные наблюдения на посту 2 раза в день - в 8 и 20 ч местного времени

- плотницкий инструмент;

- нивелир (комплект);

Журнал измерений

- определение расходов, наивысших уровней, скоростей и направлений потока;

Скорость потока, уровенный и волновой режим

Направление планово-высотных деформаций

Измерение расходов воды вертушкой «детальным способом» для изучения распределения скоростей потока в живом сечении русла и расчета гидравлической кривой Q = f(H), при необходимости определения типа обтекания потоком берегов (плавно огибающий или ударно-отраженный) - определение поверхностных скоростей и направлений потока в пределах коридора ППМН поплавками

- лебедка гидрометрическая типа ПИ-24М;

- нивелир (комплект);

- регистратор уровня воды графомеханический или электронный с временем автономной работы не менее месяца;

- гидрометрические вертушки типа ГР 21М, ВГ-ИСТ или ГМЦМ-1;

- комплект нормализованных сборных гидрометрических поплавков (8-9 шт.);

- теодолиты (2 шт.) или DGPS кинематический комплект;

- комплект радиостанций УКВ (3 шт.)

Гидрологический отчет, составленный на основании анализа данных ткущего обследования материалов изысканий прошлых лет

- определение плановых и высотных деформаций русла;

Размеры подвижных макроформ и скорости их смещения.

Величина скорости планово-высотных деформаций

Определяется расчетом на основании данных предыдущих и текущего обследований

Определяется расчетом по данным русловой съемки

Текстовый отчет c результатами расчета, топографический план ППМН с нанесенным прогнозом изменения русла

- отбор донных и береговых проб грунта

Прозрачность воды, химический состав воды, гранулометрический состав донных отложений, количество взвешенных наносов

Лабораторный анализ проб воды на сокращенный химический анализ и содержание взвешенных наносов.

Лабораторный анализ проб донных и береговых отложений

Пробоотборник типа ГР 86

Данные лабораторных анализов

Таблица 6в

Порядок и объемы выполнения работ при проведении обследования в период строительства и ремонта

Вид работ

Контролируемые параметры

Метод

Инструменты (приборы)

Форма регистрации результатов контроля

1

2

3

4

5

Промеры отметок дна водоема и дна траншеи после окончания ее разработки для определения соответствия проектным отметкам

Отметки дна водоема и дна траншеи, их координаты

Выполняется гидролокатором (эхолотом), щупами с привязкой координат промерных точек геодезическими методами. Количество промерных вертикалей определяется масштабом съемки в соответствии с нормативными документами

- Эхолот с цифровым отсчетом, или эхолот с цифровым выходом данных на ЭВМ, или эхолот регистрирующий с графическим монитором сблокированный с DGPS;

- DGPS - кинематический комплект;

- теодолит (комплект) или тахеометр;

- компьютер Notebook;

- программное обеспечение обработки данных в реальном времени;

- щуп - комплект;

- комплект радиостанций УКВ с дальностью связи до 2-3 км;

- маломерное или моторное судно;

- водолазная станция

Журнал, файл измерений

Промеры отметок верхней образующей уложенного трубопровода в траншее для определения соответствия проектным отметкам, проверки состояния футеровки и балластировки

Отметки верхней образующей нефтепровода, отметок дна по оси нефтепровода, их координат

Выполняется гидролокатором (эхолотом), щупами с привязкой координат промерных точек геодезическими методами. Количество промерных вертикалей определяется масштабом съемки в соответствии с нормативными документами.

Проверка состояния футеровки и балластировки выполняется с использованием водолазной станции

- Эхолот с цифровым отсчетом, или эхолот с цифровым выходом данных на ЭВМ, или эхолот регистрирующий с графическим монитором сблокированный с DGPS;

- DGPS - кинематический комплект;

- теодолит (комплект) или тахеометр;

- компьютер Notebook;

- программное обеспечение обработки данных в реальном времени;

- щуп - комплект;

- комплект радиостанций УКВ с дальностью связи до 2-3 км;

- маломерное или моторное судно;

- водолазная станция;

- монохромный подводный осветитель;

- система подводной видеосъемки

Журнал, файл измерений

Промеры отметок дна по окончании засыпки вновь уложенного трубопровода, для определения соответствия толщины защитного слоя требованиям проекта

Отметки дна, их координаты

Выполняется гидролокатором (эхолотом), щупами с привязкой координат промерных точек геодезическими методами. Количество промерных вертикалей определяется масштабом съемки в соответствии с нормативными документами

- Эхолот с цифровым отсчетом, или эхолот с цифровым выходом данных на ЭВМ, или эхолот регистрирующий с графическим монитором сблокированный с DGPS;

- DGPS - кинематический комплект;

- теодолит (комплект) или тахеометр;

- компьютер Notebook;

- программное обеспечение обработки данных в реальном времени;

- щуп - комплект;

- комплект радиостанций УКВ с дальностью связи до 2-3 км;

- маломерное или моторное судно

Журнал, файл измерений

При ремонте провисающих участков методом подбивки:

контроль соответствия уложенной банкетной призмы требованиям проекта

Размеры банкетной призмы, опирание трубопровода

Выполняется с использованием водолазной станции

- Водолазная станция;

- щуп - комплект;

- комплект радиостанций УКВ с дальностью связи до 2-3 км;

- маломерное или моторное судно;

- монохромный подводный осветитель;

- система подводной видеосъемки

Журнал измерений

При выборочном ремонте трубопровода:

 

 

 

 

- контроль геометрических размеров ремонтного котлована

Размеры ремонтного котлована

Выполняется с использованием водолазной станции

- Водолазная станция;

- щуп - комплект;

- комплект радиостанций УКВ с дальностью связи до 2-3 км;

- маломерное или моторное судно;

- монохромный подводный осветитель;

- система подводной видеосъемки.

Журнал измерений

- идентификация дефектной секции трубопровода, ДДК,

Параметры дефектного участка;

Выполняется с использованием водолазной станции, контрольной оснастки и приборов

- Водолазная станция;

- маломерное или моторное судно;

- круговой шаблон;

- складной метр;

- ультразвуковой дефектоскоп в подводном исполнении;

- ультразвуковой толщиномер в подводном исполнении;

- маркировочные хомуты;

- монохромный подводный осветитель;

- система подводной видеосъемки;

- прибор контроля толщины изоляции;

- трассоискатель со звуковой индикацией или трассоискатель с прямым измерением глубины;

- судовой трассоискатель;

- эхолот с цифровым отсчетом, или эхолот с цифровым выходом данных на ЭВМ, или эхолот регистрирующий с графическим монитором сблокированный с DGPS;

- локатор бокового обзора;

- DGPS - кинематический комплект;

- теодолит (комплект) или тахеометр;

- компьютер Notebook;

- программное обеспечение обработки данных в реальном времени;

- щуп - комплект;

- комплект радиостанций УКВ с дальностью связи до 2-3 км

Журнал, файл измерений, протоколы дефектоскопического контроля, видеозапись

- контроль мест уплотнения устанавливаемой ремонтной конструкции,

отклонения геометрии и качество зачистки поверхности трубы, отсутствие поверхностных трещин и расслоений

- контроль нанесения изоляции

толщина нанесенного изоляционного покрытия


4.6. Камеральная обработка результатов полевых изысканий при проведении периодических обследований, подготовка отчета

4.6.1. Камеральные работы при частичном периодическом обследовании:

-      сбор и анализ имеющихся материалов исследований гидрологического режима реки прошлых лет;

-      составление плана с нанесенными трассой МН, промерными точками, береговой линией, указанием начала пикетажа, исходных реперов;

-      составление профиля перехода магистрального нефтепровода и нанесение на него координат береговых маркеров, дефектов ДПР и ПОР, выявленных внутритрубной диагностикой;

-      разработка рекомендаций по проведению ремонтных работ;

-      составление отчета по обследованию.

4.6.2. Камеральные работы при полном периодическом обследовании:

-      сбор и анализ имеющихся материалов исследований режима реки прошлых лет;

-      составление топографического плана, совмещенного с русловой съемкой, нанесение на план береговой съемки, оговоренной ТЗ (в соответствии с табл. 5 и рис. 1), нанесение пикета «0»;

-      составление профиля перехода магистрального нефтепровода, нанесение на него координат береговых маркеров, дефектов ДПР и ПОР, выявленных внутритрубной диагностикой;

-      составление технического отчета о гидрометеорологических исследованиях;

-      составление чертежа-плана направлений и скоростей течений в пределах участка ППМН (эпюры поверхностных, средних и донных скоростей);

-      составление чертежей - распределение скоростей потока в поперечных сечениях русла по створам измеренных расходов;

-      составление чертежа - продольный профиль дна русла по тальвегу в пределах русловой съемки;

-      расчет и построение гидравлической кривой Q = f(H);

-      лабораторные работы - определение гранулометрического состава проб донных отложений, сокращенный химический анализ воды, определение количества взвешенных наносов;

-      расчет взаимодействия потока и донных отложений, характеристика дна в районе производства обследования;

-      определение типа руслового процесса, его тенденции и интенсивности.

-      разработка рекомендаций по проведению ремонтных работ;

-      анализ данных внутритрубной диагностики в соответствии с «Методикой определения гарантийного срока эксплуатации подводных переходов нефтепроводов», приложение 10;

-      расчет гарантийного срока эксплуатации подводного перехода;

-      составление технического отчета.

4.7. Обследование технического состояния воздушных переходов трубопроводов через искусственные и естественные преграды выполняется для балочных, висячих и арочных переходов.

Нивелировка воздушных переходов должна производиться ежегодно.

Обследование воздушных переходов должны выполнять специализированные организации, имеющие лицензию на проведение работ по обследованию. Методика проведения обследования воздушных переходов должна быть согласована с Госгортехнадзором России. Периодичность проведения обследования: для переходов со сроком эксплуатации до 20 лет - 1 раз в 3 года более 20 лет - 1 раз в 2 года.

4.7.1. При проведении нивелировки воздушных переходов выполняются следующие виды работ

-      нивелировка конструкций переходов, определение действительных основных геометрических размеров переходов, L - длины пролета перехода, f - стрелы прогиба трубопровода, рис. 3;

-      определение технического состояния береговых участков, берегоукрепления, информационных знаков, реперов и маркерных пунктов.

Виды и объемы работ, выполняемые при нивелировке воздушных переходов МН приведены в табл. .

4.7.2. При обследовании воздушных переходов выполняются:

-      технический контроль надземной части трубопровода, несущих конструкций, опор;

-      определение планово-высотного положения трубопровода с привязкой к пикетажу;

-      нивелировка конструкций перехода;

-      определение технического состояния береговых участков, берегоукрепления, информационных знаков, реперов и маркерных пунктов.

Виды и объемы работ, выполняемые при обследовании воздушных переходов МН приведены в табл. .

4.7.3. Границы проведения обследования воздушных переходов:

-      полоса шириной 50 м (по 25 м от оси нитки в обе стороны);

-      длина полосы обследования - в границах перехода (длина надземной части и участки подземной части по 50 м от мест выхода трубопровода из земли).

4.7.4. Схемы воздушных переходов и основные контролируемые геометрические параметры приведены на рис. 3.

4.7.5. Контролируемые точки и допускаемые отклонения действительных положений элементов конструкций воздушных переходов от значений, зафиксированных в исполнительной документации указываются в каждом проекте индивидуально.

4.7.6. Камеральные работы

-      сбор и анализ имеющихся материалов обследований прошлых лет;

-      составление топографического плана;

-      составление профиля перехода магистрального нефтепровода, нанесение на него координат береговых маркеров, дефектов ДПР и ПОР, выявленных внутритрубной диагностикой;

-      анализ данных внутритрубной диагностики и нивелировки, расчет и анализ напряженного состояния трубопровода;

-      анализ данных обследования несущих конструкций; расчет и анализ их напряженного состояния;

-      разработка рекомендаций по проведению ремонтных работ;

-      расчет гарантийного срока эксплуатации воздушного перехода магистрального нефтепровода через водную преграду;

-      составление технического отчета.

Рис. 3. Схемы воздушных переходов.

Основные контролируемые геометрические параметры:

а - балочный переход; б - арочный переход; в - подвесной (вантовый) переход; L - длина пролета; f - стрела прогиба


Таблица 6г

Порядок и объемы выполнения работ при проведении нивелировки воздушных переходов

Вид работ

Контролируемые параметры

Метод

Инструменты (приборы)

Форма регистрации результатов контроля

Нивелировка перехода, определение действительных основных геометрических размеров перехода

Фактические отметки положения трубопровода, определение просадок, смещений, деформаций, отклонений

Геодезический контроль положения всех элементов конструкции переходов

- DGPS - кинематический комплект;

- теодолит (2 поста);

- нивелир;

- компьютер Notebook;

- программное обеспечение обработки данных в реальном времени;

- комплект радиостанций УКВ с дальностью связи до 2-3 км

Текстовый отчет, схема перехода с указанием координат контролируемых точек и дефектов ДПР и ПОР (обнаруженных внутритрубной диагностикой), расчетом напряженного состояния трубопровода

Определение технического состояния береговых участков, берегоукрепления, информационных знаков, реперов и маркерных пунктов берегоукрепления, информационных знаков, реперов и маркерных пунктов

- Состояние откосов, их крутизна, толщина наброски, зазоры между отдельными плитами, прочность дернины;

- состояние защитных водоотводных валиков и перемычек на подходах к переходам;

- наличие отвода ливневых, снеговых и смешанных стоков (состояние нагорных канав, террас на склонах оврагов);

- состояние водобойных колодцев, ступенчатых перепадов, и других гасителей скоростей потока;

- исправность информационных и геодезических знаков (сохранность окраски, надписей, сохранность геодезического центра, геодезической пирамиды, маркерного пункта)

Визуальный осмотр с регистрацией результатов осмотра на фотоснимках. Измерение размеров размытых участков берегов, оврагов, обвалов и провалов грунта, оползней, промоин, оголений трубопровода, нанесение их на топографический план

- Фотоаппарат (обычный или цифровой) или видеокамера со средствами оцифровки кадров;

- рулетка (50 м) или безотражательный ручной дальномер (лазерный или ультразвуковой до 30 м)

Текстовый отчет с документальным подтверждением фактов в виде фотоматериалов, топоплан.

Таблица 6д

Порядок и объемы выполнения работ при проведении обследования воздушных переходов

Вид работ

Контролируемые параметры

Метод

Инструменты (приборы)

Форма регистрации результатов контроля

1

2

3

4

5

Технический контроль надземной части трубопровода, строительных конструкций, опор

- Состояние защитного кожуха и антикоррозионного покрытия трубопровода, наличие внешних повреждений, коррозии;

- состояние мест выхода трубопровода из земли;

- состояние креплений трубопровода к опорам;

- состояние береговых и промежуточных опор и несущих конструкций перехода, наличие осадки, повреждений, коррозии;

- состояние сварных швов и креплений опорных конструкций;

- состояние тросов и вант;

- состояние бетонных фундаментов

Визуальный осмотр и приборный дефектоскопический контроль состояния элементов конструкции воздушных переходов с определением размеров и координат повреждений

- Фотоаппарат (обычный или цифровой) или видеокамера со средствами оцифровки кадров;

- рулетка, метр складной;

- прибор контроля прочности бетона;

- ультразвуковой дефектоскоп;

- ультразвуковой толщиномер;

- прибор контроля толщины изоляции;

- прибор контроля состояния тросов

Текстовый отчет с приложением результатов технического осмотра

Определение технического состояния береговых участков, берегоукрепления, информационных знаков, реперов и маркерных пунктов

- Состояние откосов, их крутизна, толщина наброски, зазоры между отдельными плитами, прочность дернины;

- состояние защитных водоотводных валиков и перемычек на подходах к переходам;

- наличие отвода ливневых, снеговых и смешанных стоков (состояние нагорных канав, террас на склонах оврагов);

- состояние водобойных колодцев, ступенчатых перепадов, и других гасителей скоростей потока;

- исправность информационных и геодезических знаков (сохранность окраски, надписей, сохранность геодезического центра, геодезической пирамиды, маркерного пункта)

Визуальный осмотр с регистрацией результатов осмотра на фотоснимках. Измерение размеров размытых участков берегов, оврагов, обвалов и провалов грунта, оползней, промоин, оголений трубопровода для последующего нанесения их на топографический план

- Фотоаппарат (обычный или цифровой) или видеокамера со средствами оцифровки кадров;

- рулетка (50 м) или безотражательный ручной дальномер (лазерный или ультразвуковой до 30 м)

Текстовый отчет с документальным подтверждением фактов в виде фотоматериалов

Нивелировка перехода, определение действительных основных геометрических размеров перехода

Фактические отметки положения трубопровода, определение просадок, смещений, деформаций, отклонений

Геодезический контроль положения всех элементов конструкции переходов

- DGPS - кинематический комплект;

- теодолит (2 поста);

- нивелир;

- компьютер Notebook;

- программное обеспечение обработки данных в реальном времени;

- комплект радиостанций УКВ с дальностью связи до 2-3 км;

Текстовый отчет, схема перехода с указанием координат контролируемых точек и дефектов ДПР и ПОР (обнаруженных внутритрубной диагностикой), расчетом напряженного состояния трубопровода

Определение планово-высотного положения трубопровода с привязкой к пикетажу

Планово-высотное положение трубопровода

Геодезические измерения. Топографическая съемка участка берега выполняется в масштабах 1:500 - 1:5000 геодезическими приборами с точностью, регламентированной нормативными документами. На топоплан должны быть нанесены все особенности, выявленные при осмотре береговых участков

- Трассоискатель, щуп;

- DGPS - кинематический комплект;

- теодолит (2 поста);

- нивелир;

- компьютер Notebook;

- программное обеспечение обработки данных в реальном времени;

- комплект радиостанций УКВ с дальностью связи до 2-3 км

Текстовый отчет, топографический план ППМН, профиль трубопровода


4.8. Отчетность по результатам обследования ПМН

По результатам обследования ППМН составляется следующая отчетная документация:

4.8.1. Первичная документация - Акты на выполненные работы при обследовании ПМН (Приложение 11).

4.8.2. Окончательный документ - Технический отчет по обследованию ПМН с приложениями (в бумажном и электронном виде).

4.8.3. Документация представляется в сроки, указаны в табл. 7

Таблица 7

Сроки предоставления документации (рабочих дней)

Вид документации

Обследование эксплуатирующихся ППМН

Обследование вновь строящихся, ремонтируемых и реконструируемых ПМН

Акт

5

2

Технический отчет

30

30

4.9. Требования к оформлению технического отчета по результатам обследования переходов МН через водные преграды.

4.9.1. Технический отчет составляется организацией, проводившей обследование.

4.9.2. Технический отчет должен состоять из текстовой и графической частей (картографические материалы, профили, фотографии).

Текстовая часть должна содержать:

-      место расположения ПМН, название водоема, дату проведения и объем выполненных работ по обследованию;

-      наименование организации, выполнившей обследование ПМН, фамилии и должности исполнителей;

-      перечень нормативных документов, на основании которых проводилось обследование ПМН;

-      перечень используемого оборудования, приборов и инструмента;

-      краткую техническую характеристику ПМН, данные о проведенных ремонтных работах, данные 3-х предыдущих обследованиях;

-      расчет и прогноз планово-высотных деформаций водотока (для полного обследования);

-      анализ данных внутритрубной диагностики и нивелировки, расчет и анализ напряженного состояния трубопровода (для воздушного перехода);

-      анализ данных обследования несущих конструкций; расчет и анализ их напряженного состояния (для воздушного перехода);

-      заключение о гарантийном сроке эксплуатации нефтепровода (при полном обследовании), назначенном в соответствии с Методикой определения гарантийного срока эксплуатации (приложение 10) оформляется по форме, приведенной в разделе 5 Паспорта ПМН (для полного обследования);

-      срок следующего обследования согласно Регламенту или обоснованные рекомендации по проведению внеочередного обследования (для полного обследования);

-      рекомендации по выполнению ремонтных работ.

Графическая часть должна содержать:

-      топографический план перехода;

-      профиль с нанесенными на него оголениями, провисами и участками с недостаточным заглублением трубопровода с указанием координат в системе координат перехода;

-      нанесенные на профиль результаты внутритрубной инспекции - дефекты ДПР, ПОР с указанием координат в системе координат перехода;

-      графические материалы по гидрологическим изысканиям;

-      фотоматериалы, видеоматериалы.

4.9.3. Формат текстовых данных в отчете - Word (.doc), графических - AutoCAD (.dwg 3-х мерный). Образцы оформления графических материалов технического отчета и требования приведены в приложениях 14, 12. Образец оформления плана подводного перехода (русловая и топографическая съемка) приведен в разделе 2.9 Паспорта ППМН. Образец оформления профиля подводного перехода приведен в разделе 2.10 Паспорта ППМН.

4.9.4. Графическая часть технического отчета (топографический и гидрографический планы, профиль) должна быть оформлена в соответствии с требованиями СНиП 11-02-96 и СП 11-104-97.

4.9.5. Технический отчет оформляется в бумажном и электронном виде, в трех экземплярах, подписывается исполнителями и принимается руководителем эксплуатирующей организации.

4.9.6. Результаты обследования эксплуатирующихся подводных и воздушных ПМН заносятся в Паспорт ПМН, приложение 1.

4.10. Продолжительность выполнения обследования ППМН зависит от ширины водной преграды в межень, от категории обследования, объемов работ, и приведена в табл. 8.

Таблица 8

Продолжительность выполнения обследования ППМН (рабочих дней)

Категория обследования

Ширина водной преграды в межень, м

10-30

30-100

100-200

200-500

500-1000

Более 1000

Частичное обследование

2

3

4

4

6

6

Полное обследование

3

5

8

10

14

16

Примечания:

1. Время работ увеличивается на 15 % на каждую дополнительно обследуемую нитку, увеличивается на 15 % при выполнении гидрологических работ.

2. При выполнении работ в пределах запорной арматуры для полного обследования, время работ увеличивается из расчета 2 дня на 1 км трассы магистрального нефтепровода.

5. РЕЖИМЫ РАБОТЫ ПЕРЕХОДОВ МН ЧЕРЕЗ ВОДНЫЕ ПРЕГРАДЫ

5.1. При исправном техническом состоянии основной и резервной ниток ПМН резервная нитка должна быть отключена. Задвижки на отключенной нитке ПМН должны быть закрыты, давление снижено до статического. Нормальное положение линейных задвижек (рис. 4) при работе основной нитки перехода:

-      задвижки 1, 2 - открыты;

-      задвижки 3-12 - закрыты.

5.2. Должны быть разработаны нормативные показатели величин давления в отсеченных нитках переходов, таблицы с указанием положений затворов задвижек линейной части и КППСОД.

5.3. На отсеченных нитках, КППСОД и замкнутых объемах между задвижками 5-6-9 и 7-8-10 (рис. 4) должны быть приняты меры для предотвращения повышения давления от температурного расширения нефти и негерметичности задвижек в соответствии с разделом 10 настоящего Регламента.

5.4. С целью сохранения пропускной способности нефтепроводов, снижения затрат на перекачку нефти и снижения рабочего давления в нефтепроводе допускается эксплуатация протяженных технически исправных резервных ниток переходов МН через водные преграды по согласованию с ОАО «АК «Транснефть» и соответствующем экономическом обосновании.

5.5. Каждые 2 часа оператор ЛПДС (диспетчер РДП) проверяет по показаниям телемеханики состояние оборудования ПМН, положение береговых задвижек, давление в работающих и отключенных трубопроводах и сравнивает их с нормативными показателями. В случае отклонения от нормального режима работы или состояния оборудования должны быть установлены причины отклонений от нормативных показателей и приняты меры по приведению их в соответствие.

Рис. 4. Схема размещения КППСОД

5.6. Очистка внутренних полостей основной и резервных ниток ПМН проводится на основании годовых планов по очистке МН. Периодичность очистки устанавливается в соответствии с «Регламентом планирования работ по проведению очистки внутренней полости магистральных нефтепроводов ОАО «АК «Транснефть» специальными очистными устройствами (скребками)»:

-      не реже 1 раза в квартал - при вязкости перекачиваемой нефти до 30 сСт, работе нефтепровода со скоростью перекачки более 1,5 м/с;

-      не реже 2 раз в квартал - при вязкости перекачиваемой нефти от 30 до 50 сСт, работе нефтепровода со скоростью перекачки менее 1,5 м/с;

-      не реже 3 раз в квартал - при вязкости перекачиваемой нефти более 50 сСт.

5.7. В случае отсутствия КППСОД на резервных нитках перехода проводится их промывка на основании разработанных годовых планов не реже одного раза в квартал. Если эксплуатация трубопровода ведется при скоростях потока нефти ниже 1,5 м/сек., то промывка резервной нитки производится не реже 2-х раз в квартал.

5.8. Промывка резервных ниток перехода производится поочередным закрытием задвижек на обеих сторонах перехода, с поочередным направлением потока нефти по каждой нитке перехода на время, которое необходимо для прокачки нефти в количестве не менее 3-х объемов внутренней полости нитки в границах ППМН.

5.9. Промывку необходимо производить при скоростях потока нефти не менее 1,5 м/с по утвержденным режимам. При недостаточных объемах прокачки скорость промывки не менее 1,5 м/с обеспечивается путем накопления необходимых ресурсов в резервуарных парках.

5.10. При отсутствии необходимых резервов нефти для создания скорости промывки 1,5 м/с очистка внутренней полости трубопровода на подводных переходах осуществляется с помощью гелевых разделителей не реже двух раз в год.

При этом гелевые разделители могут быть образованы как непосредственно на переходе, так и в камерах пуска СОД на НПС, в зависимости от эффективного расстояния очистки в соответствии с технологией их создания.

6. ТРЕБОВАНИЯ К ОБОРУДОВАНИЮ ПМН

6.1. Подводные переходы должны быть оборудованы системами обнаружения утечек, переходы типа «труба в трубе» и построенные методом микротоннелирования должны быть оборудованы системами контроля давления в межтрубном пространстве.

6.2. Подводные переходы должны быть оборудованы резервными нитками в соответствии со СНиП 2.05.06-85*, в том числе все переходы построенные методами ННБ и МТ через водные преграды шириной по зеркалу более 75 м в межень.

6.3. Резервные нитки ППМН должны быть оборудованы камерами пуска-приема средств очистки и диагностики.

6.4. ППМН через судоходные реки и реки шириной по зеркалу воды более 500 м должны иметь блокпост обходчика, оборудованный телефонной или радиосвязью для обеспечения круглосуточной связи обходчика с оператором НПС. Для сообщения оператору НПС данных о давлении в основной и резервной нитках, обнаружении выхода нефти и другой срочной информации во время обхода трассы обходчик должен быть обеспечен средствами носимой радиосвязи.

6.5. Подводные переходы через судоходные и сплавные водные пути должны быть оборудованы освещенными в темное время суток информационными знаками ограждения охранной зоны ППМН по ГОСТ 26600-98 «Знаки и огни навигационные внутренних водных путей».

6.6. ППМН должны быть оборудованы постоянными геодезическими знаками (реперами) свайного типа, либо винтовыми, которые закладываются ниже глубины промерзания грунта для предотвращения морозного выпучивания. Наружное оформление знаков выполняется согласно «Инструкции по топографической съемке в масштабах 1:5000, 1:2000, 1:1000, 1:500» ГКИНП-02-033-79. Стационарные реперы устанавливаются в зависимости от количества ниток на переходе:

-      однониточный переход - 2 репера на одном берегу при ширине зеркала воды в межень до 50 м;

-      однониточный переход - 3 репера при ширине зеркала воды в межень до 300 м;

-      многониточный переход или однониточный переход с шириной зеркала воды в межень 300 м и более - 4 репера (по 2 на каждый берег).

Стационарные створные знаки устанавливаются на оси каждой нитки, не менее 1 знака на каждом берегу.

6.7. Задвижки, установленные на ПМН, должны быть электрифицированы, телемеханизированы и находиться в режиме телеуправления. Энергоснабжение задвижек должно осуществляться от двух независимых источников. Не должно быть перерывов в электроснабжении береговых задвижек, предназначенных для перекрытия основной и резервных ниток ПМН. Перерывы в электроснабжении береговых задвижек считаются аварийной ситуацией, и ОАО МН должны немедленно приняты меры по восстановлению электроснабжения.

6.8. Задвижки должны иметь технологический номер, указатели положения затвора, ограждение, предупреждающие аншлаги. Шток задвижки должен быть закрыт съемным колпаком, сальниковая камера закрыта, на штурвале должны быть указаны направления вращения «открыто», «закрыто».

6.9. Береговые задвижки должны обеспечивать герметичность отключенного участка подводного перехода.

6.10. Для освобождения ППМН от нефти в аварийной ситуации путем замещения водой с пропуском разделителя узлы береговых задвижек основной и резервных ниток ППМН должны быть оборудованы вантузами Ду не менее 150 мм по обе стороны каждой секущей задвижки для однониточных переходов, и только со стороны реки - для переходов, имеющих в пределах технического коридора более одной нитки. Схемы расположения вантузов приведены в приложении 15.

6.11. Камеры пуска-приема СОД должны быть оборудованы устройствами, предотвращающими открытие затворов камер при наличии в них давления, а также акустическими датчиками обнаружения утечек, подключенными к системе телемеханики.

6.12. В колодцах отбора давления должны быть установлены уровнемеры, подключенные к системе телемеханики.

6.13. Должны быть приняты меры для предотвращения несанкционированного доступа посторонних лиц к запорной арматуре, вантузам, манометрическим узлам и другому оборудованию подводного перехода. Ограждения узлов задвижек и КППСОД должны быть оборудованы сигнализацией, которая выводит на пульт оператора НПС, ЛПДС информацию о несанкционированном доступе на охраняемую территорию.

6.14. Приводы задвижек, лебедки на площадках КППСОД, затворы КППСОД, сигнализаторы прохождения СОД, отдельно расположенные вантузы, узлы отбора давления и другое оборудование, установленное на открытом воздухе, должны быть закрыты защитными кожухами с замками (колодцами) или оборудованы специальными блокираторами.

6.15. Ключи от замков защитных сооружений и колодцев должны храниться у обходчика и в линейной эксплуатационной службе НПС (ЛПДС).

6.16. Площадки КППСОД и узлов задвижек, колодцы вантузов, узлов отбора давления должны быть обустроены ограждением высотой не менее 2 м. Ограждение должно выполняться по проекту. На ограждении должны быть установлены предупреждающие знаки (приложение 16).

6.17. Камеры пуска-приема средств очистки и диагностики основной и резервной ниток должны проектироваться и устанавливаться на отметках рельефа местности и на расстоянии от водоема, которые обеспечивают исключение попадания нефти в водоем при возможных аварийных утечках из КППСОД. Расстояние от уреза воды до КППСОД во всех случаях должно быть не менее 1 км. Схема размещения КППСОД на резервной нитке приведена на рис. 4.

Трубопровод от резервной нитки до КППСОД должен проектироваться и прокладываться параллельно основному трубопроводу на расстоянии в соответствии с требованиями СНиП 2.05.06-85*, п.п. 3.18 и 3.19 и соответствовать категории «В».

КППСОД и задвижки во всех случаях должны при проектировании и строительстве размещаться:

-      на отметках не ниже отметок ГВВ 10 %-й обеспеченности и выше отметок ледохода;

-      на берегах горных рек - на отметках не ниже отметок ГВВ 2 %-й обеспеченности;

-      вне пределов водоохранной зоны.

КППСОД по основной и резервной ниткам должны иметь обвалование (приложение 25) для локализации аварийного разлива нефти.

Требования к обвалованию КППСОД:

-      высота обвалования - 1,5 м;

-      внутренние откосы обвалования должны быть укреплены противофильтрационным экраном;

-      конструкция обвалования КППСОД должна обеспечивать подъезд автотранспортной техники к камере пуска-приема, запасовку СОД;

-      внутри обвалования КППСОД должен быть установлен колодец с датчиком уровня, сигнал от датчика должен поступать на пульт диспетчера при подъеме уровня воды или нефти на 0,2 м выше отметки поверхности земли;

-      обвалование должно быть оборудовано устройством для спуска воды с дренажной задвижкой, нормальное положение которой - закрытое;

-      задвижки 1, 2, 3, 4, 6, 7 должны иметь обвалование (приложение 25).

Требования к обвалованию задвижек:

-      высота обвалования - 0,7 м;

-      внутренние откосы обвалования должны быть укреплены противофильтрационным экраном;

-      расстояние от оси задвижек до подошвы обвалования 1,5-2 м;

-      обвалование должно быть оборудовано устройством для спуска воды с дренажной задвижкой, нормальное положение которой - закрытое.

6.18. Колодцы арматуры и средств контроля должны быть герметичны. Конструкция колодцев должна исключать проникновение в них атмосферных осадков и грунтовых вод, обеспечивать защиту от подтопления для колодцев, установленных внутри обвалования.

6.19. Узлы задвижек и КППСОД должны быть оборудованы освещением в соответствии с проектом.

6.20. Для проведения работ по внутритрубной диагностике на границах ПМН и границах русловой части должны устанавливаться маркерные пункты (приложение 17).

6.21. Переходы, построенные методом микротоннелирования должны быть оборудованы средствами контроля давления в межтрубном пространстве. Контроль давления в межтрубном пространстве должен осуществляться показывающими манометрами и преобразователями давления, имеющими выход на каналы системы телемеханики.

6.22. Информация о давлении в межтрубном пространстве должна поступать на диспетчерский пульт.

6.23. Оборудование устройств поддержания и контроля давления в межтрубном пространстве должно быть доступным для обслуживания персоналом и защищено от повреждения посторонними лицами. Приборы должны быть ограждены, обозначены, пронумерованы, находиться в закрытых колодцах с обеспечением защиты от несанкционированного доступа.

6.24. Требования к оборудованию воздушных переходов через водные преграды те же, что к оборудованию ППМН, кроме того:

-      на трубопроводе и опорах воздушного перехода должны быть установлены реперы для выполнения геодезического контроля положения элементов конструкции;

-      склоны оврагов и берега водных преград в местах установки береговых опор должны быть оборудованы гасителями скорости потока (водобойные колодцы, ступенчатые перепады, растительный покров);

-      русловые опоры балочных переходов должны иметь ледорезы в соответствии с проектом.

7. ТЕХНИЧЕСКОЕ ОБСЛУЖИВАНИЕ ПЕРЕХОДОВ МН ЧЕРЕЗ ВОДНЫЕ ПРЕГРАДЫ

7.1. Техническое обслуживание береговых участков переходов МН через водные преграды.

7.1.1. На береговых участках переходов должно быть обеспечено отсутствие древесной поросли в полосе шириной не менее 3 м от оси трубопровода.

7.1.2. Проверка технического состояния информационных и геодезических знаков на подводных переходах через судоходные реки должна производиться - не реже 1 раза в квартал.

7.2. Техническое обслуживание береговой запорной арматуры производится в соответствии с разделом 5 РД 153-39ТН-008-96 «Руководство по организации эксплуатации и технологии технического обслуживания и ремонта оборудования и сооружений нефтеперекачивающих станций». Кроме того:

-      один раз в квартал должна производиться проверка всех задвижек перехода (основной и резервных ниток) на полное закрытие и открытие с регулировкой (при необходимости) концевых выключателей и контроль герметичности с составлением акта на каждую проверенную задвижку (приложения 18 и 19) и отметкой в Паспорте ППМН (приложение 1, табл. 29, 30) и формуляре запорной арматуры. Акт утверждается главным инженером РНУ и предоставляется в ОАО МН в течение пяти суток после проверки задвижки;

-      проверка всех задвижек перехода (основной и резервных ниток) на полное закрытие и открытие выполняется в режиме ТУ и в режиме местного управления.

7.3. Обслуживание и контроль герметичности береговых задвижек производится в соответствии с РД 153-39ТН-008-96.

7.4. Контроль герметичности береговых задвижек производится по изменению давления в отсеченном участке не менее 6 часов и акустическим течеискателем при перепаде давления на закрытых задвижках 1-2 МПа. Избыточное давление в отсеченной нитке в начале измерения должно быть не ниже 0,1 МПа. Увеличение (рост) давления в отсеченном участке и наличие акустического шума в задвижке характеризует негерметичность задвижки.

7.5. В случае выявления негерметичности береговой задвижки, должны быть приняты меры по восстановлению ее герметичности путем создания перепада давления для промывки внутренней полости посадочного места клина. Промывка внутренней полости шиберной задвижки осуществляется в соответствии с инструкцией по эксплуатации и паспортом. Промывка проводится в срок не позднее трех суток со дня обнаружения негерметичности с последующей проверкой в соответствии с п. 7.4. При недостижении герметичности АО МН разрабатывает план-график замены задвижки и в срок 10 суток со дня повторной проверки предоставляет его в АК «Транснефть».

7.6. На воздушных переходах еженедельно должен производиться визуальный осмотр надземной части трубопровода, береговых и промежуточных опор, металлоконструкций, мачт, тросов, вант. Проверяется состояние антикоррозионного покрытия трубопроводов и несущих конструкций, состояние берегоукрепительных сооружений, водоотливных канав, гасителей скорости потока в местах установки береговых опор, изоляционного покрытия в местах выхода трубопровода из земли - на отсутствие разрушений и повреждений.

7.7. Осмотр КППСОД, узлов задвижек перехода должен производиться ежедневно.

7.8. У обходчика должны находиться все ключи от колодцев, ПКУ, КТП, установок ЭХЗ, ограждений и приводов задвижек, КППСОД и т.д.

7.9. Обходчик ежедневно должен контролировать давления на ПМН на соответствие установленному технологическому режиму, осматривать береговые участки ППМН и воздушных переходов, берегоукрепительные сооружения, узлы отбора давления, вантузы, колодцы, узлы задвижек и КППСОД, сигнализаторы прохождения СОД, отсутствие скопления воды в обвалованном пространстве и в колодцах. Спуск воды из обвалований КППСОД и обвалований задвижек осуществляется путем открытия дренажной задвижки с обеспечением на месте постоянного, на время выпуска воды, дежурства и контроля работниками ЛЭС. Оставлять задвижку в открытом состоянии без непрерывного контроля запрещается.

7.10. В операторную по радио или телефонной связи обходчик должен передавать:

-      ежедневно - информацию о выходе на обход и завершении обхода, о давлении в основной и резервной нитках для сверки оператором НПС фактических давлений с давлением, определенным технологическим режимом, о техническом состоянии оборудования перехода в соответствии с технологической картой, инструкцией (узлы задвижек, камеры пуска-приема, узлы отбора давления, береговые участки, стационарные боновые заграждения, опоры и металлоконструкции воздушных переходов);

-      немедленно - информацию об обнаружении выхода нефти, течи сальников задвижек, уплотнений камер пуска-приема, затоплении защитных сооружений (обвалований) и др.

7.11. Производственная инструкция обходчика, содержащая технические и эксплуатационные параметры перехода, описание, объём и периодичность работ по обслуживанию ПМН, разрабатывается в службе эксплуатации РНУ (УМН) на основе нормативных документов и настоящего Регламента с учетом условий эксплуатации конкретного перехода.

7.12. Результаты промывки, очистки ниток перехода, проверки береговых задвижек на герметичность и полное закрытие-открытие, работ по техническому обслуживанию и ремонту оборудования и сооружений перехода заносятся в соответствующие разделы Паспорта ППМН, составляются акты.

7.13. Для обозначения положения колодцев, вантузов и отборов давления в зимнее время рядом с ними должны быть установлены указатели и вешки высотой не менее 2,5 м от поверхности земли, приложение 16.

7.14. Эксплуатация и обслуживание электрооборудования перехода должны осуществляться в соответствии с требованиями «Правил устройства электроустановок», «Правил эксплуатации электроустановок потребителей», «Межотраслевых правил по охране труда при эксплуатации электроустановок» и эксплуатационной документации.

7.15. Техническое обслуживание приборов контроля состояния среды в межтрубном пространстве должно проводиться в соответствии с требованиями инструкций заводов-изготовителей специалистами службы ВЛ и ЭХЗ. Проверка технического состояния приборов должна производиться специалистами службы ВЛ и ЭХЗ не реже 1 раза в квартал. Результаты проверки, данные по техобслуживанию, ремонту, замене приборов должны заноситься в соответствующие разделы «Паспорта ППМН», составляться акты.

7.16. Состояние колодцев для размещения систем контроля состояния среды в межтрубном пространстве на отсутствие подтопления их грунтовыми или паводковыми водами должно проверяться не реже 1 раза в месяц. По результатам проверки делается запись в «Журнале осмотра подводного перехода».

7.17. Стальной кожух перехода выполненного методом МТ и «труба в трубе» не должен иметь электрического контакта с рабочим трубопроводом. Возможность контроля отсутствия контакта должна быть обеспечена конструкцией перехода.

7.18. Обследование с проверкой отсутствия электрического контакта рабочего трубопровода с защитным кожухом проводится не реже 2 раз в год.

7.19. Перечень работ по подготовке перехода к эксплуатации в осенне-зимних условиях и к весеннему паводку приведен в п.п. 5, 6 табл. 9.


Таблица 9

Работы по эксплуатации и техническому обслуживанию подводных (воздушных) переходов

№ п/п

Объект

Наименование работ

Периодичность выполнения

Ответственный

Форма регистрации

1

2

3

4

5

6

1

Трубопровод

Очистка и промывка ниток ПМН

В соответствии с п. 4.3.8 настоящего Регламента

Гл. инженер РНУ (УМН)

Акт, отметка в Паспорте ПМН (табл. 22)

Внутритрубная диагностика

В соответствии с годовым планом

Гл. инженер ОАО МН

Отметка в Паспорте ПМН (табл. 23) по результатам диагностики

Обследование полное, частичное

С периодичностью в соответствии с разделом 10.3.4 настоящего регламента

Гл. инженер ОАО МН

Отчет, отметка в Паспорте ПМН (табл. 24)

Проверка состояния сигнализаторов прохождения СОД на срабатывание

При прохождении ВИП или ОУ

Начальник ЛЭС

Отметка в «Журнале осмотра ПМН» (приложение 20)

Проверка технического состояния узлов отбора давления в соответствии с эксплуатационной документацией

Ежемесячно

Начальник ЛЭС

Акт, отметка в «Журнале осмотра ПМН» (приложение 20, 22)

2

Камеры пуска-приема средств очистки и диагностики

Внешний осмотр, контроль отсутствия скопления воды внутри обвалованного пространства

Бригада ЛЭС - еженедельно. Обходчик - ежедневно

Начальник ЛЭС

Отметка в «Журнале осмотра ПМН» (прил. 20)

Техническое обслуживание погружного насоса

Ежемесячно

Начальник ЛЭС

Отметка в «Журнале осмотра ПМН» (прил. 20)

Замена уплотняющего элемента концевого затвора (при необходимости), ревизия погружного насоса, подкраска трубопроводных узлов

Ежеквартально, перед пропуском СОД

Начальник ЛЭС

Акт, отметка в «Журнале осмотра ПМН», приложение 20, отметка в Паспорте ПМН, табл. 3

Контроль геодезических отметок оси камер (нивелировка камер) по двум отметкам на корпусе

2 раза в год

Начальник ЛЭС

Акт, отметка в «Журнале осмотра ПМН» (прил. 20, 21)

Датчики отбора давления, манометрические узлы, сигнализаторы прохождения СОД, вантузы

Внешний осмотр, контроль отсутствия механических повреждений, повреждений изоляции, коррозии.

Бригада ЛЭС - еженедельно. Обходчик - ежедневно

Начальник ЛЭС

Отметка в «Журнале осмотра ПМН» (прил. 20)

3

Запорная арматура

Проверка задвижек на герметичность

Ежеквартально

Начальник ЛЭС

Акт, отметка в «Журнале осмотра ПМН» (прил. 20, 19)

Проверка арматуры на полное закрытие и открытие по месту и в режиме ТУ

Ежеквартально

Начальник ЛЭС

Представитель службы ВЛ и ЭХЗ

Акт, отметка в «Журнале осмотра ПМН» (прил. 20, 18)

Осмотр на отсутствие внешних повреждений арматуры и ограждения, утечек нефти. Контроль отсутствия скопления воды внутри обвалованного пространства

Бригада ЛЭС - еженедельно. Обходчик - ежедневно

Начальник ЛЭС

Отметка в «Журнале осмотра ПМН» (прил. 20)

4

Дополнительно, для воздушных переходов

Осмотр трубопровода, береговых и промежуточных опор, металлоконструкций, мачт, тросов, вант - на состояние изоляционных покрытий, поражение коррозией и отсутствие механических повреждений берегоукрепительных сооружений, водоотливных канав, гасителей скорости потока в местах установки береговых опор, мест выхода трубопровода из земли - на отсутствие механических повреждений

Бригада ЛЭС - еженедельно. Обходчик - ежедневно

Начальник ЛЭС

Отметка в «Журнале осмотра ПМН» (прил. 20)

5

Береговая часть ППМН

Осмотр береговых участков ППМН с целью определения:

- размывов берега,

- развития оврага,

- развития оползней,

- наличия провалов и пучения грунта,

- наличия кустарника и растительности по оси нефтепровода

Бригада ЛЭС - 1 раз в квартал и после прохождения паводка с составлением акта. Обходчик - ежедневно

Начальник ЛЭС

Отметка в Журнале осмотра ПМН» (прил. 20), Акт (прил. 23)

Осмотр технического состояния берегоукрепительных сооружений

Бригада ЛЭС - 1 раз в квартал и после прохождения паводка. Обходчик - ежедневно

Начальник ЛЭС

Отметка в журнале осмотра ПМН, Акт (прил. 20, 23)

Очистка от древесной поросли и другой растительности полосы шириной по 3 м от оси МН

Ежегодно, в соответствии с планом

Начальник ЛЭС

Акт на выполненные работы

Проверка наличия и состояния информационных знаков ограждения охранной зоны ППМН на судоходных и сплавных водных путях, указательных знаков оси трубопроводов на береговых участках и знаков закрепления геодезической сети

Бригада ЛЭС - ежеквартально. Обходчик - ежедневно

Начальник ЛЭС

Отметка в «Журнале осмотра ПМН» (прил. 20)

Ремонт или замена столбиков и указателей, покраска и восстановление надписей

Ежегодно

Начальник ЛЭС

Акт на выполненные работы

6

Русловая часть (только для подводных переходов)

В зимний период бурить лунки во льду для контроля наличия нефти подо льдом. Для ППМН с шириной зеркала воды:

- до 500 м в 100-150 м от оси ППМН ниже по течению с шагом 50 м;

- свыше 500 м в 200-250 м от оси ППМН ниже по течению с шагом 70-100 м.

Для ППМН через непроточные водоемы - лунки бурить по оси перехода

Обходчик. Три раза в неделю

Начальник ЛЭС. В случае если имеются участки с ослабленным ледяным покровом (толщина льда менее 10 см), проведение работ в одиночку - запрещается

Отметка в «Журнале осмотра ПМН» (прил. 20)

7

Сооружения для улавливания и сбора нефти (стационарные боковые заграждения)

Технический осмотр с целью выявления размывов береговой части реки и берегоукрепления амбара для сбора и локализации нефти. Состояния креплений береговых и донных якорей, приемного и переливного трубопровода. Очистка амбара от растительности

1 раз в год (после ледохода и паводка) в течении первых 3-х лет эксплуатации, в последующие годы - 1 раз в 2 года

Начальник ЛЭС, начальник УПТР

Акт на выполненные работы

Осмотр состояния сооружения, состояния креплений береговых и донных якорей, приемного и переливного трубопровода, рольганговой переправы, уборка мусора из мусоропропуска (по мере необходимости), исправление незначительных дефектов

Бригада ЛЭС - 1 раз в неделю в период открытого русла. Обходчик - ежедневно

Начальник ЛЭС

Акт на выполненные работы

Отметка в «Журнале осмотра ПМН» (прил. 20)

8

Подготовка переходов к эксплуатации в осенне-зимних условиях

Ревизия запорной арматуры со сменой смазки на зимнюю

Сентябрь

Начальник ЛЭС Представитель службы ВЛ и ЭХЗ

Акт (прил. 18, 19)

Промывка тупиковых участков и КППСОД для удаления воды

Август, октябрь, декабрь, февраль

Начальник ЛЭС

Акт на выполненные работы

Проверка и восстановление защитного обвалования узлов задвижек и КППСОД, указателей и вешек у колодцев и вантузов

Август

Начальник ЛЭС

Акт на выполненные работы

Заливка незамерзающей жидкости в разделительные сосуды и импульсные линии на узлах отбора давления

Август

Начальник ЛЭС

Акт на выполненные работы

Демонтаж аккумуляторных батарей створных знаков и их консервация

После завершения навигации

Начальник ЛЭС

Акт на выполненные работы

Демонтаж стационарных боковых заграждений и перемещение их в безопасное место для предотвращения повреждения их ледоходом

Перед ледоставом

Начальник ЛЭС, начальник УПТР

Акт на выполненные работы

9

Подготовка ППМН и воздушных переходов к эксплуатации в условиях весеннего паводка

Ревизия и ремонт запорной арматуры со сменой зимней смазки на летнюю

Март

Начальник ЛЭС

Представитель службы ВЛ и ЭХЗ

Акт (прил. 18, 19)

Проверка, восстановление и, при необходимости, устройство водоотводов и водопропускных устройств. Очистка водопропускных, водоотводящих и аварийных сооружений от наносов снега и льда Проверка и восстановление защитного обвалования узлов задвижек и КППСОД.

Март

Начальник ЛЭС

Акт на выполненные работы

Проверка и ремонт ледорезов опор воздушных переходов в местах возможных заторов льда

Февраль

Начальник ЛЭС

Акт на выполненные работы

Расконсервация створных знаков и установка аккумуляторных батарей

Перед началом навигации

Начальник ЛЭС

Акт на выполненные работы

Монтаж и разворачивание стационарных боновых заграждений

После окончания весеннего паводка

Начальник ЛЭС

начальник УПТР

Акт на выполненные работы


7.20. Периодичность осмотра переходов МН через водные преграды должностными лицами ОАО МН должна быть не реже, чем:

-      Начальник РНУ (УМН), начальник УПТР - ежегодно.

-      Главный инженер РНУ (УМН) - 2 раза в год.

-      Начальник ОЭ РНУ (УМН), начальник НПС, представитель службы ВЛ и ЭХЗ - ежеквартально.

-      Начальник ЛЭС - ежемесячно.

-      Обходчик - ежедневно.

7.21. Дополнительный (внеочередной) осмотр должен производиться после стихийных бедствий (ураган, землетрясение и т.д.) и техногенных катастроф в районе ПМН.

7.22. Периодичность технического обслуживания запорной арматуры указана в табл. 10.

Таблица 10

Периодичность технического обслуживания запорной арматуры

Наименование арматуры

Периодичность ТО, мес.

по п. 6.20      1

по п. 6.20      2-6

Задвижки стальные:

Ду 50-350 мм

3

6

Ду 350-1220 мм

1

6

Обратные клапаны

3

6

7.23. Типовой объём работ по техническому обслуживанию арматуры.

В объёме ТО производятся следующие работы:

1.     Чистка наружных поверхностей, площадок обслуживания;

2.     Визуальная проверка состояния всех частей, включая электропривод, проверка наличия смазки в редукторе и подшипниках, её замена;

3.     Проверка состояния и крепления клемм электродвигателя, проверка защиты электродвигателя от перегрузок;

4.     Проверка срабатывания конечных выключателей, их ревизия;

5.     Проверка срабатывания муфты предельного момента;

6.     Проверка герметичности фланцевых соединений и сальникового уплотнения и при необходимости обтяжка болтов и гаек.

8. ВНУТРИТРУБНАЯ ДИАГНОСТИКА ПЕРЕХОДОВ МАГИСТРАЛЬНЫХ НЕФТЕПРОВОДОВ ЧЕРЕЗ ВОДНЫЕ ПРЕГРАДЫ И АНАЛИЗ ЕЕ РЕЗУЛЬТАТОВ

8.1. Внутритрубная диагностика вновь построенных переходов и участков в границах перехода после реконструкции и капитального ремонта должна осуществляться в сроки:

-      профилеметрия, - после укладки дюкера и засыпки до ввода ПМН в эксплуатацию;

-      магнитная дефектоскопия MFL, ультразвуковая дефектоскопия WM и CD - не более 3-х лет со дня ввода ПМН в эксплуатацию;

-      при выявлении на ПМН дефектов ПОР должны быть приняты меры в соответствии с п. 8.5 настоящего регламента.

8.2. При составлении годового плана диагностических работ ОАО МН должны предусматривать и направлять заявки в ОАО ЦТД «Диаскан» на первоочередное обследование всеми типами внутритрубных инспекционных приборов (профилеметрия, ультразвуковая дефектоскопия WM, магнитная дефектоскопия MFL, ультразвуковая дефектоскопия CD) резервных ниток переходов магистральных нефтепроводов через водные преграды и участков МН, имеющих переходы через водные преграды в соответствии с «Методикой оценки работоспособности и проведения аттестации эксплуатирующихся магистральных нефтепроводов» введенной в действие приказом № 27 от 20.03.02 г. В исходных данных по участку МН, представляемых ОАО МН в ОАО ЦТД «Диаскан» перед проведением работ по внутритрубной диагностике, должны быть перечислены все имеющиеся на участке переходы МН через водные преграды с соответствующими точками-ориентирами. Для проведения работ по внутритрубной диагностике на границах переходов и границах русловой части должны устанавливаться маркерные пункты, закрепленные знаками на местности и привязанные к пунктам постоянного закрепления переходов (реперам), приложение 17.

8.3. В технических отчетах по результатам внутритрубной диагностики перечень дефектов на переходах подлежащих ремонту (ДПР), в том числе первоочередного ремонта (ПОР), должен быть представлен отдельным разделом.

8.4. При выявлении на переходах дефектов ПОР, главный инженер ОАО МН должен в течение суток после получения технического отчета по результатам внутритрубной диагностики принять меры по выводу дефектного участка из эксплуатации, а при невозможности вывода ППМН из эксплуатации - меры по обеспечению безопасной эксплуатации перехода:

8.4.1. Снижение максимального рабочего давления в нефтепроводе в соответствии с «Отчетом по результатам расчета на прочность труб с дефектами, обнаруженными ВИП», переутверждение технологической карты нефтепровода.

8.4.2. Эксплуатация участка нефтепровода на технологических режимах, обеспечивающих минимальное проходящее давление на переходе через водную преграду.

8.4.3. Пересмотр плана инспекции магистральных нефтепроводов на текущий год, предусматривающий дополнительное внутритрубное обследование дефектного участка различными типами приборов. Пересмотр плана проведения дополнительного дефектоскопического контроля и плана устранения дефектов на текущий год, предусматривающий первоочередной ДДК и устранение дефектов ПОР на переходах через водные преграды.

8.5. Отдел эксплуатации ОАО МН после получения технического отчета по результатам внутритрубной диагностики:

-      в течение суток разрабатывает «Мероприятия по обеспечению безопасной эксплуатации переходов магистральных нефтепроводов через водные преграды, имеющих выявленные по результатам внутритрубной диагностики дефекты первоочередного ремонта, на период до устранения указанных дефектов», которые утверждаются главным инженером ОАО МН и представляются в ОАО «АК «Транснефть»;

-      организует определение в течение 5 дней на местности местоположения дефектов ПОР на переходах через водные преграды;

-      в течение 10 дней формирует «Дополнение к плану ремонта и реконструкции подводных переходов МН» на текущий год, которое подписывается главным инженером ОАО МН и представляется на утверждение в ОАО «АК «Транснефть»;

-      в течение 10 дней разрабатывает «План-график ремонта ППМН с дефектами ПОР», который утверждается главным инженером ОАО МН и представляется в ОАО «АК «Транснефть».

8.6. При обнаружении дефектов ПОР на переходе и невозможности их устранения в 3-х месячный срок с момента получения отчета по результатам внутритрубной диагностики, проводятся работы в следующем порядке:

8.6.1. В течение одного месяца после выявления дефекта ПОР должно быть проведено дополнительное обследование участка по результатам которого уточняются характеристики дефекта. Дефекты, требующие уточнения и дополнительного пропуска ВИП, приведены в табл. 11.

Таблица 11

Дефекты, требующие уточнения и дополнительного пропуска ВИП

№ п/п

Описание дефектов ПОР по РД 153-39.4-067-00 «Методы ремонта дефектных участков действующих магистральных нефтепроводов»

Тип ВИП, которым выявлен дефект

Тип ВИП для дополнительного обследования

1

Дефект геометрии без зафиксированных дополнительных дефектов и примыкания к сварным швам

K, WM

MFL

2

Дефект геометрии, примыкающий к сварному шву

К, WM

CD

3

Дефект геометрии в комбинации с риской, задиром, трещиной, потерей металла

WM

MFL

CD

MFL

WM

MFL

4

Потеря металла (внешняя и внутренняя)

WM

MFL

MFL

WM

5

Риска, царапина, задир

WM

CD

MFL

CD или MFL

WM или MFL

CD или WM

6

Трещина, несплошность плоскостного типа по телу трубы или в сварном шве - поперечная - продольная

MFL

CD

CD

-

7

Расслоение, расслоение в околошовной зоне, расслоение с выходом на поверхность

WM

CD

CD

WM

8

Аномалия, смещение поперечного шва

MFL

CD

CD или WM

MFL или WM

Смещение поперечного шва

WM

CD или MFL

9

Аномалия, несплошность плоскостного типа, смещение продольного (спирального) шва

CD

-

10

Недопустимые конструктивные элементы, соединительные детали, ремонтные конструкции и методы ремонта, временные ремонтные конструкции

WM

MFL

MFL

WM

Срок повторного обследования - 3 месяца

Принятые сокращения:

К - профилемер «Калипер»,

WM - ультразвуковой дефектоскоп «Ультраскан WM»,

MFL - магнитный дефектоскоп MFL,

CD - ультразвуковой дефектоскоп «Ультраскан CD».

8.6.2. По результатам первичного и дополнительного обследований определяется наиболее критичный параметр дефекта (глубина, наличие доп. дефекта, примыкание к шву и т.п.) и, исходя из этого, определяется тип ВИП для проведения дальнейшего мониторинга. Для недопустимых конструктивных элементов и временных методов ремонта мониторинг не проводится.

8.6.3. Срок первого обследования в рамках мониторинга - через 3 месяца после дополнительного обследования. Периодичность проведения дальнейшего мониторинга дефектов устанавливается по результатам предыдущих обследований. Мониторинг проводится до устранения дефекта.

8.7. При обнаружении дефектов ДПР на ППМН проводятся работы в следующем порядке:

8.7.1. В течение недели с момента получения ОАО МН отчета по результатам внутритрубной диагностики сведения о дефектах должны быть внесены в Паспорт ППМН и в «Сведения о наличии и техническом состоянии подводных переходов ОАО МН».

8.7.2. В течение месяца с момента получения ОАО МН отчета по результатам внутритрубной диагностики должны быть внесены изменения в перспективные планы ремонта переходов МН через водные преграды с учетом выявленных дефектов ДПР.

8.8. ОАО МН представляет в ОАО «АК «Транснефть» следующую отчетность о ходе выполнения плана ремонта и реконструкции ППМН, устранению выявленных по результатам ВТД дефектов:

8.8.1. Еженедельный (в четверг до 1400 московского времени) «Отчет о выполнении плана-графика ремонта ППМН с дефектами ПОР».

8.8.2. Ежемесячный (до 03 числа следующего за отчетным месяца) «Отчет о выполнении плана ремонта и реконструкции ППМН».

8.9. Изменение классификации дефектов на ППМН осуществляется:

-      ОАО «АК «Транснефть» при несовпадении параметров дефекта по данным дополнительного дефектоскопического контроля (ДДК), выявлении ОАО МН дефектов ПОР не указанных в отчете по диагностике;

-      ОАО «ЦТД «Диаскан» при проведении повторных диагностических обследований, изменении инструкций ОАО «ЦТД «Диаскан» по интерпретации дефектов.

8.9.1. При несовпадении результатов ДДК с данными диагностического обследования, которое приводит к изменению его классификации, ОАО МН в срок 2 дня с момента проведения первичного ДДК направляет в ОАО ЦТД «Диаскан» запрос о пересмотре классификации дефекта, подписанный главным инженером ОАО МН с приложением акта ДДК. В запросе указывается планируемая дата проведения совместного ДДК дефекта.

8.9.2. Первичный ДДК дефектов, расположенных в русловой части перехода, а также повторный ДДК дефектов расположенных в пойменной части, проводится комиссией в составе представителя ОАО МН и ОАО «ЦТД «Диаскан». ДДК проводится в течение 10 дней со дня обнаружения несоответствия.

На основании результатов проведения совместного ДДК, ОАО МН и ОАО «ЦТД «Диаскан» оформляется комиссионный акт ДДК и заключение об изменении или не изменении классификации дефекта.

ОАО МН в течение 2 дней после проведения совместного обследования дефекта направляет заключение с приложением комиссионного акта ДДК на рассмотрение в ОАО «АК «Транснефть».

ОАО «АК «Транснефть» в течение 5 дней рассматривает представленные материалы и направляет в ОАО МН и ОАО ЦТД «Диаскан» решение по классификации дефекта.

ОАО ЦТД «Диаскан», в течение 2-х дней после получения решения об изменении классификации дефекта, оформляет и направляет в ОАО МН изменение к отчету по диагностике.

8.9.3. При изменении классификации дефектов по данным повторных диагностических обследований, в техническом отчете приводится список этих дефектов с указанием изменений.

Изменение инструкций ОАО «ЦТД «Диаскан» по интерпретации дефектов выполняется на основании тестовых пропусков ВИП на полигоне или при наличии достаточных данных проведения совместных с ОАО МН ДДК дефектов на реальных трубопроводах. Основанием для внесения изменений является отчет по результатам испытаний на полигоне, или отчет по результатам анализа ДДК дефектов, согласованный с ОАО «АК «Транснефть».

Изменение классификации дефектов ранее выпущенных отчетов по результатам изменения инструкций по интерпретации осуществляется путем направления в ОАО МН дополнений к техническим отчетам по диагностике, утверждаемых руководством ОАО ЦТД «Диаскан». Типы ВИП для проведения дополнительного обследования переходов с дефектами ПОР.

9. МЕРОПРИЯТИЯ ПО ОБЕСПЕЧЕНИЮ БЕЗОПАСНОЙ ЭКСПЛУАТАЦИИ ПЕРЕХОДОВ МАГИСТРАЛЬНЫХ НЕФТЕПРОВОДОВ ЧЕРЕЗ ВОДНЫЕ ПРЕГРАДЫ, ИМЕЮЩИХ ВЫЯВЛЕННЫЕ ПО РЕЗУЛЬТАТАМ ВНУТРИТРУБНОЙ ДИАГНОСТИКИ ДЕФЕКТЫ ПЕРВООЧЕРЕДНОГО РЕМОНТА

9.1. Нитки переходов магистральных нефтепроводов через водные преграды, имеющие выявленные по результатам внутритрубной диагностики дефекты первоочередного ремонта, должны быть немедленно выведены из эксплуатации.

9.2. Линейные задвижки на выведенной из эксплуатации нитке перехода должны быть закрыты, обтянуты и обесточены, давление в отключенном участке снижено до статического, должен быть обеспечен контроль отсутствия избыточного давления средствами телемеханики, текущие осмотры и обслуживание должны производиться в полном объеме, как на действующем нефтепроводе.

9.3. При невозможности вывода из эксплуатации перехода МН через водную преграду, имеющего дефекты первоочередного ремонта, должны быть приняты меры по обеспечению его безопасной эксплуатации на период до устранения указанных дефектов.

9.4. Мероприятия по обеспечению безопасной эксплуатации перехода МН через водную преграду, имеющего дефекты первоочередного ремонта, должны включать:

9.4.1. Снижение максимального рабочего давления в нефтепроводе до величины не превышающей указанную в «Отчете по результатам расчета на прочность труб с дефектами, обнаруженными ВИП», переутверждение технологической карты нефтепровода и карты уставок защит.

9.4.2. Пересмотр технологических режимов работы нефтепровода с обеспечением его эксплуатации на технологических режимах, обеспечивающих минимальное проходящее давление на переходе МН через водную преграду.

9.4.3. Пересмотр плана инспекции магистральных нефтепроводов на текущий год, предусматривающий дополнительное внутритрубное обследование дефектного участка различными типами приборов.

9.4.4. Пересмотр плана проведения дополнительного дефектоскопического контроля и плана устранения дефектов на текущий год, предусматривающий первоочередной ДДК, и устранение дефектов ПОР на переходах через водные преграды.

9.4.5. Ремонт дефектов ПОР временными методами ремонта.

10. ТЕХНИЧЕСКИЕ МЕРОПРИЯТИЯ ПО ОБЕСПЕЧЕНИЮ БЕЗОПАСНОЙ ЭКСПЛУАТАЦИИ ОТКЛЮЧЕННЫХ РЕЗЕРВНЫХ НИТОК ПОДВОДНЫХ ПЕРЕХОДОВ

Эксплуатация резервных ниток ППМН ведется в соответствии с разделом 5 настоящего регламента.

Безопасность эксплуатации отключенных резервных ниток обеспечивает комплекс мероприятий:

-      проверка герметичности секущих задвижек резервной нитки;

-      отключение резервных ниток ППМН перекрытием секущих задвижек;

-      снижение давления в отключенной нитке до статического;

-      обеспечение и контроль отсутствия избыточного давления в отключенной нитке, отключенных КППСОД и корпусах закрытых задвижек;

-      периодическая очистка и промывка резервных ниток ППМН.

При выполнении работ по п.п. 10.1-10.3 должна быть обеспечена надежная двухсторонняя связь с диспетчером.

10.1. Технология проверки герметичности секущих задвижек.

Проверка внешней герметичности задвижек включает внешний осмотр с целью выявления утечек нефти через фланцевые и сальниковые уплотнения, а также через дефекты основного материала корпуса.

Герметичность затвора проверяется в соответствии с РД 153-39ТН-008-96 «Руководство по организации эксплуатации и технологии технического обслуживания и ремонта оборудования и сооружений нефтеперекачивающих станций» при перепаде давления на задвижке 1-2 МПа и контроле постоянства давления в отключенном участке трубопровода. Избыточное давление в отсеченной нитке в начале измерения должно быть не ниже 0,1 МПа. Контроль утечки выполняется акусто-эмиссионными течеискателями. Рабочая среда - перекачиваемая нефть. Результаты проверки герметичности задвижек заносятся в Акт (приложение 19).

Негерметичные задвижки на подводных переходах подлежат замене или ремонту.

10.2. Технология отключения резервных ниток ППМН

-      перед отключением резервной нитки провести ее очистку или промывку в соответствии с п.п. 5.4-5.9, 10.5 настоящего Регламента;

-      отключение резервных ниток производится закрытием береговых задвижек на резервной нитке при полностью открытых задвижках на основной нитке;

-      провести проверку герметичности секущих задвижек резервной нитки в соответствии с п. 10.1 настоящего Регламента;

-      снизить давление в отключенной резервной нитке до статического.

10.3. Для безопасной эксплуатации отключенных резервных ниток на подводных переходах нефтепроводов необходимо обеспечить:

-      герметичность секущих задвижек;

-      снижение давления в отключенной резервной нитке до статического, контроль и поддержание статического давления. Давление в отключенных нитках не должно превышать статическое более чем на 0,2 МПа;

-      отсутствие оголений трубопроводов, приводящих к тепловому расширению нефти в отключенном трубопроводе;

-      контроль отсутствия избыточного давления в отключенных КППСОД и корпусах закрытых задвижек;

-      проведение в соответствии с планами периодической очистки или промывки отключенных резервных ниток ППМН.

11. ТРЕБОВАНИЯ К РАЗРАБОТКЕ ПРОЕКТНОЙ ДОКУМЕНТАЦИИ И ВЫПОЛНЕНИЮ РАБОТ ПРИ РЕМОНТЕ ПЕРЕХОДОВ МН ЧЕРЕЗ ВОДНЫЕ ПРЕГРАДЫ

11.1. Настоящие требования распространяются на следующие виды ремонтных работ на ПМН через водные преграды:

-      ремонт с заменой труб;

-      выборочный ремонт изоляции и дефектов;

-      засыпка, подбивка оголенных и провисающих участков трубопровода, доведение до нормативного состояния участков с недостаточной глубиной залегания;

-      берегоукрепительные и дноукрепительные работы.

11.2. Ремонтные работы на подводных переходах должны производиться только на основании разработанного проекта.

11.3. Проектирование должно производиться в соответствии с «Регламентом разработки проектно-сметной документации для строительства, реконструкции, технического перевооружения и капитального ремонта объектов магистральных нефтепроводов системы ОАО «АК «Транснефть».

11.4. Специализированная проектная организация, разрабатывающие проектно-сметную документацию и типовые проекты на ремонт подводных переходов магистральных нефтепроводов, должна иметь лицензию на выполнение этих видов работ.

11.5. Проектно-сметная документация на ремонт подводных переходов должна разрабатываться в соответствии с нормативными документами и действующим законодательством.

11.6. Проектом должно быть предусмотрено проведение обследования после выполнения ремонтных работ: полное - после замены или изменения положения трубы, частичное - после ремонтных работ, не связанных с заменой или изменением положения трубы.

11.7. Проектно-сметная документация и типовые проекты на ремонт подводных переходов подлежит:

-      регистрации в органах Госгортехнадзора РФ;

-      экологической экспертизе и экспертизе на выполнение требований промбезопасности;

-      согласованию с организациями-владельцами коммуникаций и сооружений, охранные зоны которых могут быть нарушены при производстве ремонта и другими заинтересованными организациями.

11.8. Ремонт должен выполняться в соответствии с проектом производства работ разработанным на основании проектно-сметной документации.

11.9. Выполнение ремонта в пойменной части перехода производится на основании типового проекта и, разработанного на его основе, проекта производства работ привязанного к местным условиям.

11.10. Проект производства работ должен разрабатываться специализированной подрядной организацией, выполняющей ремонтные работы, и согласовываться Заказчиком (ОАО МН).

11.11. Подрядная организация, разрабатывающая проект производства работ и выполняющая ремонтные работы на подводных переходах магистральных нефтепроводов должна иметь лицензии на выполнение данных видов работ, укомплектована необходимыми техническими средствами и квалифицированным персоналом.

11.12. Подрядная организация, выполняющая ремонтно-строительные работы на подводном переходе, производит необходимые при выполнении работ обследования. По результатам обследований оформляются акты на выполненные работы, которые прикладываются к исполнительной документации.

11.13. Контроль за соблюдением проектных решений и качеством производства ремонтных работ должен осуществляться в соответствии с «Регламентом авторского и технического надзора за строительством, техническим перевооружением и реконструкцией объектов ОАО МН».

11.14. Заказчик (ОАО МН) должен обеспечить технический надзор за качеством производства ремонтных работ.

11.15. Проектная организация, разработавшая проектно-сметную документацию, должна обеспечить авторский надзор за соблюдением проектных решений при производстве ремонтных работ.

11.16. По окончании производства ремонтных работ Подрядчик должен передать Заказчику (ОАО МН) исполнительную документацию на выполненные работы.

12. ТРЕБОВАНИЯ ПО ОБЕСПЕЧЕНИЮ ОХРАНЫ ОКРУЖАЮЩЕЙ СРЕДЫ ПРИ ЭКСПЛУАТАЦИИ ПЕРЕХОДОВ ЧЕРЕЗ ВОДНЫЕ ПРЕГРАДЫ

12.1. Все работы по эксплуатации, техническому обслуживанию и ремонту подводных переходов магистральных нефтепроводов через водные преграды должны выполняться в соответствии с требованиями природоохранного законодательства Российской Федерации и ее субъектов.

12.2. На переходах МН через водные преграды, как на опасных производственных объектах, должен проводиться производственный экологический контроль в соответствии с разделом X Федерального Закона Российской Федерации «Об охране окружающей природной среды» и «Регламентом проведения производственного экологического контроля в процессе эксплуатации и производства работ в дочерних акционерных обществах ОАО «АК «Транснефть».

12.3. Подрядчики, работающие на переходах МН через водные преграды, должны иметь соответствующие лицензии на выполняемые ими виды работ и соблюдать требования по охране окружающей среды.

12.4. В разделе «Ликвидация аварий и их последствий на подводном переходе» Паспорта перехода МН через водную преграду должны содержаться:

-      оперативный план ликвидации возможных аварий на переходе;

-      выбор мест расстановки средств локализации и сбора нефти при аварии на ПМН;

-      маршруты следования аварийных бригад;

-      расчет объемов нефти, попадающей в реку при аварии на ПМН.

12.5. В ОАО МН и его структурных подразделениях должны быть разработаны и утверждены планы по ликвидации аварийных разливов нефти (ЛАРН) на ПМН. Планы ЛАРН должны быть согласованы с органами исполнительной власти соответствующих субъектов Российской Федерации, местными экологическими организациями исполнительной власти, региональными службами по чрезвычайным ситуациям (РСЧС), территориальными органами Федерального горного и промышленного надзора России.

План по предупреждению и ликвидации аварийных разливов нефти на переходах магистральных нефтепроводов должен содержать разделы:

-      Описание и характеристика объекта и оценка обстановки при возможном максимальном разливе нефти.

-      Мероприятия по предупреждению аварийных разливов нефти, проводимые в повседневной деятельности и при угрозе разлива нефти.

-      Организация действий сил и средств при локализации аварийных разливов нефти.

-      Организация действий сил и средств при ликвидации аварийных разливов нефти.

-      Обеспечение действий органов управления, сил и средств.

-      Мероприятия по временному хранению и утилизации собранной нефти и отработанных расходных материалов.

-      Мероприятия по реабилитации территорий и объектов, загрязненных в результате аварийных разливов нефти.

12.6. Приложения к плану ликвидации аварийного разлива нефти на ПМН должны содержать:

-      Схема управления, связи и оповещения при аварийных разливах нефти.

-      Расчет необходимого и достаточного количества сил и специальных технических средств.

-      Расчет доставки сил и специальных технических средств в район разлива нефти.

-      План взаимодействия привлекаемых сил и средств, включая противопожарные.

-      План-график проведения работ по локализации разливов нефти.

-      План-график проведения работ по ликвидации разливов нефти.

-      Мероприятия по защите населения и объектов от разливов нефти.

-      Схема размещения мест временного хранения и утилизации собранной нефти и отработанных расходных материалов.

-      Обеспеченность работников и населения средствами защиты.

-      Договоры с взаимодействующими организациями, аварийно-спасательными формированиями (службами) на абонентское обслуживание.

-      Географические, навигационно-гидрографические, гидрометеорологические характеристики и особенности района аварийного разлива нефти.

-      Административно-географическое положение магистральных нефтепроводов.

-      Размещение сил и средств ABC ОАО «АК «Транснефть».

-      Взаимодействие сил и средств ABC ОАО «АК «Транснефть».

-      Распределение обязанностей должностных лиц в случае аварии.

-      Перечень технической и организационной документации.

К плану могут прилагаться справочные, расчетные данные (в виде графиков, схем, таблиц) и формализованные документы, которые должны храниться в отдельной папке вместе с планами ЛАРН.

12.7. План по предупреждению и ликвидации аварийных разливов нефти на ПМН, сформированный на основе типового плана, должен содержать следующие сведения:

-      прогнозирование возможных разливов нефти;

-      количество и наименование сил и средств, достаточных для ликвидации чрезвычайных ситуаций, связанных с разливом нефти;

-      соответствие имеющихся на объекте сил и средств задачам ликвидации и сведения о необходимости привлечения сторонних аварийно-спасательных формирований;

-      организация взаимодействия сил и средств;

-      дислокация сил и средств;

-      организация управления, связи и оповещения;

-      порядок обеспечения постоянной готовности сил и средств с указанием организаций, которые несут ответственность за их поддержание в установленной степени готовности;

-      система взаимного обмена информацией между организациями - участниками ликвидации аварийного разлива нефти;

-      первоочередные действия при получении сигнала о чрезвычайной ситуации;

-      географические, навигационно-гидрографические, гидрометеорологические и другие особенности района, которые учитываются при организации и проведении операции по ликвидации аварийного разлива нефти;

-      обеспечение безопасности населения и оказание медицинской помощи;

-      график проведения операций по ликвидации разливов нефти;

-      организация материально-технического, инженерного и финансового обеспечения операций по ликвидации разливов нефти.

12.8. Разработанный и утвержденный план должен находится:

-      у начальника СУПЛАВ, ЦРС, ЛЭС, НПС, ППН, ССН, ЛПДС, директора ПНБ за которыми закреплен конкретный переход;

-      в отделе эксплуатации ОАО МН;

-      у оператора НПС, ЛПДС;

-      у диспетчера РНУ (УМН);

-      у главного инженера РНУ (УМН);

-      в отделе эксплуатации РНУ (УМН);

-      в отделе экологической безопасности.

12.9. Состав технических средств, материалов и оборудования для ликвидации последствий аварий на ПМН назначается в соответствии с РД 153.39.4-143-99 «Табель технического оснащения ОАО «АК «Транснефть» для восстановления трубопровода и ликвидации разлива нефти при аварии на подводных переходах магистральных нефтепроводов».

Приложение 1

ПАСПОРТ
НА ПЕРЕХОД МАГИСТРАЛЬНОГО НЕФТЕПРОВОДА ЧЕРЕЗ ВОДНУЮ ПРЕГРАДУ

_________________________________________________________________________

(наименование нефтепровода)

через ____________________________________________________________________

(наименование водной преграды)

РНУ/УМН ________________________________________________________________

ОАО МН _________________________________________________________________

по состоянию на __________________________________________________________

(дата заполнения)

СВЕДЕНИЯ ОБ ОТВЕТСТВЕННЫХ ЛИЦАХ ПО ВЕДЕНИЮ И ПРОВЕРКЕ ПАСПОРТА ПЕРЕХОДА

Ответственное лицо за составление паспорта __________________________________

______________________________________________________ тел. _______________

Ответственное лицо по текущему ведению паспорта

______________________________________________________ тел. _______________

Сведения о проверке паспорта должностным лицом

______________________________________________________ тел. _______________

РАЗДЕЛ 1

ТЕХНИЧЕСКИЕ И ТЕХНОЛОГИЧЕСКИЕ ХАРАКТЕРИСТИКИ ПЕРЕХОДА

1.1. ОБЩИЕ СВЕДЕНИЯ О ПЕРЕХОДЕ

Нефтепровод _____________________________________________________________

Владелец перехода (УМН/РНУ) _____________________________________________

Проектная организация _____________________________________________________

Строительная организация __________________________________________________

Конструктивный тип ПМН

(траншейный, «труба в трубе», ННБ, МТ) _____________________________________

Количество ниток на переходе _______________________________________________

Год ввода ниток

основная _______________ резервная ________________ резервная _____________

Наружный диаметр труб, в мм

основная _______________ резервная ________________ резервная _____________

Толщина стенки, в мм

основная _______________ резервная ________________ резервная _____________

Завод-изготовитель трубы

основная _______________________________________________________________

резервная ______________________________________________________________

резервная ______________________________________________________________

Марка стали, ТУ или ГОСТ

основная _______________________________________________________________

резервная ______________________________________________________________

резервная ______________________________________________________________

Характеристика трубы-футляра: материал, наружный диаметр, толщина стенки, среда в межтрубном пространстве (для ПМН, выполненных способом МТ или «труба в трубе»):

основная _______________________________________________________________

резервная ______________________________________________________________

резервная ______________________________________________________________

Краткое описание опорных конструкций (для воздушных переходов)

основная _______________________________________________________________

резервная ______________________________________________________________

резервная ______________________________________________________________

Длина ПМН, м

основная _______________________________________________________________

резервная ______________________________________________________________

резервная ______________________________________________________________

Наименование категории участка трубопровода

по СНиП 2.05.06-85* ____________________________________________________

Наличие круглосуточного дежурства на переходе ____________________________

Обходчик и его координаты

1. _____________________________________________________________________

2. _____________________________________________________________________


1.2. ПРОСТРАНСТВЕННЫЕ ХАРАКТЕРИСТИКИ ПОДВОДНЫХ ТРУБОПРОВОДОВ

Таблица 1

№ п/п

Нитка (основная/резервная)

Длина подводной части при уровне воды

Р = 1 %, м

Длина подводной части при уровне воды

Р = 10 %, м

Длина подводной части при меженном уровне воды, м

Общая протяженность от задвижки до задвижки, м

Общая протяженность от задвижки до задвижки, пикетаж

Глубина заложения при меженном уровне воды у правого берега, м

Глубина заложения при меженном уровне воды у левого берега, м

Глубина заложения при меженном уровне воды в русловой части, м

Расстояние между нитками в русле, м

Расстояние между нитками на пойме, м

1

 

 

 

 

 

 

 

 

 

 

 

2

 

 

 

 

 

 

 

 

 

 

 

3

 

 

 

 

 

 

 

 

 

 

 

Примечание. Р - обеспеченность в %.

1.3. ИСПЫТАНИЯ ТРУБОПРОВОДА ПРИ ВВОДЕ ЕГО В ЭКСПЛУАТАЦИЮ

Таблица 2

Нитка (основная/резервная)

№ испытания

Дата испытания

Границы испытательного участка: от ПК, до ПК

Протяженность, м

Величина давления на лев. берегу, кгс/см2

Величина давления на прав. берегу, кгс/см2

Выдержка по времени давления, час

Заключение из журнала дефектоскопии стыков

 

 

 

 

 

 

 

 

 

 

 

 

 

 

 

 

 

 

 

 

 

 

 

 

 

 

 

 

 

 

 

 

 

 

 

 

 

 

 

 

 

 

 

 

 

 

 

 

 

 

 

 

 

 

 

 

 

 

 

 

 

 

 

 

 

 

 

 

 

 

 

 

 

 

 

 

 

 

 

 

 

 

 

 

 

 

 

 

 

 

 

 

 

 

 

 

 

 

 


1.4. ХАРАКТЕРИСТИКА ПЕРЕКАЧИВАЕМЫХ ПО ТРУБОПРОВОДУ НЕФТЕЙ ИЛИ ПРОДУКТОВ

Таблица 3

№ п/п

Наименование характеристики

Величина

1

Пропускная способность, (т/сутки, м/сут.)

 

2

Плотность нефтепродукта, кг/м3

 

3

Динамическая вязкость, Н × С/м2

 

4

Кинематическая вязкость, м2/сек

 

5

Температура застывания, tз, °С

 

6

Температура вспышки, tвсп, °С

 

1.5. СВЕДЕНИЯ ОБ ОБОРУДОВАНИИ ПЕРЕХОДА

Таблица 4

№ п/п

Наименование характеристики

(основная)

(резервная)

(резервная)

1

Наличие запрещающих сигнальных знаков на берегах

 

 

 

2

Наличие световых сигналов в ночное время

 

 

 

3

Сторонние коммуникации в зоне подводного перехода и их принадлежность (между створными сигнальными знаками, расположенными выше и ниже перехода)

 

 

 

4

Наличие камер пуска и приема очистных устройств

 

 

 

5

Возможность пропуска диагностических приборов и ОУ по ниткам

 

 

 

6

Наличие футляра и среда в межтрубном пространстве (для ПМН, выполненных способом МТ или «труба в трубе»)

 

 

 

7

Наличие и координаты береговых маркерных пунктов:

- левый берег

- правый берег

 

 

 

8

Местонахождение пункта наблюдения (блок-поста обходчика)

 

 

 

1.6. КОНТРОЛЬНО-ИЗМЕРИТЕЛЬНЫЕ ПРИБОРЫ И ПУНКТЫ

Таблица 5

№ п/п

Наименование характеристики

Основная

Резервная

Резервная

1

Левый берег

 

 

 

2

Назначение

 

 

 

3

Местонахождение (наименование пикета по магистральному трубопроводу), км

 

 

 

4

Марка, ГОСТ на приборы

 

 

 

5

Правый берег

 

 

 

6

Назначение

 

 

 

7

Местонахождение (наименование пикета по магистральному трубопроводу), км

 

 

 

8

Марка, ГОСТ на приборы

 

 

 

1.7. СВЕДЕНИЯ О ЗАДВИЖКАХ

Таблица 6

Номера задвижек, пикетаж

Серия

Привод

Завод-изготовитель

Телемеханизация

Км по трассе

 

Ду

Ру

 

 

 

 

 

Ду

Ру

 

 

 

 

 

Ду

Ру

 

 

 

 

 

Ду

Ру

 

 

 

 

 

Ду

Ру

 

 

 

 

 

Ду

Ру

 

 

 

 

 

Ду

Ру

 

 

 

 

 

Ду

Ру

 

 

 

 

 

Ду

Ру

 

 

 

 

 

Ду

Ру

 

 

 

 

 

Ду

Ру

 

 

 

 

 

Ду

Ру

 

 

 

 

1.8. КРИВЫЕ ВСТАВКИ НА ПЕРЕХОДЕ ТРУБОПРОВОДА

Левый берег:

основная

Таблица 7

Местоположение ПК

 

 

 

 

 

 

Угол, град./мин.

 

 

 

 

 

 

резервная

Таблица 8

Местоположение ПК

 

 

 

 

 

 

Угол, град./мин.

 

 

 

 

 

 

Правый берег:

основная

Таблица 9

Местоположение ПК

 

 

 

 

 

 

Угол, град./мин.

 

 

 

 

 

 

резервная

Таблица 10

Местоположение ПК

 

 

 

 

 

 

Угол, град./мин.

 

 

 

 

 

 

1.9. БАЛЛАСТИРОВКА ПОДВОДНЫХ ТРУБОПРОВОДОВ

Таблица 11

№ п/п

Наименование характеристики

Основная

Резервная

Резервная

1

Вид

 

 

 

2

Материал

 

 

 

3

Вес одного пригруза, кг

 

 

 

4

Количество, шт.

 

 

 

5

Расстояние между пригрузами, м

 

 

 

6

Общая протяженность трубопровода, на который установлены пригрузы

 

 

 

7

ТУ на пригрузы

 

 

 

1.10. ИЗОЛЯЦИЯ ТРУБОПРОВОДОВ

Таблица 12

№ п/п

Наименование характеристики

Основная

Резервная

Резервная

1

Тип изоляции

 

 

 

2

ГОСТ или ТУ

 

 

 

3

Протяженность участка трубы, покрытой этим типом изоляции

 

 

 

4

Тип изоляции стыков

 

 

 

5

ГОСТ или ТУ

 

 

 

1.11. УСТАНОВКИ ЭХЗ

Таблица 13

№ п/п

Наименование характеристики

Основная

Резервная

Резервная

1

Место установки катодной защиты

 

 

 

2

Тип

 

 

 

3

Протяженность защищенного участка, м

 

 

 

4

Год включения в эксплуатацию

 

 

 

5

Параметры установки

 

 

 

6

Величина защитного потенциала

 

 

 

7

Оценка состояния (удовлетворительное или неудовлетворительное)

 

 

 

8

Примечание:

 

 

 

1.12. ПУНКТЫ И КАБЕЛИ СВЯЗИ В РАЙОНЕ ПЕРЕХОДА

Пункт узла связи и его расстояние от ППМН ________________________________

Кабельная линия связи основная и резервная нитки, по нефтепроводу ______________________________________________. Построена в _____________ г.

Местоположение кабелей связи в русле реки

1. Кабель связи проложен на глубине ___ м на расстоянии ___ м от _______ нитки нефтепровода __________________ по течению

2._____________________________________________________________________

1.13. ДОПОЛНИТЕЛЬНЫЕ ПАРАМЕТРЫ ПЕРЕХОДА, ПОСТРОЕННОГО МЕТОДОМ ННБ

№ п/п

Наименование параметра

Техническая характеристика

 

Буровые работы:

- координаты входа и выхода скважины (проектные и фактические)

 

 

- углы входа и выхода скважины

 

 

- диаметр бурильной колонны

 

 

- тип системы ориентации

 

 

- диаметр обсадной колонны

 

 

- время бурения пилотной скважины (дата начала и окончания)

 

 

- тип и диаметр первого расширителя

 

 

- тип и диаметр второго расширителя

 

 

Протаскивание трубопровода (дата, № акта)

 

 

- способ и время протаскивания

 

 

- максимальное тяговое усилие

 

1.14. ДОПОЛНИТЕЛЬНЫЕ ПАРАМЕТРЫ ПЕРЕХОДА, ПОСТРОЕННОГО МЕТОДОМ МТ

№ п/п

Наименование параметра

Техническая характеристика

 

Буровые работы:

- координаты оси тоннеля (проектные и фактические)

 

 

- углы входа и выхода скважины

 

 

- тип системы ориентации

 

 

- диаметр обсадной колонны

 

 

- время прокладки тоннеля (дата начала и окончания)

 

 

- тип и диаметр щита

 

 

- тип и диаметр труб тоннеля

 

 

Протаскивание трубопровода (дата, № акта)

- способ и время протаскивания

 

 

- максимальное тяговое усилие

 

 

- устройства для защиты изоляции при протаскивании дюкера

 

 

- среда заполнения межтрубного пространства

 

РАЗДЕЛ 2

ГИДРОМОРФОЛОГИЧЕСКАЯ ХАРАКТЕРИСТИКА УЧАСТКА РЕКИ В РАЙОНЕ ПЕРЕХОДА

2.1. МЕТЕОРОЛОГИЧЕСКИЕ УСЛОВИЯ В РАЙОНЕ ПЕРЕХОДА

Климатическая характеристика района подводного перехода магистрального нефтепровода проводится по данным многолетних наблюдений на метеостанции _______________________________________.

Климат района ________ и характеризуется ________ зимой и ____________ летом. Среднегодовая температура воздуха составляет _______ °С. Среднемесячная температура воздуха в градусах приводится ниже в табличной форме (табл. 14). Отрицательные среднемесячные температуры воздуха наступают в ______ и удерживаются до ______ включительно. ______ - первый теплый месяц со средней температурой воздуха выше 0 °С. Самый жаркий месяц - __________, среднемесячная температура ______ °С.

Для характеристики структуры термического режима, в табл. 15 приводятся даты перехода среднесуточных температур через 0; ±5; ±1; ±15 °С и продолжительностью переходов (дней) с температурой выше или ниже указанных пределов.

Как видно из таблицы, весенний подъем температуры происходит ________. Переход среднесуточной температуры воздуха через 0 °С происходит в _____ декаде. Переход среднесуточных температур через 5 и 10 °С происходит во ___________________________________________________________________________.

Продолжительность весеннего периода, со среднесуточной температурой от 0 до 10 °С составляет около _____ дней.

Лето (переход среднесуточной температуры через 15 °С) начинается в ____________ и продолжается около _______ дней.

Период с отрицательными температурами устанавливается в среднем в ______ и удерживается ______________. Продолжительность перехода со среднесуточной температурой ниже 0 °С длится около _____ дней. Абсолютный минимум температуры воздуха (по месяцам) в градусах представлены в табл. 16. Абсолютный максимум температуры воздуха (по месяцам) в градусах представлены в табл. 17.

Годовая амплитуда колебаний температур по району составляет ______ °С. Продолжительность безморозного периода около ______ дней, последние заморозки возможны в _________, а первые - _________.

Среднегодовое количество осадков составляет _____ мм, из них _____ мм в теплое время. Месячная сумма осадков может колебаться от _____ мм до ______ мм.

Устойчивый снежный покров появляется в среднем ______. Ранняя дата появления - __________, поздняя - _________. Мощность снежного покрова на открытых местах в среднем _____ см, а защищенных - _____ см и более. Разрушение устойчивого снежного покрова происходит ______ с колебаниями: _______. Продолжительность периодов со снежным покровом в среднем _____ дня.

За год в районе ________ наблюдаются туманы до ________ дней, за них в холодный период _____ дней, в теплый - ________ дней.

Наибольшая глубина промерзания почвы составляет ________ м на открытых возвышенностях.

Ветры преобладают ________________ направлений. Среднегодовая скорость ветра составляет ________ м/сек. Наибольшая скорость ветра наблюдается в ________ период (________ м/сек.), наименьшая - ________ (________ м/сек).

Таблица 14

Среднесуточная температура воздуха

Месяц

I

II

III

IV

V

VI

VII

VIII

IX

X

XI

XII

Температура

 

 

 

 

 

 

 

 

 

 

 

 

Таблица 15

Средние даты перехода среднесуточных температур

Наименование метеостанции

Выше пределов, °С

Ниже пределов, °С

0

5

10

15

0

-5

-10

 

 

 

 

 

 

 

 

 

 

 

 

 

 

 

 

 

 

 

 

 

 

Таблица 16

Абсолютный минимум температура воздуха (по месяцам) в градусах

Месяц

I

II

III

IV

V

VI

VII

VIII

IX

X

XI

XII

Температура

 

 

 

 

 

 

 

 

 

 

 

 

Таблица 17

Абсолютный максимум температура воздуха (по месяцам) в градусах

Месяц

I

II

III

IV

V

VI

VII

VIII

IX

X

XI

XII

Температура

 

 

 

 

 

 

 

 

 

 

 

 

2.2. ФИЗИКО-ГЕОГРАФИЧЕСКИЕ ХАРАКТЕРИСТИКИ РЕКИ, ПЕРЕСЕКАЕМОЙ ПЕРЕХОДОМ

Текстовое описание физико-географических характеристик реки

Скорости течения при различных уровнях воды, охватывающих всю амплитуду возможных колебаний в период весеннего половодья, летне-осенней и зимней межени, приведены в таблице 18; вычисленные по материалам наблюдений по водомерному посту ______________________, расположенному в _________ км ниже перехода нефтепровода.

Таблица 18

Характеристики

Летние

Зимние

Отметка уровня воды, м

 

 

 

 

 

 

 

Скорости течения, м/сек

 

 

 

 

 

 

 

средние

 

 

 

 

 

 

 

максимальные

 

 

 

 

 

 

 

2.3. ГИДРОЛОГИЧЕСКИЕ СВЕДЕНИЯ ОБ УЧАСТКЕ РЕКИ В РАЙОНЕ ПЕРЕХОДА

Переход нефтепровода _____________________________________________________

через ____________________________________________________________________

находится в _______________________________________________________________

_________________________________________________________________________

Участок перехода располагается _____________________________________________

_________________________________________________________________________

Ближайший водомерный пост _______________________________________________

находится ________________________________________________________________

«Нуль графика» водпоста, м БС ______________________________________________

Местоположение и отметка реперов Государственной сети, находящихся в районе перехода (наносятся на план перехода), нанесены на план.

Наличие судоходства ______________________________________________________

Подводный переход находится от устья реки на км _____________________________

по данным ________________________________________________________________


2.4. ХАРАКТЕРНЫЕ УРОВНИ И РАСХОДЫ ВОДЫ

Река

Водпост

за период наблюдений с ______ по _____ гг. __________

«нуль графика» водпоста, мБС ______________________.

Таблица 19

Наименование

Высший уровень половодья (зимний), см, м БС, дата

Низший уровень, см, м БС, дата

Низший уровень (межень), см, м БС, дата

Наибольший расход (м3/с), дата

Наименьший расход зимний (м3/с), дата

Наименьший расход летний (м3/с), дата

Дата весеннего ледохода (вскрытие)

Дата начала ледостава

Средний

 

 

 

 

 

 

 

 

Высший

 

 

 

 

 

 

 

 

Низший

 

 

 

 

 

 

 

 

Наибольшая толщина льда в районе перехода, см ______________

Наличие заторов, зажоров __________________________________

Наличие растительности на левом и правом берегах ____________


2.5. ОТМЕТКИ ОБЕСПЕЧЕННЫХ УРОВНЕЙ ВОДЫ РЕКИ ПО ДАННОМУ ВОДПОСТУ ИЛИ НА ПОДВОДНОМ ПЕРЕХОДЕ

Река __________________________.

Таблица 20

Процент обеспеченности

1 %

10 %

95 % за год

Уровни в мБС

 

 

 

Источник информации: ______________________________________________________

2.6. СОВМЕЩЕННЫЙ ГРАФИК КОЛЕБАНИЯ УРОВНЯ ВОДЫ ПО ВОДОМЕРНОМУ ПОСТУ

Условные обозначения             1965 г., максимальный

       1970 г., средний

          1962 г., минимальный

2.7. ОПИСАНИЕ ГИДРОТЕХНИЧЕСКИХ СООРУЖЕНИЙ В РАЙОНЕ ПЕРЕХОДА

В районе ПМН ______ через ___________ гидротехнические сооружения _____________________________. Гидрологический режим данной реки определяется

___________________________________________________________________________

___________________________________________________________________________

Отметка нормального подпорного горизонта - ____________ м; отметка форсированного горизонта в половодье, вероятностью превышения 0,1 % - _________ м; предельная высота призмы сработки в нормальных условиях - __________ м, в исключительных условиях по согласовании с __________ - __________ м.

Отметка максимального летнего уровня в створе перехода равна ______________ м.

2.8. ГИДРОМЕТРИЧЕСКИЕ ИЗМЕРЕНИЯ НА РЕКЕ В СТВОРЕ ПЕРЕХОДА

Таблица 21

Время и место замеров

Дата проведения работ

Ширина реки, м

Максимальная глубина, м

Средняя скорость течения, м/с

Расход воды, м3

Уровень воды, м БС

Организация, выполнявшая эти работы

ППМН

Зимняя межень

 

 

 

 

 

 

 

Летняя межень

 

 

 

 

 

 

 

Половодье

 

 

 

 

 

 

 

1. Гидроствор

(основная нитка)

зимняя межень

 

 

 

 

 

 

 

Летняя межень

 

 

 

 

 

 

 

Половодье

 

 

 

 

 

 

 

2. Гидроствор

(резервная нитка)

зимняя межень

 

 

 

 

 

 

 

Летняя межень

 

 

 

 

 

 

 

Половодье

 

 

 

 

 

 

 

Резерв, гидроствор, его местоположение.

Зимняя межень

 

 

 

 

 

 

 

Летняя межень

 

 

 

 

 

 

 

Половодье

 

 

 

 

 

 

 



2.11. РУСЛОВЫЕ ДЕФОРМАЦИИ
(ГИДРОМОРФОЛОГИЧЕСКИЙ АНАЛИЗ РУСЛОВОГО ПРОЦЕССА)

Текстовое описание русловых деформаций (гидроморфологического процесса)

2.12. РЕПЕРЫ И ОТМЕТКИ ИХ ВЫСОТ НА ПЕРЕХОДЕ

Таблица 21а

№ п/п

Вид пункта, номер, тип

Описание пункта, его местоположение

Координаты

Отметка

Кроки

1

 

 

 

 

 

2

 

 

 

 

 

3

 

 

 

 

 

4

 

 

 

 

 

5

 

 

 

 

 

6

 

 

 

 

 

7

 

 

 

 

 

РАЗДЕЛ 3

СВЕДЕНИЯ О РАБОТАХ, ПРОВОДИМЫХ НА ПЕРЕХОДЕ

3.1. ИСПЫТАНИЯ ТРУБОПРОВОДОВ В ПРОЦЕССЕ ЭКСПЛУАТАЦИИ

Таблица 22

Нитка (осн./рез.)

№ испытания

Дата испытания

Границы испытательного участка: от ПК, до ПК

Протяженность, м

Величина давления на лев. берегу, кгс/см2

Величина давления на прав, берегу, кгс/см2

Выдержка по времени давления, час

Заключение из журнала дефектоскопии стыков

 

 

 

 

 

 

 

 

 

 

 

 

 

 

 

 

 

 

 

 

 

 

 

 

 

 

 

3.2.1. ПРОМЫВКА ТРУБОПРОВОДА

Таблица 22а

Нитка (оси./рез.)

Дата и время начала

Время промывки, час

Давление до промывки, кгс/см2

Давление после промывки, кгс/см2

Ответственный за промывку

 

 

 

 

 

 

 

 

 

 

 

 

 

 

 

 

 

 

 

 

 

 

 

 

 

 

 

 

 

 

 

 

 

 

 

 

 

 

 

 

 

 

 

 

 

 

 

 

 

 

 

 

 

 

3.2.2. ОЧИСТКА ТРУБОПРОВОДА

Таблица 22б

Нитка (осн./рез.)

Дата и время

Тип снаряда

Результат очистки

Ответственный за очистку

 

 

 

 

 

 

 

 

 

 

 

 

 

 

 

 

 

 

 

 

 

 

 

 

 

 

 

 

 

 

 

 

 

 

 

 

 

 

 

 

 

 

 

 

 

3.3. ВНУТРИТРУБНАЯ ДИАГНОСТИКА ТРУБОПРОВОДОВ

Таблица 23

Нитка (осн./рез.)

Дата проведения

Наименование снаряда, пропускаемого по трубе

Наименование нитки подводного трубопровода

Результаты диагностики

Примечание

 

 

 

 

 

 

 

 

 

 

 

 

 

 

 

 

 

 

 

 

 

 

 

 

 

 

 

 

 

 

 

 

 

 

 

 

 

 

 

 

 

 

 

 

 

 

 

 

 

 

 

 

 

 

 

 

 

 

 

 

3.4. ТЕХНИЧЕСКОЕ СОСТОЯНИЕ ТРУБОПРОВОДОВ ПО ДАННЫМ ЧАСТИЧНОГО И ПОЛНОГО ОБСЛЕДОВАНИЙ

Таблица 24

Нитка (осн./рез.)

Дата обследования

Класс

Берегоукрепление - надводная часть

Берегоукрепление - подводная часть

Наличие и длина оголенных и провисающих участков

Наименьшая толщина защитного слоя над трубопроводом, м

Нарушение изоляции

Состояние ЭХЗ

 

 

 

 

 

 

 

 

 

 

 

 

 

 

 

 

 

 

 

 

 

 

 

 

 

 

 

 

 

 

 

 

 

 

 

 

 

 

 

 

 

 

 

 

 

 

 

 

 

 

 

 

 

 

 

 

 

 

 

 

 

 

 

 

 

 

 

 

 

 

 

 

3.5. СВЕДЕНИЯ О КАПИТАЛЬНОМ РЕМОНТЕ И ТЕХНИЧЕСКОМ ОБСЛУЖИВАНИИ НА ПЕРЕХОДЕ

Таблица 25

Нитка (осн./рез.)

Дата производства работ

Место производства работ

Наименование выполненных работ и их объемы (руб., м3 и т.д.)

Организация, выполнявшая ремонт или техническое обслуживание

 

 

 

 

 

 

 

 

 

 

 

 

 

 

 

 

 

 

 

 

 

 

 

 

 

 

 

 

 

 

 

 

 

 

 

 

 

 

 

 

 

 

 

 

 

 

 

 

 

 

 

 

 

 

 

 

 

 

 

 

 

 

 

 

 

 

 

 

 

 

 

 

 

 

 

 

 

 

 

 

 

 

 

 

 

 

 

 

 

 

РАЗДЕЛ 4

ЛИКВИДАЦИЯ АВАРИЙ И ИХ ПОСЛЕДСТВИЙ НА ПЕРЕХОДЕ

Образец

УТВЕРЖДАЮ

Главный инженер ОАО МН

«__» _____________ 200_ г.

Оперативный план ликвидации возможных аварий на переходе н/п __________ через ____________________

Таблица 27

Наименование мероприятий

Продолжительность

Ответственные за выполнение

1

2

3

4

1

Получение диспетчером сигнала об аварии (определяется по балансу и (или) по информации, поступающей с датчиков контроля утечек по каналам телемеханики)

«Ч»

 

2

Остановка перекачки нефти по н/п _____________ и н/п _________________ с НПС ___________________

«Ч» + 1 мин.

Диспетчер _________ РНУ

3

Извещение диспетчера ОАО __________ руководства РНУ и ЛПДС, дежурных ЦРС, ЛЭС и других органов согласно схеме оповещения

«Ч» + 10 мин.

Диспетчер _________ РНУ

4

Выезд патрульной группы ЛЭС в район аварии на подводный переход МН через р. ___________

«Ч» + 30 мин.

Начальник ЛЭС _____________

5

Получение информации о характере и масштабах аварии от патрульной группы

«Ч» + 1 час

Начальник ЛПДС _____________

6

Последовательное закрытие магистральных задвижек н/п ________ на НПС ________, на НПС ________, на НПС ________, на НПС _________, на НПС _______ в режиме ТМ. Пуск перекачки нефти по н/п ___________

«Ч» + 1 ч 30 мин.

Диспетчер _________ РНУ

7

Сбор аварийных бригад ЛЭС _________, ЛЭС ___________, ЦРС ____________, ЦРС ____________, _____________

«Ч» + 2 ч

Начальники подразделений

8

Подготовка к транспортировке бонов типа ______________, нефтесборщиков, катера ЛЭС. Подготовка к выезду трубовозов, бульдозеров, экскаваторов и другой спецтехники

«Ч» + 2 ч

Начальники подразделений

9

Прибытие аварийных бригад ЛЭС ______________ на место развертывания боновых заграждений ______ (лев. б. р. ___ - ________ км), (пр. б. р. ______ - _______ км)

«Ч» + 3 ч

Начальники подразделений

10

Прибытие аварийной бригады ЦРС ______ на место аварии (ППМН, _____ км по р. _________) с агрегатами __________

«Ч» + 4 ч 30 мин.

Начальник ЦРС ____________

11

Установка стационарного металлического бона в рабочее положение и развертывание бонов типа ________ на ____ км р. _________ (1-ый рубеж)

«Ч» + 3 ч

Начальник ЛЭС

12

Расстановка нефтесборной и откачивающей техники, разработка котлованов

«Ч» + 6 ч

Начальник ЛЭС

13

Прибытие сервисной группы ________ и аварийной бригады ЦРС _______ на место аварии (ППМН, ____ км по р. _____)

«Ч» + 6 ч

Начальник ЦРС

14

Прибытие аварийной бригады ЛЭС _____________ на место развертывания боновых заграждений в район ______ (левый берег р._________ - ________ км)

«Ч» + 4 ч

Начальник ЛЭС ___________

15

Прибытие агрегата ________ и ассенизационной машины на место расстановки бонов - ________ км по р. _____________

«Ч» + 6 ч

Начальники ЛЭС

16

Начало сбора нефти с поверхности воды нефтесборщиками с последующей закачкой в приготовленные амбары

«Ч» + 4 ч

Начальник ЛЭС

17

Врезка «холодным» способом задвижек Ду 150 на правом берегу р. _______ в н/п ___________ для закачки воды и на левом берегу в н/п ________ и н/п ________ для откачки-закачки вытесняемой нефти

«Ч» + 8 ч

Начальник ЦРС ____________

18

Обвязка первого агрегата ____________ на правом берегу с вантузом Ду 150 в н/п ________________ для закачки воды.

Обвязка второго агрегата _____________ на левом берегу с вантузами Ду 150 в н/п _______ и н/п ________ для откачки-закачки вытесняемой нефти

«Ч» + 8 ч 30 мин.

Начальник ЦРС

19

Закачка воды в переход н/п _________ через вантуз Ду 150 на правом берегу р. _________ и закачка вытесняемой нефти в н/п ________ на левом берегу р. ____________

Объем закачиваемой нефти - V = ________ м3

«Ч» + 13 ч

Начальник ЦРС _____________

20

Пуск перекачки нефти по резервной нитке перехода н/п ___________ через р. ______________

«Ч» + 14 ч

Ст. диспетчер __________ РНУ

Начальник ЦРС                      ______________

Начальник ЦРС                      ______________

Начальник ЛЭС                      ______________

Начальник ЛЭС                      ______________

Главный инженер _________ РНУ ______________

Главный инженер _________ РНУ ______________

Выбор мест расстановки средств локализации и сбора нефти при аварии ПМН __________ через р. __________

Местонахождение подводного перехода по р. _________ - ________ км;

Скорость течения реки по гидроствору - ______ м/сек. (_______ км/ч);

Местонахождение стационарного металлического бона - _________ км;

Место установки каскада боковых заграждений типа _____ - _______ км (1-ый рубеж);

Место расположения 2-го рубежа боковых заграждений типа ______ - _______ км;

Расчетное время установки стационарного металлического бона в рабочее положение и разворачивание бонов типа ______ на 1-ом и 2-ом рубежах - «Ч» + 5 ч;

Расчетное время прибытия нефтяного пятна на ______ км - «Ч» + 6 ч;

Расчетное время прибытия нефтяного пятна на ______ км - «Ч» + 8 ч;

Окончание установки средств локализации нефти предусматривается за ___ час до прибытия нефтяного пятна. С учетом скорости течения реки, а также возможности подъезда к берегу техники принимаем район установки боковых заграждений на ______ км (1-ый рубеж) и на ______ км (2-ой рубеж).

Начальник ЦРС _____________________

Главный инженер _________ РНУ _____

Таблица 28

Маршруты следования аварийно-спасательных бригад

Маршрут

Пункт назначения

Расстояние, км

Время в пути, час

1

ЛЭС ______ - ___________

Место установки бонов

 

 

2

ЛЭС ______ - ___________

Место установки бонов

 

 

3

ЦРС __________________

Место аварии

 

 

4

ЦРС __________________

Место аварии

 

 

5

ЛЭС ______ - ___________

Место установки бонов

 

 

Начальник ЛЭС _____________________

Начальник ЦРС _____________________

Главный инженер _______ РНУ _______

Расчет объемов нефти, попадающей в реку ____________, при аварии на основной нитке нефтепровода ___________

Расчет производится в соответствии с условиями, установленными Постановлением Правительства РФ от 21.08.2000 г. № 613.

При прогнозировании возможных размеров и последствий аварийного разлива нефти необходимо исходить из максимально возможного объема разлившейся нефти и определять объемы:

при порыве - из расчета 25 % максимального объема прокачки в течение 6 часов и объема нефти между запорными задвижками на поврежденном участке трубопровода по формуле:

МнΣ = Мн + Мн.пор.

Масса нефти между задвижками определяется по формуле:

Мн = π × D2 × L × 103 × ρ / (4 × 106).

Масса нефти, вытекающей из отверстия «порыв», определяется по формуле:

Мн.пор. = Гзагр × 6 × 0,25 / (365 × 24);

при проколе - из расчета 2 % максимального объема прокачки в течение 14 дней по формуле:

Мн.прок. = Гзагр × 14 × 0,02 / 365;

где Мн - масса разлившейся нефти, т; Гзагр - максимальный годовой объем прокачки, т в год; D - диаметр трубопровода, мм; L - длина участка между задвижками, км; ρ - плотность нефти  0,85, т/м3.

Таблица 29

Максимально возможный разлив нефти при аварии на ПП

Нитка (осн./рез.)

Максимально возможный разлив нефти при аварии на ПП

При порыве

При проколе

 

 

 

 

 

 

 

 

 

РАЗДЕЛ 5 МОНИТОРИНГ

РАСПОЛОЖЕНИЕ ДЕФЕКТОВ ПОР, ДПР (В РУСЛОВОЙ ЧАСТИ) И СРОКИ ПРОВЕДЕНИЯ РЕМОНТНЫХ РАБОТ И ДДК НА ПМН _______________________ Р. ___________________________ _______ НИТКА

№ особенности

Вид особенности

Дистанция, м

Параметры особенностей (дефектов)

Дата и метод ремонта

Метод ремонта по РД 153-39-030-98

Дата проведения ДДК (размеры дефекта)

Результат ДДК

Наименование

Глубина, мм

Длина, мм

Ширина, мм

Тип ВИП, дата контроля ______________

От береговой задвижки до уреза реки

 

 

 

 

 

 

 

 

 

 

 

 

 

 

 

 

 

 

 

 

 

 

 

 

 

 

 

 

 

 

 

 

 

 

 

 

 

 

 

 

 

 

 

 

Тип ВИП, дата контроля _________________

Русло реки

 

 

 

 

 

 

 

 

 

 

 

 

 

 

 

 

 

 

 

 

 

 

 

 

 

 

 

 

 

 

 

 

 

 

 

 

 

 

 

 

 

 

 

 

Тип ВИП, дата контроля __________________

От уреза реки до береговой задвижки

 

 

 

 

 

 

 

 

 

 

 

 

 

 

 

 

 

 

 

 

 

 

 

 

 

 

 

 

 

 

 

 

 

 

 

 

 

 

 

 

 

 

 

 

УТВЕРЖДАЮ

________________________

Руководитель организации,

______________________ г.

проводившей мониторинг

ЗАКЛЮЧЕНИЕ

О техническом состоянии и сроках дальнейшей эксплуатации ППМН

Объект мониторинга: Подводный переход магистрального нефтепровода (наименование нефтепровода, км. по трассе, название водной преграды, вид нитки)____________. Введен в эксплуатацию в (дата ввода), не переукладывался (переукладывался).

Организация, ведущая мониторинг: _________________________________________

-      лицензия № _____________ Госгортехнадзора РФ от _____ г.;

-      лицензия № __________________ протокол № ___ Федерального лицензионного центра от 23.10.2000 г.;

-      лицензия № ______________________ Министерство природных ресурсов Российской Федерации от ___________ г.

Дата выдачи заключения по результатам мониторинга: «__» __________ г.

Принадлежность объекта проведения мониторинга: (ОАО МН).

Мониторинг технического состояния подводного перехода (название водной преграды) показал:

1. Обследование снарядами внутритрубной инспекции ОАО ЦТД «Диаскан».

-      Вид снаряда и дата проведения инспекции - «___» (дата инспекции).

-      выявлено наличие дефектов ДПР - (__ шт.);

-      из них дефектов ПОР - (___ шт.);

Результаты анализа внутритрубной инспекции:

-      Акты ДДК поступали (не поступали) в ОАО ЦТД «Диаскан».

-      Количество дефектов исключенных из группы ПОР по акту ДДК - (__ шт.).

-      Количество отремонтированных дефектов ПОР - (___ шт.).

-      Количество не отремонтированных дефектов ПОР - (___ шт.).

-      Методы проведенных ремонтов соответствуют (не соответствуют) требованиям НТД.

-      Техническое состояние металла трубы подводного перехода магистрального нефтепровода (название ППМН, км по трассе, вид нитки) на ________ (дата) соответствует (не соответствует) требованиям НТД.

2. Состояние изоляции удовлетворительное (не удовлетворительное).

3. Анализ русловых процессов и планово-высотного положения выполненный по отчетам и данным заказчика, а также на основании инженерных изысканий, проведенных __________________ (дата), выявили:

-      участки ППМН: с минимальной глубиной залегания до верха нефтепровода не обнаружено (обнаружено на следующих пикетах);

-      участков с оголением трубы не обнаружено (обнаружено на следующих пикетах);

-      участков с провисом трубы не обнаружено (обнаружено на следующих пикетах).

4. Анализ статической прочности трубопровода подводного перехода нефтепровода (наименование нефтепровода, км. по трассе, название водной преграды, вид нитки) показал, что с учетом прогноза увеличения глубины наиболее опасного дефекта эксплуатация ППМН допускается при соблюдении давления на участке не более (___) МПа и при исключении условий возникновения гидроудара.

5. Заключение: Учитывая длительность эксплуатации ППМН:

-      по результатам анализа внутритрубной инспекции - ___ лет;

-      по результатам анализа русловых процессов и планово-высотного положения - ____ лет;

-      по прогнозу развития дефекта №____ в дефект ПОР - ___ лет;

гарантийный срок эксплуатации (название ППМН, км. по трассе, вид нитки) устанавливается (срок гарантийной эксплуатации), при условии сохранения заданных режимов эксплуатации и при исключении возникновения гидроудара. Гарантийный срок отсчитывается с момента утверждения настоящего заключения.

Подписи    ______________________

______________________

______________________

______________________

Приложение 2

ПЕРЕЧЕНЬ ИСПОЛНИТЕЛЬНОЙ ДОКУМЕНТАЦИИ НА ПЕРЕХОД ПОСТРОЕННЫЙ МЕТОДОМ ННБ, ЗАКОНЧЕННЫЙ СТРОИТЕЛЬСТВОМ

Исполнительная производственная документация на подводный переход нефтепровода составляется в процессе его строительства строительной и другими заинтересованными организациями в целях подтверждения:

-      факта выполнения работ;

-      требуемого уровня их качества, соответствия проекту и нормативной документации:

-      участия конкретных исполнителей (организаций, подразделений или лиц) в работах на переходе.

Типовая исполнительная документация на строительство подводного перехода формируется на основе СНиП 3.01.04-87 «Приемка в эксплуатацию законченных строительством объектов. Основные положения», СНиП III-42-80* «Магистральные трубопроводы. Правила производства и приемки работ», ВСН 012-88 «Строительство магистральных и промысловых трубопроводов. Контроль качества и приемка работ» и ВСН 010-88 «Строительство магистральных трубопроводов. Подводные переходы».

Состав документации:

1.     Акт на закрепление границ подводно-технических работ.

2.     Акт на геодезическую подготовку строительства подводного перехода.

3.     Разрешение на право производства работ.

4.     Список сварщиков и допускные листы.

5.     Журнал сварки труб. Приложение - Схема сварных стыков.

6.     Заключение по проверке качества сварных соединений физическими и ультразвуковым методами контроля.

7.     Журнал регистрации результатов механических испытаний допускных и контрольных сварных соединений.

8.     Разрешение на право производства предварительного (поэтапного) испытания трубопроводов и участков категории В.

9.     Журнал производства буровых работ при устройстве пилотной скважины и ее расширении.

10.  Ведомость бурения пилотной скважины с приложением координат ее траектории (компьютерной распечатки).

11.  Утвержденная и согласованная «Инструкция по гидроиспытанию и очистке полости трубопровода».

12.  Акт испытания на прочность и проверки на герметичность и удаление испытательной среды после испытания трубопровода.

13.  Разрешение на протаскивание плети в подготовленную скважину.

14.  Акт на протаскивание трубопровода в скважину с приложением продольного профиля и плана уложенного трубопровода.

15.  Акт оценки качества изоляции законченного строительством перехода трубопровода.

16.  Акт приемки подводного перехода, построенного способом ННБ.

17.  Паспорт на переход, построенный способом наклонно-направленного бурения с исполнительным планом и профилем.

18.  Акт приемки-передачи подводного трубопровода в монтаж с общей магистралью.

19.  Акт приемки-передачи подводного перехода строительной организацией Заказчику.

20.  Полный комплект исполнительной проектной документации.

21.  Паспорта и сертификаты на материалы и изделия, либо другие документы, удостоверяющие тип и качество материалов, конструкций и изделий, примененных при строительстве перехода.

22.  Перечень согласований и изменений проекта.

Приложение 3

ПЕРЕЧЕНЬ ИСПОЛНИТЕЛЬНОЙ ДОКУМЕНТАЦИИ НА ПЕРЕХОД ПОСТРОЕННЫЙ МЕТОДОМ МТ, ЗАКОНЧЕННЫЙ СТРОИТЕЛЬСТВОМ

Исполнительная производственная документация на подводный переход нефтепровода составляется в процессе его строительства строительной и другими заинтересованными организациями в целях подтверждения:

-      факта выполнения работ;

-      требуемого уровня их качества, соответствия проекту и нормативной документации;

-      участия конкретных исполнителей (организаций, подразделений или лиц) в работах на переходе.

Типовая исполнительная документация на строительство подводного перехода формируется на основе СНиП 3.01.04-87 «Приемка в эксплуатацию законченных строительством объектов. Основные положения», СНиП III-42-80* «Магистральные трубопроводы. Правила производства и приемки работ», ВСН 012-88 «Строительство магистральных и промысловых трубопроводов. Контроль качества и приемка работ» и ВСН 010-88 «Строительство магистральных трубопроводов. Подводные переходы».

Состав документации:

1.     Акт на закрепление границ подводно-технических работ.

2.     Акт на геодезическую подготовку строительства подводного перехода.

3.     Разрешение на право производства работ.

4.     Список сварщиков и допускные листы.

5.     Журнал сварки труб. Приложение - Схема сварных стыков.

6.     Заключение по проверке качества сварных соединений физическими и ультразвуковым методами контроля.

7.     Журнал регистрации результатов механических испытаний допускных и контрольных сварных соединений.

8.     Разрешение на право производства предварительного (поэтапного) испытания трубопроводов и участков категории В.

9.     Журнал производства проходческих работ при устройстве тоннеля.

10.  Ведомость строительства тоннеля с приложением координат его траектории (компьютерной распечатки).

11.  Утвержденная и согласованная «Инструкция по гидроиспытанию и очистке полости трубопровода».

12.  Акт испытания на прочность и проверки на герметичность и удаление испытательной среды после испытания трубопровода.

13.  Разрешение на протаскивание плети в подготовленный тоннель.

14.  Акт на протаскивание трубопровода в тоннель с приложением продольного профиля и плана уложенного трубопровода.

15.  Акт оценки качества изоляции законченного строительством перехода трубопровода.

16.  Акт приемки подводного перехода, построенного способом МТ.

17.  Паспорт на переход, построенный способом МТ с исполнительным планом и профилем.

18.  Акт приемки-передачи подводного трубопровода в монтаж с общей магистралью.

19.  Акт приемки-передачи подводного перехода строительной организацией Заказчику.

20.  Полный комплект исполнительной проектной документации.

21.  Паспорта и сертификаты на материалы и изделия, либо другие документы, удостоверяющие тип и качество материалов, конструкций и изделий, примененных при строительстве перехода.

22.  Перечень согласований и изменений проекта.

Приложение 4

ПЕРЕЧЕНЬ ИСПОЛНИТЕЛЬНОЙ ДОКУМЕНТАЦИИ НА ПЕРЕХОД, ЗАКОНЧЕННЫЙ СТРОИТЕЛЬСТВОМ

Исполнительная производственная документация на подводный переход нефтепровода составляется в процессе его строительства строительной и другими заинтересованными организациями в целях подтверждения:

-      факта выполнения работ;

-      требуемого уровня их качества, соответствия проекту и нормативной документации;

-      участия конкретных исполнителей (организаций, подразделений или лиц) в работах на переходе.

Типовая исполнительная документация на строительство подводного перехода формируется на основе СНиП 3.01.04-87 «Приемка в эксплуатацию законченных строительством объектов. Основные положения», СНиП III-42-80* «Магистральные трубопроводы. Правила производства и приемки работ», ВСН 012-88 «Строительство магистральных и промысловых трубопроводов. Контроль качества и приемка работ» и ВСН 010-88 «Строительство магистральных трубопроводов. Подводные переходы».

Состав документации:

1.     Акт на закрепление границ подводно-технических работ.

2.     Акт на геодезическую подготовку строительства подводного перехода.

3.     Разрешение на право производства работ.

4.     Список сварщиков и допускные листы.

5.     Журнал сварки труб. Приложение - Схема сварных стыков.

6.     Заключение по проверке качества сварных соединений неразрушающими методами контроля.

7.     Журнал регистрации результатов механических испытаний допускных и контрольных сварных соединений.

8.     Разрешение на право производства предварительного (поэтапного) испытания трубопроводов и участков категории В.

9.     Журнал производства земляных работ.

10.  Акт приемки готовой траншеи. Приложение: Ведомость проектных и фактических отметок дна траншеи по оси нитки.

11.  Утвержденная и согласованная «Инструкция по гидроиспытанию и очистке полости трубопровода».

12.  Акт испытания на прочность и проверки на герметичность и удаление испытательной среды после испытания трубопровода.

13.  Разрешение на укладку трубопровода.

14.  Акт проверки укладки трубопровода с приложением продольного профиля и плана уложенного трубопровода.

15.  Акт оценки качества изоляции законченного строительством перехода трубопровода.

16.  Акт приемки подводного перехода.

17.  Паспорт на переход с исполнительным планом и профилем.

18.  Акт приемки-передачи подводного трубопровода в монтаж с общей магистралью.

19.  Акт приемки-передачи подводного перехода строительной организацией Заказчику.

20.  Полный комплект исполнительной проектной документации.

21.  Паспорта и сертификаты на материалы и изделия, либо другие документы, удостоверяющие тип и качество материалов, конструкций и изделий, примененных при строительстве перехода.

22.  Перечень согласований и изменений проекта.

Приложение 5

Согласовано                                                                         Утверждаю

Руководитель подрядной организации                             Главный инженер ОАО МН

_____________________                                                    ________________________

______________ (_____)                                                    _______________ (________)

(подпись)                      ФИО                                                                      (подпись)                            ФИО

«__» _________ 200_ г.                                                       «__» ___________ 200_ г.

Техническое задание на проведение обследования эксплуатируемого ППМН

_________________________________________________________________________

(наименование нефтепровода, км по трассе, водная преграда)

Разработал:

Начальник ОЭ ОАО МН __________________ (______________________________)

подпись                                                         ФИО

200__ г.

Заказчик _______________________________________________________________

Исполнитель ___________________________________________________________

Объект проведения обследования ППМН

Наименование нефтепровода, км по трассе _________________________________

Наименование водной преграды ___________________________________________

РНУ (УМН) ____________________________________________________________

НПС (ЛПДС) ___________________________________________________________

Требования к выполнению обследования ППМН

1. Срок обследования:

Начало __________________________ окончание ____________________________

(указать число, месяц, год)                                    (указать число, месяц, год)

2. Продолжительность обследования ______________ дней.

3. Категория обследования _______________________

4. Виды работ, выполняемые при обследовании:

№ п/п

Наименование работ

Объем работ

Ед. изм.

Кол-во

1

2

3

4

1

 

 

 

2

 

 

 

3

 

 

 

4

 

 

 

5

 

 

 

6

 

 

 

7

 

 

 

8

 

 

 

9

 

 

 

10

 

 

 

11

 

 

 

12

 

 

 

Требования к оформлению отчета

1. Срок представления отчета «___» __________ 200_ г.

2. Технический отчет должен состоять из текстовой и графической частей (картографические материалы, профили, фотографии) и включать следующую информацию:

-      место расположения ППМН, название водоема, дату проведения и объем выполненных работ по обследованию;

-      наименование организации, выполнившей обследование ППМН, фамилии и должности исполнителей;

-      перечень нормативных документов, на основании которых проводилось обследование ППМН;

-      перечень используемого оборудования и инструмента;

-      Краткую техническую характеристику ППМН, данные о проведенных ремонтных работах, данные о 3-х предыдущих обследованиях;

-      расчет и прогноз планово-высотных деформаций водотока;

-      наличие и размеры оголений и провисов трубопровода;

-      нанесение на профиль результатов последней внутритрубной инспекции (дефектов ДПР, ПОР);

-      список используемых приборов.

3. Заключительная часть технического отчета должна содержать:

-      заключение о гарантийном сроке эксплуатации нефтепровода (Приложение 13);

-      срок следующего обследования согласно Регламенту или обоснование сокращения регламентных сроков;

-      рекомендации по выполнению ремонтных работ.

4. Технический отчет оформить в бумажном и электронном виде, в трех экземплярах, подписать исполнителями и представить руководителю эксплуатирующей организации.

Графическую часть технического отчета (топографический и гидрографический планы, профиль) оформить в соответствии с требованиями СНиП 11-02-96 и СП 11-104-97.

Первичная документация - Акт обследования ППМН.

Окончательный документ - Технический отчет по обследованию ППМН в бумажном и электронном виде с приложениями. Формат текстовых данных - Word (.doc), графических - AutoCAD (.dwg 3-х мерный).

Приложение 6

Согласовано                                                                         Утверждаю

Руководитель подрядной организации                             Главный инженер ОАО МН

_____________________                                                    ________________________

______________ (_____)                                                    _______________ (________)

(подпись)                      ФИО                                                                      (подпись)                            ФИО

«__» _________ 200_ г.                                                       «__» ___________ 200_ г.

Техническое задание на проведение обследования вновь строящихся, ремонтируемых и реконструируемых ППМН

_________________________________________________________________________

(наименование нефтепровода, км по трассе, водная преграда,

_________________________________________________________________________

вид строительства, ремонта, реконструкции)

Разработал:

Начальник ОКС ОАО МН ________________ (______________________________)

подпись                                                     ФИО

200__ г.

Заказчик _______________________________________________________________

Исполнитель ___________________________________________________________

Объект проведения обследования ППМН

Наименование нефтепровода, км по трассе __________________________________

Наименование водной преграды ___________________________________________

РНУ (УМН) ____________________________________________________________

НПС (ЛПДС) ___________________________________________________________

Требования к выполнению обследования ППМН

1. Срок обследования:

Начало __________________________ окончание ____________________________

(указать число, месяц, год)                                    (указать число, месяц, год)

2. Продолжительность обследования __________________________________ дней.

3. Категория обследования: _______________________________________________

4. Виды работ, выполняемые при обследовании ППМН:

При проведении обследования вновь строящихся, реконструируемых и ремонтируемых с переукладкой труб ППМН выполнить частичное обследование. По результатам обследования сделать выводы о состоянии разрабатываемой траншеи, уложенного магистрального нефтепровода в траншею, дна водной преграды после засыпки траншеи. Этапы работ:

-      промеры глубин до начала земляных работ в русле;

-      промеры глубин после окончания разработки траншеи для определения соответствия проектным отметкам;

-      обследование водолазом разработанной траншеи перед укладкой дюкера;

-      промеры глубин после укладки дюкера для определения соответствия проектным отметкам;

-      водолазные работы для обследования состояния футеровки, пригрузов;

-      промеры глубин после засыпки уложенного дюкера для определения соответствия проектным отметкам.

При проведении частичного обследования ремонтируемых ППМН выполнить виды работ, по результатам которых делаются выводы о состоянии ремонта магистрального нефтепровода:

-      промеры глубин перед выполнением ремонтных работ для уточнения объемов предстоящих работ;

-      промеры глубин в процессе выполнения ремонтных работ;

-      промеры глубин по окончании ремонтных работ, для определения соответствия проекту.

Требования к оформлению отчета

Срок представления отчета «____» ________________ 200_ г.

Технический отчет должен состоять из текстовой и графической частей (картографические материалы, профили, фотографии) с включением Актов выполненных работ и должен включать следующую информацию:

-      место расположения ППМН, название водоема, дату проведения и объем выполненных работ по обследованию;

-      наименование организации, выполнившей обследование ППМН, фамилии и должности исполнителей;

-      перечень нормативных документов, на основании которых проводилось обследование ППМН;

-      перечень используемого оборудования и инструмента;

-      краткую техническую характеристику ППМН, данные о проведенных ремонтных работах;

-      наличие и размеры оголений и провисов трубопровода;

-      список используемых приборов.

Заключительная часть технического отчета должна содержать:

-      срок следующего обследования согласно Регламенту или обоснование сокращения регламентных сроков;

-      рекомендации по выполнению ремонтных работ.

Технический отчет оформить в бумажном и электронном виде, в трех экземплярах, подписать исполнителями и представить руководителю эксплуатирующей организации.

Графическую часть технического отчета (топографический и гидрографический планы, профиль) оформить в соответствии с требованиями СНиП 11-02-96 и СП 11-104-97.

Первичную документацию - Акты обследования ППМН представить в 2-х дневный срок после окончания полевых работ.

Окончательный документ - Технический отчет по обследованию ППМН представить в бумажном и электронном виде с приложениями. Формат текстовых данных - Word (.doc), графических - AutoCAD (.dwg 3-х мерный).

Приложение 7

ИСХОДНЫЕ ДАННЫЕ ДЛЯ ПРОВЕДЕНИЯ ОБСЛЕДОВАНИЯ ЭКСПЛУАТИРУЕМОГО ППМН

Наименование нефтепровода, км по трассе _________________________________

Наименование водной преграды ___________________________________________

РНУ (УМН) ____________________________________________________________

НПС (ЛПДС) ___________________________________________________________

Месторасположение перехода _____________________________________________

_______________________________________________________________________

_______________________________________________________________________

_______________________________________________________________________

_______________________________________________________________________

Адрес для дополнительной информации ____________________________________

_______________________________________________________________________

Проект строительства нефтепровода _______________________________________

_______________________________________________________________________

Дата ввода ППМН в эксплуатацию _________________________________________

Дата и методы проведенных ремонтных работ на ППМН ______________________

_______________________________________________________________________

Даты проведения 3-х последних обследований ППМН ________________________

_______________________________________________________________________

Кроки и исходные данные на пункты и репера закрепления ППМН

_______________________________________________________________________

Профиль ППМН по данным 3-х последних обследований _____________________

_______________________________________________________________________

Пикетное начало на ППМН и связь его с пунктами и реперами _________________

_______________________________________________________________________

_______________________________________________________________________

Дата, вид последней внутритрубной инспекции, результаты внутритрубной инспекции, с указанием их пикетажа (сведения о наличии дефектов первоочередного ремонта (ДПР) ____________________________________________________________

_______________________________________________________________________

Дата и результаты измерения защитного потенциала на ППМН или ближайших КИК за последние 3 года.

Начальник ОЭ ОАО МН _________________ (_______________________________)

подпись                                                     ФИО

«____» _______________ 200_ г.

Приложение 8

ИСХОДНЫЕ ДАННЫЕ ДЛЯ ПРОВЕДЕНИЯ ОБСЛЕДОВАНИЯ ВНОВЬ СТРОЯЩЕГОСЯ, РЕМОНТИРУЕМОГО И РЕКОНСТРУИРУЕМОГО ППМН

Наименование нефтепровода, км по трассе _________________________________

Наименование водной преграды ___________________________________________

РНУ (УМН) ____________________________________________________________

НПС (ЛПДС) ___________________________________________________________

Месторасположение перехода _____________________________________________

_______________________________________________________________________

_______________________________________________________________________

Адрес для дополнительной информации ____________________________________

Дата ввода ППМН в эксплуатацию _________________________________________

Дата и методы проведенных ремонтных работ на ППМН ______________________

_______________________________________________________________________

_______________________________________________________________________

Дата проведения последнего обследования ППМН ___________________________

Вид проводимого ремонта ________________________________________________

Проект строительства (ремонта) нефтепровода ______________________________

Кроки и исходные данные на пункты постоянного закрепления ППМН

_______________________________________________________________________

_______________________________________________________________________

Профиль ППМН по данным последнего обследования ________________________

Пикетное начало на ППМН и связь его с пунктами постоянного геодезического закрепления ______________________________________________________________

_______________________________________________________________________

Начальник ОЭ ОАО МН _________________ (_______________________________)

подпись                                                     ФИО

«____» _______________ 200_ г.

Приложение 9

(раздел 5.1 ГОСТ Р 51164-98)

5. ТРЕБОВАНИЯ К ЭЛЕКТРОХИМИЧЕСКОЙ ЗАЩИТЕ

5.1. Все трубопроводы (кроме проложенных надземно) независимо от условий эксплуатации подлежат электрохимической защите.

Электрохимическая защита должна обеспечивать в течение всего срока эксплуатации непрерывную по времени катодную поляризацию трубопровода на всем его протяжении (и на всей его поверхности) таким образом, чтобы значения потенциалов на трубопроводе были (по абсолютной величине) не меньше минимального и не больше максимального значений.

Значения минимального и максимального защитных потенциалов в зависимости от условий прокладки и эксплуатации трубопровода приведены в таблицах 4 и 5.

На всех вновь построенных и реконструируемых трубопроводах должны быть обеспечены только поляризационные потенциалы (потенциалы без омической составляющей). До проведения комплексного обследования (3.9) с последующей реконструкцией допускается контроль защиты потенциала с омической составляющей.

Таблица 4

Минимальные защитные потенциалы

Условия прокладки и эксплуатации трубопровода

Минимальный защитный потенциал относительно насыщенного медно-сульфатного электрода сравнения, В

Поляризациоиный

С омической составляющей

1

2

3

Грунты с удельным электрическим сопротивлением не менее 10 Ом · м или содержанием водорастворимых солей не более 1 г на 1 кг грунта или при температуре транспортируемого продукта не более 293 К (20 °С)

-0,85

-0,90

Грунты с удельным электрическим сопротивлением менее 10 Ом · м или содержанием водорастворимых солей более 1 г на 1 кг грунта или опасном влиянии блуждающих токов промышленной частоты (50 Гц) и постоянных токов, или при возможной микробиологической коррозии, или при температуре транспортируемого продукта более 293 К (20 °С)

-0,95

-1,05

Примечания:

1. Для трубопроводов, температура транспортируемого продукта которых не более 278 К (5 °С), минимальный поляризационный защитный потенциал равен минус 0,80 В относительно насыщенного медно-сульфатного электрода сравнения.

2. Минимальный защитный потенциал с омической составляющей при температуре транспортируемого продукта от 323 К (50 °С) до 343 К (70 °С) - минус 1,10 В; от 343 К (70 °С) до 373 К (100 °С) - минус 1,15 В.

Для грунтов с высоким удельным сопротивлением (более 100 Ом · м) значения минимального потенциала с омической составляющей должны быть определены экспериментально или расчетным путем в соответствии с НД.

Таблица 5

Максимальные защитные потенциалы

Условия прокладки и эксплуатации трубопровода

Минимальный защитный потенциал относительно насыщенного медно-сульфатного электрода сравнения, В

Поляризационный

С омической составляющей

При прокладке трубопровода с температурой транспортируемого продукта выше 333 К (60 °С) в грунтах с удельным электрическим сопротивлением менее 10 Ом · м или при подводной прокладке трубопровода с температурой транспортируемого продукта выше 333 К (60 °С)

-1,10

-1,50

При других условиях прокладки трубопроводов:

 

 

- с битумной изоляцией

1,15

2,50

- с полимерной изоляцией

1,15

3,50

Примечания:

1. Для трубопроводов из упрощенных сталей с пределом прочности 0,6 МПа (6 кгс/см2) и более не допускаются поляризационные потенциалы более отрицательные, чем минус 1,10 В.

2. В фунтах с высоким удельным электрическим сопротивлением (более 100 Ом · м) допускаются более отрицательные потенциалы с омической составляющей, установленные экспериментально или расчётным путём в соответствии с НД.

5.2. Перерыв в действии каждой установки систем электрохимической защиты допускается при проведении регламентных и ремонтных работ не более одного раза в квартал (до 80 часов). При проведении опытных или исследовательских работ допускается отключение электрохимической защиты на суммарный срок не более 10 суток в год.

5.3. Для обсадных колонн скважин, промысловых трубопроводов и кожухов на переходах в грунтах средней и низкой коррозионной агрессивности (ГОСТ 9.602) допускается минимальный поляризационный защитный потенциал более положительный, чем минус 0,85 В (с омической составляющей минус 0,90 В), при условии обеспечения нормативного срока их службы, что должно быть подтверждено технико-экономическим обоснованием в соответствии с НД и заключением специализированной организации.

Для промысловых трубопроводов, имеющих сопротивление изоляции менее 200 Ом · м2 и находящихся в грунтах средней и низкой коррозионной агрессивности, допускается применять в качестве критериев защиты катодное смещение поляризационного потенциала (поляризацию) на 100 мВ или смещение разности потенциалов «труба - земля» (потенциала с омической составляющей) на 300 мВ при технико-экономическом обосновании в соответствии с НД и положительном заключении экспертизы Госгортехнадзора России.

5.4. Электрохимическую защиту трубопроводов от коррозии следует проектировать для трубопровода в целом, с определением на начальный и конечный периоды эксплуатации (не менее 10 лет) следующих параметров:

-      для установок катодной защиты - силы защитного тока и напряжения на выходе катодных станций (преобразователей), а также сопротивления анодных заземлений;

-      для протекторных установок - силы защитного тока и сопротивления протекторов;

-      для установок дренажной защиты - силы тока дренажа и сопротивления дренажной цепи.

5.5. Средства электрохимической защиты трубопроводов, предусмотренные проектом, следует включать в работу в зонах блуждающего тока в течение периода не более месяца после укладки и засыпки участка трубопровода, а в остальных случаях - в течение периода не более 3 месяцев после укладки и засыпки участка трубопровода.

Если проектом предусматриваются более поздние сроки окончания строительства средств электрохимической защиты и ввода их в эксплуатацию, то должна быть запроектирована временная электрохимическая защита согласно требованиям НД со сроками ввода в эксплуатацию, соответствующими указанным в данном пункте.

5.6. Система электрохимической защиты от коррозии всего объекта в целом должна быть построена и включена в работу до сдачи трубопровода в эксплуатацию. Отводы и распределительные системы снабжения газом, водой, нефтью и нефтепродуктами допускается подключать к магистральным трубопроводам при условии, что защитные потенциалы на них в местах подключения должны быть не менее (по абсолютной величине), чем на магистральных трубопроводах.

5.7. Электрохимическую защиту от коррозии вновь строящихся трубопроводов необходимо проектировать с учетом действующей электрохимической защиты эксплуатируемых соседних трубопроводов и будущего перспективного (до 5 лет) строительства подземных металлических сооружений вдоль трассы проектируемого трубопровода.

5.8. При осуществлении электрохимической защиты участка трубопровода, поврежденного коррозией (более 10 % толщины стенки), минимальные защитные потенциалы должны быть на 0,050 В отрицательнее значений, указанных в 5.1.

5.9. Для повышения эффективности электрохимической защиты в зонах повышенной коррозионной опасности (скорость коррозии более 0,3 мм в год, микробиологическая коррозия, коррозионное растрескивание под напряжением) предусматривается проведение дополнительных мероприятий в соответствии с НД.

Приложение 10

МЕТОДИКА ПРОВЕДЕНИЯ МОНИТОРИНГА ТЕХНИЧЕСКОГО СОСТОЯНИЯ И ОПРЕДЕЛЕНИЯ СРОКОВ ДАЛЬНЕЙШЕЙ ЭКСПЛУАТАЦИИ ПОДВОДНЫХ ПЕРЕХОДОВ МАГИСТРАЛЬНЫХ НЕФТЕПРОВОДОВ

Основные положения мониторинга технического состояния подводных переходов магистральных нефтепроводов

Под мониторингом технического состояния подводных переходов, согласно техническому заданию ОАО «АК «Транснефть», понимается анализ результатов внутритрубных инспекций ППМН, планово-высотного положения трубопровода и русловых процессов в зоне ППМН на соответствие технического состояния ППМН требованиям НТД. Оценка степени соответствия технического состояния ППМН требованиям НТД выражается в виде назначения расчетных сроков гарантийной эксплуатации.

К основным положениям анализа результатов внутритрубных инспекций относятся:

-      наличие в русловой и пойменной части перехода отремонтированных и неотремонтированных дефектов ПОР (анализ проводится по результатам внутритрубной инспекции с учетом мер принятых для устранения дефектов);

-      соответствие методов ремонта отремонтированных дефектов ПОР требованиям РД 153-39.4-067.00 «Методика ремонта дефектных участков действующих магистральных нефтепроводов»;

-      обоснованность исключения неотремонтированных дефектов из группы ПОР по результатам сопоставления данных ДДК с данными ОАО «ЦТД «Диаскан», в соответствии с требованиями «Регламента взаимоотношений ОАО «АК «Транснефть», ОАО МН и ОАО «ЦТД «Диаскан»;

-      анализ распределения плотности коррозионных дефектов «потеря металла»;

-      анализ статической прочности участков нефтепровода с дефектами «потеря металла» с учетом прогноза увеличения глубины дефектов;

-      расчет допускаемого давления на ППМН по дефекту «потеря металла» с учетом прогноза увеличения глубины дефекта.

К основным положениям анализа планово-высотного положения и русловых процессов относятся:

-      анализ полноты и достаточности топографических и гидрологических материалов для их оценки в соответствии с требованиями РД 39-30-1060-84, ВСН 163-83 и «Регламента технической эксплуатации подводных переходов магистральных нефтепроводов»;

-      анализ существующего положения трубопровода в русле реки по топографическим и гидрологическим материалам;

-      анализ тенденций и прогноза развития руслового процесса в районе перехода.

Результатом анализа внутритрубных инспекций, планово-высотного положения и русловых процессов является заключение о техническом состоянии ППМН и срок его дальнейшей эксплуатации.

Определение срока гарантийной эксплуатации подводных переходов магистральных нефтепроводов

Срок гарантийной эксплуатации для подводного перехода, наблюдаемого в процессе мониторинга, определяется по анализу:

-      результатов внутритрубной инспекции;

-      русловых процессов и планово-высотного положения трубопровода;

-      прогноза развития дефектов «потеря металла» в дефекты первоочередного ремонта.

Оценка срока гарантийной эксплуатации по анализу внутритрубной инспекции, русловых процессов и планово-высотного положения использует систему группировки факторов влияния на эксплуатацию подводных переходов.

Отдельно по сумме баллов факторов внутритрубной инспекции или русловых процессов и планово-высотного положения трубы назначается срок гарантийной эксплуатации подводного перехода по табл. 1. Максимальное значение срока гарантийной эксплуатации определено из условия наибольшего интервала до очередной внутритрубной инспекции, равного 6 годам (РД 153-39-029-98, «Нормы периодичности обследования магистральных трубопроводов внутритрубными инспекционными снарядами»).

Срок гарантийной эксплуатации ППМН по результатам внутритрубной инспекции отсчитывается с даты проведения последней инспекции. Пересчет срока гарантийной эксплуатации на дату проведения мониторинга осуществляется по формуле:

ТИГЭ = ТТГЭ - Δ Т1пр,                                                 (2.1)

где ТИГЭ - срок гарантийной эксплуатации ППМН с даты проведения мониторинга, лет;

ТТГЭ - срок гарантийной эксплуатации ППМН, принятый по табл. 1;

ΔТ1пр - период времени между последней инспекцией и датой выдачи заключения, лет.

Срок гарантийной эксплуатации ППМН по анализу русловых процессов и планово-высотного положения трубы отсчитывается со дня выдачи заключения.

2.1. Определение срока гарантийной эксплуатации ППМН по анализу результатов внутритрубной инспекции основано на балльной оценке следующих факторов:

1. Плотность дефектов на участке подводного перехода на 1 км длины. Плотность дефектов (Пд) вычисляется по формуле:

Пд = Nд / Lnn,                                                        (2.2)

где Nд - число дефектов по результатам внутритрубной инспекции на подводном переходе, шт.; Lnn - длина подводного перехода, км.

Таблица 1

БВИсум или БПВсум

Срок гарантийной эксплуатации, лет

> 300

1

276-300

1,5

251-275

2

226-250

2,5

201-225

3

176-200

3,5

151-175

4

126-150

4,5

101-125

5

51-100

5,5

0-50

6

2. Минимальная относительная остаточная толщина стенки трубы в районе дефекта. Минимальная относительная толщина стенки трубы отност) определяется по формуле:

δотност = (So / Sminост - 1),                                     (2.3)

где So - толщина стенки трубы в районе дефекта по результатам внутритрубной инспекции, мм;

Sminост - минимальная остаточная толщина стенки трубы в районе дефекта по результатам внутритрубной инспекции, мм.

3. Продолжительность эксплуатации трубопровода

Перечень факторов по анализу внутритрубной инспекции и балльная оценка представлены в табл. 2.

Срок гарантийной эксплуатации определяется по сумме балльных оценок факторов этой группы (табл. 1).

.                                                 (2.4)

Таблица 2

i

Факторы определяемых по анализу результатов внутритрубной инспекции

БВИi

1

Плотность дефектов Пд на участке подводного перехода на 1 км длины

БВИ1 = Пд

2

Минимальная относительная остаточная толщина стенки трубы в районе дефекта δотност

БВИ2 = δотност · 100

3

Продолжительность эксплуатации трубопровода τэкс, лет

БВИ3 = τэкс

Срок гарантийной эксплуатации ППМН, по результатам внутритрубной инспекции, не устанавливается в случае, если:

-      имеются неустраненные дефекты ПОР;

-      не проведена внутритрубная инспекция трубопровода.

При невозможности пропуска инспекционного снаряда рекомендуется проведение гидравлического испытания.

2.2. Определение срока гарантийной эксплуатации ППМН по анализу русловых процессов и планово-высотного положения трубы основано на балльной оценке следующих факторов:

1)     скорость планового смещения русла реки;

2)     амплитуда отметок дна русла реки в пределах макроформы, как разница между максимальной и минимальной отметками дна по тальвегу в пределах макроформы (излучины, участка между смежными перекатами);

3)     высота подвижных микроформ (образований в виде гряд и рифелей, обратимых деформаций дна), влияющих на положение трубопровода, заложенного выше линии предельного размыва;

4)     длина оголения трубопровода;

5)     минимальное заглубление трубопровода.

Перечень факторов по анализу русловых процессов, планово-высотного положения трубы и балльная оценка представлены в табл. 3.

Таблица 3

i

Факторы влияния русловых процессов и планово-высотного положения трубы

БПВi

I

2

3

1

Скорость планового смещения русла реки, Ср, м/год:

 

Ср < 0,5

0

0,5 < Ср < 2

50

Ср > 2

100

2

Амплитуда отметок дна русла реки в пределах макроформы АМ, м:

 

АМ ≤ 1

0

1 < АМ ≤ 2

50

АМ > 2

100

3

Высота подвижных микроформ ВМ, м

 

при обследованиях провисов не наблюдалось

0

ВМ < 0,5

0

0,5 < ВМ ≤ 1,5

50

ВМ > 1,5

100

4

Наличие и суммарная длина участков с глубиной заложения (ЗТ, м) трубопроводов меньше нормативной Σlз, м:

 

ЗТ1

0

ЗТ < 1

БПВ4 = 0,5 · Σlз

5

Длина оголения трубопровода ОТ, м

БПВ5 = 2 · ОТ

6

Длина провиса трубопровода ПТ, м

БПВ6 = 5 · ПТ

Примечания:

1. Если плановое смещение берега в пределах последующих 6 лет не приведет к оголению трубопровода, то БПВ1 = 0.

2. Если глубина заложения трубопровода по всей длине ППМН ниже линии предельного размыва, то БПВ(2-3) = 0.

3. При ширине меженного русла реки в пределах ППМН менее критической длины провиса Б(4-6) = 0.

Срок гарантийной эксплуатации ППМН по анализу русловых процессов и планово-высотного положения трубы, определяется по сумме балльных оценок БПВсум факторов этой группы в соответствии с табл. 1.

.                                                       (2.5)

Срок гарантийной эксплуатации ППМН по анализу русловых процессов и плановоысотного положения не устанавливается в следующих случаях:

-      не проведены обследования русловых процессов в год проведения мониторинга технического состояния ППМН;

-      на ППМН имеется провис трубы длиной более критической.

2.3. Определение срока гарантийной эксплуатации по прогнозу развития дефектов «потеря металла».

Прогноз развития дефектов «потеря металла» в дефект ПОР осуществляется по результатам внутритрубной инспекции. Определяется интенсивность развития глубины дефекта «потеря металла» δd, которая, в связи с меньшей погрешностью, оценивается по прогону ВИС «Ультраскан WM» (РД 153-39-029-98), по формуле 2.6:

,                                                              (2.6)

где d - значение глубины дефекта по результатам прогона снаряда, мм; Δd - погрешность измерения глубины коррозии, равная ±0,5 мм (РД 153-39-029-98); Тэ - длительность эксплуатации трубопровода на момент проведения инспекции.

Рассчитывается допускаемая глубина дефекта, которая определяет развитие дефекта в категорию дефектов ПОР. Допускаемая глубина дефекта [d]д равна меньшему значению допускаемой глубины при расчете по следующим двум критериям:

-      развитие дефекта в ПОР по глубине;

-      развитие дефекта в ПОР по условию статической прочности.

Допускаемая глубина [d]1, по первому критерию развития дефекта «потеря металла» в категорию дефектов ПОР (РД 153-39.4-067.00), равна половине толщины стенки трубы:

[d]1 = 0,5 t,                                                            (2.7)

где t - толщина стенки трубы в районе дефекта по данным внутритрубной инспекции, мм.

Допускаемая глубина дефекта по второму критерию («потеря металла» и переход в категорию дефектов ПОР) определяется из условия статической прочности участка трубопровода с коррозионным дефектом. Условие статической прочности записывается в виде неравенства 2.8 [12]:

σf < 0,95 · σ0,2,                                                          (2.8)

где σ0,2 - предел текучести материала трубы, МПа;

σf - разрушающее кольцевое напряжение, МПа, рассчитываемое по формуле 2.9.

,                                              (2.9)

где σв - временный предел прочности материала трубы при растяжении, МПа; п2 - коэффициент, учитывающий опасность последствия разрушения для труб диаметром 1220 мм, равный 1,0 при относительной длине дефекта  и равный 1,05 при , для труб диаметром, отличным от 1220 мм п2 = 1 при любых значениях относительной длины;

d - глубина дефекта, мм;

L - длина дефекта в осевом направлении трубы, мм;

Ао = L · t - характеристика дефекта, мм2;

t - как в формуле 2.7;

 - коэффициент Фолиаса.

Исходя из условия (2.8), минимальное допускаемое разрушающее кольцевое напряжение [σf] определится по формуле:

[σf] = 0,95 · σ0,2.                                                       (2.10)

Тогда, с учетом формулы 2.9, зависимость, связывающая допускаемое напряжение [σf] с предельным (допускаемым по статической прочности) значением глубины дефекта «потеря металла» [d], будет иметь вид:

,                                           (2.11)

где [d] - допускаемое значение глубины дефекта «потеря металла» по оценке статической прочности, мм.

Из формулы 2.11 определяется допускаемая по условию статической прочности (второй критерий перехода дефекта «потеря металла» в категорию дефектов ПОР) глубина дефекта [d]:

.                                    (2.12)

По интенсивности развития дефекта «потеря металла» δд и допускаемой глубине [d]д рассчитывается длительность эксплуатации ППМН по следующей формуле:

,                                          (2.13)

где Тдэ - длительность эксплуатации ППМН по прогнозу развития дефекта с момента выдачи заключения, лет;

[d]д - допускаемая глубина развития дефекта в мм, равная меньшему из значений вычисленных по формулам 2.7, 2.12;

d - глубина дефекта по данным внутритрубной инспекции, мм;

Δd - погрешность измерения ВИС глубины дефекта, принимаемый знак погрешности указывается в условиях проведения мониторинга по ППМН, мм;

δd - интенсивность развития глубины дефекта «потеря металла» в мм/год, рассчитанная по формуле 2.6;

ΔТпр - период времени между инспекцией и датой выдачи заключения, лет.

2.4. Определение срока гарантийной эксплуатации для ППМН с дефектом «потеря металла» по данным ДДК.

Для подводных переходов с дефектом «потеря металла» разрушающее кольцевое напряжение которого по расчету п. 2.3 достигает критического значения необходимо проведение ДДК. После проведения ДДК интенсивность развития глубины дефекта определяется по уточненным данным ДДК (формула 2.14).

,                                                                      (2.14)

где d - значение глубины дефекта по результатам ДДК, мм; Тэ - длительность эксплуатации трубопровода на момент проведения ДДК, мм.

По интенсивности развития дефекта «потеря металла» δd и допускаемой глубине [d]д рассчитывается срок гарантийной эксплуатации ППМН по формуле 2.13.

Срок гарантийной эксплуатации ППМН по прогнозу развития дефектов «потеря металла» равен минимальному значению Тдэ, по расчету для всех участков трубопровода с дефектами. Алгоритм определения Тдэ представлен на рис. 1. При Тдэ > 6 лет, срок гарантийной эксплуатации Тдэ принимается равным 6 годам (как наибольший интервал до очередной инспекции) в соответствии с РД 153-39.4-067-00.

2.5. Расчет допускаемого давления на ППМН по дефекту «потеря металла» с учетом прогноза увеличения глубины дефекта.

Расчет допустимого давления осуществляется для ППМН с дефектом «потеря металла» с учетом прогноза увеличения глубины дефекта являющимся наиболее опасным из расчета в п. 2.3.

Допустимое давление перекачки для данного участка трубопровода трубы с дефектом рассчитывается по формуле 2.15:

Рd = Кp - Рmax,                                                          (2.15)

где Кp - коэффициент снижения рабочего давления; Рmax - нормативное рабочее давление по СНиП 2.05.06-85*.

,                                                   (2.16)

где σв - предел прочности (временное сопротивление) материала; t - толщина стенки трубы в районе дефекта по данным внутритрубной инспекции, мм; D - диаметр трубы в районе дефекта, мм; m - коэффициент условий работы трубопровода, назначаемый в зависимости от категории нефтепровода (СНиП 2.05.06-85* табл. 1); п - коэффициент надежности по нагрузке, назначаемый в зависимости от характера, вида нагрузки, способа прокладки трубопровода (СНиП 2.05.06-85* табл. 13*); k1 - коэффициент надежности по материалу, назначаемый в зависимости от характеристики трубной стали и технологии изготовления трубы (СНиП 2.05.06-85* табл. 9); k2 - коэффициент надежности по назначению трубопровода (СНиП 2.05.06-85* табл. 11).

Коэффициент снижения рабочего давления рассчитывается по формуле 2.17:

,                                                     (2.17)

где KS = 1 + 0,0025 · Сh · Т - коэффициент старения, учитывающий снижение трещиностойкости трубной стали от времени эксплуатации; Ch = C +  - эквивалент углерода, выраженный в процентах содержания углерода и марганца в стали (С - содержание углерода, %, Мп - содержание марганца, %); Т - время эксплуатации нефтепровода, лет.

Допустимое давление Рmax, рассчитанное для наиболее опасного дефекта, является максимально возможным рабочим давлением для эксплуатации ППМН, при исключении условий возникновения гидроудара.

2.6. Ограничение срока эксплуатации для ППМН с дефектами, устраненными временными методами ремонта.

Для ППМН с отремонтированными дефектами ПОР методами, которые по РД 153-39.4-067-00 считаются временными, срок гарантийной эксплуатации ограничивается в соответствии с табл. 4.

Таблица 4

Рраб.мах / Рпроект, %

Срок эксплуатации с момента установки, лет

Муфта с коническими переходами

Необжимная приварная муфта

Заплата вварная и накладная

100 %

3

6

6

90 %

4

7

7

80 %

5

9

9

70 %

6

12

12

60 %

8

15

15

50 % и менее

12

15

15

Итоговый срок гарантийной эксплуатации ППМН определяется меньшим значением срока гарантийной эксплуатации, назначенным:

-      по данным внутритрубной инспекции;

-      по данным планово-высотного положения трубы и деформации русел;

-      по анализу развития дефектов «потеря металла» в дефекты первоочередного ремонта.

Форма заключения о техническом состоянии и сроке дальнейшей эксплуатации ППМН представлена в приложении 1 (раздел 5) настоящего Регламента.

Алгоритм определение гарантийного срока эксплуатации ППМН по прогнозу развития дефектов «потеря металла»

Приложение 11

АКТЫ НА ВЫПОЛНЕННЫЕ РАБОТЫ ПРИ ОБСЛЕДОВАНИИ ППМН

УТВЕРЖДАЮ

Главный инженер

___________ РНУ (УМН)

____________ (________)

«__» ___________ 200_ г.

Причина обследования ____________________

Плановое, перед или после проведения каких-либо работ

на трассе ________________________________

от ПК _____________ до ПК _______________

Акт
промеров глубин и водолазного обследования в створе ППМН

(до начала работ)

№_____________ от «___» _____________ 200_ г.

Обследование выполнено ________________________________________________

Название организации, выполнившей обследование

Мы, нижеподписавшиеся, руководитель водолазных работ ____________________

_______________________________________________________________________

_______________________________________________________________________

представитель __________________________________________________________

составили настоящий акт в нижеследующем:

В период с _____________________ по ___________________________ были произведены промеры глубин фактических отметок дна реки по оси трубопровода и водолазное обследование ___________________________________________________

_________________________________________________________________________

_________________________________________________________________________

(способ обследования, объем работ)

от ПК ________ до ПК _________, при этом выявлено:

_________________________________________________________________________

(краткое описание результатов обследования)

_________________________________________________________________________

_________________________________________________________________________

_________________________________________________________________________

Ширина реки на момент обследования ________ м.

Во время водолазного обследования температура воды составляла ______ °С, видимость под водой _______ м. Скорость течения ______ м/сек.

Приложение: Ведомость промера глубин проектных и фактических отметок дна реки по оси трубопровода.

Руководитель водолазных работ __________________

Водолаз ______________________________________

Представитель Заказчика _______________________

 

Приложение к Акту №______

Строительство _________________

______________________________

________ на трассе _____________

________ от ПК __________ до ПК

ВЕДОМОСТЬ
промера глубин, проектных и фактических отметок дна реки по оси _____ нитки

Отметки горизонта воды в м

а) в начале промеров __________________________

б) в конце промеров __________________________

Дата промеров _______________________________

п/п

Расстояние между промерными точками

Глубина воды по оси нитки перехода, м

Фактические отметки дна реки, м

Проектные отметки дна реки по чертежу № _____, м

Примечание

1

2

3

4

5

6

 

 

 

 

 

 

 

 

 

 

 

 

 

 

 

 

 

 

Представитель Заказчика _________________________________________________

(ФИО, должность)

Представитель проектной организации _____________________________________

(ФИО, должность)

Руководитель водолазных работ ___________________________________________

(ФИО, должность)

 

УТВЕРЖДАЮ

Главный инженер ____ РНУ (УМН)

_____________________ (________)

«____» __________________ 200_ г.

Причина обследования ____________________

Плановое, перед или после проведения каких-либо работ

на трассе ________________________________

от ПК _____________ до ПК _______________

Акт
промеров глубин и водолазного обследования

(готовой подводной траншеи)

№_____________ от «___» _____________ 200_ г.

Обследование выполнено ________________________________________________

(название организации, выполнившей обследование)

Мы, нижеподписавшиеся, руководитель водолазных работ ____________________

_______________________________________________________________________

_______________________________________________________________________

представитель __________________________________________________________

составили настоящий акт в нижеследующем:

В период с _____________________ по ___________________________ были произведены промеры глубин фактических отметок подводной траншеи и водолазное обследование _____________________________________________________________

_________________________________________________________________________

_________________________________________________________________________

(способ обследования, объем работ)

подводной траншеи от ПК ________ до ПК _________, при этом выявлено:

_________________________________________________________________________

_________________________________________________________________________

(краткое описание результатов обследования)

_________________________________________________________________________

_________________________________________________________________________

_________________________________________________________________________

Во время водолазного обследования температура воды составляла ______ °С, видимость под водой _______ м. Скорость течения ______ м/сек.

Приложение: Ведомость промеров глубин по оси готовой подводной траншеи.

Руководитель водолазных работ __________________

Водолаз ______________________________________

Представитель подрядчика ______________________

Представитель Заказчика _______________________

 

Приложение к Акту №______

Строительство _________________

_______________________________

на трассе ______________________

от ПК __________ до ПК _________

ВЕДОМОСТЬ
промеров глубин по оси готовой подводной траншеи

Дата промеров: начала ________ «___» ________ 200_ г.

окончания ________ «___» ________ 200_ г.

Отметка нуля рейки (сваи) водомерного поста, равная _____ м, привязана нивелированием к отметке постоянного репера, проверена в день производства работ и составляет _____ м.

Отметки горизонта воды

а) в начале промеров ________ «___» ________ 200_ г.

б) в конце промеров _________ «___» ________ 200_ г.

Промеры производились от правого (левого) берега __________________________

_______________________________________________________________________

_______________________________________________________________________

(указать способ)

Первая промерная точка соответствует ПК ______ с абсолютной отметкой.

№ промерных точек

Расстояние между промерными точками

Глубина воды по оси подводной траншеи, м

Отметки дна водоема

Отметки дна траншеи

Примечание

Фактические

Проектные

Фактические

Проектные

1

2

3

 

4

 

5

6

 

 

 

 

 

 

 

 

 

 

 

 

 

 

 

 

При устройстве подводной траншеи разрабатывался грунт___________ категории.

Подводная траншея от ПК ___________ до ПК ____________ разработана _______

_________________________________________________________________________

(указать чем)

и от ПК ________ до ПК __________ разработана ______________________________

_________________________________________________________________________

(указать чем)

Промеры произвел ______________________________________________________

Представитель технического надзора _______________________________________

(ФИО, должность)

Представитель подрядной организации _____________________________________

(ФИО, должность)

Руководитель водолазных работ ___________________________________________

(ФИО, должность)

Представитель Заказчика _________________________________________________

(ФИО, должность)

 

УТВЕРЖДАЮ

Главный инженер ____ РНУ (УМН)

_____________________ (________)

«____» __________________ 200_ г.

Причина обследования ____________________

Плановое, перед или после проведения каких-либо работ

_________________________________________

на трассе ________________________________

от ПК _____________ до ПК _______________

Акт
промеров глубин и водолазного обследования в створе ППМН

(после укладки трубопровода)

№_____________ от «___» _____________ 200_ г.

Обследование выполнено ________________________________________________

_______________________________________________________________________

(название организации, выполнившей обследование)

Мы, нижеподписавшиеся, руководитель водолазных работ ____________________

_______________________________________________________________________

_______________________________________________________________________

представитель __________________________________________________________

составили настоящий акт в нижеследующем:

В период с _____________________ по ___________________________ были произведены промеры глубин фактических отметок и водолазное обследование _________________________________________________________________________

_________________________________________________________________________

(способ обследования, объем работ)

от ПК ________ до ПК _________, при этом выявлено:

_________________________________________________________________________

(краткое описание результатов обследования)

_________________________________________________________________________

_________________________________________________________________________

_________________________________________________________________________

Во время водолазного обследования температура воды составляла ______ °С, видимость под водой _______ м. Скорость течения ______ м/сек.

Приложение: Ведомость отметок заложения трубопроводов.

Руководитель водолазных работ __________________

Водолаз ______________________________________

Представитель подрядной организации ____________

Представитель Заказчика _______________________

(ФИО, должность)

 

Приложение к Акту №______

Строительство _________________

______________________________

на трассе ______________________

от ПК __________ до ПК _________

ВЕДОМОСТЬ
промеров глубин водоема до верха уложенного трубопровода

«__» ____________ 200_ г.

Отметки горизонта воды в м

а) в начале промеров __________________________

б) в конце промеров __________________________

Дата промеров _______________________________

№ п/п

Номера пикетов и промерных точек участка

Расстояние между точками, м

Дюкер

Примечание

Глубина над верхней образующей трубы, м

Фактическая отметка верхней образующей трубы, м

Проектные отметки по верхней образующей трубы, м

1

2

3

4

5

6

7

 

 

 

 

 

 

 

 

 

 

 

 

 

 

 

 

 

 

 

 

 

 

 

 

 

 

 

 

Представитель технического надзора _______________________________________

(ФИО, должность)

Представитель Заказчика _________________________________________________

(ФИО, должность)

Представитель подрядчика _______________________________________________

(ФИО, должность)

 

УТВЕРЖДАЮ

Главный инженер ____ РНУ (УМН)

_____________________ (________)

«____» __________________ 200_ г.

Причина обследования ____________________

Плановое, перед или после проведения каких-либо работ

_________________________________________

на трассе ________________________________

от ПК _____________ до ПК _______________

Акт
водолазного обследования в створе подводного перехода после укладки и замыва трубопровода

№ ________ от «___» _________ 200_ г.

Обследование выполнено ________________________________________________

(название организации, выполнившей обследование)

Мы, нижеподписавшиеся, руководитель водолазных работ ____________________

_______________________________________________________________________

и представитель ________________________________________________________

составили настоящий акт в нижеследующем:

В период с _____________________ по ___________________________ было произведено водолазное обследование обходом ________________________________

нитки подводного перехода _________________________________________________

через ____________________________________________________________________

_________________________________________________________________________

_________________________________________________________________________

(способ обследования, объем работ)

от ПК ________ до ПК _________, при этом выявлено: __________________________

_________________________________________________________________________

_________________________________________________________________________

_________________________________________________________________________

(краткое описание результатов обследования)

Во время водолазного обследования температура воды составляла ______ °С, видимость под водой _______ м. Скорость течения ______ м/сек.

Приложение: Ведомость промеров глубин уложенного замытого трубопровода.

Руководитель водолазных работ __________________

Водолаз ______________________________________

Представитель отдела эксплуатации ______________

Представитель подрядчика _______________________

 

Приложение к Акту №______

Строительство _________________

_______________________________

на трассе ______________________

от ПК __________ до ПК _________

ВЕДОМОСТЬ
промеров глубин водоема _________________
по оси подводного уложенного и замытого трубопровода

Дата промеров: начала ________ «___» ________ 200_ г.

окончания ________ «___» ________ 200_ г.

Отметка нуля рейки (сваи) водомерного поста, равная _____ м, привязана нивелированием к отметке постоянного репера, проверена в день производства работ и составляет _____ м.

Отметки горизонта воды

а) в начале промеров ___________________

б) в конце промеров ____________________

Промеры производились от правого (левого) берега __________________________

_______________________________________________________________________

(указать способ)

Первая промерная точка соответствует ПК ______ с абсолютной отметкой.

№ промерных точек

Расстояние между промерными точками

Глубина воды по оси нитки трубопровода, м

Фактические отметки дна водоема

Проектные отметки дна водоема

Глубина заложения трубопровода

Примечание

1

2

3

4

5

6

7

 

 

 

 

 

 

 

 

 

 

 

 

 

 

Промеры произвел ______________________________________________________

Представитель технического надзора _______________________________________

(ФИО, должность)

Представитель подрядной организации _____________________________________

(ФИО, должность)

Руководитель водолазных работ ___________________________________________

(ФИО, должность)

 

УТВЕРЖДАЮ

Главный инженер ____ РНУ (УМН)

________________________ (ФИО)

«____» __________________ 200_ г.

Акт
обследования подводного перехода магистрального нефтепровода

№____________________ от «___» _________ 200_ г.

Обследование выполнено ________________________________________________

_________________________________________________________________________

(название организации, выполнившей обследование)

Составлен представителями: ______________________________________________

_______________________________________________________________________

_______________________________________________________________________

_______________________________________________________________________

_______________________________________________________________________

В том, что в период с «___» __________ по «___» _________ 200_ г. было выполнено обследование подводного перехода магистрального нефтепровода

_________________________________________________________________________

________________________ (км) ____________________________________________

(наименование нефтепровода)                                   (наименование водной преграды)

Обследование проведено оборудованием, состоящим из:

_________________________________________________________________________

_________________________________________________________________________

_________________________________________________________________________

_________________________________________________________________________

(перечень оборудования)

Обследование выполнено на участке(ах):

От ПК ___________________ до ПК___________________

От ПК ___________________ до ПК___________________

Результаты обследования ППМН:

1. Состояние дна (размывы, просадки, оползни)

_________________________________________________________________________

_________________________________________________________________________

_________________________________________________________________________

(перечислить пикеты и протяженность каждого участка)

2. Ширина реки на момент обследования ___________________________________

3. Максимальная глубина реки на момент обследования ______________________

4. Наличие посторонних предметов в створе подводного перехода

_________________________________________________________________________

_________________________________________________________________________

5. Недостаточное заглубление нефтепровода ___________________________ нитка

На ПК ___________________ ПК __________________________ составляет ____ м

нефтепровода _____________________________________________________ нитка.

На ПК ____________________ ПК _________________________ составляет ____ м.

6. Оголение обнаружено на ПК ______________________ ПК ________________ м.

7. Провис обнаружен на ПК _________________________ ПК _______________ м.

8. Дополнительные сведения

_________________________________________________________________________

_________________________________________________________________________

_________________________________________________________________________

_________________________________________________________________________

Подписи:  __________________

__________________

__________________

__________________

Приложение 12

Требования к оформлению чертежей

Оформление топографического и гидрографического плана выполняется в соответствии с требованиями, действующими в инженерных изысканиях:

СНиП 11-02-96

СП 11-104-97

Условные знаки для топографических планов масштабов 1:500 - 1:5000. - М.: Недра, 1989 г.

На профиле дополнительно указывается:

-      информация о привязке начального пикетного значения;

-      номера репера (пункта закрепления) для привязки уровня воды;

-      места недостаточной толщины защитного слоя, провисов и оголений с указанием размеров и перечислением условных знаков в графе «Примечание» плана и профиля.

Поперечные профили нефтепроводов выполняют для каждого участка их оголения или провиса.

Плановое и высотное положение маркеров для ВИС-диагностики указывается на плане и профиле в соответствии с Актом передачи-приемки.

Продольные профили должны быть ориентированы вдоль хода нефти.

Чертежи по результатам обследования выполняются на листах бумаги в форматах ГОСТ 2.301-68.

При значительной длине топографического плана или профиля допускается их разбивка на стандартные листы.

Приложение 13

Схема расположения геодезических знаков постоянного закрепления



Приложение 15

Схема расположения вантузов на подводном переходе

Схема расположения вантузов для однониточного перехода

Схема расположения вантузов для двухниточного перехода

Вантузы должны располагаться на расстоянии 5-10 м от соответствующих задвижек в пределах узла задвижек.

Приложение 16

Опознавательно-предупредительные знаки, щиты-указатели для обозначения нефтепровода на местности

Цвета:

-      Внешняя рамка - черный;

-      Основные предупредительные и запретительные надписи - красный;

-      Фирменный знак «Транснефть», внутренняя рамка, информационные надписи - темно-синий;

-      Фон - белый.

Щит-указатель опасной зоны

Щит-указатель камеры пуска средств очистки и диагностики

Щит-указатель манометра

Щит-указатель границ охранной зоны

Цвет стрелок-указателей границ охранной зоны - черный.

Щит-указатель подводного перехода

Щит-указатель вантуза

Предупредительный знак

Щит-указатель километража по трассе

Щит-указатель камеры приёма СОД

Щит-указатель сигнализатора

Щит-указатель задвижки

Предупреждающий знак «Якоря не бросать» по ГОСТ 26600-98

Размер знака - квадрат со стороной 1500-3000 мм в зависимости от дальности действия.

Цвет перечеркнутого круга - красный, якорь - черный, фон - белый.

Щиты-указатели вывешиваются на ограждении объекта со стороны подъездной дороги. Если объект не имеет ограждения (вантуз), то щит вывешивается на стойке. Высота верхней кромки щита над землей 1,8 м. Стойку окрашивать в серый или металлический цвет, подземную часть стойки грунтовать битумом. Допускается нанесение на стойку поперечных полос черного цвета шириной 250-350 мм с таким же расстоянием между полосами.

На ограждении объектов между щитами-указателями «Огнеопасно! Высокое давление!» и «Охранная зона нефтепровода» размещать знак № 2.1 по ГОСТ 12.4.026-76 Цвета сигнальные и знаки безопасности («Огнеопасно! Легковоспламеняющиеся вещества» - равносторонний треугольник с черной окантовкой, желтым полем и стилизованным изображением 3-х языков пламени черного цвета).

Расстояние между щитами и знаком - по 1 м, ось щита-указателя «Охранная зона нефтепровода» должна располагаться в вертикальной плоскости, проходящей через ось нефтепровода.

Так должен размечаться километраж по трассе (для чтения при вертолетном патрулировании)

Приложение 17

Требования к маркерным пунктам на ПМН

Для обеспечения работ по выборочному ремонту ПМН на оси его трассы должны быть заложены не менее двух маркеров, расположенных на обоих берегах водной преграды выше дюкерного участка, т.е. на пойме. Маркеры должны быть привязаны к реперам геоосновы линейными промерами и в системе геодезических координат ПМН.

Координаты и отметки верха трубы в месте установки маркеров, а также чертежи их расположения передаются заказчику организацией, производящей внутритрубную инспекцию с материалами ВИС-обследования по Акту передачи-приемки с согласующей подписью представителя отдела эксплуатации ОАО МН. Отдел эксплуатации ОАО МН должен иметь копию чертежа привязок маркеров.

Чертеж расположения маркеров

Приложение 18

АКТ
проверки задвижек ПМН ______________________________

МН, км по трассе, водная преграда

на полное закрытие-открытие

ЛПДС (НПС)______________                       __________________

дата составления акта

Мы, нижеподписавшиеся (должность, ФИО)

1. _______________________________________________________________________

2. _______________________________________________________________________

3. _______________________________________________________________________

Составили настоящий Акт в том, что «___» __________ 200_ г. произведена проверка на полное открытие-закрытие задвижки №_______ Ду____________ Ру____________ на ПМН _____________________________________________________

___________________________________________________________________________

(МН, км по трассе, водная преграда)

Количество прогонов штока задвижки _______________________________________

Результаты проверки:

Проверяемый параметр

Паспортные данные

Фактически

Ход штока, мм

 

 

Время полного открытия, мин

 

 

Время полного закрытия, мин

 

 

Момент срабатывания моментного выключателя, Н · м

 

 

Выполнены работы по регулировке _________________________________________

Задвижка №__________ признана ____________ к эксплуатации.

Подписи

1. _________________________                       (________________)

подпись                                                            (ФИО)

2. _________________________                       (________________)

подпись                                                            (ФИО)

3. _________________________                       (________________)

подпись                                                            (ФИО)

Приложение 19

УТВЕРЖДАЮ

Главный инженер РНУ

____________________

«___» _________ 200_ г.

АКТ
проверки задвижки перехода МН ____________________________________

(МН, км по трассе, водная преграда)

на герметичность

НПС (ЛПДС) ___________________                                      «___» _____________ 200_ г.

(дата составления акта)

Мы, нижеподписавшиеся (должность, ФИО)

1. _______________________________________________________________________

2. _______________________________________________________________________

3. _______________________________________________________________________

Составили настоящий Акт в том, что «___» __________ 200_ г. произведена проверка на герметичность задвижки №_______ Ду ____________ Ру ____________ на переходе МН _______________________________________________________________

___________________________________________________________________________

(МН, км по трассе, водная преграда)

Параметры проверки задвижки № ___________________________________________

1. Давление до задвижки, МПа ______________________________________________

2. Давление после задвижки, МПа ___________________________________________

3. Перепад давления на задвижке, МПа _______________________________________

4. Время выдержки, час/мин ________________________________________________

5. Величина и время изменения давления в отсеченном участке: ________ МПа за время ________ ч.

6. Класс точности приборов измерения давления ______________________________

7. Замеры акустических шумов задвижки проводились __________________________

___________________________________________________________________________

(прибор, метод)

Заключение:

Задвижка №______________________ признана герметичной, так как изменения

(заполняется при герметичной задвижке)

давления в отсеченном участке в течение _________ часов не произошло, шум протечки нефти через задвижку не зафиксирован.

Задвижка №______________________ признана негерметичной, так как произошло

(заполняется при негерметичной задвижке)

увеличение/уменьшение давления в отсеченном участке на ______ МПа за _____ часов,

(нужное подчеркнуть)

шум протечки нефти через задвижку отсутствует/имеется.

(нужное подчеркнуть)

Подписи

1. Начальник НПС (ЛПДС)                                    _________________                                                    _________________  (____________)

(название НПС)                    подпись                        ФИО

2. Начальник ЛЭС                                                   _________________                                                                                        (____________)

подпись                        ФИО

3. Мастер ЛЭС                                                         _________________                                                                                        (____________)

подпись                        ФИО

Приложение 20

ЖУРНАЛ ОСМОТРА подводного (воздушного) перехода

№ п/п

Дата

Вид осмотра

Км ПК

Выявленные нарушения

Кто обнаружил

Мероприятия по устранению нарушения

Дата устранения

Ответственный за устранение

Примечание

 

 

 

 

 

 

 

 

 

 

 

 

 

 

 

 

 

 

 

 

 

 

 

 

 

 

 

 

 

 

 

 

 

 

 

 

 

 

 

 

 

 

 

 

 

 

 

 

 

 

 

 

 

 

 

 

 

 

 

 

 

 

 

 

 

 

 

 

 

 

 

 

 

 

 

 

 

 

 

 

 

 

 

 

 

 

 

 

 

 

Приложение 21

АКТ
Проведения контроля геодезических отметок и нивелировки оси камеры пуска приема средств очистки и диагностики

ЛПДС (НПС) ___________________                                    _________________________

(дата составления акта)

Мы, нижеподписавшиеся (должность, ФИО)

1. _______________________________________________________________________

2. _______________________________________________________________________

3. _______________________________________________________________________

Составили настоящий Акт в том, что «___» __________ 200_ г. произведены контроль геодезических отметок/нивелировка оси камеры №_______________ подводного перехода магистрального нефтепровода _____________________________ _____ км по трассе _______________________________________________________ через _________________________________________________________________ нитка

(наименование водной преграды)

Результаты контроля:

1. _______________________________________________________________________

2. _______________________________________________________________________

3. _______________________________________________________________________

4. _______________________________________________________________________

5. _______________________________________________________________________

6. _______________________________________________________________________

Подписи

1. _________________________                       (________________)

подпись                                                            (ФИО)

2. _________________________                       (________________)

подпись                                                            (ФИО)

3. _________________________                       (________________)

подпись                                                            (ФИО)

Приложение 22

АКТ
проверки технического состояния узлов отбора давления

ЛПДС (НПС) ___________________                                      _________________________

(дата составления акта)

Мы, нижеподписавшиеся (должность, ФИО)

1. _______________________________________________________________________

2. _______________________________________________________________________

3. _______________________________________________________________________

Составили настоящий Акт в том, что «___» __________ 200_ г. произведена проверка технического состояния узлов отбора давления №№ _____________________ подводного перехода магистрального нефтепровода ______________________________ _____км по трассе _______________________________________________________ через _________________________________________________________________ нитка

(наименование водной преграды)

Результаты контроля:

1. _______________________________________________________________________

2. _______________________________________________________________________

3. _______________________________________________________________________

4. _______________________________________________________________________

5. _______________________________________________________________________

6. _______________________________________________________________________

Подписи

1. _________________________                       (________________)

подпись                                                            (ФИО)

2. _________________________                       (________________)

подпись                                                            (ФИО)

3. _________________________                       (________________)

подпись                                                            (ФИО)

Приложение 23

АКТ
осмотра береговой части подводного перехода

ЛПДС (НПС) ___________________                                      _________________________

(дата составления акта)

Мы, нижеподписавшиеся (должность, ФИО)

1. _______________________________________________________________________

2. _______________________________________________________________________

3. _______________________________________________________________________

Составили настоящий Акт в том, что «___» __________ 200_ г. произведен осмотр береговой части подводного перехода магистрального нефтепровода _______________________________________________________________________ км по трассе _______________________________________________________ через ______________________________________________________________________ нитка

(наименование водной преграды)

Результаты осмотра:

1. Наличие и местоположение утечек нефти __________________________________

2. Наличие развивающихся оврагов, оползней ________________________________

3. Наличие и состояние реперов, информационных знаков, знаков ограждения охранной зоны ______________________________________________________________

___________________________________________________________________________

4. Состояние береговой линии и берегоукрепительных сооружений

___________________________________________________________________________

5. Наличие кустарника и растительности по оси нефтепровода __________________

___________________________________________________________________________

6. Недозаглубленные участки _______________________________________________

___________________________________________________________________________

7. Дополнительно _________________________________________________________

Подписи

1. _________________________                       _________________ (ФИО)

2. _________________________                       (________________)

3. _________________________                       (________________)

Приложение 24

Схема обвалования КППСОД:

1 - земляной вал; 2 - пандус для подъезда автотранспортной техники; 3 - КППСОД; 4 - трубопровод для спуска воды; 5 - приямок; 6 - колодец с датчиком уровня; 7 - дренажная задвижка

Схема обвалования задвижки:

1 - земляной вал; 2 - приямок; 3 - дренажная задвижка

СОДЕРЖАНИЕ

1. Общие положения. 2

2. Организация контроля качества труб и сварных швов при строительстве и приемке в эксплуатацию переходов МН через водные преграды.. 3

3. Паспортная и эксплуатационная документация переходов через водные преграды.. 6

4. Обследование подводных и воздушных переходов. 7

5. Режимы работы переходов МН через водные преграды.. 21

6. Требования к оборудованию ПМН.. 22

7. Техническое обслуживание переходов МН через водные преграды.. 24

8. Внутритрубная диагностика переходов магистральных нефтепроводов через водные преграды и анализ ее результатов. 31

9. Мероприятия по обеспечению безопасной эксплуатации переходов магистральных нефтепроводов через водные преграды, имеющих выявленные по результатам внутритрубной диагностики дефекты первоочередного ремонта. 34

10. Технические мероприятия по обеспечению безопасной эксплуатации отключенных резервных ниток подводных переходов. 35

11. Требования к разработке проектной документации и выполнению работ при ремонте переходов МН через водные преграды.. 35

12. Требования по обеспечению охраны окружающей среды при эксплуатации переходов через водные преграды.. 36

Приложение 1. Паспорт на переход магистрального нефтепровода через водную преграду. 39

Приложение 2. Перечень исполнительной документации на переход построенный методом ННБ, законченный строительством.. 56

Приложение 3. Перечень исполнительной документации на переход построенный методом МТ, законченный строительством.. 57

Приложение 4. Перечень исполнительной документации на переход, законченный строительством.. 58

Приложение 5. Техническое задание на проведение обследования эксплуатируемого ППМН.. 59

Приложение 6. Техническое задание на проведение обследования вновь строящихся, ремонтируемых и реконструируемых ППМН.. 60

Приложение 7. Исходные данные для проведения обследования эксплуатируемого ППМН.. 62

Приложение 8. Исходные данные для проведения обследования вновь строящегося, ремонтируемого и реконструируемого ППМН.. 62

Приложение 9. Требования к электрохимической защите. 63

Приложение 10. Методика проведения мониторинга технического состояния и определения сроков дальнейшей эксплуатации подводных переходов магистральных нефтепроводов. 65

Приложение 11. Акты на выполненные работы при обследовании ППМН.. 71

Приложение 12. Требования к оформлению чертежей. 76

Приложение 13. Схема расположения геодезических знаков постоянного закрепления. 76

Приложение 14. Образец оформления плана поля поверхностных скоростей потока. 77

Приложение 15. Схема расположения вантузов на подводном переходе. 78

Приложение 16. Опознавательно-предупредительные знаки, щиты-указатели для обозначения нефтепровода на местности. 78

Приложение 17. Требования к маркерным пунктам на ПМН.. 82

Приложение 18. Акт проверки задвижек ПМН на полное закрытие-открытие. 83

Приложение 19. Акт проверки задвижки перехода МН на герметичность. 83

Приложение 20. Журнал осмотра подводного (воздушного) перехода. 84

Приложение 21. Акт проведения контроля геодезических отметок и нивелировки оси камеры пуска приема средств очистки и диагностики. 85

Приложение 22. Акт проверки технического состояния узлов отбора давления. 85

Приложение 23. Акт осмотра береговой части подводного перехода. 86

Приложение 24. Схемы.. 86

 




Яндекс цитирования



   Copyright © 2007-2025,  www.tehlit.ru.

[ ѓосты, стандарты, нормативы, инструкции, правила, строительные нормы ]