//
|
|
ГЕОДЕЗИЧЕСКИЕ,
КАРТОГРАФИЧЕСКИЕ
ИНСТРУКЦИЯ
ГКИНП-02-172-83
Обязательна для всех предприятий, организаций, учреждений, выполняющих аэрофототопографические работы при изысканиях железных дорог, независимо от их ведомственной принадлежности. Утверждена Главным управлением геодезии и картографии при Совете Министров СССР и Главтранспроектом Минтрансстроя СССР.
Москва 1984
ИНСТРУКЦИЯ ПО ПРОИЗВОДСТВУ Настоящая Инструкция разработана в развитие “Основных положений по аэрофотосъемке, выполняемой для создания и обновления топографических карт и планов (ГКИНП-09-32-80)”. В Инструкции изложены требования к производству комплекса аэрофототопографических работ, выполняемых при изысканиях для проектирования новых железных дорог, вторых (третьих, четвертых) путей и реконструкции железных дорог общей сети Союза ССР. Разработана во Всесоюзном научно-исследовательском институте транспортного строительства (ЦНИИС) Минтрансстроя СССР совместно с ЦНИИГАиК, ГУГК и Мосгипротрансом. При разработке Инструкции использованы результаты научных исследований, нормативно-технические акты Главного управления геодезии и картографии при Совете Министров СССР, а также практический опыт проектно-изыскательских институтов Тлавтрапспроекта Минтрансстроя. В составлении Инструкции принимали участие зав. лабораторией М. А. Баранов, ст. научный сотрудник В. К. Тавлинов (ЦНИИС), зав. лабораторией А. Г. Ванин (ЦНИИГАиК), гл. специалист М. П. Туляков (Мосгипротранс), нач. отдела Б. А. Стукань, ст. инженер А. Е. Одринский (ГУГК). Инструкция рассмотрена и одобрена секцией изысканий и проектирования железных и автомобильных дорог Научно-технического совета Минтрансстроя. Утверждена и введена в действие с 1 июля 1984 г. приказом ГУГК от 11.01.84г. № 11 п. 1. ОБЩИЕ ПОЛОЖЕНИЯ1.1. Настоящая Инструкция регламентирует технологию, методы и технические требования к производству комплекса аэрофототопографических работ, выполняемых при изысканиях для проектирования железных дорог, вторых (третьих, четвертых) путей и реконструкции железных дорог общей сети Союза ССР.* _________ * Изыскания новых железных дорог, вторых (третьих, четвертых) путей реконструкции железных дорог общей сети Союза СCP, в дальнейшем именуются изыскания железных дорог.
1.2. Аэрофототопографические работы при изысканиях железных дорог следует производить в соответствии с требованиями “Основных положений по аэрофотосъемке, выполняемой для создания и обновления топографических карт и планов (ГКИНП-09-32-80)”, “Инструкции по топографической съемке в масштабах 1:5000, 1:2000, 1:1000 и 1:500 (ГКИНП-02-033-82)” и настоящей Инструкции. Топографические работы при съемке железнодорожных станций следует выполнять в соответствии с требованиями “Руководства по топографической съемке железнодорожных станций и узлов (ГКИНП-02-147-81)”. Аэрофотосъемочные и топографо-геодезические работы производят только после получения разрешения на право производства работ в соответствии с “Инструкцией о государственном геодезическом надзоре”. 1.3. Материалы, получаемые в результате аэрофототопографической съемки (топографические планы, профили и др.), должны обеспечивать разработку проекта (рабочего проекта) или рабочей документации новой железной дороги, вторых (третьих, четвертых) путей и реконструкции существующей железной дороги. Масштабы составляемых топографических планов и высоты сечения рельефа устанавливаются в соответствии с табл. 1 в зависимости от местоположения трассы проектируемой железной дороги, стадии проектирования, сложности ситуации и рельефа местности, густоты пересекаемых инженерных коммуникаций и т.п.
Примечание. Съемка и составление топографических планов масштаба 1:10000 выполняются только в случаях, когда на район изысканий отсутствуют планы этого масштаба. 1.4. Топографические планы, составленные для проектирования новых линий и вторых путей, должны соответствовать следующим требованиям. Средние погрешности в положении на планах предметов и контуров местности с четкими очертаниями относительно ближайших точек съемочного обоснования не должны превышать 0,5 мм, а в горных и залесенных районах - 0,7 мм. На территориях с капитальной и многоэтажной застройкой предельные погрешности во взаимном положении на плане точек ближайших контуров (капитальных сооружений, зданий и т.п.) не должны превышать 0,4 мм. Средние погрешности съемки рельефа относительно ближайших точек съемочного обоснования не должны превышать по высоте: 1/4 принятой высоты сечения при углах наклона до 2°; 1/3 при углах наклона от 2° до 6° для планов масштабов 1:5000, 1:2000 и до 10° для планов масштабов 1:1000 и 1:500; 1/3 при сечении рельефа через 0,5 м для планов масштабов 1:5000 и 1:2000. На лесных участках местности эти допуски увеличиваются в 1,5 раза. В районах с углами наклона свыше 6о (для планов масштабов 1:5000 и 1:2000) и свыше 10° (для планов масштабов 1:1000 и 1:000), число горизонталей должно соответствовать разности высот, определенных на перегибах скатов, а средние погрешности высот, определенных на характерных точках рельефа не должны превышать 1/3 принятой высоты сечения рельефа. Предельные расхождения не должны превышать удвоенных значений средних погрешностей, и количество их не должно быть более 10 % общего числа контрольных измерений. 1.5. Объекты, контуры местности и элементы рельефа на топографических планах, составляемых для проектирования железных дорог, изображаются условными знаками, утвержденными Главным управлением геодезии и картографии при Совете Министров СССР (ГУГК). Железнодорожный путь, его обустройство и элементы путевого развития станций изображаются условными знаками, утвержденными Главтранспроектом Минтрансстроя СССР и согласованными с ГУГК. 1.6. Содержание топографических планов, составляемых при изысканиях железных дорог, должно отвечать требованиям “Инструкции по топографической съемке в масштабах 1:5000, 1:2000, 1:1000 и 1:500 (ГКИНП-02-033-82.)”. На планах существующих железнодорожных станций, помимо графического изображения путевого развития и других элементов ситуации, должны быть приведены: координаты стрелочных переводов, углов, пассажирского здания, локомотивного и вагонного депо, постов централизации, а также расположенных между путями или в непосредственной близости к ним служебных и технических зданий, наружных граней опор искусственных сооружений, прожекторных мачт и опор высоковольтных линий электропередач; расстояния от осей ближайших путей до наружных граней всех сооружений, находящихся между путями или в непосредственной близости к ним (габаритные расстояния); междупутные расстояния на пикетах и в характерных местах; элементы кривых главных путей (основных и примыкающих линий), а также крайних путей каждого парка. 1.7. Геодезической основой для аэрофототопографической съемки при изысканиях железных дорог служат пункты и реперы геодезических сетей, которые надежно опознаются на аэрофотоснимках, планово-высотные опознаки, а также пункты (точки) съемочной геодезической сети. Ходы геодезического обоснования съемок, магистральные ходы должны быть привязаны по высоте и в плане к пунктам государственной геодезической сети не реже чем через 30 км. Если пункты государственной геодезической сети находятся от трассы на расстоянии более 5 км, допускается вместо плановой привязки определять не реже чем через 15 км истинные азимуты сторон хода. При съемках участковых станций и узлов, расположенных в населенных пунктах, сеть геодезического обоснования привязывают к пунктам геодезических сетей, координаты которых вычислены в системе, принятой для данного населенного пункта. При съемке разъездов и промежуточных станций с незначительным путевым развитием (до 5 путей) допускается использовать в качестве геодезической основы теодолитный (базисный) ход вдоль оси главного пути без привязки его к геодезическим пунктам на территории городов и поселков. Требования к точности ходов геодезического обоснования приведены в табл. 2.
Примечание. L - длина хода, км; n - число углов в ходе. 1.8. Система координат и высот для составления топографических планов при изысканиях железных дорог устанавливается в техническом задании на съемку и согласовывается с органами Государственного геодезического надзора, Система координат для составления планов, как правило, принимается местная (станционная), система высот - Балтийская. При съемке станций за начало местной (станционной) системы координат принимают, как правило, точку пересечения оси пассажирского здания (ось X) с полигонометрическим или теодолитным ходом, проложенным вдоль главного пути (ось У), При съемке станций с тупиковым расположением вокзала за ось X может быть принята геометрическая ось любого капитального здания, расположенного, по возможности, в средней части станции. 1.9. Состав аэрофототопографических работ при изысканиях железных дорог следует определять в программе работ. Работы делятся на три периода: подготовительный, полевой и камеральный. Подготовительный период включает: сбор имеющихся картографических, геодезических, аэрофотосъемочных и других материалов; изучение и анализ природных условий района работ; камеральное трассирование по имеющимся картам и планам и отбор конкурентоспособных вариантов для полевых обследований; составление технического задания и календарного графика производства аэрофотосъемки, полевых и камеральных работ; при составлении технического задания тщательно определяют виды летных работ, границы стереотопографической съемки, положение аэрофотосъемочных маршрутов и ходов геодезического обоснования, проводят также сенситометрические испытания аэрофотопленок; организационные мероприятия по аэрофотосъемочным, полевым геодезическим и камеральным работам (согласование, оформление разрешений, организация экспедиций, баз и др.). В полевой период выполняют комплекс работ и обследований, предусмотренных программой изысканий: наземную и аэровизуальную рекогносцировку местности; аэрофотосъемочные работы; фотолабораторные работы; прокладку ходов геодезического обоснования, планово-высотную подготовку и дешифрирование аэроснимков. В камеральный период производят: обработку материалов полевых обследований; фотограмметрическое сгущение опорной сети; стереофотограмметрическую обработку аэрофотоснимков и их дешифрирование; составление топографических планов. 1.10. При выполнении, аэрофотосъемки специализированными подразделениями Министерства гражданской авиации (МГА) качество аэрофотосъемочных работ обеспечивают эти подразделения в соответствии с требованиями, изложенными в “Основных положениях по аэрофотосъемке, выполняемой для создания и обновления топографических карт и планов (ГКИНП-09-32-80)” и настоящей Инструкции. Если аэрофотосъемочные работы выполняет подразделение проектно - изыскательского института на арендуемых в гражданской авиации самолетах или вертолетах, ответственность за качество аэрофотосъемочных материалов несет это подразделение. 2. АЭРОФОТОСЪЕМОЧНЫЕ РАБОТЫ2.1. Носители, используемые для аэрофотосъемочных работ, должны обеспечивать: необходимые путевую скорость, высоту фотографирования, радиус действия и продолжительность съемочных работ; установку и удобное размещение аэрофотосъемочной и вспомогательной аппаратуры; хороший обзор местности для штурмана - аэрофотосъемщика и удобное место для бортоператора; энергоснабжение аэрофотосъемочной аппаратуры от бортовой сети и надежную ее эксплуатацию; соответствующие устройства для установки аппаратуры; высокую эффективность (наименьшую стоимость аэрофотосъемочных работ). Тип носителя выбирают в зависимости от требований, предъявляемых к масштабу и качеству аэрофотоснимков. Для
крупномасштабной аэрофотосъемки по условию обеспечения допустимого сдвига
(смаза) фотографического изображения Основные характеристики носителей приведены в табл. 3.
_______________ * Может быть использован при скорости ветра до 10 м/с. ** Может быть увеличена до 6 ч при установке двух подвесных баков для горючего емкостью по 160 л каждый.
2.2. На борту носителя, предназначенного для производства плановой аэрофотосъемки, должна быть предусмотрена следующая аппаратура: топографический аэрофотоаппарат (АФА) в установке, обеспечивающей автоматический разворот на углы сноса; электронный командный прибор ЭКП-2М с оптическим блоком; статоскоп С-51* , радиовысотомер РВ-18ж с фоторегистратором*; гироустановка ГУТ-3**; переговорное устройство (СПУ-10); вспомогательная аппаратура (бортвизиры, аэроэкспонометр АЭ-2, вакуум-помпа и др.). ___________ * Только на самолетах при высоте фотографирования более 500 м. ** Устанавливают, как правило, при аэрофотосъемке по криволинейным маршрутам. 2.3. Основные технические характеристики АФА для плановой аэрофотосъемки приведены в табл. 4. 2.4. Для АФА один раз в два года определяют и заносят в паспорт: значения элементов внутреннего ориентирования, величины дисторсии объектива, клинообразности светофильтров, скоростей работы затвора и отклонения выравнивающего стекла от средней плоскости. 2.5. Масштабы фотографирования для получения планов при аэрофототопографической съемке приведены в табл. 5. 2.6. Для составления топографических планов при изысканиях железных дорог выполняют, как правило, одномаршрутную аэрофотосъемку. Двух- и многомаршрутную аэрофотосъемку выполняют по трассе с большим числом углов поворота (наименьшая длина маршрута 5 км), при съемке площадок мостовых переходов, больших железнодорожных узлов и станций. Положение осей аэрофотосъемочных маршрутов определяют по ориентирам, отмеченным на картах, планах, схемах и фотосхемах, составленных по материалам аэрофотосъемки предыдущих лет. 2.7. При выполнении аэрофотосъемок с вертолетов типа Ми-8 для проектирования вторых путей в случае использования аналитических методов сгущения опорных сетей допускается прокладка криволинейных маршрутов с разворотом вертолета в момент между экспозициями АФА на углы до 4. Общий угол поворота трассы в этом случае не должен превышать 30°.
Примечания. 1. Технические характеристики даны: для АФА-41 по паспорту, для АФА-ТЭС-10М по проекту ТУ, для остальных АФА по ТУ. 2. Для ТАФА-10 и АФА-41 указано время эффективной выдержки.
Примечание. При использовании АФА ТЭС и ТАФА масштаб фотографирования может быть уменьшен на 30 %.
2.8. При одномаршрутной аэрофотосъемке маршруты на стыках должны перекрываться не менее чем на 2 базиса фотографирования. Продольное перекрытие задается в соответствии с данными, приведенными, в табл. 6.
Примечание. h - наибольшее превышение точек местности над средней плоскостью съемочного участка (маршрута); Н - высота полета над средней плоскостью съемочного участка (маршрута). 2.9. При двух- и многомаршрутной аэрофотосъемке поперечное перекрытие задается в соответствии с данными, приведенными в табл. 7.
2.10. Углы наклона аэроснимков при аэрофотосъемке без стабилизации АФА не должны превышать 3°. При стабилизации АФА допустимые углы наклона аэроснимков приведены в табл. 8.
2.11. Непараллельность базиса фотографирования стороне аэрофотоснимка (елочка) не должна превышать 5°. 2.12. Оси аэрофотосъемочных маршрутов не должны отклоняться от надирных ориентиров более чем на 1 см в масштабе снимка при аэрофотосъемке железнодорожных станций и перегонов и на 2,5 см при изысканиях новых железных дорог. 2.13. Аэрофотосъемку следует производить при отсутствии кучевой облачности и высоте Солнца над горизонтом не менее 20° в случае использования черно-белой и 25° - цветной или спектрозональной аэрофотопленки. В горных и залесенных районах, а также при использовании материалов аэрофотосъемки для составления планов железнодорожных станций и узлов допускается, при необходимости, выполнение аэрофотосъемки при сплошной облачности с определением экспозиции по аэроэкспонометру. В горно-таежных и залесенных районах аэрофотосъемку следует производить, как правило, весной, когда отсутствует лиственный покров и хорошо просматривается земная поверхность. При сплошном снежном покрове аэрофотосъемку выполнять нельзя. 2.14. Для фотографирования следует использовать черно-белого аэропленку типа Т-22 и другие с индексом Н (для ночного фотографирования) светочувствительностью S0,85 = 1300-1500 ед. ГОСТ. Аэрофотосъемка в облачную погоду должна производиться на высокочувствительные аэропленки типов Т-29 и Т-24 светочувствительностью S0,85 = 3000-4000 ед. ГОСТ*. ____________ * Разрешающая способность аэропленки типов Т-29 и Т-24 60-65 лин./мм, срок хранения 9 месяцев. При фотографировании на спектрозональную аэрофотопленку негативы используют для получения как цветных, так и черно-белых отпечатков. 2.15. При наличии дымки следует применять светофильтры, имеющиеся в комплекте АФА; светофильтр выбирают в зависимости от типа аэрофотопленки и высоты фотографирования, для определения выдержки используют аэроэкснонометр типа АЭ-2. 3. ЛАБОРАТОРНАЯ ХИМИКО-ФОТОГРАФИЧЕСКАЯ
| |||||||||||||||||||||||||||||||||||||||||||||||||||||||||||||||||||||||||||||||||||||||||||||||||||||||||||||||||||||||||||||||||||||||||||||||||||||||||||||||||||||||||||||||||||||||||||||||||||||||||||||||||||||||||||||||||||||||||||||||||||||||||||||||||||||||||||||||||||||||||||||||||||||||||||||||||||||||||||||||||||||||||||||||||||||||||||||||||||||||||||||||||||||||||||||||||||||||||||||||||||||||||||||||||||||||||||||||||||||||||||||||||||||||||||||||||||||||||||||||||||||||||||||||||||||||||||||||||||||||||||||||||||
|
Тип аэронегативов и характеристика районов |
|
Dинт |
D0 |
Dтin |
Dтаx |
|
1. Черно-белые аэронегативы: |
|
|
|
|
|
|
залесенная и горная местность, станции и узлы, вторые пути и чередование контрастных участков местности |
1,0±0,2 |
0,9±0,2 |
0,25 |
(0,2±0,6)+D0 |
1,6 |
|
равнинные и степные районы |
1,6±0,2 |
0,9±0,2 |
0,25 |
(0,2±0,6)+D0 |
1,6 |
|
остальные районы |
1,4±0,2 |
0,9±0,2 |
0,25 |
(0,2±0,6)+D0 |
1,6 |
|
2. Цветные аэронегативы |
1,2 |
0,8-1,2 |
0,3 |
0,2+D0 |
Коэффициент контрастности для наименее контрастного слоя |
|
3. Спектрозональные аэронегативы: |
|
|
|
|
|
|
инфрахроматический слой |
1,4-2,8 |
1,2-1,8 |
0,7 |
0,4+D0 |
Интегральная плотность для изображения леса |
|
панхроматический слой |
1,7-3,0 |
1,2-1,8 |
0,4 |
0,4+D0 |
|
Фильмы спецприборов (статоскоп и РВ) должны быть отождествлены с кадрами АФА и пронумерованы общей нумерацией. В начале фильмов указывают все необходимые данные статоскопа.
3.5. Надписи на негативах следует целить зеркальным шрифтом мерной тушью в верхнем углу на эмульсионной стороне так, чтобы на накидном монтаже и репродукциях были видна нумерация снимков.
3.6. Для накидного монтажа контрольные отпечатки изготовляют на глянцевой бумаге. При заданном 80 %-ном продельном перекрытии снимков накидной монтаж делают из четных или нечетных снимков.
Репродукции накидного монтажа наклеивают на специальные бланки. На каждом экземпляре репродукции накидного монтажа выписывают номер участка или маршрута, масштаб фотографирования и репродукции, паспортные данные АФА, дату и качество залета и пр.
3.7. Оценку качества результатов залета и химико-фотографической обработки пленок следует производить по негативам и накидному монтажу. Накидной монтаж и оценку качества залета необходимо выполнять в кратчайший срок, чтобы к следующему полету аэрофотосъемочный экипаж мог оценить свою работу и исправить допущенные ошибки.
Продольное и поперечное перекрытие снимков, углы наклона, непараллельность базисов фотографирования сторонам снимка и отклонение осей маршрутов от заданного положения должны соответствовать требованиям, изложенным в п.п. 2.9 - 2.13. На негативах на должно быть дефектов, снижающих точность измерений и качество дешифрирования. При использовании АФА с вакуумным выравниванием аэропленки маршруты, имеющие негативы с невыравненной пленкой, бракуются. АФА в этом случае должен быть тщательно проверен или заменен.
3.8. Приемке подлежат только завершенные съемкой маршруты или участки, получившие качественную оценку. Забракованные маршруты должны быть переделаны. Повторные залеты должны иметь перекрытие с предыдущими залетами не менее двух базисов фотографирования с каждой стороны.
При приемке материалов проверяют:
соответствие фактического положения маршрутов проекту и обеспечение границ участка;
пригодность аэрофотопленок для стереофотограмметрических измерений;
соблюдение заданных параметров аэрофотосъемки и колебания высоты полета;
наличие и качество показаний статоскопа и радиовысотомера;
комплектность материалов и соответствие их техническому заданию;
общее качество продукции, полноту и правильность составления документации.
3.9. Полезную площадь аэрофотосъемки S, м2, определяют по формулам:
для одномаршрутной аэрофотосъемки
S=0,126![]()
для двух- и многомаршрутной аэрофотосъемки в зависимости от заданного поперечного перекрытия и фактической ширины заснятого участка
S=10
,
где m - знаменатель масштаба аэрофотосъемки;
a - ширина заснятого участка, см;
L - длина аэрофотосъемочного маршрута, км.
3.10. После завершения аэрофотосъемочных работ в аэрофототопографический отдел (партию) должны быть переданы следующие материалы:
аэронегативы на рулонной аэропленке;
контактные отпечатки (2 экз.);
репродукции накидного монтажа с паспортными данными (2 экз.);
негативы репродукций накидного монтажа;
пленки регистрации показаний статоскопа и радиовысотомера
паспорт аэрофотосъемочного участка;
паспорт АФА;
журналы регистрации фотообработки и измерений снимков;
акты приемки аэросъемочной продукции и материалов;
увеличенные аэроснимки для дешифрирования ( в случае надобности).
При выполнении аэрофотосъемочных работ отрядами МГА комплектность материалов предусматривается договором.
4.1. Топографо-геодезические работы для обоснования аэрофотосъемочных маршрутов производят в соответствии с проектом геодезического обоснования.
Проект геодезического обоснования и схему расположения опознаков составляют, с учетом назначения топографических планов, их масштабов и вида стереофотограмметрических приборов, применяемых для обработки снимков.
4.2. Проект геодезического обоснования переносят на репродукции накидного монтажа цветными карандашами:
синими треугольниками - пункты триангуляции и полигонометрии;
синими квадратами - нивелирные реперы;
синими кружками - водомерные посты;
красными двойными кружками - планово-высотные опознаки;
красными одиночными кружками - высотные опознаки;
красными сплошными кружками - контрольные высотные опознаки;
красными квадратами - главные точки снимков, положение которых необходимо определить.
Если существующие геодезические пункты не попадают на репродукции накидного монтажа, на полях указывают направление на эти пункты и расстояние до них.
4.3. Положение опознаков уточняют под стереоскопом на контактных отпечатках и переносят на репродукции накидного монтажа. В каждой зона тройного перекрытия намечают 2-3 хорошо видимых, четко отобразившихся на аэроснимке контура или детали сооружений. Опознаки и контрольные точки нужно располагать на горизонтальных площадках, где ошибки при измерении продольных параллаксов менее всего будут сказываться на результатах ориентирования снимков.
Предметы и контуры местности, использузмые в качестве планово-высотных опознаков, следует определять на местности с погрешностью, не превышающей 0,2 мм в масштабе снимка.
|
Назначение плана |
Масштаб фотографирования |
Расстояние вдоль оси маршрута |
Расстояние поперек оси маршрута |
||
|
количество базисов |
количество метров |
количество базисов |
количество метров |
||
|
Выбор направления, эталонные участки и крупные узлы |
|
|
|
|
|
|
1:5000 |
1:8000-1:15000 |
4-8 |
2000-6000 |
0,7-0,8 |
300-800 |
|
Составление проекта и рабочей документации: |
1:4000-1:8000 |
3-6 |
600-2500 |
0,4-1,0 |
100-400 |
|
для новых железных дорог: |
|
|
|
|
|
|
1:2000 |
|
|
|
|
|
|
1:1000 |
1:3000-1:5000 |
3-6 |
750-1500 |
0,4-1,0 |
100-350 |
|
1:500 |
1:1500-1:3000 |
1-3 |
120-350 |
0,6-1,0 |
60-150 |
|
для перегонов и промежуточных станций: |
|
|
|
|
|
|
1:2000 |
1:4000-1:8000 |
4-8 |
800-3000 |
0,4-0,6 |
100-250 |
|
1:1000 |
1:3000-1:5000 |
4-8 |
800-2500 |
0,4-0,6 |
100-180 |
|
1:500 |
1:1500-1:3000 |
1-2 |
100-280 |
0,6-0,8 |
60-80 |
|
для узловых и участковых станций: |
|
|
|
|
|
|
1:3000 |
1:4000-1:8000 |
2-3 |
400-1000 |
0,6-0,8 |
120-350 |
|
1:1000 |
1:3000-1:5000 |
2-3 |
400-840 |
0,6-0,8 |
120-250 |
|
1:500 |
1:1500-1:3000 |
1-2 |
100-280 |
0,6-0,8 |
60-80 |

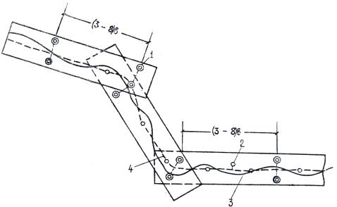
Рис.
1. Схема расположения опознаков для обоснования маршрутов
аэрофотосъемки при изысканиях новых линий:
1 - планово-высотные опознаки; 2 - высотные опознаки; 3 - примерное положение трассы; 4 - магистральный ход

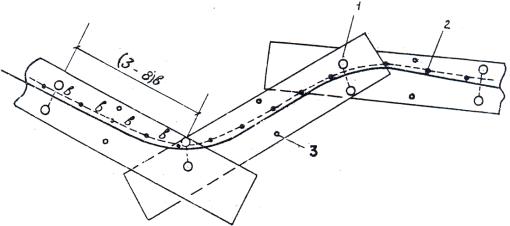
Рис.
2. Схема расположения опознаков для обоснования маршрутов
аэрофотосъемки при изысканиях вторых путей:
1 - высотные опознаки;
2 - точки на земляном полотне, привязанные к пикетажу; 3 - контрольные точки

Рис. 3. Схема расположения опознаков для обоснования маршрутов аэрофотосъемки при изысканиях для усиления и реконструкции больших станций и узлов:
1 - планово-высотные опознаки; 2 - контрольные точки; 3 - границы рабочей площади; 4 - магистральный ход
Если в качестве опознака была выбрана точка контура, то ее накапывают тонкой иглой и с лицевой стороны аэрофотоснимка обводят пунктиром и нумеруют, а на обратной стороне составляют абрис в масштабе более крупном; чем масштаб аэрофотоснимка, и дают описание точки.
Высотные опознаки обозначают на аэрофотоснимке наколом, обведенным на лицевой стороне аэрофотоснимка кружком, подписывают номер точки и ее отметку. На обратной стороне аэрофотоснимка точку обводят кружком, нумеруют и дают краткое описание опознака с указанием его положения относительно ближайших микроформ рельефа; в случае необходимости дают абрис или профиль местности.
4.6. В зависимости от принятой организации полевых и аэрофотосъемочных работ опознаками могут являться специально выбранные на имеющихся планах (картах) или фотосхемах, составленных по материалам залетов предыдущих лет, и замаркированные на местности точки, расположенные в пределах снимаемой полосы. Маркировку производят перед аэрофотосъемкой с минимальным разрывом во времени. Маркируемые плановые (планово-высотные) опознаки следует располагать таким образом, чтобы на аэрофотоснимках их изображения не закрывались изображениями других предметов или их тенями.
Для маркировки следует применять, как правило, дешевые материалы. Обязательным условием выбора материала является обеспечение максимального контраста между маркировочным знаком и фоном.
Маркировочные знаки должны иметь, как правило, форму креста, состоящего из четырех лучей со свободным пространством в центре квадрата или круга.
Размеры маркировочных знаков следует определять в зависимости от масштаба фотографирования, чтобы размеры изображения на аэрофотоснимках знаков белого или желтого цвета были, не менее, мм:
длина и ширина одного луча знака “крест” соответственно 0,15 и 0,05;
расстояние от луча до центра знака 0,05;
сторона квадрата или диаметр круга 0,10.
Маркировочные знаки должны быть симметричны относительно центров маркируемых объектов. Отступления от симметрии не должны превышать 0,07 мм в масштабе составляемого плана.
Если пункт геодезического обоснования имеет хорошо заметную окопку, то его можно маркировать кругом или квадратом.
На застроенных участках и станционных площадках в качестве опознаков используют хорошо видимые предметы и детали сооружений, которые в случае необходимости подкрашивают краской, создавая контрастность. При изысканиях для проектирования вторых путей следует производить подкраску оснований путевых знаков.
Запрещается маркировка в лесу путем вырубки площадок. При разрешении лесхозов допускается маркировка расчисткой старых вырубок или лесных полян в форме квадратов со строгим соблюдением правил порубок.
4.7. Координаты опознаков и контрольных точек определяют с точек магистрального хода Полярным способом или включают их в замкнутые полигоны.
В открытой местности съемку поперечных профилей выполняют камерально стереофотограмметрическими методами.
В закрытой местности поперечные профили по осям искусственных сооружений; заросшим тальвегам логов и переездам снимают наземными геодезическими способами.
4.8. Магистральный ход необходимо прокладывать вблизи камерально запроектированной трассы, а в залесенных районах - с минимальной рубкой и минимальным нарушением окружающей среды. Ряд опознаков и контрольных точек должен быть надежно закреплен долговременными знаками, чтобы они могли быть использованы в качестве геодезической основы при выносе трассы на местность и при строительстве сооружений.
4.9. В процессе полевых геодезических работ начальник партии или старший инженер осуществляет регулярный контроль за качеством прокладки ходов обоснования, опознавания и привязки опознаков.
4.10. После завершения полевых работ начальник партии передает по акту в отдел аэрофотосъемки, отдел изысканий или станций схемы ходов планово-высотного обоснования с указанием привязок к пунктам триангуляции и полигонометрии;
полевые аэрофотоснимки с наколотыми на них плановыми и высотными опознаками, пунктами триангуляции и полигонометрии, зарисованными абрисами и данными дешифрирования;
репродукции накидного монтажа;
полевые журналы;
ведомости высот и координат;
альбом абрисов замаркированных знаков и реперов;
материалы наземных съемок (поперечные профили, планы и др.);
прочие материалы (справки, журналы, акты).
В техническом отчете следует отражать: общие задачи, схемы плановых и высотных ходов привязки аэрофотоснимков и закрепление точек; результаты дешифрирования.
В отчете дается общее заключение по выполненным работам.
5.1. Дешифрирование, аэрофотоснимков при изысканиях железных дорог производят по прямым или косвенным дешифровочным признакам объектов, изобразившихся на снимках. К прямым признакам относят размеры, очертание, изображение тени, фототон, цвет изображения и положение объектов на аэроснимке. К косвенным признакам относят те, которые указывают на наличие определенных объектов, невидимых непосредственно на фотоизображении. К таким признакам относятся луговая и болотистая растительность, ряд геологических образований, границы паводковых вод, приливно - отливные явления и пр. При крупномасштабном агрофотографировании (1:5000 и крупнее) прямые дешифровочные признаки являются определяющими, так как большинство объектов местности изображается на аэроснимках. При масштабах мельче 1:10000 ряд объектов, особенно на существующих железных дорогах, не изображается на аэрофотоснимках, поэтому дешифрирование приходится выполнять по косвенным признакам.
Кроме топографического дешифрирования эти же аэрофотоснимки используют для инженерно-геологического дешифрирования.
5.2. Дешифрирование производят по аэроснимкам в камеральных (по стереоскопической модели местности) и полевых условиях.
Камеральное дешифрирование выполняют, используя стереоскопы, интерпрегоскопы и другие стереофотограмметрические приборы.
Полевое дешифрирование производят, применяя в случае необходимости полевые стереоскопы (СП2, П-5), стереоскопические очки и насадки.
Топографическое дешифрирование выполняют в пределах полосы местности, ширина которой устанавливается заданием.
5.4. Для проектирования новых линий дешифрируют в первую очередь гидрографическую и дорожную сети, затем: геологические выходы пород и обнажения, осыпи, курумы, лавиноопасные и селевые участки, наледи, заторы, карсты; горизонты паводковых вод; растительный покров и его высоту; культурную растительность (насаждения, сады, пашни, огороды и др.); грунты, пески, солончаки, болота, мари; границы угодий и ограждений; канавы и искусственные формы рельефа, их глубину и высоту; линии ЛЭП и связи; прочие искусственные сооружения.
5.5. Для проектирования вторых путей дешифрируют в границах заданной зоны (шириной 300-500 м от оси земляного полотна): ситуационные особенности данного района, искусственные сооружения, технические и служебные здания, путевые знаки, кюветы, лотки и канавы, защитные сооружения, резервы и кавальеры, верхнее строение пути (балластный слой, тип рельсов и скреплений, тип и число шпал на километр), сооружения на разъездах, и малых станциях, тупики и подъездные пути, проезды и полевые дороги, гидрографическую сеть и особенности больших и средних мостовых переходов и тоннелей, больные места, геологические и гидрологические особенности земляного полотна, линии ЛЭП и связи, различные подземные, наземные и надземные коммуникации и пр.
При проектировании участков трассы на раздельном земляном полотке дешифрирование производят так же, как для новой линии.
5.6. Наиболее тщательно следует выполнять дешифрирование при реконструкции существующих железнодорожных станций. Для станций, на которых производится постоянная работа, основное внимание следует уделять камеральному дешифрированию и только сооружения, не опознанные на аэроснимке и вызывающие сомнение, должны дешифрироваться на местности.
Ситуацию и сооружения, находящиеся на территории железнодорожной станции (узла) вне зоны движения поездов, дешифрируют в соответствии с требованиями, предъявляемыми для дешифрирования застроенных территорий и поселков.
При полевом дешифрировании аэрофотоснимков в пределах путевого развития станций в условиях непрекращающейся работы по приему, формированию и отправлению поездов следует строго соблюдать требования действующих "Правил по технике безопасности на железнодорожных изысканиях".
5.7. В зоне развития станционных путей и их реконструкции дешифрированию подлежат все имеющиеся сооружения станции, устройства энергоснабжения, автоматизации, сигнализации и связи, а также выходы подземных коммуникаций.
Дешифрированию и нанесению на план станции в условных знаках подлежат:
пути главные и станционные, электрифицированные и электрифицируемые, стыковые и бесстыковые, строящиеся и разбираемые с указанием типов рельс, скреплений и шпал на 1 км пути, а также наличие и местоположение изолированных стыков;
геодезические пункты, реперы, точки базисов и планово-высотного обоснования;
стрелочные переводы с указанием мерки крестовины, типа рельсов и положения центра перевода; в случае, если на переводе во время аэрофотосъемки находился подвижной состав и определить элементы перевода не представляется возможным, стрелочный перевод обмеряют на местности;
путевые обустройства: брусья путевого ограничения, вагонозамедлители и сбрасыватели башмаков, сортировочные горки и полугорки, поворотные круги и вагонные весы, габаритные ворота и будки местного управления, охраняемые и неохраняемые переезды и прочие устройства;
сигналы и путевые знаки: километровые и пикетные столбики, уклоноуказатели, семафоры к светофоры, предупредительные и оповестительные щиты и диски, прочие знаки;
устройство локомотивного хозяйства: смотровые канавы и экипировочные устройства, воздухопроводы и трубопроводы ГСМ, обмывочные площадки и бункера, прочие сооружения;
искусственные сооружения: путепроводы и виадуки, мосты и трубы, тоннели и подпорные стенки, галереи и защитные сооружения, лотки и канавы;
устройства связи и СЦБ: опоры ЛЭП и связи, подземные кабели и посты централизации, релейные будки.
5.8. На перегонах дешифрированию подлежат элементы местности и ситуации, а также все технические и искусственные сооружения, пересечения в различных уровнях, путевые знаки и прочие сооружения, попадающие в полосу отвода.
5.9. Отдешифрированные снимки оформляют подписями или условными знаками и сдают начальнику партии, который осуществляет соответствующий контроль.
6.1. Камеральные работы выполняют в соответствии с требованиями действующей Инструкции по фотограмметрическим работам при составлении топографических карт и планов.
6.2. Стереотопографическую съемку для составления топографических планов масштабов 1:10000, 1:5000, 1:2000, 1:1000 и 1:500 при изысканиях железных дорог выполняют как на универсальных приборах аналогового типа (СПР, СД, стереометрограф и т.д.), так и аналитическими способами с использованием стереокомпараторов (стекометров) и ЭВМ, а также аналитических фотограмметрических приборов типа “Анаграф” ЦНИИГАиК.
6.3. Составление топографических планов масштабов 1:2000, 1:1000 и 1:500 стереотопографическими способами при изысканиях для реконструкции железнодорожных станций можно выполнять по одной из следующих схем:
аналитическое сгущение фотограмметрической сети и определение координат элементов ситуации и сооружений в пределах путевого развития станции, составление фотоплана (ортофотоплана) в масштабе 1:2000 или 1:1000;
аналитическое сгущение фотограмметрической сети, определение координат элементов ситуации и сооружений в пределах обрабатываемой полосы местности и составление топографического плана на универсальных приборах аналогового типа;
аналитическое сгущение фотограмметрической сети и получение цифровой модели на обрабатываемую полосу местности с последующим составлением топографических планов на автоматизированных графопостроителях.
6.4. Цифровая модель местности представляет собой отображение в виде пространственных координат множества точек земной поверхности и сооружений на ней, объединенных в единую систему по определенным законам.
Цифровая модель местности должна обеспечивать автоматизированное составление топографических планов и получение исходных данных для автоматизированного проектирования новых сооружений в пределах съемки.
Точность цифровых моделей должна соответствовать точности топографического плана соответствующего масштаба. При построении и преобразованиях цифровой модели местности точность исходной информации должна сохраняться.
Система кодирования и классификации топографо-геодезической информации должна устанавливаться по согласованию с ГУГК.
Технической базой для построения цифровых моделей местности являются ЭВМ Единой серии с комплектом периферийных устройств и дополнительного оборудования.
6.5. Для фотограмметрических измерений при составлении топографических планов, новых линий и вторых путей используют негативы, диапозитивы или стереометрические пластинки. Для составления топографических планов железнодорожных станций, а также крупных технических сооружений измерения производят, как правило, на диапозитивах или стереометрических пластинках.
6.6. Фотограмметрические приборы и приборы для фотографической обработки должны удовлетворять требованиям действующей “Инструкции по фотограмметрическим работам при создании топографических карт и планов” (М., Недра, 1974).
6.7. Фотограмметрические измерения при аналитических способах обработки следует производить на высокоточных приборах типа стереокомпаратор (стекометр). В состав работ входит:
определение и нанесение на фотосхему или контактные отпечатки границ полосы местности, подлежащей обработке;
ориентирование негативов (или диапозитивов) в приборе по координатным меткам;
опознавание и перенос на негативы опорных точек (опознаков), имеющих геодезические координаты и высоты, выбор связующих точек;
измерение координат Х, У и параллаксов р, q точек, имеющих геодезические координаты и высоты, а также связующих точек;
измерение Х, У, р, q точек, необходимых для составления топографических планов и контроля работ.
Последовательность наблюдений определяет используемая программа сгущения фотограмметрических сетей и вычисления координат точек на ЭВМ.
Зафиксированные на машинных; носителях информации измеренные значения Х, У, р и q точек передают на ЭВМ. Ситуацию местности и горизонтали вычерчивают на графопостроителе по цифровой модели местности.
6.8. Если стекометр (стереокомпаратор) не имеет автоматической регистрации результатов измерений, то набивку перфокарт или запись на другие машинные носители информации производят по журналу наблюдений.
6.9. При изысканиях новых железных дорог в результате камеральной обработки должны быть получены следующие материалы:
маршрутные топографические планы или фотопланы на, полосу местности, обеспечивающую варьирование трассы, с изображением рельефа горизонталями;
фотокальки или репродукции на прозрачной основе с маршрутного топографического или фотоплана;
контактные отпечатки с результатами дешифрирования;
репродукции накидного монтажа с положением точек высотно-плановой основы и границами съемки;
каталог высот и координат пунктов геодезической основы, точек трассы и поперечных профилей;
координаты точек цифровой модели местности, выданные на печать;
машинные носители информации (магнитная лента, магнитный диск или перфокарты), содержащие координаты и высоты точек цифровой модели местности, необходимые для автоматизированного проектирования профиля и плана линии (в случае, если в процессе камеральных работ получают цифровую модель местности).
6.10. При изысканиях вторых (третьих, четвертых) путей должны быть получены:
топографические планы или фотопланы: перегонов в масштабе 1:2000 с изображением технических сооружений и путевых обустройств; существующих раздельных пунктов в масштабе 1:2000 или 1:1000; больших станций и узлов в масштабе 1:5000;
фотокальки или репродукции с графических планов или фотопланов;
поперечные профили существующего полотна, полученные по результатам фотограмметрических измерений;
продольные профили существующих железнодорожных путей;
продольные профили по пересекаемым ЛЭП, ЛЭС;
планы масштаба 1:500 для площадок под искусственные сооружения$
контактные отпечатки на участки больных мест земляного полотна;
ведомости определения элементов кривых;
каталоги координат и высот опорных точек, точек магистрального хода, путевого развития и технических сооружений;
координаты точек цифровой модели местности, выданные на печать;
машинные носители информации с данными по цифровой модели местности.
6.11. Для проектирования больших железнодорожных станций и узлов должны быть получены:
планы узлов в масштабе 1:5000, планы станций (отдельных парков) в масштабе 1:2000 или 1:1000; планы отдельных технических комплексов (горловин, искусственных сооружений и пр.) в масштабе 1:500; поперечные и продольные профили;
фотокальки или репродукции на прозрачной основе с планов станций;
ведомости определения элементов кривых;
ведомость высот точек поперечных профилей на станционных площадках;
каталоги координат и высот опорных точек, точек магистрального хода и точек путевого развития и технических сооружений;
машинные носители информации с данными по цифровой модели местности.
6.12. Полевые материалы, на основании которых производилась фотограмметрическая обработка аэрофотоснимков, следует хранить в архиве подразделения, выполнявшего аэрофототопографические работы, с тем, чтобы при необходимости можно было выполнить дополнительные измерения.
ОГЛАВЛЕНИЕ
3. ЛАБОРАТОРНАЯ ХИМИКО-ФОТОГРАФИЧЕСКАЯ ОБРАБОТКА МАТЕРИАЛОВ АЭРОФОТОСЪЕМКИ И ОЦЕНКА КАЧЕСТВА
4. ТОПОГРАФО-ГЕОДЕЗИЧЕСКИЕ РАБОТЫ
5. ИНЖЕНЕРНОЕ ДЕШИФРИРОВАНИЕ АЭРОСНИМКОВ
6. КАМЕРАЛЬНЫЕ ФОТОГРАММЕТРИЧЕСКИЕ РАБОТЫ ПРИ СОСТАВЛЕНИИ ТОПОГРАФИЧЕСКИХ ПЛАНОВ
|
|
|
|