|
| |
Министерство транспорта
Федеральный дорожный
департамент
РЕКОМЕНДАЦИИ
ПО РАЗРАБОТКЕ ИНЖЕНЕРНОГО
ПРОЕКТА НА СТРОИТЕЛЬСТВО
ФЕДЕРАЛЬНОЙ АВТОМОБИЛЬНОЙ
ДОРОГИ
Москва 1995
«Рекомендации по разработке инженерного проекта на строительство,
реконструкцию и ремонт Федеральной автомобильной дороги разработаны в развитие
«Порядка разработки, согласования и утверждения проектной документации для
дорожных работ, финансируемых из федерального дорожного фонда» и на основе
концептуальных разработок по совершенствованию проектного дела в современных
условиях и опыта мировой и отечественной: практики.
В «Рекомендациях» изложены основные принципы и порядок составления
инженерного проекта на строительство, реконструкцию и ремонт автомобильной
дороги, разработаны основные документы, включаемые в инженерный проект.
СОДЕРЖАНИЕ
1.1. Рекомендации по разработке инженерного проекта на
строительство, реконструкцию и ремонт Федеральной автомобильной дороги
разработаны АООТ Гипродорнии на основании технического задания, выданного
федеральным дорожным департаментом Министерства транспорта РФ в составе
договора № 47/5469 от 27 марта 1995 г.
1.2. При разработке «Рекомендаций» использованы следующие
материалы:
* Порядок разработки, согласования и утверждения проектной
документации для дорожных работ, финансируемых из Федерального дорожного фонда;
* Государственные стандарты системы проектной документации для
строительства;
* Действующие строительные нормы и правила;
* Стандарты предприятий комплексной системы управления качеством
проектно-изыскательских работ (КС УК ПИР);
* Эталон проекта на строительство автомобильной дороги,
разработанный Союздорпроектом в 1983 г.;
* Эталон рабочего проекта на строительство автомобильной дороги,
разработанный Ленинградским филиалом Гипродорнии в 1988 г.;
* Проекты ремонта Федеральной дороги, осуществляемых за счет
средств займа Всемирного банка, и рабочие проекты, разработанные Гипродорнии в
последние годы.
1.3. Основными целями и задачами инженерного проекта являются:
* обоснование оптимальных технических решений для выделенных в
экономическом обосновании участков дорог, подлежащих ремонту, реконструкции или
строительству;
* определение технических решений и объемов работ:
* подготовка тендерной документации для проведения конкурса подряда;
* разработка материалов и подготовка документов для отвода земель
и компенсации по сносу существующих сооружений, насаждений.
1.4. Объектом разработки инженерного проекта являются участки
и/или сооружения на них, необходимость которых в дальнейшем развитии и их
протяженность обоснована в экономическом обоснование.
1.5. Разработке инженерного проекта на строительство и
реконструкцию (в отдельных случаях и на ремонт) должно предшествовать
составление акта выбора земельного участка под строительство дороги.
Акты выбора оформляются заказчиком проекта в соответствии с
порядком, установленным Земельным Кодексом РФ, и решением органа исполнительной
власти субъектов Российской Федерации о направлении трассы и примерном отводе
земель.
В ходе составления акта выбора возможны проведение необходимых
инженерных обследований, поиски и разведка месторождений строительных
материалов и грунта, выполняемых в минимальном объеме. Для этих целей
рекомендуется привлекать проектные организации, осуществляющие разработку предпроектной
и проектной документации.
1.6. Для разработки инженерного проекта выполняются
топографические, инженерно-геологические, гидрогеологические изыскания в
соответствии со СНиП «Инженерные изыскания» в объеме, необходимом для
обоснования принятых решений.
1.7. Инженерный проект состоит из трех частей:
* обосновывающие материалы, предназначенные только для заказчика и
экспертизы инженерного проекта;
* контрактные материалы, предназначенные для включения в тендерную
документацию для конкурса подряда и исполнения инженерного проекта;
* материалов для оформления отвода земель.
1.8. Обосновывающие материалы состоят из следующих разделов:
* пояснительная записка;
* обосновывающие материалы и документы;
* расчет стоимости работ, предусмотренных инженерным проектом.
1.9. Контрактные материалы состоят из разделов:
* технические спецификации (описание отдельных видов работ
соответствующих единичной расценки, привязка используемых ГОСТов, отраслевых
стандартов, СНиПов, типовых проектов);
* основные чертежи;
* ведомости проектируемых сооружений, видов работ, в т.ч.
подготовительных;
* ведомости объемов работ и потребных материалов.
* Контрактные материалы рекомендуется группировать по пусковым
комплексам.
1.10. Материалы по обоснованию отвода земель включают в себя:
* материалы и документы по отводу и резервированию земель;
* рекультивацию земель.
1.11. Федеральные дороги Российской Федерации имеют, как правило,
сложившееся направление, поэтому наиболее распространенным видом развития таких
дорог является ремонт, осуществляемый в пределах существующего земляного
полотна и существующей полосы отвода.
В связи с этим в настоящих рекомендациях дано условное разделение
материалов и документов для ремонта автомобильных дорог и для реконструкции и
нового строительства.
Набор материалов и документов, включаемых в инженерный проект
ремонта автодорог, основан на опыте составления проектной документации ремонта
федеральных дорог, финансируемых за счет средств заема Всемирного банка.
Набор материалов и документов, включаемых в инженерный проект
реконструкции автодорог и строительства по новому направлению (обходы городов и
крупных населенных пунктов, мостовые переходы через большие водотоки и т.д.)
учитывает традиционный подход к разрабатываемой проектной документации.
Конкретный состав инженерного проекта может быть согласован с
заказчиком в зависимости от сложности объекта и характера проектных решений,
что должно найти отражение в задании.
1.12. В рекомендации включены образцы документов, обеспечивающих
обоснованность принятых решений и возможность реализации проекта.
1.13. Представленные образцы чертежей, ведомостей и других
документов разработаны, в основном, с использованием компьютерной техники.
1.14. Образцы документации, помещенные в рекомендациях, являются
самостоятельными документами, имеют условные привязки, не связаны своим
содержанием друг с другом. Их не следует рассматривать не как рекомендуемые
проектные решения, а только как образцы оформления.
Приведенные образцы дают представление о содержании каждого
документа, примерном расположении изображений на чертежах, рекомендуемых формах
ведомостей, таблиц.
1.15. Если в проектировании участвуют субподрядные организации, то
издаваемые ими документы включают в соответствующие разделы инженерного
проекта, а документам присваивают обозначения, принятые генпроектировщиком.
1.16. Титульные листы и основные чертежи подписываются
руководством проектной организации и руководителем разрабатываемого проекта.
1.17. На листах, следующих за титульным, всех томов и приложений
приводится состав инженерного проекта.
1.18. При выполнении чертежей, ведомостей и спецификаций должны
соблюдаться требования действующих ГОСТов.
Минимальный формат А4 (210 ´ 297 мм), при больших размерах чертежи фальцуют по указанному
формату с таким расчетом, чтобы основная надпись оказалась на лицевой стороне
сложенного чертежа.
2.1.1.
Введение
Проектно-изыскательский институт (генеральный проектировщик),
разработавший инженерный проект.
Задание на производство изыскательских и проектных работ по
участку дороги, кем, когда выдано, утверждено; архитектурно-планировочное
задание, дополнительные задания и указания.
Сведения об экономическом обосновании автомобильной дороги,
участком которой является проектируемый объект.
Сроки выполнения изыскательских и проектных работ. Сведения о
ранее проведенных проектно-изыскательских работах на рассматриваемом участке
дороги. Данные о ранее проведенных строительных и ремонтных работах.
2.1.2. Технические нормативы
Данные ЭО о грузообороте, грузонапряженности и интенсивности
движения за отчетный период, среднесрочный и долгосрочный прогнозы на
проектируемом участке.
2.1.2.1. Ремонт
Расчетная скорость движения, число полос движения, ширины полос
движения и другие технические характеристики поперечного профиля ремонтируемого
участка дороги.
2.1.2.2. Реконструкция и
новое строительство
Категория дороги, основные технические нормативы, принятые на
рассматриваемом участке дороги.
2.1.3. Характеристика существующей дороги
Значение дороги, характеристика общего направления
рассматриваемого участка дороги, его протяженность.
Характеристика плана, профиля существующей дороги, конструкция и
состояние земляного полотна, конструкция дорожной одежды, состояние проезжей
части, ее ширина, число полос, сроки проведения и вид последних ремонтных работ
(реконструкции).
Участки прохождения существующей дороги по населенным пунктам.
Административный район проложения дороги.
В проекте ремонта дополнительно даются сведения.
Грунты, слагающие существующее земляное полотно, грунты оснований
дорожных сооружений. Растительность, наличие и состояние лесополос.
Состояние безопасности движения на рассматриваемом участке дороги.
Проложение дороги в пределах населенных пунктов, интенсивность пешеходного
движения, наличие и состояние тротуаров, пешеходных дорожек. Наличие насаждений
и сооружений, влияющих на безопасность движения. Уровень аварийности, сезонные
колебания, основные виды ДТП.
Состояние покрытия, показатели ровности, сцепления.
Конструкция укрепления обочин, их состояние.
Состояние водоотвода, наличие и состояние водопропускных
сооружений. Наличие и состояние пересечений с автомобильными и железными
дорогами, в одном и разных уровнях, с воздушными и подземными коммуникациями
или рядом расположенными, влияющих на возможность ремонта дороги.
Наличие и состояние автобусных остановок, автопавильонов,
посадочных и остановочных площадок, переходно-скоростных полос, пешеходных
дорожек.
Состояние инженерного обустройства рассматриваемого участка
существующей дороги, виды и состояние ограждений.
Наличие и состояние площадок отдыха и других сооружений на дороге,
необходимость их ремонта.
Существующая служба эксплуатации существующей дороги.
Данные о дислокации возможных подрядных организаций по ремонту
участка дороги.
2.1.4. Природные условия района строительства
В проекте ремонта рекомендуется приведение тех климатических
характеристик, которые влияют на обоснованность принимаемых технических
решений.
2.1.4.1. Климат,
дорожно-климатическая зона
Общая гидрометеорологическая (климатическая) характеристика района
проложения трассы дороги (часть данных сводится в таблицы и графики).
2.1.4.2. Рельеф
Категория сложности рельефа.
Длина участков трассы с различной категорией сложности рельефа.
Обоснование оптимального направления трассы по условиям рельефа, условиям
ландшафтного проектирования.
Гидрографическая сеть, наличие озер, болот. Условия формирования и
регулирования поверхностного стока.
2.1.4.3. Растительность и
почвы
Характеристика растительного покрова. Наличие и категория лесов.
Типы почв, мощность плодородного слоя. Сведения об эрозии почв.
2.1.4.4.
Инженерно-геологические условия
Инженерно-геологическое районирование.
Краткая характеристика геологического строения района проложения
трассы дороги. Глубина залегания и характеристика коренных пород.
Характеристика четвертичных отложений, сейсмичность. Современное
физико-геологическое состояние: эрозия, оползни, корсты, осыпи, болота и другие
места, требующие индивидуального проектирования.
Грунтовые воды, распространение и особенности залегания. Расчетный
уровень грунтовых вод и методы его определения при производстве
инженерно-геологического обследования. Агрессивность грунтовых и речных вод.
Полевые характеристики грунтов для расчетов конструкций земляного
полотна и искусственных сооружений; выделение участков, требующих
индивидуального проектирования.
Оценка грунтов для использования в качестве материала для
возведения земляного полотна и оснований для дорожных сооружений.
2.2.1.
Ремонт
Сводная ведомость грузонапряженности, грузооборота, интенсивность
движения, с разбивкой грузового движения по видам автомобилей и нагрузке на
ось, составляемая по данным ЭО.
Обоснование принятой расчетной скорости движения. Соответствие
показателей плана и продольного профиля участка существующей дороги принятой
расчетной скорости.
Обоснование числа полос движения, ширины или различных ширин полос
движения.
Конструкция поперечного профиля ремонтируемой дороги.
Мероприятия по расширению земляного полотна, досыпке, замене
пучинистых грунтов, переустройству откосов и их укреплению.
Мероприятия по продольному и поперечному водоотводу.
Необходимость переустройства и выноски воздушных и подземных
коммуникаций.
Определение необходимости усиления существующей дорожной одежды.
Расчет конструкции усиления в соответствии со сроком службы покрытия, принятом
в ЭО.
Необходимость улучшения ровности покрытия. Рассмотрение вариантов
обеспечения требуемой ровности, выбор оптимального.
Назначение конструктивных слоев усиления, выравнивающих слоев с
указанием применяемых материалов.
Мероприятия по обеспечению необходимых сцепных качеств
ремонтируемого покрытия.
Мероприятия по ремонту обочин, устройство остановочных полос,
возможность использования обочин для устройства переходно-скоростных полос.
Определение соответствия существующих водопропускных сооружений
расчетным нагрузкам, расходам воды и другим нормативным требованиям.
Мероприятия по замене, переустройству, ремонту и строительству дополнительных
водопропускных сооружений.
Анализ наличия и состояния пересечений и примыканий с
автомобильными дорогами. Необходимость сокращения и строительства новых
пересечений и примыканий. Мероприятия по ремонту существующих съездов и
переездов, транспортных развязок в разных уровнях. Устройство
переходно-скоростных полос. Обустройство пересечений и примыканий.
Мероприятия по ремонту автобусных остановок, их обустройство,
устройство дополнительно переходно-скоростных полос.
Анализ наличия и состояния площадок отдыха и площадок для остановки
автомобилей в населенных пунктах, соответствие их экологическим требованиям.
Необходимость сокращения и строительство новых. Мероприятия по ремонту и
обустройству площадок.
Выявление очагов аварийности. Мероприятия по их ликвидации,
повышению общего уровня безопасности движения. Применение средств регулирования
движения, устройство светофоров на пересечениях и примыканиях.
Мероприятия по ремонту инженерного обустройства участка дороги,
замена и ремонт ограждений. Устройство специальных насаждений и шумозащитных
экранов для снижения шумового воздействия в пределах застроенной территории.
Выявление снегозаносимых участков, мероприятия по снижению
снегозаносимости.
Рекомендации по содержанию дороги.
2.2.2. Реконструкция и новое строительство
2.2.2.1. Общие сведения
Административные территории, в пределах которых расположен
проектируемый участок дороги. Краткое описание особенностей района тяготения
участка дороги.
Сводная ведомость грузонапряженности, грузооборота, интенсивность
движений с разбивкой грузового движения по видам автомобилей и нагрузке на ось
(по данным ЭО).
Категория дороги и число полос движения, исходя из прогнозируемой
интенсивности, состава и неравномерности движения автотранспорта. При
проложении проектируемой дороги вдоль существующей учет распределения
интенсивности движения между этими дорогами.
2.2.2.2. Трасса дороги
Общее направление участка дороги между начальным и конечным
пунктами.
Промежуточные пункты прохождения дороги.
Назначение и сравнение вариантов трассы по технико-экономическим
показателям. Обоснование выбранного варианта направления трассы дороги и
принятого для проведения изыскательских работ.
Основные принципы трассирования при производстве изысканий.
Соответствие принятого направления трассы, рекомендациям ЭО и акту
выбора земельного участка под строительство дороги.
Сравнение локальных вариантов, выполненных при изысканиях, и
обоснование принятого направления.
Основные технические показатели плана дороги и их обоснование,
коэффициент развития трассы, количество углов поворота, характер кривых и их
увязки с продольным профилем.
Использование существующей дороги, применение минимальных радиусов
закругления, их обоснование, соответствие требованиям норм.
Обеспечение видимости в плане.
Общее и удельное протяжение кривых и прямых участков.
Плановое и высотное закрепление трассы.
2.2.2.3. Подготовка
территории строительства
Необходимость разборки существующих искусственных сооружений,
дорожных одежд, элементов обстановки дороги и возможность использования
материалов от разборки.
Очистка территории от леса и кустарника.
Снос или перенос зданий, сооружений и насаждений. Указание общей
жилой площади сносимых зданий и сооружений. Обоснование необходимости сноса
и/или переноса, а также строительства новых зданий и сооружений взамен сносимых.
Общее количество пересекаемых коммуникаций, их виды и
характеристика, с указанием владельца и места пересечения. Мероприятия по их
переустройству, выносу или защите. Обоснование принятых решений.
Необходимость устройства объездных дорог, использование
существующих дорог на период строительства.
Основные характеристики и конструкции объездных дорог, материалы
для их строительства, согласования по отводу земель под них во временное
пользование и условия рекультивации.
2.2.2.4. Земляное полотно
Характеристика продольного профиля. Основные проектные решения
(уклоны, радиусы и длины вертикальных кривых), их обоснование и принципы
проектирования продольного профиля в увязке с планом трассы. Руководящая
отметка возвышения земляного полотна над поверхностью земли, уровнем грунтовых
или поверхностных вод и из условий незаносимости снегом или песком.
Максимальный продольный уклон и радиус вертикальных кривых, их обоснование.
Обеспечение видимости в продольном профиле.
Вариантное проектирование продольного профиля, обоснование
вариантов с учетом транспортных затрат.
Принятие конструкции поперечных профилей земляного полотна, его
ширина, поперечные уклоны. Заложение откосов насыпей и выемок в увязке с
местными грунтово-геологическими, гидрологическими и гидрогеологическими
условиями. Решения по водоотводным устройствам. Особые случаи и индивидуальные
решения по проектированию земляного полотна, в том числе в пределах населенных
пунктов.
Источники грунта для возведения земляного полотна. Разведанные
сосредоточенные резервы грунта, их характеристика, местоположение, подъездные
дороги, возможность использования для устройства морозозащитных и дренирующих
слоев.
Выемки, возможность использования грунтов и, прежде всего
глинистых для отсыпки насыпи. Возможность заложения боковых резервов, условия
согласования по отводу земель во временное пользование и их рекультивация.
Возможные мероприятия по использованию непригодных грунтов,
использование отходов производства.
Возможность возведения земляного полотна на поймах рек способом
гидронамыва.
Возможность использования гидромеханизации для разработки
сосредоточенных резервов.
Требуемый коэффициент уплотнения.
Укрепление земляного полотна (обочин, откосов, кюветов, нагорных
канав и т.д.) в зависимости от инженерно-геологических и
инженерно-гидрогеологических условий. Обоснование проектных решений по
укреплению земляного полотна.
Объемы профильных и оплачиваемых земляных работ. Рекомендации по
распределению земляных работ по условиям разработки и транспортировки.
Объемы укрепительных работ по видам.
2.2.2.5. Дорожная одежда
Перспективный период, принятый при проектировании дорожной одежды
в соответствии с рекомендациями ЭО и нормативными документами. Данные о
приведенной интенсивности движения к расчетному автомобилю.
Возможные источники получения и использования основных
дорожностроительных материалов.
Варианты конструкций дорожных одежд с учетом возможного получения
дорожностроительных материалов.
Возможное использование существующей дорожной одежды на участках
реконструкции.
Сравнение вариантов дорожных одежд.
Рекомендуемый вариант, его обоснование, описание конструкций
рекомендуемого варианта, конструкций укрепительных и остановочных полос.
Описание конструкции поперечного профиля проезжей части,
укрепительных полос, остановочных полос.
Дополнительные полосы движения на подъемах, уширения на
горизонтальных и вогнутых кривых, подходах к мостам, путепроводам.
Водоотводные устройства с проезжей части.
Обеспечение необходимой ровности, коэффициента сцепления.
2.2.2.6. Малые искусственные
сооружения
Принятые расчетные нагрузки.
Характеристика пересекаемых водотоков, логов, балок, пониженных
мест, на которых необходимо строительство водопропускных сооружений.
Определение расчетных расходов.
Инженерно-геологические условия.
Типы фундаментов сооружений, обоснование их геологическими и
другими условиями.
Применяемые типовые проекты и. проекты для опытного и повторного
применения.
Характеристика проектируемых сооружений по их типам и материалам.
Характеристика используемых искусственных сооружений на участках
реконструкции, характер работ при использовании.
2.2.2.7. Мосты и путепроводы
Габариты и расчетные нагрузки сооружений.
Требуемые подмостовые габариты мостов и путепроводов. Сведения по
существующим сооружениям.
Краткая характеристика запроектированных сооружений: рекомендуемые
схемы и материал, сборность и унификация конструкций, мостовое полотно и
обеспечение безопасности движения.
Имеющиеся согласования по проектируемым сооружениям.
2.2.2.7.1. Мост
Обоснование и описание выбранного места перехода.
Краткая гидрологическая характеристика реки и данные
гидрологических расчетов. Расчет отверстия моста.
Назначение спрямления русла и срезок, регуляционных сооружений,
укреплений и их обоснование. Принятые коэффициенты размыва русла под мостом,
местного размыва у опор и регуляционных сооружений, их обоснование.
Краткая инженерно-геологическая характеристика места перехода,
описание основной толщи грунтов и их физико-механических свойств. Агрессивность
речной и грунтовой воды.
Варианты схемы и конструкции моста. Обоснование рекомендуемой к
строительству схемы моста: его высоты, длины и отверстия, типов фундаментов
опор, регуляционных сооружений и укрепительных работ.
Краткое описание принятых конструктивных решений моста со ссылкой
на типовые и повторно применяемые проекты.
Мероприятия по защите конструкций от агрессивных вод, обеспечение
долговечности сооружения. Водоотводные устройства, лестничные сходы.
Обустройство моста смотровыми приспособлениями, освещение и
судовая сигнализация и другие эксплуатационные устройства.
2.2.2.7.2. Путепровод
Обоснование и описание выбранного места пересечения автомобильной
или железной дороги, его краткая характеристика.
Краткая инженерно-геологическая характеристика места перехода,
описание основной толщи грунтов и их физико-механических свойств, агрессивность
грунтовых вод.
Варианты схемы и конструкции путепровода.
Обоснование рекомендуемой к строительству схемы путепровода, его
высоты и длины, типов фундаментов опор, укрепительных работ.
Краткое описание принятых конструктивных решений путепровода со
ссылкой на типовые и повторно применяемые проекты.
Мероприятия по защите конструкций от агрессивных вод и среды,
блуждающих токов (при пересечении электрофицированной железной дороги),
обеспечение долговечности сооружения. Водоотводные устройства, лестничные
сходы, укрепительные работы.
Мероприятия по обеспечению безопасности движения по пересекаемой
дороге. Обустройство путепровода смотровыми приспособлениями, освещение
сооружения и другие эксплуатационные устройства.
2.2.2.8. Специальные
инженерные сооружения
Обоснование необходимости строительства специальных инженерных
сооружений. Краткая характеристика этих сооружений и их местоположение.
Принятые нормы и технические условия, положенные в основу при
проектировании инженерных сооружений, имеющиеся согласования.
Принятые нагрузки для подпорных стен, снегозащитных и
противообвальных галерей, других специальных сооружений.
Типы запроектированных сооружений и их обоснование.
Краткое описание рельефа, инженерно-геологических и
инженерно-гидрогеологических условий местоположения сооружений.
Краткое описание принятых конструктивных решений инженерных
сооружений со ссылкой на типовые и повторно применяемые проекты, аналогичные
ранее принятые решения.
Для сложных условий рассмотрение возможных вариантов, обоснование
23 и принятие наиболее рационального.
Мероприятия по защите сооружений от агрессивной среды, обеспечение
долговечности сооружений и безопасности движения.
Обустройство инженерных сооружений смотровыми приспособлениями,
освещение сооружений и другие эксплуатационные устройства.
2.2.2.9. Пересечения и
примыкания
Краткая характеристика пересекаемых и примыкающих дорог.
Характеристика существующих пересечений с железными дорогами в
одном уровне на участках реконструкции, характер их переустройства или
обустройства.
Использование типовых проектов пересечений и примыканий,
группирование по типам.
Краткая характеристика района размещения транспортной развязки:
рельеф, инженерно-геологические и инженерно-гидрогеологические условия.
Краткая характеристика существующих дорог, подлежащих
переустройству.
Вариантная проработка и выбор схем транспортных развязок на основе
технико-экономических показателей.
Рассмотрение очередности строительства.
Рекомендуемые нормативы и условия, определяющие элементы плана,
продольного и поперечного профилей. Конструкции земляного полотна и дорожной
одежды на пересекаемых дорогах и съездах.
Краткая характеристика искусственных сооружений и их количество.
Обеспечение видимости, установка ограждающих и направляющих
устройств, расстановка дорожных знаков и указателей, разметка проезжей части.
Обоснование принятых длин переходно-скоростных полос.
Имеющиеся согласования по сложным пересечениям и примыканиям, в
т.ч. с органами государственной автомобильной инспекции.
2.2.2.10. Обустройство дороги
Принципы расстановки дорожных знаков, ограждений и разметки
проезжей части. Конструкции принятых оградительных устройств, дорожных знаков
со ссылкой на типовые проекты, протяжение и количество.
Эскизы индивидуальных знаков, маршрутных схем, малых архитектурных
форм.
Освещение, линейная связь и сигнализация, принятые мероприятия,
используемые типовые проекты, количественные показатели.
Проектируемые тротуары, пешеходные и велосипедные дорожки,
местоположение и протяжение, использование существующих.
Месторасположение проектируемых автобусных остановок, условия
согласований автотранспортных служб. Основные конструктивные особенности
автобусных остановок, автопавильонов. Использование типовых проектов,
группирование по типам.
Использование существующих автобусных остановок на участках
реконструкции, мероприятия по их ремонту, реконструкции.
Месторасположение проектируемых площадок отдыха. Основные
конструктивные решения: число остановочных мест, в т.ч. для грузовых и легковых
автомобилей, способы расстановки, степень оборудования. Использование типовых и
повторно применяемых проектов. Условия согласований заинтересованных
организаций.
Использование и ликвидация по условиям экологии существующих
площадок, мероприятия по их ремонту, реконструкции.
2.2.2.11. Подъездные
автомобильные дороги
Рекомендации ЭО по строительству подъездов, обоснование
строительства подъездов, предусмотренных проектом.
Техническая характеристика проектируемых подъездов: интенсивность
движения (по данным ЭО), техническая категория, протяженность.
Условия согласований по проектируемым подъездным дорогам.
Краткая характеристика плана трассы, продольного профиля,
земляного полотна, конструкции дорожной одежды, искусственных сооружений,
обустройства.
Объемы основных работ по каждому подъезду.
2.2.2.12. Безопасность и
организация движения
Основные нормативы, положенные в основу обеспечения условий по
безопасности и организации движения.
Особые условия эксплуатации дороги, требующие специальных мер по
безопасности и организации движения.
Использование принципов и методов архитектурно-ландшафтного
проектирования.
Нормы проектирования плана, продольного профиля.
Обеспечение незаносимости дороги снегом (песком).
Защита дороги от снежных лавин, камнепадов.
Ровность и коэффициент сцепления.
Виражи, уширения проезжей части, переходно-скоростные полосы,
дополнительные полосы на подъемах.
Укрепление на обочинах.
Знаки, разметка, ограждения, противоослепляющие устройства,
электроосвещение дороги.
Тротуары, велодорожки, пешеходные переходы, скотопрогоны, пропуск
сельхозтехники.
Пересечения с автомобильными и железными дорогами, габариты
проезда искусственных сооружений по ширине и высоте.
Система автоматического регулирования движения, технологическая и
аварийно-вызывная связь.
Оценка проектных решений на основе графика коэффициентов
аварийности, других показателей.
2.2.2.13. Строительные
материалы
Объем выполненных поисково-разведочных работ по месторождениям
каменных материалов, песка и грунта.
Качественные показатели разведанных материалов, рекомендации по их
использованию для строительства проектируемого участка дороги.
Рекомендации по применению местных грунтов, укрепленных вяжущим,
для устройства дорожной одежды и других видов дорожностроительных работ.
Наличие действующих карьеров и баз по переработке
дорожностроительных материалов в зоне строительства проектируемого участка, их
качественные показатели, возможность получения и способы доставки.
Наличие на предприятиях местной промышленности отходов, пригодных
к использованию в качестве дорожностроительных работ, их качество, возможность
получения и доставки, рекомендации по их использованию.
Перечень возможных источников получения основных
дорожностроительных материалов. Способы доставки и расстояния, качественная характеристика.
Рекомендации по применению материалов, указанных источников для различных видов
дорожностроительных работ.
Предложения по наиболее оптимальной транспортной схеме обеспечения
основными дорожностроительными материалами.
2.2.2.14. Охрана окружающей
среды
Данный раздел разрабатывается в соответствии с «Рекомендациями по
учету требований по охране окружающей среды при проектировании автомобильных
дорог и мостовых переходов».
2.2.2.15. Организация
строительства
Характеристика условий строительства.
Предложения по выделению пусковых комплексов на проектируемом
участке дороги, обоснование.
Наименование и данные о дислокации вероятных подрядных и
субподрядных организаций.
Принятая продолжительность строительства, ее обоснование,
соответствие рекомендациям ЭО, используемые нормативные документы.
Принятая для расчета стоимости схема обеспечения строительства
основными дорожностроительными материалами.
Возможность использования местных строительных материалов, отходов
местного производства, грунтов.
Возможные для использования подъездные дороги, разгрузочные и
складские прирельсовые площадки, железнодорожные тупики, промежуточные
складские площадки.
Наличие на объекте работ, требующих привлечение специализированных
организаций (буровзрывные, гидромеханизация и т.д.).
Мероприятия по охране окружающей среды при производстве
строительных работ.
Основным методом экономической оптимизации цены строительной
продукции в новых условиях являются подрядные торги.
Для принятия решения об инвестировании и для предварительной
оценки стоимости строительства в процессе подготовки торгов и для переговоров с
подрядчиком по заказу инвестора рекомендуется составлять инвесторные сметы
(расчеты, калькуляции издержек).
Стоимость строительства рекомендуется проводить в 2-х уровнях цен:
В базисном уровне, определенных с помощью действующих норм и цен;
В текущем уровне, определяемого на основе цен, сложившихся ко
времени составления смет и предназначенном для подготовки тендерной
документации и формирования договорных цен (ресурсный, ресурсно-индексный
метод).
Стоимость в текущем уровне цен может также определяться на основе
базисного уровня с применением индексов, которые начисляются как в целом на
стоимость подрядных работ, так и на стоимость потребляемых ресурсов или статей
затрат (стоимость материалов, трудовых затрат, эксплуатации машин, накладных
расходов, сметная прибыль и др.).
При применении этого метода, стоимость ресурсов может
корректироваться по желанию пользователя.
В зависимости от применяемой нормативной базы индексы могут
устанавливаться к:
Сметным ценам, введенным с 1.01.84 г.;
Сметным ценам, введенным с 1.01.91 г.;
Текущим ценам предшествующего периода.
Принципы использования текущих и прогнозных индексов при
определении стоимости строительства приведены в Методических рекомендациях
(Письмо Госстроя РФ от 31.05.93 г. № 12-133).
Стоимость строительства в текущем уровне цен в документации
заказчика носит предварительный характер и используется при решении о
целесообразности данного мероприятия развития дороги.
В мировой практике при выполнении строительных работ наиболее
распространенными видами контрактов являются контракты, основанные на
фиксированных единичных расценках, и контракты, основанные на общей
фиксированной цене.
Применение фиксированных единичных расценок, которые учитывают
стоимость основных работ и начислений на временные здания и сооружения, прочие
затраты, непредвиденные затраты и т.д., позволяют уточнять объемы работ в ходе
строительства объекта.
Применение фиксированной общей цены позволяет использовать
традиционный метод составления сметной документации.
В этом случае для определения сметной стоимости строительства
предприятий, зданий и сооружений (или их очередей) составляется следующая
документация:
Сводный сметный расчет стоимости строительства и (при
необходимости) сводка затрат;
Объектные и локальные сметы;
Одновременно со сметной документации по желанию заказчика может
разрабатываться ведомость сметной стоимости строительства объектов, входящих в
пусковой комплекс.
В сводных сметных расчетах стоимость строительства распределяется
по следующим главам:
1. Подготовка территории строительства;
2. Земляное полотно;
3. Дорожная одежда;
4. Искусственные сооружения;
5. Пересечения и примыкания;
6. Дорожные устройства и обстановка дороги;
7. Дорожная и автотранспортная служба;
8. Подъезды к дороге;
9. Временные здания и сооружения;
10. Прочие работы и затраты;
11. Содержание дирекции (технический надзор) строящегося
предприятия и авторский надзор.
Отдельной строкой предусматривается резерв средств на
непредвиденные работы и затраты, исчисленный от общей сметной стоимости.
За итогом сводного сметного расчета указываются возвратные суммы
учитывающие реализацию материалов и деталей, полученных от разборки временных
зданий и сооружений, материалов и конструкций, полученных от разборки сносимых
и переносимых зданий, и сооружений, материалов, полученных в порядке попутной
добычи, долевое участие в строительстве и др.
Сводный сметный расчет составляется в целом на строительство
независимо от числа генеральных подрядных организаций, участвующих в нем.
Сметная стоимость работ и затрат, подлежащих осуществлению каждой
генеральной подрядной организацией, оформляется в отдельную ведомость,
составляемую применительно к форме сводного сметного расчета.
Распределение объектов, работ и затрат внутри глав сводного
сметного расчета производится согласно «Порядка определения стоимости
строительства и свободных (договорных) цен на строительную продукцию в условиях
развития рыночных отношений» введенных в действие с 1.04.94 г. письмом Госстроя
России от 29.12.93 г. № 12-349.
Сводку затрат следует составлять в том случае, если одновременно с
проектированием производственных объектов разрабатывается документация на
объекты жилищно-гражданского назначения, базы строительной индустрии, а так же
если капиталовложения предусматриваются из разных источников финансирования, а
при необходимости в других случаях. Сводкой затрат могут объединяться два и
более сводных сметных расчета на перечисленные виды строительства.
К сводному сметному расчету прилагается пояснительная записка, где
приводятся сведения о порядке определения сметной стоимости.
Локальные сметы и расчеты могут составляться различными методами,
выбор которых осуществляется в каждом конкретном случае в зависимости от
договорных условий: ресурсный, ресурсно-индексный, базисно-индексный,
базисно-компенсационный, на основе банка данных о стоимости ранее построенных
или запроектированных объектов-аналогов и др.
Окончательная цена строительства определяется соглашением между
заказчиком и подрядчиком. В результате совместного решения оформляется протокол
согласования свободной цены на строительство (договорной цены).
Формы сводного сметного расчета, сводки затрат, объектных и
локальных смет определяемых ресурсным методом и т.д. приведены в приложениях
«Порядка определения стоимости строительства и свободных (договорных) цен на
строительную продукцию в условиях развития рыночных отношений».
Форма определения сметной стоимости с использованием фиксированных
единичных расценок представлена в «Ведомости объемов работ» (материалы проекта
ремонта).

|
№№
п.п.
|
Наименование
перегонов
|
Протяжение
в км
|
Грузовое
движение
|
Пассажирское
движение
|
Итого
интенсив. движения автомобилей всех видов (в сутки)
|
|
количество
грузов, следующих по перегону в обоих направлениях (тыс. т.)
|
грузооборот
перегонов (тыс. тонно-километ.)
|
интенсив.
грузового движения авт/сутки в обоих направл.
|
в
том числе
|
|
легких
|
средних
|
тяжелых
|
легковые
|
автобусы
|
|
по
грузоподъемности
по
нагрузке на ось
|
|
|
|
|
|
1
|
2
|
3
|
4
|
5
|
6
|
7
|
8
|
9
|
10
|
11
|
12
|
|
|
|
|
|
Отчетный год
|
|
|
|
|
|
|
1.
|
Гвардейск
- Толпаки
|
19
|
720
|
13680
|
1800
|
270/320
|
770/850
|
760/630
|
3450
|
350
|
5600
|
|
2.
|
Толпаки
- Черняховск
|
29
|
340
|
9860
|
850
|
130/150
|
370/400
|
350/300
|
1800
|
150
|
2800
|
|
|
|
|
|
10-ти летняя перспектива
|
|
|
|
|
|
|
1.
|
Гвардейск
- Толпаки
|
19
|
1155
|
21945
|
2100
|
420/460
|
690/800
|
990/840
|
4430
|
370
|
6900
|
|
2.
|
Толпаки
- Черняховск
|
29
|
605
|
17545
|
1100
|
220/240
|
360/420
|
520/440
|
2580
|
170
|
3850
|
|
|
|
|
|
Расчетный срок
|
|
|
|
|
|
|
1.
|
Гвардейск
- Толпаки
|
19
|
1750
|
33250
|
2500
|
500/550
|
830/950
|
1170/1000
|
5800
|
400
|
8700
|
|
2.
|
Толпаки
- Черняховск
|
29
|
1050
|
30450
|
1500
|
300/330
|
500/570
|
700/600
|
3700
|
200
|
5400
|

Примечания.
1. Расчет дорожной одежды произведен
на ПЭВМ в соответствии с инструкцией по проектированию дорожных одежд
нежесткого типа ВСН 46-84.
2. Толщина конструктивных слоев
указана в см.
3.
Сравнительная стоимость 1 м2 дорожной одежды дана в ценах 1984 г.
|
|
Бульдозер
|
Экскаватор
|
|
Проектный
км
|
Насыпь
профильная
|
К
уплотнения
|
Объем
насыпи
|
Выемка
|
Замена
грунта
|
Объем
оплачиваемых работ
|
50
|
100
|
1000
|
2000
|
1000
|
2000
|
1000
|
2000
|
|
Общий
объем
|
В
насыпь
|
В
кавальер
|
Растительный
слой
|
Объем
торф.
|
Из
выемки в нижнюю часть насыпи
|
Недобор
выемки
|
Из
резерва № 10 в НЧН
|
Из
резерва № 10 в НЧН
|
Из
резерва № 10 на пересыпку обочин
|
|
27б
|
33а
|
33б
|
27б
|
33а
|
27б
|
33а
|
33в
|
34в
|
5б
|
5в
|
5в
|
27б
|
27в
|
27в
|
27б
|
27в
|
27в
|
27в
|
27в
|
27в
|
|
42
|
7109
|
1,08
|
7686
|
12300
|
12300
|
0
|
3403
|
0
|
7686
|
648
|
|
|
1627
|
|
1708
|
|
|
|
|
|
|
|
|
|
|
|
2935
|
|
768
|
|
|
43
|
48772
|
1,08
|
52620
|
141225
|
141225
|
0
|
141225
|
0
|
52620
|
|
179
|
1643
|
|
3886
|
|
1684
|
11145
|
7567
|
3130
|
5431
|
|
|
|
|
|
|
9400
|
|
2555
|
|
|
44
|
176458
|
1,08
|
190757
|
0
|
0
|
0
|
12662
|
0
|
190575
|
|
|
|
|
|
5560
|
14870
|
22188
|
|
|
|
42762
|
10342
|
5875
|
7280
|
42800
|
30047
|
|
7122
|
|
1729
|
|
Итого:
|
232289
|
|
250881
|
153525
|
153525
|
0
|
32457
|
0
|
250881
|
648
|
179
|
1643
|
1627
|
3886
|
7268
|
22554
|
33333
|
7567
|
3130
|
5431
|
42762
|
10342
|
5875
|
7280
|
42800
|
30047
|
12335
|
7122
|
3323
|
1729
|


|
Наименование
|
ИЗМЕРИТЕЛЬ
|
I
|
II
|
|
Площадь занимаемых земель
|
|
|
|
|
Объем инвестиций
|
|
|
|
|
Автотранспортные затраты
|
|
|
|
|
Экономия от сокращения
времени в пути
|
|
|
|
|
Потери от ДТП
|
|
|
|
|
Экологический ущерб
|
|
|
|
|
Те же затраты и доходы,
дисконтированные
|
|
|
|
|
Экономическая эффективность
|
|
|
|
|
Месторождение
|
Место
нахождения
|
Вид
сырья
|
Пригодность
|
|
Каменные
материалы
|
|
Ленинградская область
|
|
Ровное 1
|
3,5 км к С и СВ от ж.-д.
ст. Кузнечная (Каарлахти)
|
Гнейсо-гранит
|
Соответствует требованиям ГОСТ
9128-84
|
|
Кузнечное 1
|
1,2 км к СВ от ж.-д.ст.
Кузнечное
|
Гранит и гнейсно-гранит
|
Соответствует требованиям ГОСТ
9128-84
|
|
Эркиля (Скотный двор)
|
5 - 6 км к СВ от г.
Выборга, 2 - 3 км к СВ от ж.-д. ст. Тамми-Суо
|
Гранит-рапакиви
|
Соответствует требованиям ГОСТ
9128-84
|
|
Каменногорское
|
2 км к ЮВ от ж.-д. ст.
Каменногорск, правый берег
|
Гранит и гранито-гнейс
|
Соответствует требованиям ГОСТ
9128-84
|
|
Бабино Сельцо
|
12 км к С от ж.-д. ст.
Волховстрой 1, 1,5 км к В от пристани Бабино
|
Известняк
|
Соответствует требованиям ГОСТ
9128-84
|
|
Елизаветинское (участок
Елизаветино II)
|
2 км к ЮВ от ж.-д. ст.
Елизаветино
|
Доломит
|
Соответствует требованиям ГОСТ
9128-84
|
|
Вуокса
|
8 км к ЮВ от г. Лесногорка,
2 км к Ю от ж.-д. ст. Пруды
|
Гранит
|
Соответствует требованиям ГОСТ
9128-84
|
|
Псковская область
|
|
Ново-Изборский
гипсов-известняковый комбинат
|
|
Известняк
|
Соответствует требованиям ГОСТ
9128-84
|
|
Тверская область
|
|
Мончаловское
|
8 км в СЗ от ж.-д. ст.
Селище
|
Известняк
|
Соответствует требованиям ГОСТ
9128-84
|
|
Песчано-гравийное
сырье
|
|
Новгородская область
|
|
Ново-Едровское
|
Район ж.-д. ст. Едрово, у
ж.-д. линии Бологое-Валдай
|
Гравий
|
Соответствует требованиям ГОСТ
9128-84
|
|
Зубово
|
10 км к ЮЗ от ж.-д. ст.
Киприя
|
Валуны, гравий
|
Соответствует требованиям ГОСТ
9128-84
|
|
Псковская область
|
|
Себежское
|
11 км к ЮВ от ж.-д. ст.
Себеж, 4 км к ЮЗ от разъезда Заваруйки
|
Валуны, гравий
|
Соответствует требованиям ГОСТ
9128-84
|
|
Рудня
|
13 км к ЮЗ от г. Себеж, 0,5
км к С от д. Рудня
|
Валуны, гравий
|
Соответствует требованиям ГОСТ
9128-84
|
|
№
|
Наименование
материала и единицы измерения
|
Код
|
Количество
|
Примечание
|
|
материала
|
ед.
изм.
|
|
1
|
2
|
3
|
4
|
5
|
6
|
|
1
|
Битумы нефтяные и сланцевые
Всего
|
025600
|
168
|
2765,788
|
|
|
2
|
в том числе битумы нефтяные
строительные твердых марок
|
025621
|
168
|
2765,788
|
|
|
3
|
Сортовой прокат обыкновенного
качества
|
093000
|
|
|
|
|
4
|
Сталь арматурная класса А-I
|
|
168
|
82,592
|
|
|
5
|
Сталь мелкосортная
|
093300
|
168
|
8,908
|
|
|
6
|
диам. 14
|
|
168
|
0,218
|
|
|
7
|
диам. 12
|
|
168
|
0,014
|
|
|
8
|
диам. 10
|
|
168
|
8,676
|
|
|
9
|
Катанка
|
093400
|
168
|
73,683
|
|
|
10
|
диам. 8
|
|
168
|
70,765
|
|
|
11
|
диам. 6
|
|
168
|
2,918
|
|
|
12
|
Сталь арматурная класса А-II
|
|
168
|
4,530
|
|
|
13
|
Сталь мелкосортная
|
093300
|
168
|
4,530
|
|
|
14
|
диам. 14
|
|
168
|
4,174
|
|
|
15
|
диам. 12
|
|
168
|
0,041
|
|
|
16
|
диам. 10
|
|
168
|
0,315
|
|
|
17
|
Сталь арматурная класса А-III
|
093005
|
168
|
7,351
|
|
|
18
|
Катанка
|
093400
|
168
|
7,351
|
|
|
19
|
диам. 8
|
|
168
|
7,146
|
|
|
20
|
диам. 6
|
|
168
|
0,205
|
|
|
21
|
Итого сортового проката
обыкновенного качества
|
|
168
|
94,472
|
|
|
22
|
Прокат листовой рядовой
|
097100
|
168
|
0,075
|
|
|
23
|
Итого стали в натуральной
массе
|
|
168
|
0,075
|
|
|
24
|
в том числе по укрупненному
сортаменту
|
|
|
|
|
|
25
|
Сталь толстолистовая
рядовых марок (от 4 мм)
|
097100
|
168
|
0,075
|
|
|
26
|
Металлоизделия
промышленного назначения (метизы)
|
120000
|
|
|
|
|
27
|
Проволока стальная
низкоуглеродистая обыкновенного качества для железобетонного
|
121300
|
168
|
0,055
|
|
|
28
|
В-I
|
|
|
|
|
|
29
|
Проволока стальная низкоуглеродистая
периодического профиля
|
121400
|
168
|
0,238
|
|
|
30
|
ВР-I
|
|
|
|
|
|
31
|
Проволока стальная
высокопрочная для железобетона
|
122400
|
168
|
0,114
|
|
|
32
|
ВР-II
|
|
|
|
|
|
33
|
Итого металлоизделий
промышленного назначения
|
121300
|
168
|
0,406
|
|
|
34
|
Итого стали приведенной к
стали класса А-I
|
|
168
|
99,770
|
|
|
35
|
то же к стали ст. 3
|
|
168
|
0,075
|
|
|
36
|
Всего стали приведенной к
классу А-I
и ст. 3
|
|
168
|
99,845
|
|
|
37
|
Сталь сортовая
конструкционная
|
095000
|
|
|
|
|
38
|
Прокат стали ст. 3
|
|
168
|
23,415
|
|
|
39
|
Профили гнутые (без
оцинкованного настила) т
в том числе:
|
112100
|
168
|
60,909
|
|
|
40
|
Профили гнутые открытые Т
|
|
168
|
60,909
|
|
|
41
|
Итого стали сортовой
конструкционной в натуральной массе
|
|
168
|
84,323
|
|
|
42
|
в том числе по укрупненному
сортаменту
|
|
|
|
|
|
43
|
Балки и швеллеры
|
092500
|
168
|
84,323
|
|
|
44
|
Итого стали сортовой
конструкционной приведенной к стали ст. 3
|
|
168
|
92,851
|
|
|
45
|
Всего сортового проката
обыкновенного качества, стали сортовой конструкционной, листового проката,
металлоизделий промышленного назначения в натуральней массе
|
|
168
|
179,277
|
|
|
46
|
в том числе по укрупненному
сортаменту
|
|
|
|
|
|
47
|
Балки и швеллеры
|
092500
|
168
|
84,323
|
|
|
48
|
Сталь мелкосортная
|
093300
|
168
|
13,438
|
|
|
49
|
Катанка
|
093400
|
168
|
81,034
|
|
|
50
|
Сталь толстолистовая
рядовых марок (от 4 мм)
|
097100
|
168
|
0,75
|
|
|
51
|
Всего приведенной стали к
классу А-I
и ст. 3
|
|
168
|
192,695
|
|
|
52
|
в том числе:
|
|
|
|
|
|
53
|
на изготовление сборных
железобетонных и бетонных конструкций
|
|
168
|
99,845
|
|
|
54
|
строительные стальные
конструкции
|
|
168
|
92,851
|
|
|
55
|
Трубы и муфты
асбестоцементные м усл. труб
|
578600
|
|
1220,360
|
|
|
56
|
Трубы и муфты асбестоцементные
безнапорные м усл. труб
|
578630
|
|
1220,360
|
|
|
57
|
материалы лакокрасочные
(Всего) кг
|
231000
|
166
|
976,416
|
|
|
58
|
в том числе:
|
|
|
|
|
|
59
|
краски разные, кг
|
|
166
|
976,416
|
|
|
60
|
Продукция
лесозаготовительной и лесопильно-деревообрабатывающей промышленности
|
530000
|
|
|
|
|
61
|
лесоматериалы круглые,
используемые без переработки (в круглом виде) м3
|
531400
|
113
|
10,850
|
|
|
62
|
пиломатериалы качественные
м3
|
533100
|
113
|
11,563
|
|
|
63
|
Итого расход пиломатериалов
в круглом лесе м3
|
|
113
|
28,194
|
|
|
64
|
Щебень м3
|
571110
|
113
|
29006,220
|
|
|
65
|
Песок строительный
природный м3
|
571140
|
113
|
2585,360
|
|
|
66
|
Цемент
|
573000
|
|
|
|
|
67
|
Портландцемент
|
573110
|
|
|
|
|
68
|
М300 т
|
573151
|
168
|
85,906
|
|
|
69
|
М400 т
|
573112
|
168
|
874,389
|
|
|
70
|
М500 т
|
573113
|
168
|
0,400
|
|
|
71
|
цемент приведенный к марке
400 (всего) т
|
|
168
|
946,139
|
|
|
72
|
в том числе на:
|
|
|
|
|
|
73
|
изготовление монолитных
железобетонных и бетонных конструкций т
|
|
168
|
71,302
|
|
|
74
|
изготовление сборных
железобетонных и бетонных конструкций т
|
|
168
|
874,837
|
|
|
75
|
Кирпич строительный
(включая камни) тыс. шт.
|
574120
|
168
|
8,100
|
|
Коды единиц измерения: килограмм - 166, тонна - 168, метр - 006,
квадратный метр - 055, кубический метр - 113, ЭКМ - 084, штука (комплект) -
796, тысяч штук - 798, тысяч условных плиток (туп) - 732, тысяч метров
квадратных - 056, киловатт - 214


Условные обозначения
- Итоговый
коэффициент аварийности
- Итоговый
коэффициент аварийности
Контрактные материалы состоят из следующих разделов:
* перечень ГОСТов, отраслевых стандартов, нормативных и
рекомендательных документов, типовых проектов, привязанных к условиям данного
проекта и обязательных для исполнения при производстве работ;
* технические спецификации - краткое и четкое описание отдельных
видов работ, требования к качеству этих работ, материалам и оборудованию;
* ведомости сооружений и основных видов работ;
* ведомости объемов работ;
* основные чертежи.
В рекомендации включены образцы технических спецификаций,
ведомостей сооружений и основных видов работ, чертежей, ведомостей объемов
работ, ведомостей потребных материалов и ресурсов, спецификаций на поставляемое
оборудование и материалы, образцы документов конкурсных торгов.
Образцы прилагаемых документов условно разделены для проектов на
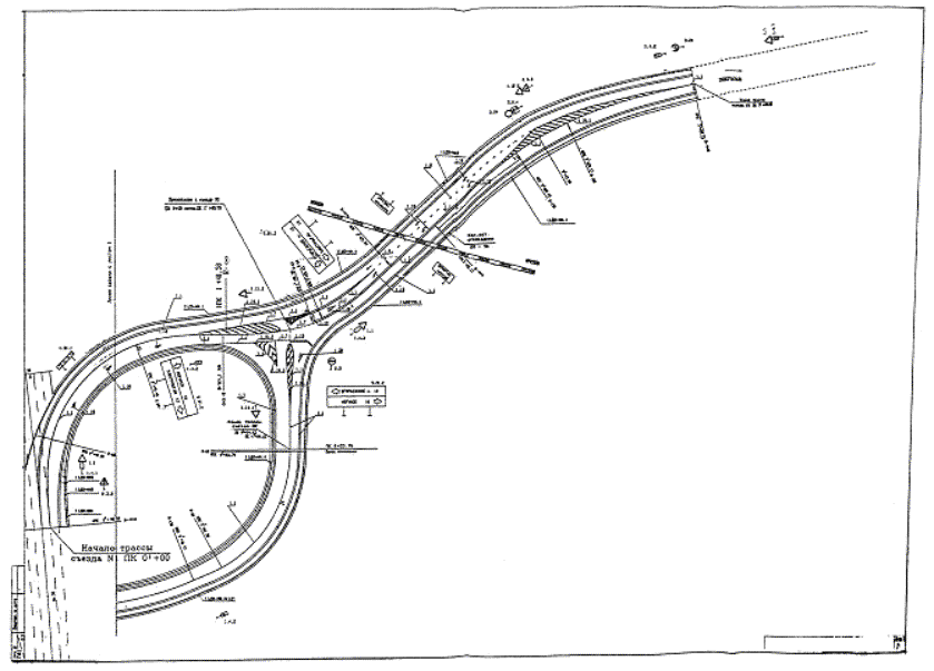
ремонт и для проектов на строительство, реконструкцию.
Образцы документов конкурсных торгов призваны служить моделью для
заключения контрактов, которые основаны на единичных расценках в соответствии с
ведомостью объемов и стоимости работ или имеют заранее определенную общую
фиксированную цену. Эти два вида контрактов являются наиболее распространенными
при выполнении строительных работ. Контракты с твердой ценой заключаются, в
частности, на строительство зданий и выполнение других видов строительных
работ, где объем работ четко обозначен, изменения в качестве или спецификациях,
равно как и возникновение трудностей или непредвиденных обстоятельств
(например, скрытые трудности сооружения фундамента) маловероятны.
Контракты с фиксированной ценой
Контракты с фиксированной ценой заключаются на выполнение работ,
которые можно четко определить по объему и качеству до начала торгов, а также
работ, которые связаны с минимальным риском существенных изменений в проектной
документации.
Применительно к контрактам с фиксированной ценой используется
понятие «графика работ», чтобы обеспечить платежи по мере завершения этих
работ. Оплата может осуществляться по окончании определенного процента того или
иного вида работ.
Приглашение к участию в торгах обычно делается:
* как объявление, по крайней мере, в одной общественной газете
страны Работодателя;
* в виде письма, адресованного подрядчикам, прошедшим
предварительный квалификационный отбор, или подрядчикам, проявившим интерес к
участию в конкурсе на данные Строительные Работы.
Приглашение направлено на то, чтобы сообщить
потенциальным участникам торгов информацию, которая позволит им принять решение
об участии. Помимо существенных моментов, включенных в документы конкурсных
торгов, в Приглашении должны быть указаны все важные или необычные критерии
оценки конкурсных предложений (например, наличие льгот в процессе оценки
конкурсных предложений).
|
Приглашение к участию в торгах (ПУТ)
дата: (дата объявления)
Конкурсное предложение номер:________
1. _________________ (наименование заемщика)
получит кредит от Федерального Дорожного Департамента Министерства Транспорта
РФ (далее именуемого по всему тексту «ФДД») в счет расходов на______________
(наименование проекта) и имеет намерение использовать эту сумму для
предусмотренных выплат по контракту на_______ (наименование контракта)
2. _______________(наименование Работодателя и характеристика
его взаимоотношений с Заемщиком) приглашает участников подать конкурсные
предложения на сооружение _________________(краткое описание Строительных
Работ).
3. Документы конкурсных торгов (и их дополнительные экземпляры)
можно приобрести ____________________________ (адрес офиса) за не подлежащую
возмещению плату в размере ___________ за каждый набор документов. По тому же
адресу заинтересованные участники могут получить дополнительную информацию.
4. При подаче конкурсного предложения требуется залог в размере
____________.
Конкурсные заявки можно подать по следующему адресу:
____________________
(полный адрес пункта по приему предложений) не
позднее____________________
(окончания приема конкурсных предложений), когда конкурсные
предложения будут вскрыты в присутствии всех желающих участников торгов.
Раздел 1. Инструкции для
участников (ИДУ)
Данный раздел документации конкурсных торгов предназначен для
того, чтобы снабдить участников информацией, необходимой для подготовки
конкурсных предложений в соответствии с требованиями Работодателя. Он должен
также содержать сведения о подаче
предложений, начале торгов, оценке предложений и присуждении контракта.
Инструкции для участников не входят в Контракт и теряют силу
после подписания Контракта.
Инструкции для участников (ИДУ)
А. Общие
положения
1. Предмет торгов
2. Квалификация участников торгов
3. Одно предложение от каждого участника
4. Затраты на участие в конкурсных торгах
5. Посещение Участка
Б. Документы конкурсных
торгов
6. Содержание документации конкурсных торгов
7. Разъяснения касательно документов конкурсных торгов
8. Внесение изменений в документы конкурсных торгов
В. Подготовка конкурсных
предложений
9. Документы, составляющие конкурсное предложение
10. Стоимость конкурсного предложения
11. Срок действия конкурсного предложения
12. Залог
13. Альтернативные предложения участников конкурсных торгов
14. Форма конкурсного предложения и его подписание
Г. Подача конкурсного
предложения
15. Запечатывание и маркировка конкурсных предложений
16. Окончание срока приема конкурсных предложений
17. Конкурсные предложения, поданные с опозданием
18. Изменения в конкурсных предложениях и отказ от предложений
Д. Вскрытие конвертов и
оценка предложений
19. Вскрытие конвертов с предложениями
20. Соблюдение конфиденциальности
21. Разъяснения предложений
22. Изучение конкурсных предложений и определение их
соответствия требованиям
23. Исправление ошибок
24. Стоимость конкурсного предложения
23. Оценка и сравнение конкурсных предложений
Е. Присуждение Контракта
26. Критерии присуждения Контракта
27. Право Работодателя принять любое предложение и отклонить все
и любые предложения
28. Уведомление о присуждении Контракта и подписание Соглашения
29. Обеспечение выполнения Контракта
30. Авансовый платеж и его обеспечение
31. Третейский судья
32. Риск работодателя
33. Риск подрядчика
34. Страхование
35. Письмо о принятии конкурсного предложения
Инструкции для участников
А. Общие
положения
1.
Предмет торгов
1.1 Работодатель приглашает подать предложения на конкурсные
торги на строительство «Автомобильной дороги от п. Черноголовка до автодороги
Москва - Егорьевск на участке обхода г.г. Ногинск и Электросталь в Ногинском
районе Московской области I очередь строительства».
1.2 Победитель конкурсных торгов должен завершить строительство
объекта до ….
2. Квалификация участников
2.1 Все участники торгов представляют «Формы конкурсного
предложения и квалификационные сведения», предварительное описание
предлагаемых метода и графика работы, включая чертежи и схемы при
необходимости.
2.2 Если Работодатель не проводил предварительного
квалификационного отбора потенциальных участников, все участники должны
включить в свои конкурсные предложения следующую информацию
и документы, если иное не предусмотрено:
(а) экземпляры оригиналов документов, определяющих юридический
статус, место регистрации и основное место деятельности; письменную
доверенность лицу, подписавшему конкурсное предложение, на право принимать
обязательства от имени участника;
(б) сведения об общей стоимости строительных работ, выполненных
за последние 2 года, по годам;
(в) сведения о наличии опыта выполнения аналогичных по характеру
и объему работ в течение последних двух лет по годам, а также подробные
сведения о текущих работах и контрактных обязательствах; сведения о лицах, к
которым можно обратиться за получением дальнейшей информации по этим
контрактам;
(г) сведения об основных видах строительного оборудования,
которые предполагается использовать в ходе выполнения Контракта;
(д) сведения о квалификации и опыте основных руководителей работ
на участке и технических специалистов, которые предлагаются для выполнения
Контракта;
(е) отчеты о финансовом состоянии участника, например, отчеты о
результатах хозяйственной деятельности и отчеты о результатах аудиторских
проверок за последние два года;
(ж) информацию, касающуюся судебных разбирательств, в которые в
настоящее время вовлечен участник, с указанием сторон тяжбы и оспариваемых
сумм; а также
(з) предложения о субподрядах на компоненты Объекта,
составляющие более чем 10 процентов Стоимости Контракта.
2.3 Конкурсные предложения, которые подает совместное
предприятие, состоящее из двух или более фирм-партнеров, должно отвечать
следующим требованиям, если иное не предусмотрено:
(а) конкурсное предложение должно включать в себя все сведения,
перечисленные в подпункте 2.2 выше,
применительно к каждому партнеру;
(б) конкурсное предложение должно быть составлено таким образом,
чтобы наложить обязательства на всех партнеров;
(в) все партнеры несут совместно и по отдельности
ответственность за выполнение Контракта в соответствии с условиями Контракта;
(г) один из партнеров назначается ведущим; он имеет полномочия
нести обязательства и получать указания от имени и по поручению любого
партнера и всех партнеров, вместе взятых, а также;
(д) все операции по выполнению Контракта, включая платежи,
совершается исключительно с ведущим партнером.
2.4 Для того, чтобы иметь право на получение контракта или его
части Участник торгов должен:
(а) пройти предварительный квалификационный отбор на выполнение
соответствующего объема работ;
(б) представить доказательства того, что у Подрядчика есть площадь
с необходимыми коммуникациями и разрешение для эксплуатации своего
асфальтобетонного завода, а также необходимые площадки для складирования
материалов;
(в) иметь Лицензию, оформленную в соответствии с Российским
законодательством, действовавшим на момент подачи Конкурсного предложения.
Неоднократное участие в судебных тяжбах и неоднократные решения
арбитражных органов против участника или какого-либо из партнеров по
совместному предприятию может иметь результатом отстранение от участия в
конкурсных торгах.
2.5 Опыт субподрядчиков, прошедших переквалификацию будет
учитываться при определении соответствия основного Подрядчика
квалификационным критериям.
3. Одно предложение от
каждого участника
3.1 Каждый участник может подать только одно конкурсное предложение,
либо самостоятельно, либо в качестве партнера в совместном предприятии.
Участник, который подает более одного конкурсного предложения или участвует в
нескольких предложениях (за исключением участия в качестве субподрядчика или
в случаях, когда разрешены или требуются альтернативы), отстраняется от
участия в торгах по всем предложениям.
4. Затраты на участие в
конкурсных торгах
4.1 Участник несет все затраты, связанные с подготовкой и
подачей конкурсного предложения. Работодатель ни в каких случаях не несет
обязанностей или ответственности за такие затраты.
5. Посещение Участка
5.1 Участнику рекомендуется на свою ответственность и на свой
страх и риск посетить и осмотреть Участок сооружения Объектов и прилегающую
территорию, а также получить все сведения, которые могут быть ему необходимы
для подготовки конкурсного предложения и заключения контракта на
строительстве Объектов. Затраты на посещение Участка покрывает участник из
собственных средств.
Б. Документы конкурсных
торгов
6.
Содержание документов конкурсных торгов
6.1 Набор документов конкурсных торгов включает в себя следующие
документы, перечисленные в нижеследующей таблице и приложениях, составленных
в соответствии с пунктом 8:
Приглашение к участию в конкурсных торгах
Раздел 1. Инструкции для участников торгов
Раздел 2. Бланк конкурсного предложения и квалифицированных
сведений
Раздел 3. Условия Контракта
Раздел 4. Сведения о Контракте
Раздел 5. Технические спецификации
Раздел 6. Чертежи
Раздел 7. Ведомость объемов и стоимости работ
(15)
|
|
(15) Изъять
пункт «Ведомость объемов и стоимости работ» из перечня в случае контрактов с
фиксированной ценой заменить на «График работ»
|
|
7. Разъяснения касательно
документов конкурсных торгов
7.1 Потенциальный участник, которому нужны разъяснения
касательно документов конкурсных торгов, может уведомить об этом Работодателя
в письменном виде или по телеграфу (далее в понятие «телеграф» включается
также телекс и телефакс) по адресу Работодателя, указанному в «Приглашении к
участию в конкурсных торгах». Работодатель отвечает на просьбы о
разъяснениях, полученные за 28 дней до конца срока подачи конкурсных
предложений. Экземпляры ответов Работодателя, с указанием характера запроса,
но без указания его источника, направляются всем лицам, получившим
документацию конкурсных торгов.
8. Внесение изменений в
документы конкурсных торгов
8.1 В течение срока приема конкурсных предложений Работодатель
имеет право внести изменения в документы конкурсных торгов, выпустив
дополнения.
8.2 Любые дополнения являются частью документации конкурсных
торгов и в письменном виде или по телеграфу доводятся до сведения всех лиц,
получивших документацию конкурсных торгов. Потенциальные участники должны по
телеграфу уведомить Работодателя о получении каждого дополнения.
8.3 Чтобы у потенциальных участников было время учесть
дополнения при подготовке конкурсных предложений, Работодатель должен
продлить сроки подачи конкурсных предложений в соответствии с подпунктом 16.2.
В. Подготовка конкурсных
предложений
9.
Документы, составляющие конкурсное предложение
9.1 Конкурсное предложение, которое представляет участник,
включает в себя следующие документы:
(а) Конкурсное Предложение
(б) Залог конкурсного предложения;
(в) Ведомость объемов работ с указанием стоимости или График
работ с указанием стоимости;
(г) форма сведений о квалификации и квалификационные документы;
(д) альтернативные предложения, если таковые имеются,
а также любые другие материалы, которые участники должны
заполнить или подготовить.
10. Стоимость конкурсного
предложения
10.1 Участник указывает расценки по всем
категориям Строительных Работ, включенных в Ведомость Объемов и Стоимости
Работ (21). Те работы, которые не включены в Ведомость, не подлежат оплате
Работодателем после их выполнения. Считается, что они включены в расценки по
другим категориям работ в Ведомости.
|
|
(21) В
случае контрактов с фиксированной ценой вычеркните «включенные в ведомость
Объемов и Стоимости Работ» и вставьте «представленные в чертежах и
спецификациях и перечисленные в графике Работ».
|
|
10.2 Все пошлины, налоги и прочие сборы, которые Подрядчик
оплачивает в соответствии с Контрактом или на иных основаниях, по состоянию
за 28 дней до скончания приема конкурсных предложений, включаются в общую
стоимость Конкурсного Предложения, заявленные участником (22).
|
|
(22) В
случае контрактов с фиксированной ценой следует вычеркнуть «расценки и цены»
|
|
для Контрактов с фиксированной ценой
|
|
(23)
Если предусматриваются краткосрочные работы (обычно сроком менее 12 месяцев),
можно рассмотреть возможность заключения контракта с фиксированной ценой
|
|
10.3 Расценки и цены (24), которые дает участник, фиксируются на
период Контракта и не подлежат пересмотру ни на каких основаниях, за
исключением случаев, предусмотренных условием контракта.
|
|
(24) В
случае контрактов с фиксированной ценой следует изъять «расценки и цены» и
вставить «фиксированная цена»
|
|
11. Срок действия
конкурсного предложения
11.1 Срок действия Конкурсного предложения составляет девяносто
дней после истечения окончательного срока подачи
Конкурсных предложений.
11.2 В исключительных случаях Работодатель может попросить
участников дополнительно продлить срок действия конкурсных предложений на
определенный период. Просьба и ответы на нее совершаются в письменном виде
или по телеграфу. Участник может отказать в просьбе, не утратив при этом
залога конкурсного предложения. Участник, согласившийся продлить срок своего
предложения, не имеет права и не обязан вносить изменения в предложение, но
обязан продлить срок действия залога на период продления срока действия
предложения в полном соответствии с пунктом 12.
12. Залог конкурсного
предложения
12.1 Участник представляет в качестве
составной части конкурсного предложения в залог в размере______________(32)
или эквивалент в свободно конвертируемой валюте.
|
|
(32)
Сумма, указанная в Приглашении к участию в торгах. Она не должна превышать 3
процентов оценочной стоимости Работ. Чтобы предотвратить утечку информации о
стоимости предложений из финансовых учреждений, выдающих залог, лучше
устанавливать фиксированную сумму, а не процент от стоимости предложения.
|
|
12.2 Залог может по усмотрению участника иметь
форму удостоверенного чека, банковского переводного векселя, резервного
аккредитива или гарантии банка или поручителя.
12.3 Если конкурсное предложение не сопровождается залогом,
Работодатель должен его отклонить.
12.4 Участникам, проигравшим конкурсные торги, залог
возвращается в течение 28 дней после окончания срока действия конкурсных
предложений в соответствии с подпунктом 11.1.
12.5 Залог участника, выигравшего конкурсные торги, возвращается
после подписания участником Соглашения и представления обеспечения выполнения
Контракта.
12.6 Залог утрачивается в следующих случаях:
(а) если участник отказывается от своего предложения в течение
срока его действия после вскрытия конвертов с конкурсными предложениями;
(б) если участник не соглашается на исправления стоимости
предложения в соответствии с пунктом 23;
(в) если участник, выигравший конкурсные торги, не обеспечивает
своевременно:
(1) подписания Соглашения; или
(2) представления обеспечения выполнения контракта.
13. Альтернативные
предложения участников
13.1 В случае, когда альтернативные предложения не разрешены,
участники подают предложения, которые соответствуют требованиям документации
конкурсных торгов, включая основную техническую проектную документацию
согласно чертежам и спецификациям. Альтернативы рассматриваться не будут.
13.2 Когда альтернативные предложения разрешены, участники,
желающие представить технические альтернативы требованиям документов
конкурсных торгов, должны представить также предложения, которые
соответствуют требованиям документов конкурсных торгов, включая основные
технические проектные документы согласно чертежам и спецификациям. Помимо
основного предложения участники должны представить данные, необходимые для
полной оценки альтернативы Работодателем, включая проектные расчеты,
технические спецификации, разбивку по элементам стоимости, предлагаемые
методы строительства и другие существенные сведения. Работодатель
рассматривает только технические альтернативы участника, подавшего
предложение с наименьшей оценочной стоимостью и в соответствии с основными
техническими требованиями.
14. Форма конкурсного
предложения и его подписание
14.1 Участник готовит один оригинал и обычно 2 и более, если
необходимо, копий документов, которые входят в конкурсное предложение в
соответствии с пунктом 9 «Инструкций для участников». Они подшиваются в один
том с Бланком Предложения и четко помечаются «ОРИГИНАЛ» и «КОПИЯ»
соответственно. В случае расхождений необходимо следовать оригиналу.
14.2 Оригинал и все копии конкурсных предложений подаются в
печатном виде или написанными от руки чернилами. Они должны быть подписаны
лицом или лицами, которые имеют право подписи от имени участника. Все
страницы конкурсного предложения, где вносятся новые сведения или делаются
изменения, должны быть завизированы лицом или лицами, подписавшими
предложение.
Г. Подача конкурсных
предложений
15.
Запечатывание и маркировка конкурсных предложений
15.1 Участник запечатывает оригинал и все копии конкурсного
предложения во внутренний и наружный конверты, которые помечаются
соответственно: «ОРИГИНАЛ» и «КОПИЯ».
15.2 Внутренний и наружный конверты должны:
(а) быть адресованы Работодателю по адресу:
_________________________________________
(вставить адрес для подачи предложений), а также
(б) иметь следующие пометки:
- Конкурсное предложение на_______________________(наименование
Контракта)
- номер предложения__________________(вставить цифру)
- не вскрывать до___________________(время, дата, когда конверты
с конкурсными предложениями должны быть вскрыты согласно пункту 16)
15.3 Помимо пометок в соответствии с требованиями подпункта 15.2 на внутреннем конверте должны быть
указаны имя и адрес участника, чтобы конкурсное предложение можно было
вернуть, не распечатывая, если оно поступит с опозданием согласно пункту 17.
15.4 Если наружный конверт не запечатан и не маркирован, как
указано выше, Работодатель не несет никакой ответственности в случае, если
предложение попадет не точно по адресу или будет вскрыто преждевременно.
16. Окончание приема
конкурсных предложений
16.1 Работодатель должен получить конкурсные предложения по
адресу, указанному в подпункте 15.2
(а) выше, не позднее.
16.2 Работодатель может продлить срок
приема предложений, внеся поправку в соответствии с пунктом 8. В таких случаях все права и обязанности Работодателя и
участников, связанные с первоначальным сроком, распространяются на новые сроки.
17. Конкурсные предложения,
поданные с опозданием
17.1 Работодатель возвращает участнику, не распечатывая, все
конкурсные предложения, которые он получает после окончания сроков приема.
18. Изменения в конкурсных
предложениях и отказ от предложений
18.1 Участник может внести изменения в конкурсное предложение
или оказаться от него, о чем направляется уведомление в письменном виде до
окончания сроков, указанных в пункте 16.
18.2 Уведомление о внесении изменений или отказе от конкурсного
предложения должно быть подготовлено, запечатано, маркировано и доставлено в
соответствии с пунктами 14 и 15. При этом наружный и внутренний конверты
дополнительно маркируются «ИЗМЕНЕНИЕ» или «ОТКАЗ» соответственно.
18.3 После окончания сроков приема предложений в них не могут
быть внесены никакие изменения.
18.4 Отказ от предложения в период между окончанием сроков
приема и истечением первоначального периода действия предложения, указанного
в пункте 11.1, может явиться
основанием для утраты залога согласно пункту 12.
Д. Вскрытие и оценка
конкурсных предложений
19.
Вскрытие конвертов с предложениями
19.1 Работодатель вскрывает конверты с предложениями, включая
изменения, внесенные в соответствии с пунктом 18
в присутствии представителей участников, которые пожелают при этом
присутствовать.
19.2 Первыми вскрываются и оглашаются предложения из конвертов с
пометкой «ОТКАЗ». При этом конкурсные предложения, об отказе от которых было
послано уведомление в соответствии с пунктом 18,
не вскрываются.
19.3 Вскрывая конверты, Работодатель
оглашает имена участников, стоимость предложений, в том числе альтернативных,
скидки, изменения в предложениях, отказ от предложений, наличие или
отсутствие залога конкурсных предложений и прочие сведения по усмотрению Работодателя.
19.4 Работодатель ведет протокол процедуры вскрытия конвертов с
предложениями. В него заносится та информация, которая оглашается
присутствующим в соответствии с подпунктом 19.3
20. Соблюдение конфиденциальности
20.1 Данные, касающиеся изучения, разъяснения, оценки и
сравнения конкурсных, предложений, а также рекомендации по присуждению
контракта не подлежат разглашению участникам или иным лицам, которые
официально не имеют отношения к этому процессу, до того как будет объявлен
победитель конкурсных торгов. Попытки участника повлиять на обработку
Работодателем конкурсных предложений или присуждение контракта могут
послужить основанием для отклонения предложения такого участника.
21. Разъяснение предложений
21.1 Чтобы облегчить процесс изучения, оценки и сравнения
конкурсных предложений, Работодатель может по своему усмотрению попросить
участника разъяснить предложение. Просьбы и ответы на них совершаются в
письменном виде или по телеграфу, телексу или телефаксу, однако при этом
нельзя добиваться, предлагать или разрешать
изменять стоимость или существо предложения, за исключением случаев, когда
это необходимо, чтобы исправить арифметические ошибки, обнаруженные
Работодателем при оценке предложений в соответствии с пунктом 23.
22. Изучение конкурсных
предложений и определение их соответствия требованиям
22.1 Прежде чем приступить к подробному изучению конкурсных
предложений Работодатель определяет: (а) соблюдение правил подписания
предложений; (б) наличие залога; (в) соответствие требованиям документов
конкурсных торгов.
22.2 Конкурсное предложение по существу отвечает требованиям,
если в нем соблюдены все условия и положения документов конкурсных торгов без
существенных отклонений или оговорок. Существенными считаются отклонения или
оговорки, которые: (а) оказывают существенное влияние на характер, качество
или функционирование Объекта; (б) существенным образом, в нарушение положений
документов конкурсных торгов, ограничивают права Работодателя или
обязательства участника по Контракту; (в) исправление которых поставит в
неравные условия конкурентной борьбы других участников, представивших
отвечающие требованиям предложения.
22.3 Предложение, которое не отвечает требованиям, отклоняется
Работодателем и не может впоследствии быть приведено в соответствие с
условиями путем исправления или изъятия нарушающих требования отклонений или
оговорок.
23. Исправление ошибок
23.1 Предложения, признанные отвечающими требованиям по существу,
проверяются Работодателем на предмет наличия арифметических ошибок.
Работодатель исправляет ошибки. Если имеется расхождение между величинами,
выраженными цифрами и прописью, следует руководствоваться величиной, которая
выражена прописью;
если имеется расхождение между единичной
расценкой и общей суммой, полученной в результате умножения ее на количество
единиц, следует руководствоваться единичной расценкой, если, по мнению
Работодателя, не имеет места грубая ошибка в
постановке знака десятичной дроби. В таких случаях следует руководствоваться
общей суммой и исправить единичную расценку.
|
|
(36) В
случае контрактов с фиксированной ценой нужно изъять фрагмент текста, начиная
со слов «следующим образом» до конца пункта и вместо этого вставить:
«следующим образом: если имеется расхождение между величинами, выраженными
цифрами и прописью, следует руководствоваться величиной, которая выражена
прописью».
|
|
23.2 Величина, указанная в Бланке Предложения,
корректируется Работодателем в соответствии с вышеизложенными правилами
исправления ошибок с согласия участника и считается обязательной для
соблюдения участником. Если участник не принимает исправленной стоимости
предложения, предложение отклоняется, а залог утрачивается в соответствии с
подпунктом 12.
24. Стоимость конкурсного
предложения
24.1 Стоимость конкурсного предложения определяется в ценах
на........
25. Оценка и сравнение
конкурсных предложений
25.1 Работодатель оценивает и сравнивает только те конкурсные
предложения, которые признаны соответствующими требованиям согласно пункту 22.
25.2 При оценке предложений Работодатель определяет
применительно к каждому конкурсному предложению Оценочную Стоимость
Предложения, внося следующие коррективы в Стоимость Предложения:
(а) исправление ошибок согласно пункту 23;
(б) внесения поправок на колебания, отклонения и альтернативные
предложения, представленные в соответствии с пунктом 13, а также;
(в) внесение необходимых поправок на скидки и иные изменения
стоимости, представленные в соответствии с подпунктом 18.5.
25.3 Работодатель оставляет за собой право принять или отклонить
любые изменения, отклонения или альтернативные предложения. Изменения,
отклонения, альтернативные предложения и другие факторы, которые превышают
требования документов конкурсных торгов или иным образом приводят к получению
Работодателем непредусмотренных выгод, не учитываются при оценке предложений.
Е. Присуждение Контракта
26.
Критерии присуждения контракта
26.1 Согласно пункту 27
Работодатель присуждает Контракт участнику, предложение которого признано по
существу отвечающим документам конкурсных торгов и который предложил
Наименьшую Оценочную Стоимость Предложения, при условии, что этот участник
признан имеющим квалификацию в соответствии с пунктом 2.
27. Право Работодателя
принять любое предложение и отклонить все и любые предложения
27.1 Безотносительно к пункту 26
Работодатель оставляет за собой право принять или отклонить любое
предложение, а также отклонить все конкурсные предложения и аннулировать
процесс торгов в любой момент до присуждения Контракта, не неся при этом
никаких обязательств перед участниками и не будучи обязанным информировать
участника или участников о причинах таких действий Работодателя.
28. Уведомление о
присуждении Контракта и подписание Соглашения
28.1 До истечения первоначального срока действия конкурсного
предложения, установленного Работодателем, Работодатель уведомляет победителя
торгов по телеграфу, телексу или телефаксу с подтверждением заказным письмом,
что его предложение принимается. Это письмо (именуемое далее по тексту
«Письмо о принятии предложения») должно содержать указание суммы, которую
Работодатель обязуется уплатить Подрядчику за сооружение, завершение и
ремонтно-техническое обеспечение Объектов Подрядчиком в соответствии с
Контрактом (далее здесь и в Контракте «Стоимость Контракта»).
28.2 Уведомление о победе в торгах равносильно заключению
Контракта при условии предоставления обеспечения выполнения Контракта в
соответствии с пунктом 29 и подписания Соглашения в соответствии с подпунктом
28.3.
28.3. Соглашение включает в себя все договоренности между
Работодателем и участником, выигравшим конкурсные торги. Соглашение
подписывается Работодателем и направляется победителю торгов в течение 28
дней после уведомления о присуждении Контракта. В
течение 21 дня после его получения участник, победивший в конкурсных торгах,
подписывает Соглашение и доставляет его Работодателю.
28.4 После предоставления победителем торгов обеспечения
выполнения Контракта Работодатель незамедлительно извещает остальных
участников, что их предложения отклонены.
29. Обеспечение выполнения
Контракта
29.1 В течение 21 дня после получения Письма о принятии
конкурсного предложения победитель торгов представляет Работодателю
обеспечение выполнения Контракта в форме банковской
гарантии или (по усмотрению участника) долгового обязательства по выполнению
Контракта.
29.2 Если победитель торгов представляет обеспечение выполнения
Контракта в виде долгового обязательства, оно выдается поручителем, которого
участник определил приемлемым для Работодателя.
29.3 Если победитель торгов не может соблюсти требования
подпункта 29.1, это является
достаточным основанием для отмены результатов торгов и утраты залога
конкурсного предложения.
30. Авансовый платеж и
залог
30.1 Работодатель осуществляет авансовые платежи в соответствии
с «Условиями Контракта».
31. Третейский судья
31.1 Работодатель предлагает в качестве Третейского Судьи по
Контракту органы Госарбитража.
32. Риски Работодателя
32.1 Начиная с Начала Работ и до Окончания Работ следующие виды
риска представляют собой риск Работодателя:
(а) риск увечий или смерти людей, потери или нанесения ущерба
имуществу (за исключением Объектов, Установок, Материалов и Оборудования),
который связан с:
(I) - использованием или занятием Участка для выполнения Работ,
или что является неизбежным результатом выполнения Работ, или
(II) халатностью, нарушением обязанностей, предусмотренных законом,
или посягательством на любое законное право Работодателя со стороны любого
лица, которое находится у него в штате или на подряде, за исключением
Подрядчика.
(б) Риск нанесения ущерба Объектам, Установкам, Материалам и
Оборудованию в той степени, в которой это обусловлено виной Работодателя или
недостатками проекта Работодателя.
33. Риск Подрядчика
33.1 Начиная с Начала Работ и до Окончания работ риск увечий или
смерти людей, потери или нанесения ущерба имуществу (включая Сооружения,
Установки, Материалы и Оборудование безо всяких ограничений), который не
представляет собой риск Работодателя, есть риск Подрядчика.
34. Страхование
34.1 Подрядчик обеспечивает страховое покрытие с Начала Работ до
конца Гарантийного Срока совместно на имя Работодателя и Подрядчика на суммы,
дополнительно указываемые Работодателем, на случай наступления следующих
событий, составляющих риск Подрядчика:
(а) утрата или нанесение урона Объектам, Установкам и
Материалам;
(б) утрата или повреждение Оборудования;
(в) утрата или нанесение повреждения имуществу (за исключением
Объектов, Установок, Материалов и Оборудования) в связи с Контрактом, а
также;
(г) увечья или гибель людей.
34.2 Подрядчик представляет Работодателю на утверждение
страховые сертификаты и полисы до Начала Работ. Все страхование обеспечивает
выплату компенсаций в таком их пропорциональном соотношении, которое
необходимо для восстановления урона или ликвидации ущерба.
34.3 Если Подрядчик не представляет какие-либо из требуемых
полисов и сертификатов, Работодатель может заключить договоры страхования,
которые должен был заключить Подрядчик, и вычесть суммы страховых премий
Работодателя из выплат в пользу Подрядчика или, если таковых выплат не
предусматривается, выплата премий считается долгом к уплате.
34.4 Условия страхования не могут быть изменены без утверждения
Работодателя.
34.5 Обе стороны обязаны соблюдать все условия страховых
полисов.
Раздел 2. Образцы бланков конкурсных
предложений, сведений о квалификации и письма о принятии предложения
Предложение
Подрядчика
Описание Строительных Работ:
___________________________________________
___________________________________________
___________________________________________
КОНКУРСНОЕ ПРИЛОЖЕНИЕ
Кому:_______________________(Работодателю)
Адрес:_________________________________(44)
Мы предлагаем выполнить строительно-монтажные Работы, описанные
выше, за
Стоимость______________(цифрами) (___________________)
(прописью) (45).
Мы принимаем назначение ___________________в качестве
Третейского Судьи.
(ИЛИ)
Мы не принимаем назначение ___________________в качестве
Третейского судьи и предлагаем назначить Третейским Судьей
___________________.
Данное конкурсное предложение и ваше письменное подтверждение
его принятия представляют собой заключение между нами Контракта,
обязательного для выполнения сторонами.
Подпись:___________________
Компания:__________________(Подрядчик)
Адрес:_____________________
Дата:______________________
|
|
|
(44)
Заполняется Работодателем перед выдачей документов конкурсных торгов.
|
|
|
|
|
|
(45)
Заполняется участником вместе с данными об участнике и проставлением даты
подачи предложения внизу Бланка Конкурсного Предложения
|
|
Сведения о квалификации
1. Для
отдельных участников или отдельных членов совместного предприятия
1.1 Юридический статус участника (Приложить копию)
Место регистрации:_______________________
Основное место деятельности:_______________
Доверенность, выданная лицу,
которое подписало конкурсное
предложение: (Приложить)
1.2 Общий объем строительных работ, выполненных за пять лет.
19___________
19___________
19___________
19___________
19___________
1.3 Аналогичные по характеру и объему работы,
выполненные в качестве генерального подрядчика в течение последних пяти лет.
|
|
Наименование
проекта
|
Наименование
заказчика
|
Тип
работ и год завершения
|
Стоимость
контракта
|
|
|
|
|
|
|
|
|
|
|
|
|
|
|
|
|
|
|
|
|
|
|
|
|
|
|
|
|
|
|
|
|
|
|
|
|
1.4 Для выполнения Работ имеет существенное значение наличие у
Подрядчика следующих единиц оборудования. Участник должен вставить все
сведения, перечисленные ниже:
|
|
Наименование
проекта
|
Наименование
заказчика
|
Тип
работ и год завершения
|
Стоимость
контракта
|
|
*
|
|
|
|
|
*
|
|
|
|
|
*
|
|
|
|
|
и т.д.
|
|
|
|
|
1.5 Квалификация и опыт работников, предлагаемых на ключевые
административные и производственные должности для реализации Контракта.
|
|
Должность
|
Ф.
И. О.
|
Опыт
работы (лет)
|
Опыт
работы на аналогичной должности (лет)
|
|
Руководитель
|
|
|
|
|
Главный инженер
|
|
|
|
|
*
|
|
|
|
|
*
|
|
|
|
|
*
|
|
|
|
|
|
|
|
|
|
1.6 Предложения по субподрядчикам.
|
|
Характер
Работ
|
Стоимость
субподряда
|
Субподрядчик
(наименование и адрес)
|
Опыт
выполнения аналогичных работ
|
|
|
|
|
|
|
|
|
|
|
|
|
|
|
|
|
|
|
|
|
|
|
|
|
|
|
1.7 Финансовые отчеты за последние пять лет:
балансы, отчеты о прибылях и убытках, отчеты о проведении аудиторских
проверок и т.д. Перечислить ниже и приложить копии.
____________________________________________
____________________________________________
____________________________________________
1.8 Сведения о наличии доступа к финансовым ресурсам,
соответствующим квалификационным требованиям: денежная наличность, кредитные
линии и т.д. Перечислить ниже и приложить копии подтверждающих документов.
____________________________________________
____________________________________________
____________________________________________
1.9 Наименования, адреса, номера телефона, телекса и телефакса
банка участника, к которому может обратиться Работодатель для получения
рекомендаций.
____________________________________________
____________________________________________
____________________________________________
1.10 Сведения о текущих судебных
разбирательствах, в которые вовлечен участник.
|
|
Другие
участники разбирательства
|
Предмет
спора
|
Оспариваемые
суммы
|
|
|
|
|
|
|
|
|
|
|
|
|
|
|
|
|
|
|
|
|
|
1.11 Предлагаемые методы и график работ.
Участник должен представить описания, чертежи и схемы, предусмотренные
документами конкурсных торгов.
2. Для совместных предприятий
2.1 Сведения, указанные в пунктах 1.1 - 1.10,
представляются по каждому партнеру совместного предприятия.
2.2 Сведения, указанные в 1.11,
представляются по совместному предприятию.
2.3 Приложить доверенность на имя лица или лиц, подписавших
конкурсное предложение, дающую ему или им право подписывать предложение от
лица совместного предприятия.
2.4 Приложить Соглашение между партнерами по совместному
предприятию (обязательное для выполнения всеми партнерами), из которого
следует, что:
(а) все партнеры по отдельности и совместно несут
ответственность за выполнение Контракта в соответствии с условиями Контракта;
(б) один из партнеров назначается ведущим, получая право
принимать обязательства и получать инструкции от лица любого партнера и всех
партнеров по совместному предприятию;
(в) оформление всего Контракта, включая платежи, совершается
исключительно с ведущим партнером.
|
|
|
|
|
|
|
|
|
|
|
|
|
|
|
Письмо о принятии конкурсного предложения
(на фирменном бланке Работодателя)
|
__________________(дата)
|
|
Кому:______________________________
|
|
(наименование
и адрес Подрядчика)
|
|
Настоящим уведомляем вас,
что ваше предложение, датированное_______________ ,
|
|
о выполнении Строительных работ по_________________________________________
|
|
(наименование проекта и конкретных Строительных Работ согласно
«Инструкции для участников») по Стоимости Контракта,________________________________________
|
|
______________) (стоимость цифрами и прописью)_____________________________
|
|
с учетом
исправлений и изменений в соответствии с «Инструкциями для Участников» (47)
настоящим принято нашей Организацией.
|
|
Мы
принимаем/не принимаем назначение_________________ в качестве Третейского
(48) Судьи.
|
|
Настоящим вы получаете указание приступать к
выполнению названных Строительных Работ в соответствии с документами
Контракта, перечисленным в прилагаемых «Сведениях о Контракте».
(подпись, имя и должность лица, имеющего право подписи от лица
Подрядчика).
|
|
(47) Изъять соответственно «исправлений» и
«изменений», если имело место что-то одно. Изъять «с учетом исправлений и
изменений», если исправлений и изменений не было.
(48)
Используется только тогда, когда Подрядчик выражает в конкурсном предложении
несогласие с кандидатурой Третейского Судьи, предложенной Работодателем в
«Инструкциях для участников».
|
|
Расчистка территории
строительства
Описание
Данный вид работ состоит в полной расчистке и корчевке на
территории строительства.
Строительные требования
Общая часть. Пни и растительные остатки вывозятся за пределы полосы отвода
таким образом, чтобы не оказался поврежденным существующий растительный
покров.
Приемка работ. Работа принимается при условии ее выполнения в соответствии с
проектом и спецификациями на данный вид работ и одобрены Инженером.
Измерения
Работы по расчистке территории и корчевке измеряются в
квадратных метрах.
Оплата
Измеренные как описано выше принятые объемы работ, оплачиваются
по единичным расценкам Контракта, приведенным в заявке на торги, которые
приводятся ниже. Оплата за выполненные работы является полной компенсацией за
указанные в данном разделе работы. Оплата производится по следующим позициям:
Позиция оплаты Единица
измерения
Расчистка территории строительства кв. метр
НАРЕЗКА БОКОВЫХ КАНАВ
Описание
Данный вид работ состоит в нарезке боковых канав.
Строительные требования
Подготовка к нарезке
боковых канав. Участок очищается от
растительности и мусора.
Боковые канавы. Нарезаются кюветы в соответствии с чертежами, производится
вертикальная и горизонтальная планировка дна боковых канав. Удаляются все
выступающие корни, пни, камни и подобные предметы. Боковые канавы должны
очищаться от листвы, веток и иных обломков до приемки Инженером.
Приемка
Приемка работ по сооружению боковых канав производится в
соответствии с подразделом 002.04.
Измерение
Измерение объема работ по сооружению новых боковых канав
производится в кубических метрах.
Оплата
Измеренные, как описано выше, принятые объемы работ оплачиваются
по единичным расценкам Контракта, приведенным в заявке на торги, которые
приводятся ниже. Эта оплата представляет собой полный объем вознаграждения за
работы, указанные в данном разделе.
Оплата производится по следующим позициям:
Позиция оплаты Единица
измерения
Нарезка боковых канав кубический
метр
Уширение существующей дорожной одежды
Описание
Данный вид работ состоит в уширении существующей дорожной
одежды.
Материал
Материалы, применяемые для уширения дорожной одежды, должны
соответствовать следующим требованиям:
Асфальтобетонная смесь и материалы для ее
приготовления - раздел 308
Щебень -
ГОСТ 8267-82
Песок -
СНиП 2.05.02-85
Строительные требования
Общие требования. Работы по уширению существующей дорожной одежды должны
начинаться после работ по разборке существующих обочин, в соответствии с
Подразделом 310.03.
Песчаный подстилающий слой следует устраивать сразу на ширину
уширяемой части дорожной одежды и обочин. Конструкция уширяемой части
дорожной одежды приведена в проекте. Устройство конструктивных слоев
уширяемой части дорожной одежды должно осуществляться в соответствии с
требованиями СНиП 3.06.03-85.
Асфальтобетонная смесь укладывается в соответствии с Подразделом 308 и СНиП 3.06.03.85. Уплотнение
смеси производится в соответствии со СНиП 3.06.03-85 и СНиП 3.06.06-88. Швы, края и места соединения
существующего покрытия с вновь наносимым должны соответствовать требованиям
Подраздела 308.14.
Приемка. Работы по уширению существующей дорожной одежды принимаются в
соответствии с подразделом 002.04 при условии их выполнения в соответствии с
требованиями проекта, спецификаций и одобрения Инженером.
Измерение
Работы по уширению существующей дорожной одежды измеряются в
квадратных метрах. Объем устройства песчаного подстилающего слоя измеряется в
кубических метрах.
Оплата
Принятый объем, измеренный, как описано выше, оплачивается по
единичным расценкам Контракта, приведенным в заявке на торги, по приведенным
ниже пунктам оплаты. Указанная оплата представляет собой полный объем
вознаграждения за работы по данному разделу.
Оплата производится по следующим позициям:
Позиция оплаты Единица
измерения
Устройство песчаного подстилающего слоя кубический метр
Уширение дорожной одежды квадратный
метр
Устройство щебеночного основания кубический
метр.
Очистка, восстановление и ремонт существующих
водоотводных сооружений
Описание
Данный вид работ состоит в очистке на месте существующих
водоотводных труб, восстановлении существующих оголовков, а также ремонте и
очистке существующих водосбросов и водоотводных лотков.
Материалы
Состав бетона. Бетон должен соответствовать Таблице 404-1. До приготовления
бетона необходимо представить на утверждение предлагаемый его состав. Как
минимум, необходимо представить следующее:
Типы и источники получения всех материалов, которые
предполагается использовать.
Сертификаты на все используемые материалы.
Вес мелкой и крупной фракций инертных материалов в сухом
состоянии с поверхностным насыщением на кубометр бетона.
Гранулометрический состав мелкой и крупной фракций инертных
материалов.
Вес воды при затворении на кубометр бетона.
Вес цемента на кубометр бетона.
Объем вовлеченного воздуха в процентах к объему пластичного
бетона.
Максимальная осадка конуса пластичного бетона в см.
Раствор для швов - для мелких бетонных работ используется
раствор для швов следующего состава:
- одна часть гидравлического цемента (см. ГОСТ 25192-87, ГОСТ
26633-89 и таблица 3.1 СНиП
2.05.02-85). Цемент не должен содержать комков, быть подверженным
гидратации, нельзя также использовать цемент из давно открытых мешков.
- две части мелкого песка без примесей пыли и глины.
Вода по потребности для получения удобоукладываемой смеси,
которая укладывается в небольшие отверстия и щели.
Металлические решетки для оголовков используются при наличии их
у местных поставщиков.
Строительные требования
Очистка водопропускных труб. Следует удалить и вывезти всю грязь и мусор из лотка и рядом с
трубой любым способом, исключающим повреждение водоотводного сооружения.
Восстановление водоотводных
сооружений. Подлежащие ремонту оголовки
следует очистить от всех посторонних предметов. После этого производится
ремонт всех протечек и повреждений сооружения.
Приемка. Работы по очистке, восстановлению и ремонту существующих
водоотводных сооружений принимаются при условии их выполнения в соответствии
с планами и спецификациями на данный вид работ, а также после приемки их
Инженером.
Измерение
Объем работ по очистке водоотводных сооружений измеряется в
погонных метрах. Если водоотводное сооружение демонтируется и повторно
укладывается, дополнительных измерений или оплаты не производится, за
исключением случаев описанных в разделе 401.
Единица измерения восстановленных водоотводных сооружений -
«штука».
Единица измерения работ по ремонту и очистке существующих
водосбросов - «штука».
Оплата
Принятый объем, оцененный, как описано выше, оплачивается по
ценам за единицу измерения, определенным Контрактом, по перечисленным ниже
позициям, содержащимся в заявке. Оплата является полной компенсацией за
работы, описанные в данном разделе.
Оплата производится по следующим позициям:
Позиция оплаты Единица
измерения
Прочистка существующих водопропускных труб погонный метр
Ремонт оголовков Ремонт и прочистка штука
Водосбросов (быстротоков) Ремонт и прочистка штука
водоотводных лотков погонный
метр
Постоянная дорожная разметка
Описание
Данный вид работ состоит в нанесении постоянной дорожной
разметки на подготовленное покрытие, удовлетворяющее нормативным требованиям
по ровности и сцепным качествам.
Материал
Материалы должны соответствовать ГОСТ 13508-74 и корректировке 4 ГОСТа 13508-74. Должна
применять дорожная краска, приготовленная в соответствии с действующими
стандартами и имеющие сертификаты.
Строительные требования
Общие требования. Схема дорожной разметки должна быть увязана со схемой
расстановки дорожных знаков и согласована в органах ГАИ. Разметка наносится в
соответствии с ГОСТ 13508-74.
До начала работ на дорожном покрытии следует обозначить границы участков, на
которых существующая разметка совпадает с проектным вариантом разметки. После
завершения укладки слоя покрытия следует отметить границы нанесения разметки
для утверждения Инженером.
Поверхность до нанесения разметки очищается от мусора, грязи,
органических вяжущих, смазочных материалов и посторонних предметов.
По крайней мере за 7 дней до начала нанесения разметки следует
представить Инженеру копию письменных рекомендаций изготовителя разметки по
ее использованию. Возможно, что для проверки правильности рекомендаций
придется провести опробование в полевых условиях.
Материал для дорожной разметки перевозится в контейнерах с
четкими надписями, содержащими следующие сведения, соответствующие
поставляемому материалу:
Название и адрес предприятия-изготовителя.
Название изделия.
Номер партии.
Цвет.
Вес нетто и объем содержимого.
Дата изготовления.
Срок годности.
Описание содержимого, если требуется смешивание компонентов.
Пропорции и инструкции по смешиванию.
Данные по технике безопасности.
Дорожная разметка наносится в направлении движения транспорта в
соответствии с ГОСТ 13508-74.
Вся разметка наносится таким образом, чтобы она имела четкий, однородный и
аккуратный вид, как в дневное, так и в ночное время.
Участки с разметкой следует защитить от наезда транспорта до
полного высыхания. Рабочую разметку, пролитые материалы для разметки и
разметку в неустановленных местах следует полностью удалить с поверхности
дорожного покрытия.
Краску наносят при температуре дорожного покрытия и окружающего
воздуха выше 5 °С. Краска наносится распылителем слоем не менее 0,4 мм с
расходом 400 г/м2.
Краску НП-501 наносят при температуре дорожного покрытия и
окружающего воздуха не ниже 15 °С. Краска наносится распылителем слоем 0,35
мм с расходом 350 г/м2.
Приемка. Работы по нанесению дорожной разметки принимаются к оплате при
условии, если они были выполнены в соответствии с чертежами и спецификациями
на соответствующие работы и приняты Инженером.
Измерение
Единицей измерения дорожной разметки является квадратный метр.
Направляющие стрелы измеряются в штуках.
Оплата
Измеренные, как описано выше, принятые объемы работ оплачиваются
по единичным расценкам Контракта, приведенным в заявке на торги, которые
приводятся ниже. Эта оплата представляет собой полный объем вознаграждения за
работы, указанные в данном разделе.
Оплата производится по следующим позициям:
Позиция оплаты Единица
измерения
Дорожная разметка квадратный
метр
Направляющие стрелы штука
|
км 604 - 608


План дороги
км 608 - 611





|
Коды
|
Виды оплачиваемых работ
|
Единица измерения
|
Количество
|
Единичные расценки
|
Всего
|
|
0. Мобилизация,
оборудование офиса инженера, лаборатория
|
|
00501
|
Оборудование офиса инженера
|
Сумма
|
1
|
|
|
|
00601
|
Строительная лаборатория
|
Сумма
|
1
|
|
|
|
01300
|
Страховка
|
Сумма
|
1
|
|
|
|
|
0. Итого
|
|
|
1.
Подготовительные работы
|
|
10201
|
Расчистка и профилирование существующих канав
|
м2
|
26400
|
|
|
|
10303
|
Удаление деревьев со средним D = 30 см
|
шт.
|
2683
|
|
|
|
|
1. Итого
|
|
|
2. Земляные
работы
|
|
20102
|
Замена грунта
|
м3
|
781
|
|
|
|
20107
|
Выбранный растительный грунт
|
м3
|
16688
|
|
|
|
20108
|
Выбранный растительный грунт
|
тонн
|
20026
|
|
|
|
20109А
|
Возведение насыпи (при уширении существующей насыпи)
|
м3
|
36344
|
|
|
|
20110
|
Нарезка кюветов
|
п. м.
|
38585
|
|
|
|
20111
|
Закругление кромок
|
п. м.
|
|
|
|
|
20201
|
Нарезка боковых канав
|
м3
|
500
|
|
|
|
20301
|
Разработка пригодного материала
|
м3
|
|
|
|
|
20302
|
Разработка непригодного материала
|
м3
|
|
|
|
|
20401
|
Укрепление гидропосевом
|
м3
|
211921
|
|
|
|
|
2. Итого
|
|
|
3. Дорожное
покрытие
|
|
30303
|
Фрезерование асфальтобетонного покрытия на глубину 2 - 4 см
|
м2
|
26406
|
|
|
|
30304
|
Фрезерование асфальтобетонного покрытия на глубину 4 - 6 см
|
м2
|
2215
|
|
|
|
30401
|
Расчистка и заделка трещин на асфальтобетонном покрытии
|
п. м
|
30944
|
|
|
|
30402
|
Ямочный ремонт асфальтобетонного покрытия
|
м2
|
1585
|
|
|
|
30501
|
Устройство выравнивающего слоя из горячей асфальтобетонной смеси
|
тонн
|
7425
|
|
|
|
30501А
|
Устройство выравнивающего слоя из горячей пористой
крупнозернистой асфальтобетонной смеси
|
тонн
|
19545
|
|
|
|
30601
|
Устройство песчаного подстилающего слоя
|
м3
|
193051
|
|
|
|
30602
|
Уширение дорожной одежды 2-х слойным асфальтобетоном
|
м2
|
134003
|
|
|
|
30603
|
Устройство щебеночного основания
|
м3
|
28421
|
|
|
|
30801
|
Укладка асфальтобетонного покрытия различной толщины
|
тонн
|
210
|
|
|
|
30802
|
Укладка асфальтобетонного покрытия 4,0 см толщины
|
м2
|
285057
|
|
|
|
30804
|
Покрытие из горячей асфальтобетонной смеси толщиной 6 см
|
м2
|
55358
|
|
|
|
31001
|
Разборка обочин с асфальтобетонным покрытием
|
м3
|
5696
|
|
|
|
31001А
|
Разборка обочин без асфальтобетонных покрытий
|
м3
|
252542
|
|
|
|
31002
|
Досыпка обочин
|
м3
|
55293
|
|
|
|
31005
|
Укрепление обочин асфальтобетоном толщиной 4 см, на слое щебня
20 см
|
м2
|
2652
|
|
|
|
31006
|
Укрепление обочин двухслойным асфальтобетоном толщиной 10 см на
слое щебня 18 см
|
м2
|
70822
|
|
|
|
31301
|
Ремонт деформационных швов
|
п. м.
|
|
|
|
|
31402
|
Сетка из стекловолокна прочностью больше 150 кН/м
|
м2
|
10256
|
|
|
|
|
3. Итого
|
|
|
4.
Водоотводные сооружения
|
|
40101
|
Разборка существующих мостиков
|
куб. м
|
102,6
|
|
|
|
40102
|
Разборка существующих оголовков
|
шт.
|
44
|
|
|
|
40103
|
Разборка существующих водопропускных труб
|
п. м.
|
251
|
|
|
|
40104
|
Устройство оголовков для труб (диаметром 0,5 м)
|
шт.
|
118
|
|
|
|
40307
|
Устройство гасителя у подошвы
|
шт.
|
20
|
|
|
|
40309
|
Устройство закрытого водоотводного лотка
|
п. м.
|
788
|
|
|
|
40402
|
Бордюр
|
п. м.
|
40
|
|
|
|
40501
|
Дождеприемники
|
шт.
|
-
|
|
|
|
40502
|
Корректировка высоты дождеприемников
|
шт.
|
-
|
|
|
|
40503
|
Металлическая решетка
|
шт.
|
-
|
|
|
|
40504
|
Бетонный лоток
|
шт.
|
-
|
|
|
|
40505
|
Крышки смотрового колодца
|
шт.
|
-
|
|
|
|
40506
|
Бетонный колодец
|
шт.
|
-
|
|
|
|
|
4. Итого
|
|
|
6. Элементы
безопасности
|
|
60101
|
Установка барьерного ограждения, тип 11ДО-ММ
|
п. м.
|
8694
|
|
|
|
60102
|
Установка начальных элементов ограждения
|
шт.
|
72
|
|
|
|
60105
|
Окраска стоек ограждений
|
шт.
|
4779
|
|
|
|
60109
|
Демонтаж ограждений
|
п. м.
|
1038
|
|
|
|
60301
|
Реконструкция автобусных остановок
|
шт.
|
10
|
|
|
|
60302
|
Покрытие на посадочной площадке
|
м2
|
882
|
|
|
|
60303
|
Замена бортового камня
|
п. м.
|
810
|
|
|
|
60304
|
Окраска павильона
|
шт.
|
|
|
|
|
60305
|
Установка нового павильона
|
шт.
|
1
|
|
|
|
60401
|
Установка новых дорожных знаков
1) Знаки треугольной формы
|
м2
|
24,17
|
|
|
|
|
6. Итого
|
|
|
7. Средства
обслуживания
|
|
70201
|
Автоматический счетчик движения
|
шт.
|
|
|
|
|
|
7. Итого
|
|
|
8. Перенос
существующих сетей
|
|
80102
|
Обустройство кабелей связи
|
п. м. кабеля,
выноска
|
1160
|
|
|
|
80102Б
|
Переустройство кабелей связи (КМБ-4 и МКСБ 7 ´ 4 ´ 1,2)
|
п. м. кабеля,
выноска
|
21000
7
|
|
|
|
80102В
|
Переустройство кабелей связи (КСПП 1 ´ 4 ´ 1,2 и ТПП 100 ´ 2)
|
п. м. кабеля,
выноска
|
6880
1
|
|
|
|
80113
|
Устройство скрытого подземного перехода (прокола)
|
переход
|
2
|
|
|
|
80104А
|
Переустройство воздушных линий электропередач
|
штука,
кол-во переходов
|
7
4
|
|
|
|
80104Б
|
Переустройство воздушных линий электропередач 0,4 кв и линий
освещения
|
штука,
пог. м кабеля
|
80
12
|
|
|
|
80105
|
Переустройство воздушных кабелей связи
|
штука,
пог. м кабеля
|
1
35
|
|
|
|
80106
|
Переустройство воздушных линий связи
|
штука,
кол-во кабельных вставок
|
33
13
|
|
|
|
80107
|
Переустройство воздушных линий радио
|
штука,
пог. м провода
|
13
6220
|
|
|
|
|
8. Итого
|
|
|
|
|
|
ВСЕГО
|
|
|
|
|
|
НДС спецналог
|
|
|
|
|
|
ВСЕГО*
|
|
|
Подрядчик
Подтвердил
|


|
Наименование
коммуникаций
|
Владелец
|
Место
пересечения или сближения
|
Угол
пересечения (острый)
|
Протяжение
преустраиваемого участка в м
|
Число
проводов воздушной линии, шт.
|
Напряжение
для электролинии (кВ), Рабочее давление в
трубопроводах (атм)
|
Материал,
сечение проводов, марка кабеля, диаметр трубопровода
|
Материал,
тип и профиль опор
|
Проектируемые
мероприятия
|
Документы
согласований
|
|
км
|
ПК
плюс
|
|
Кабель связи
|
Рамешковский цех связи № 3
|
38
|
72
+ 09
|
6°
|
420
|
|
|
КСППБ
1 ´ 4 ´
0,9
|
|
Выноска
|
Письмо Рамешков-РЭС от
10.11.89 б/н
|
|
Воздушная линия связи
|
-
²
-
|
42
|
115
+ 92
|
11°
|
260
|
10
|
|
Ст-4
|
дерев.
|
-
²
-
|
-
²
-
|
|
Воздушная линия электропередачи
|
Рамешковский РРЭС
|
44
|
133
+ 95
|
85°
|
170
|
3
|
10
|
АС-50
|
жел.
бет.
|
Переустройство
|
Текст согласования на плане
трассы от 18.10.89
|
|
Водопровод
|
Рамешковский водоканал
|
46
|
154
+ 17
|
60°
|
120
|
|
6
|
Сталь
|
|
Обустройство
|
Тех. условия водоканала №
24-03 от 19.11.89
|
|
Нефтепровод
|
Калининская база
Главтранснефть
|
53
|
223
+ 25
|
43°
|
180
|
|
12
|
-
²
-
|
|
Переустройство с прокладкой
дублирующей нитки
|
Тех. условия
Главтранснефть, № 14/17 от 23.10.89
|
|
Газопровод
|
Торжокское ЛПУ
|
53
|
231
+ 10
|
76°
|
210
|
|
54
|
-
²
-
|
|
Переустройство с прокладкой
дублирующего участка
|
Тех. условия Торжокского
ЛПУ № 12/72 от 17.11.89
|
|
Проекты,
КМ
|
Пикет
и плюс
|
Длина
М
|
Ширина,
м
|
Площади
рубки и корчевки ГА/количество деревьев и пней шт.
|
Примечания
|
|
ОТ
|
ДО
|
Сплошная
вырубка
|
Корчевка
пней
|
Кустарник
средней густоты
|
Деревья
0 до 32 см средней густоты
|
Деревья
0 до 24 см средней густоты
|
Деревья
0 до 16 см средней густоты
|
Пни
0 до 34 см
|
Пни
0 до 26 см
|
Пни
0 до 18 см
|
|
слева
|
справа
|
|
1
|
2
|
3
|
4
|
5
|
6
|
7
|
8
|
9
|
10
|
11
|
12
|
13
|
14
|
13
|
|
1
|
0+00
|
1+00
|
100
|
24
|
3,5
|
27,5
|
0,2
|
0,28
|
|
|
0,28
|
|
|
|
|
93
|
|
|
95
|
|
|
|
1
|
1+00
|
2+00
|
100
|
29
|
0
|
29
|
0,09
|
0,29
|
|
|
0,29
|
|
|
|
|
99
|
|
|
99
|
|
|
|
1
|
2+00
|
3+00
|
100
|
32
|
0
|
32
|
0,1
|
0,32
|
|
|
0,32
|
|
|
|
|
109
|
|
|
109
|
|
|
|
1
|
3+00
|
4+00
|
100
|
32
|
24
|
56
|
0,16
|
0,56
|
|
|
0,56
|
|
|
|
|
190
|
|
|
190
|
|
|
|
1-2
|
9+70
|
10+50
|
80
|
31,5
|
20,5
|
52
|
0,01
|
0,23
|
|
|
0,23
|
|
|
|
|
78
|
|
|
78
|
|
|
|
2
|
10+50
|
14+00
|
350
|
30
|
17
|
47
|
0,3
|
1,64
|
|
|
1,64
|
|
|
|
|
558
|
|
|
558
|
|
|
|
2
|
14+00
|
15+25
|
66
|
|
|
47
|
|
|
|
|
0,31
|
|
|
вырубка
|
|
|
|
|
119
|
|
|
|
2
|
15+25
|
16+00
|
75
|
30
|
17
|
47
|
0,11
|
0,35
|
|
|
0,35
|
|
|
|
|
119
|
|
|
119
|
|
|
|
2
|
16+00
|
17+34
|
134
|
|
|
47
|
|
|
|
|
0,63
|
|
|
вырубка
|
|
|
|
|
214
|
|
|
|
4
|
33+88
|
35+00
|
112
|
43
|
32
|
25
|
0,32
|
|
|
0,84
|
|
|
0,84
|
|
|
|
|
|
714
|
|
714
|
|
ИТОГО
|
6,29
|
8,39
|
4,72
|
2,80
|
10,07
|
4,72
|
2,80
|
|
|
2849
|
2360
|
2380
|
3424
|
2360
|
2380
|
|
Пикетажное
положение
|
Наименование
|
Жел.
Бетон, м3
|
Бетон,
м3
|
Металл,
т
|
Деревянные
конструкции, м3
|
Щебен.
основ. м3
Гравийн.
пок.
|
Асф.
бетонное покрытие, м3
|
Земляные
работы, м3
|
|
|
Основная
дорога
|
|
|
|
|
|
|
|
|
ПК
0+00 - ПК 4+00
|
Участок существующей дороги
|
|
|
|
|
753
|
634
|
|
|
ПК
0+11
|
Существующая труба д-1,0
дл. 14,0
|
10,9
|
|
|
|
|
|
|
|
ПК
0+24
|
Примыкание справа к в/ч
|
|
|
|
|
130
|
64
|
|
|
ПК
4+00
|
Примыкание справа на а/д
Москва-Егорьевск
|
|
|
|
|
100
|
49
|
|
|
|
Существующая а/д
Есина-Бабеево
|
|
|
|
|
|
|
3120
|
|
вдоль
основной дороги
|
Подъездная дорога к дачным
участкам
|
|
|
|
|
720
|
|
1500
|
|
|
Существующая труба д 0,5 на
подъездной дороге к дачным участкам
|
4,3
|
|
|
|
|
|
|
|
ПК
35+00
|
Участок существующего
Носовихинского шоссе
|
|
|
|
|
1143
|
612
|
1166
|
|
|
Существующая труба д-1,0 на
Носовихинском шоссе дл. 15,0
|
1,2
|
|
|
|
|
|
|
|
|
Существующие трубы на
пересечении на 0,50 д-0,6 дл. 10,0 2 шт.
|
5,2
|
|
|
|
|
|
|
|
|
Существующее ограждение на
ж/д переезде
|
|
|
0,840
|
|
|
|
|
|
|
Существующий колодец у ж/д
переезда
|
0,72
|
|
|
1,1
|
|
|
14
|
|
ИТОГО
|
|
32,33
|
|
0,840
|
1,1
|
2846
|
1359
|
|
|
№
п.п.
|
Наименование
работ
|
Ед.
изм.
|
Количество
|
Примечание
|
|
1
|
2
|
3
|
4
|
5
|
|
1
|
Профильный объем земляных
работ:
|
|
|
Длина объездной дороги -
1700 м
ширина земляного полотна - 10
м
|
|
|
насыпь
|
м3
|
46340
|
|
|
выемка
|
м3
|
35240
|
|
2
|
Растительный грунт
|
м3
|
10330
|
|
3
|
Планировка верхней части
земляного полотна
|
м2
|
18500
|
|
4
|
Площадь откосов
|
м2
|
12160
|
|
5
|
Площадь покрытия из
песчано-гравийной смеси тол. 18 см
|
м2
|
17750
|

ПРИМЕЧАНИЯ
1. Поперечные профили земляного
полотна разработаны применительно к типовому проекту 503-0-48.87.
2.
Размеры конструкций даны в метрах.
|
№
резерва
|
Привязка
у оси дороги
|
Местоположение
резерва и занимаемые земли
|
Характеристика
грунта, резерва, порядковый номер по СНиП IV-5-82 таб. 1
|
Площадь
ГА
|
Вскрыта
послесзный слой
|
Условия
разработки и транспортировки материала
|
Намечаемое
использование грунта
|
Сведения
о согласовании отвода земли и условия рекультивации
|
|
|
КМ
|
ПК+
|
влево
вправо, км
|
Средняя
мощность, м
|
Объем
тыс. м3
|
|
|
Вскрыша
|
Полезная
толща
|
|
|
12
|
37
|
367-50
|
влево
-40 м
|
Читинская обл. Чернышевский
район ГПЗ «Комсомолец», угодье-выгон
|
9а-почвенно-растительный
грунт
|
|
3,4
|
0,4
|
13,6
|
Разработку резерва
рекомендуется производить экскаватором с погрузкой в а/с. Вывоз материала на
трассу по сущ. дороге
|
Используется для отсыпки
нижней и верхней части насыпи, досыпки обочин
|
Отвод земель с ГПЗ
«Комсомолец» согласован. Резерв рекультивируется под выгон
|
|
|
|
|
|
|
|
|
33г-суглинок тяжелый
|
|
|
|
|
|
|
|
|
|
|
|
27б-песок сред. крупности
|
|
3,56
|
121,0
|
|
|
|
|
|
|
|
|
27в-песок гравелистый
|
|
|
|
|
|
13
|
40
|
397+00
|
влево,
-40 м
|
-
²
-
|
-
²
-
|
|
3,1
|
0,35
|
10,85
|
-
²
-
|
Используется для отсыпки
нижней и части насыпи, досыпки обочин
|
-
²
-
|
|
|
|
|
|
|
|
|
33г-суглинок легкий с
гравием
|
|
|
|
|
|
|
|
|
|
|
|
34в-песок легк. с гравием
|
|
3,43
|
106,33
|
|
|
|
|
|
|
|
|
27б-песок круп. влажный
|
|
|
|
|
|
10
|
42
|
420+00
|
влево
|
-
²
-
|
-
²
-
|
|
4,2
|
0,5
|
21,0
|
Разработку резерва
рекомендуется производить экскаватором с погрузкой в а/с. Вывоз материала на
трассу по сущ. дороге
|
Используется для отсыпки
нижней и верхней части насыпи, досыпки обочин
|
-
²
-
|
|
|
|
|
|
|
|
|
27б-песок средн. крупности
|
|
|
42,8
|
|
|
|
|
|
|
|
|
27в-песок гравелистый
|
|
3,4
|
136,0
|
|
Объект 4800_3
|
Пикетажное
положение
|
Расстояние
|
Насыпь
|
Выемка
|
Кювет
|
Дерн
|
Пашня
|
Тоф
|
Присыпные
обочины
|
Песок
|
Песок
купл.
|
Откосы
|
|
Насыпи
|
выемки
|
насыпи
|
выемки
|
|
ПК
плюс
|
м
|
м3
|
м3
|
м3
|
м3
|
м3
|
м3
|
м3
|
м3
|
м3
|
м3
|
м2
|
м2
|
|
1
|
2
|
3
|
4
|
5
|
6
|
7
|
8
|
9
|
10
|
11
|
12
|
13
|
14
|
|
417+0,00
|
|
|
|
|
|
|
|
|
|
|
|
|
|
|
|
100,00
|
3088
|
0
|
0
|
0
|
943
|
0
|
0
|
220
|
899
|
899
|
1426
|
0
|
|
418+0,00
|
|
|
|
|
|
|
|
|
|
|
|
|
|
|
|
100,00
|
600
|
1979
|
83
|
213
|
1073
|
0
|
0
|
243
|
931
|
931
|
430
|
95
|
|
419+0,00
|
|
|
|
|
|
|
|
|
|
|
|
|
|
|
|
100,00
|
0
|
9572
|
0
|
453
|
1387
|
0
|
0
|
248
|
888
|
888
|
0
|
922
|
|
420+0,0
|
|
|
|
|
|
|
|
|
|
|
|
|
|
|
Итого
на 42 километр:
|
|
3880
|
11551
|
83
|
666
|
3403
|
0
|
0
|
711
|
2718
|
2718
|
1856
|
1017
|
|
420+0,00
|
|
|
|
|
|
|
|
|
|
|
|
|
|
|
|
100,00
|
0
|
20306
|
0
|
434
|
1755
|
0
|
0
|
247
|
880
|
880
|
0
|
1996
|
|
421+0,00
|
|
|
|
|
|
|
|
|
|
|
|
|
|
|
|
100,00
|
0
|
29581
|
0
|
415
|
1937
|
0
|
0
|
247
|
903
|
903
|
0
|
2582
|
|
422+0,00
|
|
|
|
|
|
|
|
|
|
|
|
|
|
|
|
100,00
|
0
|
41189
|
0
|
413
|
2228
|
0
|
0
|
249
|
901
|
901
|
0
|
3412
|
|
423+0,00
|
|
|
|
|
|
|
|
|
|
|
|
|
|
|
|
100,00
|
0
|
31938
|
0
|
427
|
2308
|
0
|
0
|
247
|
888
|
888
|
0
|
2912
|
|
424+0,00
|
|
|
|
|
|
|
|
|
|
|
|
|
|
|
|
100,00
|
0
|
10379
|
0
|
435
|
1551
|
0
|
0
|
248
|
880
|
880
|
0
|
1080
|
|
425+0,00
|
|
|
|
|
|
|
|
|
|
|
|
|
|
|
|
100,00
|
166
|
3645
|
48
|
372
|
1202
|
0
|
0
|
247
|
880
|
880
|
669
|
892
|
|
426+0,00
|
|
|
|
|
|
|
|
|
|
|
|
|
|
|
|
100,00
|
4019
|
41
|
63
|
0
|
997
|
0
|
0
|
239
|
852
|
852
|
1419
|
0
|
|
427+0,00
|
|
|
|
|
|
|
|
|
|
|
|
|
|
|
|
100,00
|
3402
|
678
|
193
|
0
|
1256
|
0
|
0
|
225
|
837
|
837
|
1416
|
0
|
|
428+0,00
|
|
|
|
|
|
|
|
|
|
|
|
|
|
|
|
100,00
|
3703
|
603
|
65
|
0
|
1305
|
0
|
0
|
217
|
889
|
889
|
1226
|
275
|
|
429+0,00
|
|
|
|
|
|
|
|
|
|
|
|
|
|
|
|
100,00
|
26364
|
0
|
0
|
0
|
1853
|
0
|
0
|
198
|
794
|
794
|
3742
|
0
|
|
430+0,00
|
|
|
|
|
|
|
|
|
|
|
|
|
|
|
Итого
на 43 километр:
|
|
37654
|
138360
|
369
|
2496
|
16392
|
0
|
0
|
2364
|
8704
|
8704
|
8472
|
13149
|
|
Местоположение
|
Расстояние,
м
|
Средняя
ширина подножья, м
|
Толщина,
м
|
Объем
грунта, м3
|
Примечание
|
|
км
|
ПК
|
+
|
осадки
|
Выторфовывания
|
|
1
|
2
|
3
|
4
|
5
|
6
|
7
|
8
|
9
|
|
|
330
|
00
|
|
|
|
|
|
|
|
34
|
|
|
1050
|
21
|
0,1
|
-
|
2205
|
Объемы осадки и
выторфовывания учтены в основных объемах земляных работ
|
|
340
|
50
|
|
|
|
|
|
|
35
|
|
|
300
|
23
|
0,2
|
-
|
1380
|
|
343
|
50
|
|
|
|
|
|
|
35
|
|
|
850
|
23
|
0,1
|
-
|
1955
|
|
352
|
00
|
|
|
|
|
|
|
357
|
00
|
|
|
|
|
|
|
36
|
|
|
400
|
22
|
0,15
|
-
|
1320
|
|
361
|
00
|
|
|
|
|
|
|
367
|
00
|
|
|
|
|
|
|
38
|
|
|
515
|
29,76
|
-
|
0,7
|
10727
|
|
374
|
15
|
|
|
|
|
|
|
38
|
|
|
220
|
17
|
0,15
|
-
|
560
|
|
376
|
35
|
|
|
|
|
|
|
38
|
|
|
45
|
24,67
|
-
|
1,4
|
1554
|
|
376
|
80
|
|
|
|
|
|
|
385
|
50
|
|
|
|
|
|
|
39
|
|
|
338
|
20
|
0,15
|
-
|
1014
|
|
388
|
88
|
|
|
|
|
|
|
39
|
|
|
25
|
23,32
|
-
|
2,7
|
1574
|
|
389
|
13
|
|
|
|
|
|
|
40
|
|
|
887
|
20
|
0,15
|
-
|
2661
|
|
398
|
00
|
|
|
|
|
|
|
40
|
|
|
300
|
22
|
0,1
|
-
|
660
|
|
401
|
00
|
|
|
|
|
|
|
41
|
|
|
400
|
21
|
0,3
|
-
|
2520
|
|
405
|
00
|
|
|
|
|
|
|
42
|
|
|
1200
|
22
|
0,2
|
-
|
5280
|
|
417
|
00
|
|
|
|
|
|
|
Итого:
|
|
|
|
|
|
33410
|
|
|
№
№ п.п.
|
Участки
|
Уклон,
‰
|
Грунт
|
Средний
периметр укр-я, м
|
Левая
канава
|
Участки
|
Уклон
‰
|
Грунт
|
Средний
периметр укр-я, м
|
Левая
канава
|
|
Проектный
КМ
|
от
ПК+
|
До
ПК+
|
Расстояние,
м
|
Засев
трав
м2
|
Щебневание
дна
м2
|
Бетонные
плиты
м3
|
Монолитный
бетон
м3
|
Земляные
работы
м3
|
Проектный
КМ
|
от
ПК+
|
До
ПК+
|
Расстояние
м
|
Засев
трав
м2
|
Щебневание
дна
м2
|
Бетонные
плиты
м3
|
Монолитный
бетон
м3
|
Земляные
работы
м3
|
|
КАНАВА
№ 1
|
КАНАВА
№ 2
|
|
1
|
1
|
0+00
|
0+50
|
50
|
3,5
|
песок
|
1,5
|
75
|
|
|
|
12
|
2
|
1+37
|
1+94
|
58
|
10,5
|
песок
|
1,5
|
1,5
|
|
|
|
15
|
|
2
|
1
|
0+50
|
1+00
|
50
|
3,5
|
- ² -
|
1,85
|
92
|
|
|
|
20
|
2
|
1+94
|
2+56
|
58
|
10,5
|
- ² -
|
2,2
|
128
|
|
|
|
34
|
|
3
|
1
|
1+00
|
1+50
|
50
|
3,5
|
- ² -
|
2,8
|
140
|
|
|
|
43
|
2
|
2+56
|
2+77
|
19
|
10,5
|
- ² -
|
2,9
|
55
|
|
|
|
19
|
|
4
|
1
|
1+50
|
2+00
|
50
|
3,5
|
- ² -
|
3,7
|
185
|
|
|
|
80
|
2
|
2+77
|
3+41
|
60
|
1,0
|
- ² -
|
2,6
|
156
|
|
|
|
48
|
|
5
|
1
|
2+00
|
2+50
|
50
|
3,5
|
- ² -
|
4,7
|
235
|
|
|
|
120
|
2
|
3+41
|
4+80
|
125
|
1,0
|
- ² -
|
1,5
|
188
|
|
|
|
32
|
|
Итого:
|
|
|
250
|
|
|
|
727
|
|
|
|
275
|
Итого:
|
|
320
|
|
|
|
614
|
|
|
|
148
|
|
КАНАВА
№ 3
|
|
|
|
|
КАНАВА
№ 4
|
|
|
|
|
|
6
|
4
|
31+15
|
32+00
|
85
|
2
|
песок
|
2,0
|
170
|
|
|
|
40
|
3
|
28+00
|
29+00
|
100
|
3,0
|
песок
|
2,94
|
2,94
|
|
|
|
102
|
|
|
|
|
|
|
|
|
|
|
|
|
|
|
3
|
29+00
|
30+00
|
100
|
6,2
|
- ² -
|
4,4
|
440
|
|
|
|
225
|
|
|
|
|
|
|
|
|
|
|
|
|
|
|
4
|
30+00
|
31+00
|
100
|
10,0
|
- ² -
|
3,7
|
370
|
|
|
|
160
|
|
|
|
|
|
|
|
|
|
|
|
|
|
|
4
|
31+00
|
31+60
|
60
|
3,0
|
- ² -
|
1,5
|
90
|
|
|
|
16
|
|
Итого:
|
85
|
|
|
|
170
|
|
|
|
40
|
Итого:
|
360
|
|
|
|
1194
|
|
|
|
503
|
|
ВСЕГО:
|
335
|
|
|
|
897
|
|
|
|
315
|
ВСЕГО:
|
680
|
|
|
|
1808
|
|
|
|
651
|
|
Местоположение
|
Протяжение,
км
|
Средняя
длина образующей, м
|
Укрепление
бетонными плитами
|
Местоположение
|
Протяжение,
км
|
Средняя
длина образующей, м
|
Укрепление
бетонными плитами
|
Примечание
|
|
|
КМ
|
ПК
+
|
КМ
|
ПК
+
|
|
|
размером
1 ´ 1 ´
0,16 м2
|
Упор
размером 0,4 ´ 0,5 ´
1 м
|
размером
1 ´ 1 ´
0,16 м2
|
Упор
размером 0,4 ´ 0,5 ´
1 м
|
|
|
слева
|
справа
|
|
|
|
44
|
430+70
|
30
|
1,0
|
30
|
30
|
44
|
434+46,3
|
54
|
6,0
|
324
|
54
|
|
|
|
44
|
431+00
|
44
|
435+00
|
|
|
100
|
3,0
|
300
|
100
|
100
|
5,0
|
500
|
100
|
|
|
44
|
432+00
|
44
|
436+00
|
|
|
100
|
5,0
|
500
|
100
|
50
|
6,0
|
300
|
50
|
|
|
44
|
433+00
|
44
|
436+50
|
|
|
74
|
5,0
|
370
|
74
|
50
|
6,0
|
300
|
50
|
|
|
44
|
433+73,7
|
44
|
437+00
|
|
|
мост
через р. Олов
|
100
|
4,0
|
400
|
100
|
|
|
44
|
734+46,3
|
44
|
438+00
|
|
|
54
|
6,0
|
324
|
54
|
53
|
2,0
|
106
|
53
|
|
|
44
|
435+00
|
44
|
438+53
|
|
|
100
|
5,0
|
500
|
100
|
|
|
44
|
436+00
|
ИТОГО:
|
407
|
|
1930
|
407
|
|
|
100
|
5,0
|
500
|
100
|
|
|
44
|
437+00
|
|
|
100
|
5,0
|
500
|
100
|
|
|
|
44
|
438+00
|
|
|
56
|
2,0
|
112
|
56
|
|
|
44
|
438+56
|
|
|
|
|
|
|
|
|
ИТОГО:
|
714
|
|
3136
|
714
|
|
|
|
|
|
|
|
|
|
|
|
|
|
|
|
|

ПРИМЕЧАНИЯ
1. Объемы песчаного подстилающего
слоя см. в «Попикетной ведомости земляных работ».
2. Песчаный подстилающий слой
устраивать по ГОСТ 8736-65.
3. Щебеночное основание устраивать
по ГОСТ
25607-83.
4. Асфальтобетонное покрытие
устраивать в соответствии с «Руководством па строительству дорожных
асфальтобетонных покрытий» СОЮЗДОРНИИ 1979 г.
5. Все размеры даны в метрах.
6.
Местоположение лотков см. в ведомости «Отвода и сброса воды с проезжей части».
|
Местоположение
|
Тип
ДО
|
Протяжение
(м)
|
Ширина
покрытия
|
Площадь
покрытия (м)
|
Примечания
|
|
Проектный КМ
|
От ПК +
|
До
ПК +
|
Участка
|
Мостов
и путепроводов
|
За
вычетом мостов и п/пр
|
основных
полос движения
|
укрепление
кромок
|
на
дополнительные полосы движения
|
на
кривых малого радиуса
|
на
подходах к мостам и путепроводам
|
Итого
|
основных
полос движения
|
укрепление
кромок
|
на
дополнительные полосы движения
|
на
кривых малого радиуса
|
на
подходах к мостам и путепроводам
|
Итого
|
|
1
|
0 + 00
|
1
+ 20
|
1
|
120
|
|
|
7,5
|
0,75
0,75
|
|
0+0,35
|
|
9,175
|
900
|
180
|
|
21
|
-
|
1101
|
|
|
1
|
1
+ 20
|
9
+ 17
|
1
|
797
|
|
|
7,5
|
0,75
0,75
|
|
0,35
|
|
9,35
|
5978
|
1196
|
|
279
|
|
7453
|
|
|
2
|
9
+ 17
|
10
+ 37
|
1
|
120
|
|
|
7,5
|
0,75
0,75
|
|
0+
0,35
|
|
9,175
|
900
|
180
|
|
21
|
|
1101
|
|
|
3
- 4
|
10
+ 37
|
31
+ 90
|
1
|
2094
|
|
|
7,5
|
0,75
0,75
|
|
|
|
9,0
|
15705
|
3141
|
|
|
|
18846
|
ПК14-ПК15
- 41 м
|
|
4
|
31
+ 90
|
32
+ 70
|
1
|
80
|
|
|
7,5
|
0,75
0,75
|
0+7,5
|
|
|
12,75
|
600
|
120
|
300
|
|
|
1020
|
|
|
4
|
32
+ 70
|
32
+ 75
|
1
|
5
|
|
|
7,5
|
0,75
0,75
|
7,5
|
|
|
16,5
|
37,5
|
7,5
|
37,5
|
|
|
82,5
|
|
|
4
|
32
+ 75
|
32
+ 90
|
1
|
15
|
|
|
7,5
|
0,75
0,75
|
7,5
|
|
(0+1,25)
(0+1,25)
|
17,75
|
112,5
|
22,5
|
112,5
|
|
19
|
266,5
|
|
|
4
|
32
+ 90
|
33
+ 04
|
1
|
14
|
|
|
7,5
|
0,75
0,75
|
7,5
|
|
1,25
1,25
|
19,0
|
105
|
21
|
105
|
|
35
|
266,0
|
|
|
4
|
33
+ 04
|
34
+ 30
|
1
|
126
|
126
|
|
7,5
|
0,75
0,75
|
|
|
|
|
|
|
|
|
|
|
дор. одежда учтена в
путепров.
|
|
ИТОГО:
|
|
24338
|
4868
|
555
|
321
|
44
|
30136
|
|
|
УЧАСТКИ
|
Ширина
укрепляемой обочины, (М)
|
Площадь
укрепляемой площади, м2
|
УЧАСТКИ
|
Ширина
укрепляемой обочины, (М)
|
Площадь
укрепляемой площади, м2
|
Примечания
|
|
Слева
|
L (М)
|
лоток
|
щебень
|
засев
трав
|
щебень
|
засев
трав
|
Слева
|
L (М)
|
лоток
|
щебень
|
засев
трав
|
щебень
|
засев
трав
|
|
От
ПК +
|
До
ПК +
|
От
ПК +
|
До
ПК +
|
|
1
|
2
|
3
|
4
|
5
|
6
|
7
|
8
|
9
|
10
|
11
|
12
|
13
|
14
|
15
|
16
|
17
|
|
0
+ 30
|
15
+ 85
|
1555
|
-
|
0,5
|
0,5
|
777,5
|
777,5
|
0
+ 30
|
15
+ 85
|
1555
|
-
|
0,5
|
0,5
|
777,5
|
777,5
|
|
|
15
+ 85
|
16
+ 00
|
15
|
-
|
0,5
- 1,5
|
0,5
|
15
|
7,5
|
15
+ 85
|
16
+ 00
|
15
|
-
|
0,5
- 0,84
|
0,5
|
10,5
|
7,5
|
|
|
16
+ 00
|
17
+ 00
|
100
|
-
|
1,5
|
0,5
|
150
|
50
|
16
+ 00
|
16
+ 27
|
27
|
-
|
0,84
- 1
|
0,5
|
17,01
|
13,5
|
|
|
17
+ 00
|
17
+ 15
|
15
|
-
|
1,5
- 0,5
|
0,5
|
15
|
7,5
|
16
+ 27
|
17
+ 00
|
73
|
-
|
1,5
|
0,5
|
109,5
|
36,5
|
|
|
17
+ 15
|
18
+ 62
|
147
|
-
|
0,5
|
0,5
|
73,5
|
73,5
|
17
+ 00
|
17
+ 15
|
15
|
-
|
1,5
- 0,5
|
0,5
|
15
|
7,5
|
|
|
ИТОГО
|
|
|
|
|
|
1031
|
916
|
17
+ 15
|
18
+ 62
|
147
|
-
|
0,5
|
0,5
|
73,5
|
73,5
|
|
|
|
|
|
|
|
|
|
|
ИТОГО
|
|
|
|
|
|
1003
|
916
|
|
|
Местоположение
|
Протяжение
бетонного лотка вдоль кромки проезжей части (М)
|
Водосброс
на обочине
|
Длина
лотка по откосу насыпи (М)
|
ТИП
гасителя
|
|
|
КМ
|
От
ПК +
|
До
ПК +
|
кол-во
(шт.)
|
ТИП
|
ПК
+ оси лотка
|
Лево
|
Право
|
Лево
|
Право
|
|
|
Лево
|
Право
|
|
|
1
|
2
|
3
|
4
|
5
|
6
|
7
|
8
|
9
|
10
|
11
|
12
|
|
|
3
- 4
|
24
+ 72
|
32
+ 40
|
748
|
748
|
2
|
А
|
25
+ 22
|
5,71
|
5,71
|
1
|
1
|
|
|
|
|
|
|
|
2
|
Б
|
26
+ 20
|
8,10
|
8,10
|
1
|
1
|
|
|
|
|
|
|
|
2
|
Б
|
27
+ 50
|
12,86
|
12,86
|
1
|
1
|
|
|
|
|
|
|
|
2
|
Б
|
29
+ 00
|
17,62
|
17,62
|
1
|
1
|
|
|
|
|
|
|
|
2
|
Б
|
30
+ 50
|
22,86
|
22,86
|
1
|
1
|
|
|
|
|
|
|
|
2
|
Б
|
31
+ 45
|
25,24
|
25,24
|
1
|
1
|
|
|
4
|
32
+ 40
|
32
+ 94
|
51
|
51
|
2
|
Б
|
-
|
-
|
-
|
|
|
|
|
|
|
|
|
|
2
|
А
|
|
|
|
|
|
|
|
|
|
|
|
|
10
|
Б
|
|
|
|
|
|
|
|
|
|
|
|
|
|
|
|
|
|
|
|
|
|
|
|
|
|
|
|
|
|
|
|
|
|
|
|
|
|
|
|
|
|
|
|
194
шт.
|
194
шт.
|
|
|
|
|
|
|
|
|
|
|
|
|
184,76
пм
|
|
|
|
|
|
|
|
|
|
|
|
|
388
шт.
|
|
|
|
|
|
|
|
|
|
|
|
|
|
|
|
|
|
|
|
|
|
|
|
|
|
|
|
|
|
|
|
|
|
|
|
|
|
|
|
|
|
|
|
|
|
|
|
|
|
|
|
|
|
|
|
|
|
|
|
|
|
|
|
|
|
|
|
|
|
|
|
|
|
|
ИТОГО:
|
799
|
799
|
12
|
|
|
92,38
|
92,38
|
6
|
6
|
|
|
№
сооружения
|
Местоположение
|
Название
водотока или пересекаемой дороги
|
Расчетный
расход
м3/сек
|
Вид
и материал сооружения
|
Угол
пересечения
град.
|
Трубы
Отверстие
м
|
Длина
м
|
Тип
фундамента
|
Мосты
и путепроводы
|
|
КМ
|
ПК
+
|
Габарит
|
Пролеты
|
Длина,
м
|
|
1
|
34
|
336
+ 19
|
пониж.
место
|
0,2
|
метал.
горф. труба
|
90
|
1,5
|
22,73
|
|
|
|
|
|
2
|
35
|
345
+ 50
|
пониж.
место
|
0,3
|
-
²
-
|
90
|
1,5
|
21,82
|
|
|
|
|
|
3
|
36
|
358
+ 30
|
лог
|
0,3
|
-
²
-
|
80
|
1,5
|
23,64
|
|
|
|
|
|
4
|
37
|
370
+ 33
|
падь
Ареда
|
100,0
|
ж.
б. мост
|
90
|
|
|
|
Г-10
+ 2 ´ 0,75
|
3
´
24
|
72,6
|
|
5
|
39
|
389
+ 00
|
пониж.
место
|
0,3
|
метал.
горф. труба
|
90
|
1,5
|
24,55
|
|
|
|
|
|
6
|
40
|
395
+ 66
|
-
²
-
|
2,0
|
ж.
б. мост скотопрогон
|
90
|
4,0
´
2,5
|
31,04
|
монол.
|
|
|
|
|
7
|
42
|
410
+ 50
|
-
²
-
|
0,4
|
метал.
горф. труба
|
90
|
1,5
|
20,91
|
|
|
|
|
|
8
|
42
|
412
+ 78
|
-
²
-
|
2,4
|
-
²
-
|
90
|
1,5
|
22,73
|
|
|
|
|
Сводка
по трубам
|
Наименование
сооружений
|
отверстие,
м
|
кол-во,
шт.
|
длина,
м
|
|
Круглые металлические гофрированные
трубы
|
1,5
|
6
|
137,39
|
|
Прямоугольная ж. б.
труба/скотопрогон
|
4,0
´
2,5
|
1
|
31,04
|
Сводка по мостам и путепроводам
|
Наименование
сооружений
|
кол-во,
шт.
|
Длина,
м
|
|
Жел. бет. мост
|
1
|
72,6
|
|
№
сооружений
|
Местоположение
|
Род
и название водотоков и пониженных мест
|
Сведения
о существующих сооружениях
|
Разборка
сооружения
|
ПРИМЕЧАНИЕ
|
|
|
Проектный
км
|
Пикет
|
Плюс
|
Расстояние
от трассы
|
Материал
и род сооружения
|
Отверстие
|
Длина
|
Род
укрепления лотка
|
Состояние
сооружения и возможность его использования
|
Земляные
работы
м3
|
Железобетон
м3
|
Бетон
м3
|
Покрытие
|
|
|
асфальт.
бет/щебень
|
|
|
право
|
лево
|
|
|
м3
|
|
|
1
|
2
|
3
|
4
|
5
|
6
|
7
|
8
|
9
|
10
|
11
|
12
|
13
|
14
|
15
|
16
|
17
|
|
|
1
|
8
|
73
|
72
|
канава
|
9,3
|
|
жел.
бет. труба
|
0,8
|
15,6
|
|
Удовлетворит.
не используется
|
313
|
5,67
|
|
29/17
|
Подлежит
разборке не соответствует допустимой длине
|
|
|
2
|
10
|
93
|
41
|
пониженное
место
|
|
2,8
|
жел.
бет. труба
|
2
´
0,8
|
15,4
|
|
-
²
- - ² -
|
340
|
8,82
|
|
26/33
|
Подлежит
разборке не соответствует допустимой длине
|
|
|
3
|
11
|
100
|
52
|
мелиоративная
канава
|
1,0
|
|
жел.
бет. труба
|
2
´
1,5
|
16,0
|
|
Удовлетворит.
|
28
|
12,7
|
|
|
Удлинение
|
|
|
4
|
13
|
120
|
39
|
ручей
|
|
1,8
|
жел.
бет. мост
|
Г-7
+ 2 ´ 1,0
|
11,4
|
|
Неудовлетворит.
|
665
|
83,84
|
11,5
|
12/-
|
Подлежит
разборке
|
|


|
МЕСТОПОЛОЖЕНИЕ
|
Наименование
и характеристика дорог (категория и тип покрытия)
|
Угол
пересечения град.
|
ТИП
|
|
КМ
|
ПК
|
+
|
примыкания
|
пересечения
|
|
влево
|
вправо
|
влево
|
вправо
|
|
|
|
|
1
комплекс
|
|
|
|
|
|
37
|
366
|
0
|
Y кат. переходное лево-поле
право-поле
|
90
|
|
|
3-Г-1
|
3-Г-1
|
|
38
|
379
|
0
|
Y кат. переходное лево-поле
право-поле
|
90
|
|
|
3-Г-1
|
3-Г-1
|
|
40
|
394
|
20
|
Y кат. переходное
право-поле
|
90
|
|
3-Г-2
|
|
|
|
42
|
416
|
64
|
Y кат. переходное
лево-Св. Олов
право-поле
|
90
|
|
|
3-Г-1
|
3-Г-1
|
|
|
|
|
2
комплекс
|
|
|
|
|
|
44
|
439
|
13
|
Y кат. переходное
лево-Новоникольск
право-Комсомольское
|
91
|
|
|
3-Г-1
|
3-Г-1
|
Примечания.
1. Конструкция пересечения принята
по типовому проекту выпуск 502-0-51.89 «Пересечения и примыкания дорог в одном
уровне».
2. Разметку устраивать по ГОСТ 13508-74*.
3. Железобетонные сигнальные
столбики устраивать по ГОСТ
23457-86 и в соответствии с типовыми проектами и решениями 3.503.1-89
«Огорождения на автомобильных дорогах».
4. Дорожные знаки устанавливать по ГОСТ 10807-78*.
5. Знаки приоритета 2.3.1, 2.3.2;
2.3.3 учтены в основной дороге.
6. Конструкцию дорожной одежды по
типу основной дороги см. чертеж - 1-ДО-1.
7.
Все размеры даны в метрах.
|
НАИМЕНОВАНИЕ
автобусной остановки
|
МЕСТОПОЛОЖЕНИЕ
ПК +
|
|
СЛЕВА
ПО ХОДУ ПИКЕТАЖА
|
СПРАВА
ПО ХОДУ ПИКЕТАЖА
|
ПРИМЕЧАНИЕ
|
|
Пересечение
ПК 41 + 97 с. Ивановка
|
39
+ 91
|
44
+ 02
|
Автопавильоны
слева и справа
|
|
п.
Дурниха
|
55
+ 00
|
60
+ 00
|
Слева
площадка
Справа
автопавильон
|
|
|
|
|
|
|
|
|
|
|
|
|
|
|
|
|
|
|
|
|
|
Проектный
км
|
Местоположение
ПК +
|
Количество
стояночных мест
|
Способ
расстановки
|
Примечание
|
|
Слева
|
Справа
|
|
21
|
205+10
|
|
40
|
1
ряд тупиковый под углом 60°, 2 ряда прямоточных параллельных, 1 ряд тупиковый
под углом 90°
|
Для
обслуживания одностороннего движения
|
|
46
|
|
458+10
|
10
|
1
ряд прямоточный параллельный, 1 ряд тупиковый под углом 90°
|
Для
обслуживания двухстороннего движения
|
|
|
|
|
|
|
|
|
|
|
|
|
|
|
|
|
|
|
|
|
|
|
|
|
|
|
|
|

|
Наименование
работ
|
Единица
измерения
|
Объем
работ
|
|
Глава 1. Подготовительные работы
|
|
|
|
Переустройство
коммуникаций:
|
см.
Ведомость коммуникаций, подлежащих устройству
|
|
Устройство землевозной
дороги вдоль трассы
|
км
|
3,3
|
|
Устройство подъезда к
резерву № 1
|
км
|
4,0
|
|
Устройство подъезда к
резерву № 2
|
км
|
6,0
|
|
Рубка леса, корчевка пней
|
км
|
11944
|
|
Расчистка площадей от
кустарника
|
га
|
8,56
|
|
Устройство временной
объездной дороги:
|
|
|
|
- насыпь из резерва № 2
|
м3
|
4590
|
|
- основание из щебня h = 15 см
|
м3
|
2480
|
|
- а/б покрытие h = 3 см тип Б 3 марка
|
м3
|
2420
|
|
- устройство трубы d = 0,8 м
|
шт./пм
|
1/10,75
|
|
Переустройство а/д Есино -
Бабеево:
|
|
|
|
- рубка леса, корчевка пней
|
шт.
|
420
|
|
- расчистка площадей от
кустарника
|
га
|
0,43
|
|
- насыпь из резерва № 1
|
м3
|
4091
|
|
- ж/б рамные лотки 0,6 *
1,0
|
пм
|
75
|
|
- ж/б рамные лотки 0,7 *
1,5
|
пм
|
135
|
|
- подстилающий слой
|
м3
|
1400
|
|
- основание из щебня h = 20 см
|
м3
|
3813
|
|
- а/б покрытие h = 5 см тип Б 3 марка
|
м3
|
3675
|
|
- устройство трубы (d = 0,8 м)
|
шт./пм
|
1/15,76
|
|
Переустройство подъездной
а/д к садовым участкам:
|
|
|
|
- рубка леса, корчевка пней
|
шт.
|
800
|
|
- расчистка площадей от
кустарника
|
га
|
0,06
|
|
- насыпь из резерва № 1
|
м3
|
11580
|
|
- подстилающий слой
|
м3
|
2140
|
|
- основание из щебня h = 13 см
|
м3
|
6295
|
|
- а/б покрытие h = 3 см тип Б 3 марка
|
м3
|
6150
|
|
- устройство трубы d = 1,0 м
|
шт./пм
|
1/13,79
|
|
Глава 2. Земляное полотно
|
|
|
|
Земляные работы до путепровода:
|
|
|
|
Снятие растительного грунта
|
м3
|
10715
|
|
Разработка выемки
бульдозером с перемещением грунта в насыпь
|
- ² -
|
640
|
|
Разработка грунта в
резервах с транспортировкой автосамосвалами в насыпь
|
- ² -
|
324325
|
|
Разработка грунта в резерве
с транспортировкой автосамосвалами для досыпки обочин
|
- ² -
|
3853
|
|
Выторфовывание в кавальер
|
- ² -
|
16982
|
|
Укрепление откосов засевом
трав
|
м2
|
63982
|
|
Земляные работы после путепровода:
|
|
|
|
Снятие растительного грунта
|
м3
|
720
|
|
Разработка грунта в резерве
с транспортировкой автосамосвалами в насыпь
|
- ² -
|
31904
|
|
Разработка грунта в резерве
с транспортировкой автосамосвалами для досыпки обочин
|
- ² -
|
58
|
|
Укрепление откосов засевом
трав
|
м2
|
2893
|
|
Устройство водоотводных
канав и кюветов
|
м3
|
6200
|
|
Рекультивация временного
отвода:
|
|
|
|
- временной объездной
дороги
|
га
|
0,1
|
|
- участка существующей
дороги
|
га
|
0,51
|
|
- участка дороги Есино -
Бабеево
|
га
|
0,3
|
|
- участка подъезда к
садовым участкам
|
га
|
0,3
|
|
Глава 3. Дорожная одежда
|
|
|
|
Дорожная одежда до путепровода:
|
|
|
|
Подстилающий слой из песка
|
м3
|
16625
|
|
Основание из щебня
Дубенского карьера М600 h
= 25 см
|
м2
|
31883
|
|
Нижний слой покрытия из
крупнозернистого пористого а/б I
марки h
= 10 см
|
- ² -
|
30136
|
|
Верхний слой основания из
крупнозернистого пористого а/б I
марки тип Б h
= 5 см
|
- ² -
|
30136
|
|
Укрепление обочин:
|
|
|
|
- по типу основной дороги
|
- ² -
|
12973
|
|
- засевом трав
|
- ² -
|
4839
|
|
Прикромочные лотки Б
1-22-75
|
пм
|
1598
|
|
Водосбросы при
односторонних уклонах
|
шт.
|
10
|
|
Водосбросы при встречных
уклонах
|
шт.
|
2
|
|
Телескопические лотки Б-6
по откосу насыпи
|
шт.
|
388
|
|
Гасители у подошвы насыпи
|
шт.
|
12
|
|
Дорожная одежда после путепровода:
|
|
|
|
Подстилающий слой из песка
|
м3
|
331
|
|
Основание из щебня Дубненского
карьера М600 h
= 25 см
|
м2
|
494
|
|
Нижний слой покрытия из
крупнозернистого пористого а/б I
марки h
= 10 см
|
- ² -
|
467
|
|
Верхний слой покрытия из
мелкозернистого плотного а/б I
марки тип Б h
= 5 см
|
- ² -
|
467
|
|
Укрепление обочин:
|
|
|
|
- по типу основной дороги
|
- ² -
|
32
|
|
- засевом трав
|
- ² -
|
41
|
|
- щебнем h = 20 см с розливом битума
4 л/м2
|
- ² -
|
90
|
|
Глава 4. Искусственные сооружения
|
|
|
|
Строительство путепровода
ч/р железную дорогу
|
м
|
142,3
|
|
Строительство труб на
основной дороге d
= 1,6 м
|
шт./пм
|
148,1
|
|
Глава 5. Пересечения и примыкания
|
|
|
|
Строительство съездов на
основной дороге
|
шт.
|
2
|
|
Строительство транспортной
развязки:
|
|
|
|
- строительство трубы на
съезде № 2 d
= 1 м
|
шт./пм
|
1/20,88
|
|
- снятие растительного
грунта
|
м3
|
4732
|
|
- разработка грунта в
резервах с транспортировкой автосамосвалами в насыпь
|
- ² -
|
91662
|
|
- разработка грунта в
выемке с перемещением бульдозером в насыпь
|
- ² -
|
1175
|
|
- разработка грунта в
резерве с транспортировкой автосамосвалами для досыпки обочин
|
- ² -
|
1476
|
|
- ж/б лоток 0,5 * 0,5
|
пм
|
50
|
|
- укрепление откосов
засевом трав
|
м2
|
12540
|
|
- подстилающий слой
|
м3
|
2914
|
|
- основание из щебня
Дубненского карьера М600 h
= 25 см
|
м2
|
8558
|
|
- нижний слой покрытия из
крупнозернистого пористого а/б I
марки h
= 10 см
|
- ² -
|
8089
|
|
- верхний слой основания из
крупнозернистого пористого а/б I
марки тип Б h
= 5 см
|
- ² -
|
8089
|
|
- укрепление обочин:
|
|
|
|
- асфальтобетоном h = 3 см на щебне h = 10 см
|
- ² -
|
1715
|
|
- засевом трав
|
- ² -
|
958
|
|
- прикромочные лотки Б
1-22-75
|
пм
|
542
|
|
- водосбросы при
односторонних уклонах
|
шт.
|
7
|
|
- водосбросы при встроечных
уклонах
|
шт.
|
2
|
|
- телескопические лотки Б-6
по откосу насыпи
|
шт.
|
190
|
|
- гасители у подошвы насыпи
|
шт.
|
6
|
|
- гасители в кювете
|
шт.
|
3
|
|
- металлическое барьерное
ограждение
|
пм
|
820
|
|
- сигнальные столбики
|
шт.
|
28
|
|
- разметка термопластиком
|
м2
|
316,07
|
|
- дорожные знаки
|
шт.
|
32
|
|
Уширение Носовихинского
шоссе за переездом:
|
|
|
|
- земляные работы
|
м3
|
4761
|
|
- укрепление откосов
засевом трав
|
м2
|
1592
|
|
- основание из щебня
Дубненского карьера М600 h
= 25 см
|
м2
|
2055
|
|
- нижний слой покрытия из
крупнозернистого пористого а/б I
марки h
= 10 см
|
- ² -
|
1943
|
|
- верхний слой основания из
крупнозернистого пористого а/б I
марки тип Б h
= 5 см
|
- ² -
|
1943
|
|
- укрепление обочин:
|
|
|
|
- асфальтобетоном h = 3 см на щебне h = 10 см
|
- ² -
|
335
|
|
Глава 6. Дорожные устройства и обстановка дороги
|
|
|
|
Установка дорожных знаков
|
шт.
|
29
|
|
Установка металлического
барьерного ограждения
|
м
|
1814
|
|
Разметка проезжей части
термоплатом
|
м2
|
1047,5
|
|
№
|
Наименование
группы элементов конструкций
|
Код
|
Кол.
м3
|
Примечание
|
|
1
|
Фундаменты стаканного типа
и башмаки
|
581200
|
23,45
|
|
|
2
|
Бортовой камень
|
584600
|
7,740
|
|
|
3
|
Детали водопропускных труб
(плиты днищ, блоки плитных перекрытий и оголовки)
|
585300
|
1643,346
|
|
|
4
|
Конструкции и детали
каналов и открытых водоводов
|
585800
|
439,811
|
|
|
5
|
Опоры ЛЭП и связи, элементы
контактной сети электрофиц. дорог и осветительной сети
|
586300
|
22,116
|
|
|
6
|
Блоки коммуникаций
|
589300
|
17,550
|
|
|
7
|
Элементы оград
|
589900
|
14,940
|
|
|
|
ИТОГО:
|
|
2168,953
|
|
|
п. н.
|
Обоснование
|
Код
|
Наименование
|
Ед.
изм.
|
Количество
|
|
|
|
|
Материалы, изделия и конструкции
|
|
|
|
1
|
|
2059
|
Битум жидкий
|
т
|
56,64
|
|
2
|
|
2060
|
Битум нефтяной
|
3
т
|
936,76
|
|
3
|
|
2116
|
Бруски и брусья пропитанные
|
м3
|
9,25
|
|
4
|
|
2444
|
Кирпич глиняный
обыкновенный
|
100
шт.
|
8,10
|
|
5
|
|
2548
|
Краски эмальные
|
кг
|
976,42
|
|
6
|
|
2605
|
Лес круглый пропитанный
2С.160 - 240 мм, длиной 9 - 10,5 см
|
м3
|
10,85
|
|
7
|
|
2915
|
Порошок минеральный
|
т
|
756,45
|
|
8
|
|
3270
|
Цемент 400
|
т
|
874,39
|
|
9
|
|
3271
|
Цемент 500
|
т
|
0,40
|
|
10
|
|
3658
|
Сталь листовая 10
|
100
кг
|
0,74
|
|
11
|
|
3692
|
Арматура ВР-1 Д = 4 мм
|
100
кг
|
2,33
|
|
12
|
|
3705
|
Арматура ВР-2 Д = 5 мм
|
100
кг
|
1,08
|
|
13
|
|
3900
|
Арматура А-1 Д = 6 мм
|
100
кг
|
28,89
|
|
14
|
|
3902
|
Арматура А-1 Д = 8 мм
|
100
кг
|
700,65
|
|
15
|
|
3904
|
Арматура А-1 Д = 10 мм
|
100
кг
|
85,90
|
|
16
|
|
3905
|
Арматура А-1 Д = 12 мм
|
100
кг
|
0,14
|
|
17
|
|
3906
|
Арматура А-1 Д = 14 мм
|
100
кг
|
2,16
|
|
18
|
|
3916
|
Арматура А-2 Д = 10 мм
|
100
кг
|
3,12
|
|
19
|
|
3917
|
Арматура А-2 Д = 12 мм
|
100
кг
|
0,41
|
|
20
|
|
3918
|
Арматура А-2 Д = 14 мм
|
100
кг
|
41,33
|
|
21
|
|
3983
|
Арматура В-1 Д = 3 мм
|
100
кг
|
0,54
|
|
22
|
|
3986
|
Арматура А-3 Д = 6 мм
|
100
кг
|
2,03
|
|
23
|
|
3987
|
Арматура А-3 Д = 8 мм
|
100
кг
|
70,75
|
|
24
|
|
4264
|
Смесь асфальтобетонная
крупнозернистая пористая
|
т
|
11333,92
|
|
25
|
|
5564
|
Звенья лотков
|
м3
|
355,83
|
|
26
|
|
5664
|
Плиты железобетонные
сборные для полов и отмосток
|
м3
|
76,19
|
|
27
|
|
5414
|
Столбики железобетонные
|
м3
|
14,94
|
|
28
|
|
8095
|
Бетон тяжелый дорожный М200
с крупностью заполнителя 20 - 40 мм
|
м3
|
326,32
|
|
29
|
|
8248
|
Раствор отделочный тяжелый
цементный 1:3
|
м3
|
43,09
|
|
30
|
|
8331
|
Камни бортовые бетонные
М200
|
м3
|
1,08
|
|
31
|
|
8567
|
Песок для дорожных работ
|
м3
|
21271,00
|
|
32
|
|
8640
|
Щебень из естественного
камня для дорожных работ М1200, 1000 фракции 40 - 70 мм
|
м3
|
122,40
|
|
33
|
|
8648
|
Щебень из естественного
камня для дорожных работ марки 600 фракций 40 - 70 мм
|
м3
|
21940,60
|
|
34
|
|
10111
|
Болты, гайки, шайбы
|
100
кг
|
31,73
|
|
33
|
|
10140
|
Труба стальная Д = 40 мм
|
100
кг
|
1,57
|
|
36
|
|
10263
|
Профили гнутые открытые
|
т
|
58,96
|
|
37
|
|
10266
|
Балки и швеллеры
|
т
|
22,67
|
|
38
|
|
10722
|
Трубы водогазопроводные
|
т
|
0,61
|
|
39
|
|
10724
|
Трубы сварные больших
диаметров свыше 480 мм
|
т
|
18,27
|
|
40
|
|
10725
|
Трубы нефтепроводные
электросварные 114 - 480 мм
|
т
|
4,17
|
|
41
|
|
11174
|
Трубы асбестоцементные
безнапорные Д 150 мм
|
м
|
660,00
|
|
42
|
|
11178
|
Трубы асбестоцементные
безнапорные Д 100 мм
|
м
|
3184,00
|
|
43
|
|
11504
|
Мелкозернистая
асфальтобетонная смесь марка 1,2 тип Б
|
т
|
5932,86
|
|
44
|
|
11505
|
Мелкозернистая асфальтобетонная
смесь марка 3, 4 тип Б
|
т
|
457,11
|
|
45
|
|
12002
|
Фундаменты стаканного типа
и башмаки
|
м3
|
23,45
|
|
46
|
|
12021
|
Плиты дорожные
|
м3
|
7,74
|
|
47
|
|
12024
|
Детали водопропускных труб
(плиты днищ, блоки плитных перекрытий оголовков)
|
м3
|
1643,35
|
|
48
|
|
12028
|
Конструкции и детали
каналов и открытых водопроводов
|
м3
|
439,81
|
|
49
|
|
12033
|
Опоры ЛЭП и связи, элементы
контактной сети электрифицированных дорог и осветительной сети
|
м3
|
22,12
|
|
50
|
|
12041
|
Болки коммуникаций
|
м3
|
11,55
|
|
51
|
|
12047
|
Элементы оград
|
м3
|
14,94
|
|
52
|
|
|
Термопластик
|
т
|
22,15
|
|
Позиция
|
Наименование
и техническая характеристика оборудования и материалов, завод-изготовитель
(для импортного оборудования - страна, фирма)
|
Тип,
марка оборудования
Обозначение
документа и номер опросного листа
|
Единица
измерения
|
Код
завода-изготовителя
|
Код
оборудования, материала
|
Цена
единицы оборудования, тыс. руб.
|
Количество
|
Масса
единицы оборудования, кг
|
|
Наименование
|
Код
|
|
1
|
2
|
3
|
4
|
5
|
6
|
7
|
8
|
9
|
10
|
|
1.
|
Детали деревянные
антисептированные III
сорта для опор
|
|
м3
|
113
|
|
5314411
|
|
8,0
|
|
|
2.
|
Приставка железобетонная
|
ПТ-1,7-4,25
|
шт./м3
|
796/113
|
|
586300
|
|
5/0,65
|
|
|
3.
|
Ригель железобетонный
|
Р1-Ж
|
- ² -
|
- ² -
|
|
|
|
32/0,256
|
|
|
4.
|
Стойка железобетонная
|
СВ
164-12
|
- ² -
|
- ² -
|
|
|
|
1/1,42
|
|
|
5.
|
Плита железобетонная
|
П-ЗИ
|
- ² -
|
- ² -
|
|
586300
|
|
1/0,05
|
|
|
6.
|
Анкер железобетонный
|
АЦ-1
|
- ² -
|
- ² -
|
|
|
|
2/0,24
|
|
|
7.
|
Траверса металлическая
|
ТМ17
|
шт./кг
|
796/116
|
|
|
|
2/47,2
|
|
|
8.
|
Оттяжка металлическая
|
От4
|
- ² -
|
- ² -
|
|
|
|
2/128
|
|
|
9.
|
Провод сталеалюминевый сеч.
35 мм2
|
АС-35
|
кг/м
|
116/008
|
|
351152
|
|
126/850
|
|
|
10.
|
Сталь круглая Æ
8 мм
|
|
- ² -
|
- ² -
|
|
|
|
5,28/24
|
|
|
11.
|
Разрядник вентильный
|
РВН-1У1
|
шт.
|
796
|
|
|
|
6
|
|
|
12.
|
Изолятор
|
ТФ-16
|
- ² -
|
|
|
349366
|
|
124
|
|
|
13.
|
Крюк
|
КН-16
|
- ² -
|
|
|
129500
|
|
32
|
|
|
14.
|
Крюк
|
КН-22
|
- ² -
|
|
|
|
|
92
|
|
|
15.
|
Зажим плашечный
|
ПАБ-1
|
- ² -
|
|
|
|
|
152
|
|
|
16.
|
Изолятор
|
ШФ10-1
|
|
|
|
349383
|
|
2
|
|
|
17.
|
Колпачек
|
К-6
|
|
|
|
|
|
2
|
|
|
18.
|
Крепление провода
|
ВШ1
|
|
|
|
|
|
1
|
|
|
19.
|
Зажим
|
ПС-3
|
|
|
|
|
|
2
|
|
|
20.
|
Зажим плашечный
|
ПА-2-1В
|
|
|
|
|
|
2
|
|
|
21.
|
Зажим натяжной клиновой (с
кл. № 1)
|
НКК-1-1Б
|
|
|
|
|
|
6
|
|
|
22.
|
Изолятор
|
ПС70-Д
|
|
|
|
349381
|
|
12
|
|
|
23.
|
Ушко однолапчатое
|
У1-7-16
|
|
|
|
|
|
6
|
|
|
24.
|
Звено промежуточное
трехлапчатое
|
ПРТ-7
|
|
|
|
|
|
6
|
|
|
|
Теплотрасса
|
|
|
|
|
|
|
|
|
|
1.
|
Трубы стальные эл.
прямошовные Дн 530 ´ 7
|
ГОСТ 10704-76
|
м
|
006
|
|
|
|
140
|
|
|
2.
|
Трубы стальные
электросварные Дн 1590 ´
4,5
|
ГОСТ 10704-76*
|
- ² -
|
- ² -
|
|
|
|
3,0
|
|
|
3.
|
Опоры скользящие для труб
Ду500
|
4.903-10 В.5
|
шт.
|
796
|
|
|
|
12
|
|
|
4.
|
Отводы крутоизогнутые 90° -
530 ´ 7
|
ГОСТ
17375-83
|
- ² -
|
- ² -
|
|
|
|
4
|
|
|
5.
|
Вентиль запорной фланцевой
Ду150
|
15с22нх
|
шт.
|
796
|
|
|
|
2
|
|
|
|
Трубопроводы
|
|
|
|
|
|
|
|
|
|
1.
|
Трубы стальные
электросварные прямолинейные
Ру
< МПа Æ
57 ´4
|
ГОСТ 10704-75
В10Ст3сп2
|
м
|
008
|
|
|
|
10
|
5,23
|
|
2.
|
То
же Æ
325 ´ 5
|
ГОСТ 10705-80
- ² -
|
м
|
006
|
|
|
|
740
|
39,46
|
|
3.
|
Футляр стальной
Æ
530 ´ 7 L = 17,0 м
|
ГОСТ 10704-76*
В10Ст3сп2
|
шт.
|
796
|
|
|
|
1
|
1334,6
|
|
|
|
ГОСТ 10705-80
|
|
|
|
|
|
|
|
|
4.
|
То
же, L = 20,0 м
|
|
шт.
|
796
|
|
|
|
1
|
1570,0
|
|
5.
|
То
же, L = 27,0 м
|
|
шт.
|
796
|
|
|
|
1
|
2120,0
|
|
6.
|
То
же, L = 99,5 м
|
|
шт.
|
796
|
|
|
|
1
|
7810,8
|
|
7.
|
Ковер стальной,
Дк
= 325 мм, Н = 370 мм
|
ГОСТ 10704-76*
В10Ст3сп2
|
шт.
|
796
|
|
|
|
4
|
24,0
|
|
|
|
ГОСТ 10705-80
|
|
|
|
|
|
|
|
4.1.1.
ОТВОД ЗЕМЕЛЬ
Задание на проектирование, дополнительные задания и указания, кем,
когда выданы, утверждены (ссылка на приложенные документы).
Сведения ЭО о целесообразности строительства (реконструкция)
проектируемого участка дороги.
Основные нормативные документы, взятые за основу при
проектировании.
Административный район проложения трассы. Оформление выбора
направления трассы дороги.
Предложения по резервированию территории.
Обоснование ширины полосы отвода в постоянное пользование с учетом
расположения земляного полотна, переустраиваемых коммуникаций, элементов
обстановки дороги, искусственных сооружений, водоотводных сооружений,
проектируемых лесополос, обеспечения видимости на пересечениях и примыканиях,
полос для безопасного съезда автомобилей, зон избыточного транспортного
загрязнения.
Обоснование ширины зоны ограничения застройки.
Обоснование ширины временной полосы для работы строительных машин
и механизмов, хранения отвалов растительного грунта, устройства объездов,
переустройства коммуникаций. Сведения о размерах площадей во временный отвод
под размещение строительных площадок, карьеров, резервов грунта, кавальеров.
Данные о площадях занимаемых земельных угодий с распределением по
их видам, землепользователя и виду отвода (постоянный и временный).
Соответствие проектных решений и площадей отводимых земель акту
выбора земельного участка и другим согласованиям.
Законодательные и нормативные документы, принятые за основу
разработки проекта рекультивации временно занимаемых земель, нарушенных при
строительстве автомобильной дороги и брошенных участков существующей дороги
(при реконструкции).
Требования и технические условия на рекультивацию временно
занимаемых земель, выданные землепользователями и землеустроительными органами.
Ссылки на соответствующие документы согласований.
Характеристика площадей временно занимаемых земель для
строительства (реконструкции) дороги с указанием целей отвода и размеров
участков, разделением земель по видам угодий, районам и землепользователям.
4.1.2. Рекультивация земель.
Характеристика проектируемых мероприятий по рекультивации временно
занимаемых земель в соответствии с требованиями и техническими условиями,
выданными землепользователями и землеустроительными органами, с разделением по
видам рекультивационых работ.
Рекультивация земель включает в себя два этапа: технический и
биологический.
Технический этап:
* снятие и сохранение плодородного слоя с площадей, нарушаемых в
процессе строительства, по предотвращению водной и ветровой эрозии временных
отвалов плодородного слоя;
* выравнивание и планировка рекультивируемых площадей нарушенных
земель с приданием необходимых уклонов, обеспечением водоотвода.
Биологический этап:
* вид рекультивации (сельскохозяйственная, водохозяйственная,
лесохозяйственная);
* продолжительность биологического этапа;
* календарный график по обработке почв, внесению удобрений и семян
с указанием видов и норм, уходу за посевами и лесокультурами.
Данные о стоимости рекультивации, учтенные в сводной смете на
строительство (реконструкцию) проектируемого участка дороги.
Данные о рекультивируемых площадях с распределением по видам
угодий, предназначению временно используемых площадей и брошенных участков
существующей дороги.
4.1.3. Зоны ограничения застройки
Предложения по размерам зон ограничения застройки по условиям
экологического влияния и безопасности движения.
4.1.4. Снос и перенос зданий, сооружений и
насаждений
Характеристика зданий, сооружений и насаждений, подлежащих сносу
и/или переносу, данные инвентаризации, оценочные акты и решения о характере
компенсации за сносимые здания, сооружения и насаждения.
Решение субъекта Федерации об утверждении акта выбора.
Акт выбора земельного участка под строительство дороги.
Схема вариантов трассы (составляется на стадии подготовки акта
выбора в ходе работ по сбору исходных данных на материалах (планшетах) службы
землеустройства).
План трассы принятого варианта.
Продольный профиль.
Чертежи, схемы, обосновывающие ширину полосы отвода, в т.ч.
временной.
Схема (график) занимаемых земель.
Технические условия на рекультивацию.
Чертежи рекультивации временно занимаемых земель, брошенных
участков существующей дороги.
Календарный график биологического этапа рекультивации.
|
№
№ п.п.
|
Наименование
организации, с которой произведено согласование
|
Краткое
содержание документа
|
Где
помещено согласование
|
|
1
|
Читинское производственное
геологическое объединение
|
О
согласовании участка автомобильной дороги и наличии полезных ископаемых 4.04.89
г.
|
Отчет
по сбору исходных данных
|
|
2
|
Автодорожная служба ордена
Ленина Забайкальского военного округа
|
О
проложении трассы автодороги 5.04.89
г.
|
- ² -
|
|
3
|
Верхнеамурская
археологическая экспедиция
|
- ² -
|
- ² -
|
|
4
|
Читинский облисполком
|
Решение
о согласовании проложения автодороги и отвода земель 24.04.89
|
- ² -
|
|
5
|
Чернышевский райисполком
|
Решение
о согласовании и отводе земель под строительство автодороги 24.03.89
|
- ² -
|
|
6
|
Глава администрации
Чернышевского района
|
Распоряжение о
подтверждении проложения трассы и отвода земель
|
ТОМ
2
|
|
7
|
Читинский областной комитет
по охране природы
|
О согласовании
проектирования автодороги
|
Отчет
по сбору исходных данных
|
|
8
|
Читагеология
|
О проложении трассы дороги
|
- ² -
|
|
9
|
Читинавтодор
|
О проложении трассы
автодороги
|
- ² -
|
|
10
|
Комиссия по выбору
земельного участка под строительство автодороги Чернышевского райисполкома
|
Об
утверждении акта комиссии по выбору земельного участка 24.03.89 г.
|
- ² -
|
|
11
|
Совхоз «Комсомолец»
|
Заключение о проложении
трассы и отводе земель
|
- ² -
|
|
12
|
Совхоз «Комсомолец»
|
Справка о размере убытков,
причиняемых совхозу
|
- ² -
|
|
13
|
Агропром
|
Заключение о проложении трассы
и отводе земель
|
- ² -
|
|
14
|
Чернышевское СЭС
|
Заключение
по отводу земельного участка под строительство 20.03.89
|
- ² -
|
|
30
|
Чернышевский РУС
|
О пересечении линий связи
|
ТОМ
1
|
|
31
|
Нач. главного управления
архитектуры и градостроительства
|
О
проложении трассы и отводе земель 6.04.89
г.
|
Отчет
по сбору исходных данных
|
|
32
|
Управление культуры
|
О
расположении резервов и карьеров 15.05.89
г.
|
- ² -
|
|
33
|
Главное управление
Госавтоинспекции
|
Об устройстве на I стадии строительства
временных деревянных ограждений
|
ТОМ
1
|
|
34
|
Читинавтодор
|
О строительстве
гофрированных труб
|
ТОМ
1 РП на участок км 0 - км 18
|
|
35
|
- ² -
|
Об укреплении каменной
наброской
|
- ² -
|
|
36
|
- ² -
|
Согласование конструкции
дорожной одежды
|
ТОМ
1 /телетайп/
|
|
Проектный
км
|
Местоположение ПК+
|
Адрес, владелец строений
|
Характеристика строения,
страховая стоимость, состав семей
|
Намечаемые мероприятия
|
Насаждения
|
Примечание
|
|
|
Фруктовые деревья
|
Ягодные кусты
|
|
|
слева
|
справа
|
|
|
кол-во
шт.
|
стоимость,
тыс. руб.
|
кол-во шт.
|
стоимость, тыс. руб.
|
|
|
1
|
2
|
3
|
4
|
5
|
6
|
7
|
8
|
9
|
10
|
11
|
|
|
23
|
227+41
|
|
Тверская обл. Рамешковский р-он с. Алексеевское ул. Центральная,
дом 23
Фомина Ольга Николаевна
Семина Елена Николаевна
|
2-х этажный дом
1-ий этаж - кирпичный
2-ой этаж - деревянный рубленый. Площадь - 56 кв. м. Объем - 170
м3.
Страховая стоимость 6500 тыс. руб.
Сарай деревян. рубленый
Площадь 25 кв. м, объем - 50 м3.
Страховая стоимость - 500 тыс. руб.
Одна семья - 3 человека.
Одна семья - 2 человека.
|
Снос строений и насаждений.
Представление новых квартир
|
10
|
205
|
10
|
72
|
|
|
|
27
|
|
265+20
|
Тверская область Рамешковский р-он д. Заклинье
Тишин Алексей Михайлович
|
Деревянная рубленая баня.
Площадь 6 кв. м.
Объем 18 м3
Страховая стоимость - 200 тыс. руб.
|
Перенос на новое место
|
-
|
-
|
-
|
-
|
|
|
СВОДКА
ПОТРЕБНОСТИ В ЖИЛОЙ ПЛОЩАДИ
|
ХАРАКТЕРИСТИКА КВАРТИРЫ
|
Жилая площадь, м2
|
Кол-во квартир
|
Общая жилая площадь, м2
|
|
Однокомнатная
|
20
|
2
|
40
|
|
Двухкомнатная
|
32
|
1
|
32
|
|
ВСЕГО
|
|
3
|
72
|

Копия
рекультивации песчаного резерва «Павликовское», расположенного на
территории Кологривского мехлесхоза, Кологривского района, Костромской области
1. Площадь рекультивации: - всего 3,0 га
в т.ч. с использованием под лесные насаждения - 3,0 га
2. Параметры поверхности участков после выполнения
горнотехнического этапа рекультивации: предельные уклоны откосов:
- бортов карьера после выполаживания - 12°;
- отвалов отходов камнедробления - естественные;
террасирование бортов карьера:
- тип террас - выемочно-насыпные;
- ширина полотна - 3,5 м;
- обратный уклон до 50.
3. В период биологического этапа рекультивации под лесные
насаждения:
- посев в течение 2-х лет многолетних трав на полотно террас. На
2-й год механизированная посадка сеянцев ели. Уход за насаждениями в течение
6-ти лет;
- ручная посадка черенков ивы на отвалах и уход за насаждениями в
течение 3-х лет;
- механизированная посадка сосны на площади 6,0 га и уход за
насаждениями в течение 9 лет.
4. Способы укрепления откосов: - укрепление откосов террас
предусмотреть путем гидропосева многолетних трав.
Землепользователь Фамилия
И. О.
Землеустроитель района Фамилия
И. О.
Копия
Технические условия
рекультивации участка под стройплощадку для строительства
автодороги Кологрив - Черменино на участке Кологрив - Суховерхово на территории
г. Кологрива Костромской области
1. Площадь рекультивации всего -
1,0 га
в т.ч. с использованием под пашню 1,0
га
2. Плодородный состав поверхностного слоя рекультивированного
участка под пашню - площадь 1,0 га;
плодородный слой почв - мощность 18 - 20 см.
3. Параметры поверхности участков после выполнения
горнотехнического этапа рекультивации: предельного угла уклона для пашни 10°.
4. Создание лесных насаждений не требуется.
5. В период биологического этапа рекультивации под пашню
продолжительностью 3 года предусмотреть: посев многолетних трав, внесение
органических и минеральных удобрений, известкование на основании
агрохиманализов.
Землепользователь И.
О. Фамилия
Землеустроитель района И.
О. Фамилия
Верна: подпись
печать



Технология работ по биологической рекультивации
|
Виды
работ
|
Год выполнения работ
|
|
1
|
2
|
3
|
4
|
5
|
|
Трехкратное снегозадержание
|
X
|
|
|
|
|
|
Ранневесеннее боронование в
два следа
|
X
|
|
|
|
|
|
Внесение минеральных
удобрений
|
|
|
|
|
|
|
по
норме: извести 5 т на 1 га
|
X
|
X
|
X
|
X
|
X
|
|
суперфосфата
0,4 т на 1 га
|
X
|
X
|
X
|
X
|
X
|
|
хлористого
калия 0,2 т на 1 га
|
X
|
X
|
X
|
X
|
X
|
|
Лущение стерни на глубину 5
см
|
X
|
|
|
|
|
|
Дискование на глубину 10 -
12 см
|
X
|
|
|
|
|
|
Зяблевая вспашка на глубину
30 см с одновременным боронованием
|
X
|
|
|
|
|
|
Предпосевное боронование в
два следа
|
X
|
|
|
|
|
|
Предпосевная культивация с
одновременным боронованием
|
Х
|
|
|
|
|
|
Рыхление
|
Х
|
|
|
|
|
|
Глубокая безотвальная
вспашка
|
Х
|
|
|
|
|
|
Рыхление перед посадкой
|
X
|
|
|
|
|
|
Рядовая посадка сеянцев
механизированным способом
|
X
|
|
|
|
|
|
Мульчирование посадок
|
X
|
X
|
X
|
X
|
Х
|
|
Шестикратное рыхление почвы и культивация междурядий
|
X
|
X
|
|
|
|
|
Рубка ухода за посадками
|
|
X
|
X
|
X
|
X
|
Основные
объемы работ
|
Виды
работ
|
Единица
измерения
|
Количество
|
Примечание
|
|
Разработка грунта I группы бульдозером
|
м3
|
70000
|
|
|
Планировка уположенных
откосов и дна резерва
|
м2
|
173000
|
|
|
Надвижка растительного
грунта бульдозером и разравнивание его слоем 20 см на откосах и
по дну резерва
|
м3
|
34600
|
Засев трав с учетом площадок для складирования растительного
слоя
|
| |
|