//
|
|
Федеральный надзор России по ядерной и радиационной безопасности РУКОВОДСТВА ПО БЕЗОПАСНОСТИ Утверждена
постановлением ОЦЕНКА СЕЙСМИЧЕСКОЙ ОПАСНОСТИ УЧАСТКОВ РАЗМЕЩЕНИЯ ЯДЕРНО- И РАДИАЦИОННО ОПАСНЫХ ОБЪЕКТОВ НА ОСНОВАНИИ ГЕОДИНАМИЧЕСКИХ ДАННЫХ РБ-019-01 Введена в действие Москва 2001 Руководство по безопасности содержит рекомендации как проводить инженерные изыскания и исследования по выявлению тектонических структур и их движений (современных дифференцированных движений земной коры, разрывных сейсмотектонических смещений, сейсмодислокаций, сейсмотектонических поднятий и опусканий блоков земной коры, сейсмодеформаций, землетрясений природного происхождения) с целью реализации требований п. 2.2 и раздела 4 федеральных норм и правил в области использования атомной энергии "Учет внешних воздействий природного и техногенного происхождения на ядерно- и радиационно опасные объекты". Руководство
содержит классификацию тектонических структур и движений, критерии и методы
выделения и оценки В Руководстве использован опыт работ по уточнению геодинамических и сейсмических условий размещения Калининской, Нововоронежской, Кольской АЭС и других атомных станций. Руководство по безопасности разработано впервые. Руководство по безопасности разработано в составе работ по федеральной целевой программе "Снижение рисков и смягчение последствий чрезвычайных ситуаций (ЧС) природного и техногенного характера в Российской Федерации до 2005 года". Разработчик - авторский коллектив в составе: Бугаев Е.Г. (руководитель разработки), Калиберда И.В., Лавров И.М., Фихиева Л.М., Бенедик А.Л., Степанов В.В., Шварев С.В., Юнга С.Л. При разработке Руководства по безопасности учтены замечания и предложения института Атомэнергопроект, ВНИГОЧС МЧС России, ВНИПИпромтехнология, Геофизического центра РАН, Гидрогеологической экспедиции 16-го района, МГП "Геомонитор", Объединенного института физики Земли РАН, института Гидропроект, С.-Пб института Атомэнергопроект, Нижегородского института Атомэнергопроект. СодержаниеПЕРЕЧЕНЬ СОКРАЩЕНИЙ
ТЕРМИНЫ И ОПРЕДЕЛЕНИЯАктивный разлом - тектонический разлом, в зоне которого за четвертичный период геологического развития произошло относительное перемещение примыкающих блоков земной коры на 0,5 м и более или наблюдаются их относительные смещения со скоростями современных движений 5 мм/год и более, Балльность - интенсивность сейсмических воздействий в баллах шкалы МЗК-64. Геодинамические зоны - тектонические структуры, активные в четвертичном периоде геологического развития. Геологические критерии выделения зон ВОЗ - параметры геологических структур, используемые для оценки сейсмичности. Градиент тектонических движений - изменение амплитуды тектонического перемещения маркирующей поверхности на единице расстояния и времени. Закон повторяемости землетрясений - линейная зависимость логарифма числа землетрясений в определенном районе за определенный промежуток времени от магнитуды. Землетрясение локальное - землетрясение, очаг которого расположен вблизи площадки ЯРОО (в радиусе менее 30 км). Землетрясение местное - землетрясение, очаг которого расположен в радиусе от 30 до 300 км от площадки ЯРОО. Землетрясение удаленное - землетрясение, очаг которого расположен на расстоянии более 300 км от площадки ЯРОО. Литосферная плита - наиболее крупный и устойчивый сегмент литосферы. Магнитуда - логарифм максимальной вычисленной амплитуды записи (в микронах), которую стандартный короткопериодный крутильный сейсмограф (Т0 = 0,8 с, V = 2800, h = 0,8) зарегистрировал бы на расстоянии 100 км от эпицентра землетрясения. Максимальное расчетное землетрясение - землетрясение максимальной интенсивности на площадке ЯРОО с повторяемостью один раз в 10 тыс. лет. Площадка ЯРОО - территория в пределах охраняемого периметра, где размещаются основные и вспомогательные здания и сооружения ЯРОО. Проектное землетрясение - землетрясение максимальной интенсивности на площадке ЯРОО с повторяемостью один раз в тысячу лет. Сейсмическая активность - число землетрясений определенной интенсивности в единицу времени на единицу площади. Сейсмическая опасность - максимальные сейсмические воздействия заданной повторяемости на площадке ЯРОО. Сейсмичность - совокупность очагов землетрясений в пространстве и времени. 1. ОСНОВНЫЕ ПОЛОЖЕНИЯ1.1. Настоящее Руководство содержит рекомендации как проводить инженерные изыскания и исследования по выявлению тектонических структур и их движений (современных разрывных сейсмотектонических смещений, сейсмодислокаций, сейсмотектонических поднятий и опусканий блоков земной коры, дифференцированных движений земной коры, сейсмодеформаций, землетрясений природного происхождения) с целью реализации требований п. 2.2 и раздела 4 федеральных норм и правил в области использования атомной энергии "Учет внешних воздействий природного и техногенного происхождения на ядерно- и радиационно опасные объекты". 1.2. Настоящее Руководство предназначено для использования при проведении работ по определению сейсмичности района и площадки действующих, строящихся и проектируемых ЯРОО на основании геодинамических данных и результатов сейсмического и геодинамического мониторингов, проводимых в периоды проектно-изыскательских работ, строительства и эксплуатации ЯРОО. 1.3. Настоящее Руководство содержит классификацию тектонических структур и движений, критерии и методы выделения потенциальных зон ВОЗ, методы оценки возможной максимальной магнитуды землетрясения, рекомендации по составу и масштабу исследований с целью определения сейсмичности района размещения ЯРОО. 1.4. Настоящее Руководство при проведении инженерных изысканий и исследований рекомендует обосновывать минимально допустимое удаление площадки ЯРОО от активной тектонической структуры с учетом знаний: - об инструментально зарегистрированных, исторических, древних землетрясениях и палеоземлетрясениях; - о параметрах зон ВОЗ; - о схемах расположения геодинамических зон и зон разрывных нарушений; - о протяженности активных разломов и размеров других активных тектонических структур; - о расположении вблизи площадки ЯРОО активных разломов и об их взаимосвязи с более крупными активными разломами; - о предельно возможных за четвертичный период разрывных тектонических смещениях, тектонических деформациях при растяжении, сжатии, сдвиге; - об амплитудах, скоростях и градиентах новейших и четвертичных дифференцированных движений земной коры. 1.5 Действие настоящего Руководства не распространяется на сейсмическое микрорайонирование площадки ЯРОО и на определение параметров сейсмических воздействий. 1.6.
Настоящее Руководство, наряду с рекомендуемыми в нем методами изысканий и
исследований, а также методиками выделения зон ВОЗ и оценки 2. КЛАССИФИКАЦИЯ ТЕКТОНИЧЕСКИХ СТРУКТУР И ДВИЖЕНИЙ2.1. По времени формирования различают тектонические структуры: - современные, активные в течение последних 100 лет; - исторические, активность которых проявлялась от 100 до 6 тыс. лет; - молодые, сформировавшиеся б течение последних 6-12 тыс. лет; - четвертичные, возраст которых может достигать 1,8 млн. лет; - новейшие, сформировавшиеся за последние 35-40 млн. лет. 2.2. Порядок и ранг сейсмогенных тектонических структур в зависимости от их протяженности (размера) рекомендуется определять с учетом табл. 2.2.1.
Примечание: планетарные - структуры, разделяющие литосферные плиты; региональные - крупнейшие структуры в пределах литосферной плиты, местные - наиболее крупные структуры в пределах регионального блока земной коры; локальные - наиболее крупные структуры в пределах местного блока земной коры. 2.3. По типу или характеру деформаций различают тектонические структуры складчатые (пликативные) и разрывные (дизъюнктивные). Основными дизъюнктивными структурами являются разломы, разрывы, трещины. 2.4. По кинематике разрывного смещения дизъюнктивные нарушения подразделяют на сбросы и взбросы (включая надвиги). 2.5. По скорости смещения тектонические движения подразделяют на медленные (тектонический крип, дифференцированные поднятия и опускания земной коры со скоростями до нескольких миллиметров в год) и быстрые (сейсмогенные и импульсные), по характеру деформаций - на обратимые, необратимые, растяжения, сжатия., сдвиги. 3. КРИТЕРИИ ВЫДЕЛЕНИЯ ПОТЕНЦИАЛЬНЫХ ЗОН ВОЗ3.1. В качестве геологических критериев выделения потенциальных зон ВОЗ рекомендуется использовать: - тектонически активные структуры и разломы земной коры; - линейные зоны проявления градиентов: скорости четвертичных и новейших движений, структурных поверхностей, геофизических полей (геопотенциала, магнитного поля, скоростей распространения упругих волн) и изостатических аномалий силы тяжести; - изменение мощности: осадочного чехла; земной коры; сейсмоактивного слоя. 3.2. Основными критериями уточнения положения и параметров региональных зон ВОЗ, выделения и оценки параметров местных и локальных зон ВОЗ на платформенной территории являются; - активность в четвертичном периоде геологического развития геодинамических зон и разломов, разделяющих геоблоки земной коры; - приуроченность к ним микроземлетрясений, ощутимых и сильных землетрясений. 3.3.
Основными параметрами геодинамических зон, используемыми для оценки - однородность, протяженность и ширина зоны; - амплитуда относительных перемещений смежных геоблоков и период активизации, в течение которого накоплены эти перемещения; - скорость тектонических смещений; - параметры сейсмической активности; - газовые аномалии. 3.4. Тектонические и сейсмические условия размещения ЯРОО рекомендуется определять с учетом: - протяженности активных разломов и долговременного градиента неотектонической и четвертичной деформации в их зонах; -
параметров сейсмического режима: (сейсмическая активность, угол наклона графика
повторяемости, наблюденная -
максимальных магнитуд землетрясений 4. ОСНОВНЫЕ МЕТОДЫ ВЫДЕЛЕНИЯ ПОТЕНЦИАЛЬНЫХ ЗОН ВОЗ4.1. При отсутствии представительных исторических и инструментальных данных о землетрясениях следует выделять потенциальные зоны ВОЗ на основании геодинамических данных. 4.2. При выделении потенциальных зон ВОЗ рекомендуется земную кору и верхнюю мантию рассматривать как дискретно-иерархическую структуру, каждый блок которой состоит из более мелких блоков и сам является частью более крупного блока. Переход от блоков одного порядка к следующему выражается чередованием отношений их максимальных размеров, кратных 3,3 и 3 (табл.2.2.1). 4.3. Построение карты линеаментов рекомендуется начинать с определения ориентировки и шага простых решеток. Ячейку простой решетки рассматривают как структурно-тектонический блок земной коры, а границы блока - как зоны разломов того же порядка, что и блок. Затем следует оценивать неотектоническую и четвертичную активность выделенных межблоковых зон и блоков различных порядков. 4.4. Для выявления тектонических структур различных порядков, а также изучения локальных проявлений сейсмичности и структурно-литологических особенностей очагов землетрясений рекомендуется также выполнять морфотектонический анализ космических снимков и аэрофотоснимков, топографических карт. При картировании следует учитывать, что при уменьшении масштаба снимков крупные структуры фундамента могут "просвечиваться" сквозь толщу отложений, мощность которых достигает сотни метров, а качественные изменения информативности снимков происходят при уменьшении их масштаба в 3-5 раз. 4.4.1. Для установления соответствия градиентных и аномальных зон различных показателей с элементами каркаса тектонических структур различных порядков, образованного линеаментными зонами и системами, рекомендуется сопоставлять элементы каркаса с материалами морфодинамического дешифрирования, морфографических, морфометрических и структурно-геологических построений и определять элементы, активизированные на новейшем этапе геологического развития. Амплитуды новейших смещений рекомендуется усреднять в пределах отдельных блоков и определять относительные смещения смежных блоков как разницу между их средними амплитудами. 4.4.2. Исходные модели рельефа и палеорельефа рекомендуется составлять с использованием картографических методов, в том числе морфографических и морфометрических, для описания морфологии неотектонических форм, положения их границ, разделения неотектонических форм на области поднятия и опускания и оценки степени их геодинамической активности. 4.4.3. Разделение неоструктурных форм на поднятия и опускания и оценку вертикальных амплитуд новейших движений рекомендуется осуществлять на основе анализа отложений, деформаций циклических поверхностей и древних уровней поверхности Земли, денудационного среза и эрозионных врезов. Амплитуды неотектонических движений следует вычислять как разницу между современным положением поверхности выравнивания и тальвегами современной базисной поверхности гидросети с учетом колебаний уровня базиса эрозии. 4 5. Выделение геодинамических зон различных порядков, определение их параметров и тектонической активности в неотектонический и четвертичный периоды геологического развития рекомендуется выполнять на основании результатов геодинамического районирования и морфоструктурного анализа региона, района и ближнего района размещения ЯРОО. 4.5.1. При проведении морфоструктурного анализа определяются амплитуды вертикальных движений блоков по разломам относительно древней поверхности выравнивания. По результатам дешифрирования аэрофотоснимков и топографических карт устанавливаются закономерные (тренд) и случайные составляющие рельефа. По трендовой составляющей выделяют блоковые структуры, определяют знак и амплитуды подвижек блоков. Используют также морфометрические методы построения блоковых структур по эрозионной сети речек, ручьев, оврагов, балок (табл. 4.5.1) 4.5.2. При малом перепаде высот (1-1,5 м и менее) и техногенном нарушении рельефа используют погребенные кровли коренных пород, разрывы и трещины, проявляющиеся на аэрофотоснимках ландшафта. 4-5.3. Границы между блоками земной коры, установленные с помощью геоморфологических методов, рекомендуется уточнять с учетом геологических и геофизических данных. Предлагается использовать следующие признаки разломов: смещения пород по разрывам, зоны дробления и интенсивной трещиноватости, глинка трения, зеркала скольжения, родники, термальные воды. Таблица 4.5.1
4.5.4. При выделении разломов по данным высокоточного повторного нивелирования следует иметь в виду фиксирование их перепадами скорости современных движений и градиентами скоростей. 4.5.5. При выделении потенциальных зон ВОЗ и оценке их порядка рекомендуется рассматривать также гидрографические признаки. 4.5.6. Динамику современных движений (поднятие, опускание, кручение) рекомендуется устанавливать по результатам анализа речной сети и использовать при построении тектонической карты. 4.5.7. В пределах активных участков геодинамических зон особое внимание следует уделять поиску признаков сейсмичности (например, палеосейсмодислокаций) и оценке параметров геодинамических зон (длина и ширина, амплитуда движений, период активизации тектонических движений в зоне), с учетом которых прогнозируют расположение потенциальных зон ВОЗ и оценивают максимальные магнитуды. 4.6. Наряду с геологическими методами для выделения зон ВОЗ и оценки их параметров, рекомендуется использовать сейсмологический метод, основанный на анализе имеющихся исторических и инструментальных данных о землетрясениях и предназначенный для получения исходных данных для оценки параметров ПЗ и МРЗ зон ВОЗ с использованием вероятностного подхода. 4.6.1. При использовании сейсмологического метода следует иметь в виду, что в местах на территории платформы, где происходили землетрясения, в будущем возможны землетрясения, плейстосейстовая область которых невелика из-за их небольшой магнитуды и малой (до 10 км) глубины очага землетрясений. Рекомендуется учитывать данные о слабых землетрясениях (М ≤ 4,5). 4.6.2.
При построении сейсмотектонической карты рекомендуется приводить к одному
масштабу и сопоставлять схему геодинамических зон, составленную по
геолого-геоморфологическим и дистанционным данным, и схему зон распространения
признаков, характерных для проявления землетрясений с определенной 4.6.3. При уточнении сейсмичности района размещения ЯРОО рекомендуется учитывать распределение землетрясений в пределах рассматриваемой территории. Например, совместное рассмотрение карты плотности разломов Русской плиты и карты распределения землетрясений показало, что в пределах 50% ее площади, где плотность разломов низкая, отмечено менее 20% землетрясений, причем слабых, а на остальной части Русской плиты, где отмечена повышенная плотность разломов, зафиксировано более 80% землетрясений. На этом основании зонам повышенной тектонической активности может быть присвоена потенциальная сейсмическая активность и составлены в соответствующем масштабе сейсмотектонические карты. Результаты метода сейсмотектонических аналогий для Русской плиты приведены в табл. 4.6.1. Таблица 4.6.1
4.7. Для оценки напряженно-деформированного состояния земной коры и уточнения положения ближайших к площадке ЯРОО активных участков геодинамических зон рекомендуется выполнять анализ гравитационных эффектов (давления вышележащей толщи горных пород, гравитационных аномалий) и проведение регистрации микроколебаний и микроимпульсов, других исследований, позволяющих: -
оценивать деформации блоков земной коры и величину сброшенных напряжений - диагностировать напряженные участки на основе анализа релаксационных процессов; - определять структурные, деформационные и прочностные характеристики тектонических элементов, выделенных в пределах целиковых блоков земной коры и межблоковых границ различных порядков и разного уровня геодинамической активности. 5. МЕТОДЫ ОЦЕНКИ ВОЗМОЖНОЙ МАКСИМАЛЬНОЙ МАГНИТУДЫ5.1. Магнитуду М оценивают по формуле: где А - максимальная амплитуда колебаний в продольной, поперечной или поверхностной волне; А/Т - отношение максимальной амплитуды к периоду Т, с; С(Δ) - калибровочная функция, описывающая изменение амплитуды с расстоянием Δ, км; с - свободный член для установления "нуля шкалы". В формуле (5.1) в зависимости от варианта магнитудной шкалы под знаком логарифма могут быть использованы А или А/Т, 5.2.
Для определения 5.3.
При наличии представительных сейсмологических данных для оценки 5.4.
Согласно методу сейсмотектонических аналогий, к потенциальным зонам ВОЗ рекомендуется
относить прежде всего зоны планетарных и региональных разломов (пункт 2.2). При невозможности выделения локальных зон ВОЗ
допускается выделять однотипные геологические структуры по строению и по
геодинамическому развитию в четвертичном и неотектоническом периодах
геологического развития как сейсмотектонические области, для которых 5.5.
В сейсмически активных районах рекомендуется использовать корреляционные
зависимости
Коэффициенты а и b в равенстве (5.2) рекомендуется устанавливать эмпирическим путем с учетом магнитуд исторических и инструментально зарегистрированных ощутимых и сильных землетрясений, протяженности и мощности сейсмоактивного слоя тектонически активных структур, к которым эти сейсмические события приурочены. Соотношения такого типа имеют региональный характер и не учитывают степень тектонической активности рассматриваемых структур. Тектоническим структурам с разной степенью активности, но одинаковой протяженности присваивают одну расчетную магнитуду. Для слабоактивных районов рекомендуется использовать аналогичные зависимости (приложение 2), которые учитывают низкий уровень тектонической активности платформенной территории. 5.6.
Исходя из предельно возможной для Земли магнитуды где b - угол наклона графика повторяемости магнитуд; Е - градиент долговременной четвертичной и неотектонической деформации, в год. Для
оценки сверху значений для b = 1 для b = 1,2 обозначения в которых аналогичны обозначениям в равенстве (5.3). 5.7. Сейсмический момент Mo связан с другими параметрами очага землетрясения равенством:
где μ - модуль сдвига; А - амплитуда смещения; S - площадь плоскости разрыва, по которой происходит смещение при землетрясении. С учетом равенства (5.7)
для
оценки предельной
где L - протяженность активной геодинамической зоны, км; Е - градиент неотектонической деформации в год. Равенство
(5.8) позволяет учитывать не только протяженность потенциальной зоны ВОЗ, но и
ее геодинамическую активность, и его рекомендуется использовать для оценки
предельной 6. СОСТАВ РЕКОМЕНДУЕМЫХ ИССЛЕДОВАНИЙ6.1 Для оценки тектонических и сейсмических условий на площадке ЯРОО рекомендуется использовать последовательное рассмотрение мелкомасштабных, среднемасштабных и крупномасштабных материалов изысканий и исследований. Такой подход позволяет последовательно (от общего к частному) рассмотреть потенциальную опасность планетарных, региональных, местных и локальных структур, установить их взаимосвязь и подчиненность, обеспечить по мере укрупнения масштабов работ повышение детальности исследований ближайших к площадке ЯРОО структур. Порядок и протяженность сейсмогенных структур, масштаб исследований и комплекс работ по уточнению геодинамических и сейсмических условий площадки ЯРОО приведены в табл. 6.1. Таблица 6.1
Детальность и методы исследования активных тектонических структур и потенциальных зон ВОЗ должны быть достаточны, чтобы не пропустить зоны, в которых могут реализоваться землетрясения интенсивностью 6 баллов и выше, чтобы обеспечить реализацию требований п. 2.2.2 "Норм проектирования сейсмостойких атомных станций". Исходя из этого, УСР рекомендуется выполнять на территории в радиусе до 300 км от ЯРОО, а УСГУ - на территории в радиусе до 30 км от ЯРОО. 6.2. Для обеспечения требований п. 4.5 федеральных норм и правил в области использования атомной энергии "Учет внешних воздействий природного и техногенного происхождения на ядерно- и радиационно опасные объекты" рекомендуется последовательно оценивать сейсмические воздействия от планетарных, региональных, местных разломов и локальных сейсмогенных структур и разломов. 6.3. На основании уточнения положения и
параметров планетарных разломов и их связи с региональными разломами в период
последней активизации тектонических движений следует оценивать Если площадка расположена в зоне планетарного разлома, ее сейсмичность следует предварительно определять с учетом наиболее сильного происшедшего в зоне разлома землетрясения в предположении его близости к площадке ЯРОО и возможности выхода разлома на поверхность, разжижения грунта, образования обвалов, оползней и т.д. Базой данных служат фондовые и опубликованные материалы по геологии, геоморфологии, тектонике, глубинному строению, новейшим и современным движениям земной коры, палеосейсмодислокациям, соляной тектонике, геофизике, сейсмологии, результаты обследования района размещения ЯРОО и полевых работ и картографический материал. Результаты камеральной обработки и анализа материалов отображают на сейсмотектонической карте, схеме геосинклинальной тектоники (плане, разрезе), схеме геосинклинальной тектоники, карте новейших тектонических движений масштабов 1:10000000 - 1:5000000. Анализируя карты масштабов 1:1000000 - 1:100000, следует уделять особое внимание выделению и уточнению положения потенциальных зон ВОЗ, при которых сейсмичность площадки достигает 6 баллов и более. В состав исследований рекомендуется включать: - камеральную обработку фондовых материалов с составлением тектонической карты и карты разломов; - дешифрирование космических снимков и аэрофотоснимков; - структурно-тектоническое, структурно-геоморфологическое и структурно-ландшафтное дешифрирование и числовые модели рельефа; - детальный анализ данных о СДЗК; - обследование зон региональных разломов; - геофизические, геохимические и геодезические наблюдения за современной динамикой ближайших региональных разломов; - изучение новейших и четвертичных движений полевыми методами, определение четвертичной активности региональных разломов. По материалам исследований следует: - обосновывать выявление всех региональных разломов на территории, окружающей площадку ЯРОО; - устанавливать и документально демонстрировать время последней активизации движений по региональным разломам; - обосновывать наличие либо отсутствие активных в четвертичном периоде разломов и растущих складчатых структур; - определять параметры тектонических структур и разломов (протяженность, амплитуды смещений по отдельным стратиграфическим горизонтам и т.д.); - устанавливать положение площадки ЯРОО относительно ближайших региональных разломов и активных тектонических структур. 6.4.
Для района размещения ЯРОО следует оценивать 6.5. Исследования геодинамических условий ближнего района размещения ЯРОО (территория радиусом до 30 км от ЯРОО) следует выполнять в масштабе 1:50000, 1:25000 для решения следующих задач: - выявление структур и разломов, активизированных в четвертичном периоде геологического развития; - определение степени геодинамической активности тектонических структур и разломов, активизированных в четвертичном периоде геологического развития; - выбор однородного тектонического блока, в пределах которого нет тектонически активных структур и разломов; - оценка возможности активизации поверхностных сбросов и выхода очага землетрясения на поверхность. В базу данных рекомендуется включать: материалы геологических фондов по геологии, тектонике, структурной геологии, геофизике, геоморфологии, новейшей и четвертичной тектонике и т.д.; результаты комплексной геолого-геофизической съемки; данные буровых, сейсморазведочных и других работ. В состав исследований рекомендуется включать; - комплексное геологическое картирование, направленное на выявление древних и активных разломов; - инструментальные наблюдения за местными землетрясениями; - электроразведочное и сейсморазведочное профилирование; - бурение структурных скважин и каротаж скважин; - проходку шурфов в зонах разломов и в однородных блоках земной коры; - пересечение потенциально активных зон разломов канавами. Материалы исследований включают в себя: - обоснование принятой глубины изучения земной коры; - геологические и структурные карты по опорным горизонтам; - карты гравитационного и магнитного полей; - геолого-геофизические профили, совмещенные с графиками повторного нивелирования; - документацию шурфов и траншей в зонах тектонически активных разломов, рассматриваемых как зоны палеосейсмодислокаций; - значения параметров выделяемых структур, таких, как длина и глубина структуры, амплитуда вертикального и горизонтального смещений по опорным горизонтам и в четвертичный период геологического развития, скорости и градиенты скоростей СДЗК, градиенты геофизических полей; - степень газовой проницаемости, коэффициенты фильтрации, сейсмическую активность; - оценку возможной активизации геодинамических процессов в период эксплуатации ЯРОО, включая выход разлома на поверхность, разжижение грунта, возникновение обвалов, оползней и т.д. при землетрясениях до МРЗ включительно. 6.6. Для обоснования отсутствия тектонически активных структур и разломов, с которыми могут быть связаны деформации и крены оснований сооружений ЯРОО, и для уточнения геодинамических условий площадки ЯРОО рекомендуется выполнять детальные изыскания и исследования в пределах площадки ЯРОО и окружающей ее территории в радиусе до 8 км в масштабе 1:5000, 1:10000, 1:25000. В состав исследований рекомендуется включать: комплексную геолого-геофизическую съемку, повторное нивелирование, повторные светодальномерные наблюдения, магнитную съемку, гравитационную съемку, сейсмическую разведку, структурное бурение, каротаж скважин, проходку шурфов и канав в зонах древних разломов, а также пересечение канавами зон линеаментов и потенциально опасных зон. Материалы исследований содержат: геологическую карту, структурные карты осадочного чехла и поверхности кристаллического либо складчатого фундамента, карту магнитного поля, карту гравитационного поля, геолого-геофизические профили, карту скоростей и градиентов скоростей СДЗК, графики скоростей СДЗК, документацию траншей в зонах разломов. В базу данных рекомендуется включать: материалы, полученные в результате работ, указанных в пп. 6.3 - 6.5 настоящего Руководства; материалы инженерно-геологического и гидрогеологического бурения; результаты комплексных работ по определению тектонических структур и разломов и оценки их возможной активности. В результате проведения работ следует: - устанавливать положение сооружений ЯРОО относительно потенциально опасных структур и активных разломов; - оценивать возможность поверхностных сбросов при землетрясениях до МРЗ включительно. 6.7. На выбранной площадке ЯРОО следует уточнять тектоническое строение по результатам документации котлованов, траншей и других выработок, режимных наблюдений и дополнительных геодинамических исследований. На участках размещения всех сооружений ЯРОО следует выполнять изыскания в масштабе 1:200 - 1:500. В материалах изысканий следует приводить документацию стенок и днищ всех котлованов и траншей с геодезической привязкой. 6.8. Для оценки возможности активизации геодинамических процессов на площадке ЯРОО следует рассматривать результаты мониторинговых наблюдений за тектоническими движениями, работы локальных сетей сейсмических станций (охранных, наблюдательных и пр.) и сетей других геофизических, гидрогеологических и геохимических наблюдений, а также специализированных геодинамических полигонов. Приложение 1(справочное)Классификация
глобальных и региональных сейсмотектонических структур по типу сейсмического
режима и максимальным магнитудам (Мs), происшедших в их пределах землетрясений
до 1900 г, (
| ||||||||||||||||||||||||||||||||||||||||||||||||||||||||||||||||||||||||||||||||||||||||||||||||||||||||||||||||||||||||||||||||||||||||||||||||||||||||||||||||||||||||||||||||||||||||||||||||||||||||||||||||||||||||||||||||||||||||||||||||||||||||||||||||||||||||||||||||||||||||||||||||||||||||||||||||||||||||||||||||||||||||||||||||||||||||||||||||||||||||||||||||||||||||||||||||||||||||||||||||||||||||||||||||||||||||||||||||||||||||||||||||||||||||||||||||||||||||||||||||||||||||||||||||||||||||||||||||||||||||||||||||||||||||||||||||||||||||||||||||||||||||||||||||||||||||||||||||||||||||||
|
Тип и название структуры |
|
|
|
ВНУТРЕННИЕ ЧАСТИ ПЛАТФОРМ С НИЗКОЙ СЕЙСМИЧЕСКОЙ АКТИВНОСТЬЮ И РЕДКИМИ ЕДИНИЧНЫМИ СИЛЬНЫМИ ЗЕМЛЕТРЯСЕНИЯМИ |
8,1 |
7,0 |
|
Северо-Американской платформы |
8,1 |
7,0 |
|
Аравийских платформ |
7,8 |
|
|
Австралийских платформ |
- |
6,9 |
|
Евразийских платформ |
- |
5,7 |
|
Индийской платформы |
- |
6,3 |
|
Океанических и континентальных платформ |
- |
<5,5 |
|
Асейсмичные глубокие (до 20 км и более) прогибы консолидированной земной коры длительного исторического развития |
- |
<5,0 |
|
ВНУТРЕННИЕ ЧАСТИ ВОСТОЧНО-ЕВРОПЕЙСКИХ ПЛАТФОРМ |
|
|
|
I. Структуры и зоны высокой сейсмической активности |
|
|
|
1. Восточная часть Фенноскандийской сейсмотектонической провинции |
|
|
|
1.1 Кандалакшская сейсмоактивная зона |
5,4 |
5,1 |
|
1.2. Карельская сейсмоактивная зона |
5 |
4 |
|
1.3. Эстонская зона |
- |
4,7 |
|
2. Центрально-Уральская зона |
5,3 |
5,5 |
|
II. Структуры и зоны низкой сейсмической активности |
|
|
|
А. Структуры и зоны с проявлением редких тектонических землетрясений с М - 4,5- 5,5 |
|
|
|
1. Структуры Тимана |
5,3 |
3,5 |
|
2. Кажимский авлакоген |
4,2 |
4,7 |
|
3. Воронежская антеклиза |
4,3 |
3,5 |
|
4. Ростовский свод |
4,3 |
3,8 |
|
В. Структуры и зоны с проявлением регулярных техногенных и редких тектонических землетрясений с М ≤ 4,5 |
|
|
|
а) с проявлением регулярных техногенных, преимущественно горнорудных землетрясений |
|
|
|
1. Мурманско-Кейвская зона разломов |
5 |
4,9 |
|
2. Апатитская очаговая зона |
- |
4,2 |
|
3. Структуры Донбасса |
- |
3 |
|
б) с проявлением регулярных техногенных землетрясений, преимущественно обусловленных разведкой и эксплуатацией нефтегазовых месторождений |
|
|
|
1. Зона техногенных землетрясений Татарии |
- |
4,4 |
|
С. Структуры авлакоаенов, зоны разломов фундамента и связанные с ними, преимущественно экзогенные землетрясения, вероятно обусловленные геодинамическими процессами в зонах древних разломов |
|
|
|
а) с проявлением потенциальных сильных землетрясений с М ≤ 7 |
|
|
|
1. Днепрово-Донецкий авлакоген |
3,3 |
3,5 |
|
6) с проявлением редких тектонических и экзогенных землетрясений |
|
|
|
1. Валдайско-Солигаличский авлакоген |
4,5 |
2,9 |
|
2. Зона провально-карстовых землетрясений Поволжья |
3,7 |
- |
|
3. Пачелмский (Рязано-Саратовский) авлакоген |
Нетектонические землетрясения |
|
|
Структуры и зоны сейсмически неактивные |
|
|
|
а) с единичными землетрясениями с М ≤ 3,5 |
|
|
|
1. Печеро-Баренцевоморская платформа |
- |
- |
|
2. Структуры Русской плиты |
- |
- |
|
3. Структуры Украинского щита |
- |
- |
|
4. Прибортовые структуры Прикаспийской синеклизы |
- |
- |
|
б) практически асейсмичные |
|
|
|
1. Наиболее погруженные центральные структуры Прикаспийской синеклизы |
|
|
|
АКТИВИЗИРОВАННЫЕ ОКРАИНЫ ВОСТОЧНО-ЕВРОПЕЙСКИХ ПЛАТФОРМ |
|
|
|
Активизированная окраина Скифской плиты |
- |
5,4 |
Классификация региональных сейсмотектонических структур Кавказа
|
Типы структур и характеристика их сейсмической активности |
|
|
Евразийские древние и молодые платформы низкой верхнекоровой сейсмической активности и редких сильных землетрясений. |
6,4 |
|
Юго-западная активизированная окраина Скифской плиты дифференцированной сейсмической активности: |
6,4 |
|
Индоло-Кубанский прогиб фундамента низкой сейсмической активности и редких сильных землетрясений |
5,4 |
|
Адыгейский выступ фундамента низкой сейсмической активности и редких сильных землетрясений |
4,6 |
|
Восточно-Кубанский прогиб фундамента низкой сейсмической активности |
- |
|
Ставропольское поднятие фундамента умеренной сейсмической активности и регулярных сильных землетрясений |
4,8 |
|
Терско-Каспийский прогиб фундамента общей низкой сейсмической активности |
4,6 |
|
Внешняя (Терско-Сунженская) зона складчатости Большого Кавказа высокой коровой и слабой верхнемантийной сейсмической активности |
6,4 |
|
Южно-Евразийский Пояс постоянной сейсмической активности. Альпийское горно-складчатое сооружение Кавказа дифференцированной, преимущественно верхнекоровой сейсмической активности |
7,7 |
|
Антиклинорий Большого Кавказа неоднородной сейсмической активности |
7,0 |
|
Зона Северо-Альпийских разломов неоднородной сейсмической активности |
6,8 |
|
Ахтырский разлом фундамента низкой сейсмической активности и редких сильных землетрясений |
6,0 |
|
Черкесский разлом фундамента низкой сейсмической активности и редких сильных землетрясений |
4,5 |
|
Нальчик-Минераловодская флексурно-разрывная зона высокой сейсмической активности на уровне слабых и микроземлетрясений |
5,5 |
|
Владикавказская зона разломов высокой сейсмической активности и регулярных сильных землетрясений |
6,8 |
|
Махачкалинская зона разломов высокой корово-мантийной сейсмической активности и регулярных сильных землетрясений |
6,6 |
|
Западно-Кавказская зона низкой коровой сейсмической активности и редких сильных землетрясений |
5,1 |
|
Северо-Кавказская моноклиналь низкой верхнекоровой сейсмической активности к единичных сильных землетрясений |
6,0 |
|
Восточно-Кавказская зона высокой коровой и низкой верхнемантийной сейсмической активности |
5,9 |
|
Зона Прикаспийского периклинального замыкания антиклинория Большого Кавказа умеренной верхнекоровой сейсмической активности. |
5,0 |
|
Зона надвигов южного склона Большого Кавказа высокой коровой сейсмической активности и регулярных сильных землетрясений |
7,0 |
|
Туапсе-Ялтинская флексурно-разрывная зона редких верхнекоровых землетрясений |
6,1 |
|
Шемахинско-Сочинская зона разломов постоянной высокой верхнекоровой сейсмической активности |
7,0 |
|
Куринско-Рионский межгорный прогиб земной коры постоянной дифференцированной верхнекоровой сейсмической активности |
5,5 |
|
Дзирульско-Северо-Черноморская ступень Большого Кавказа постоянной высокой верхнекоровой сейсмической активности |
5,5 |
|
Восточно-Черноморская впадина переходной и океанической земной коры низкой сейсмической активности |
5,0 |
1.
Соотношения для оценки
по протяженности зоны
ВОЗ или активного участка разлома:
для территорий с высокой тектонической активностью:
(1)
для территорий со средней тектонической активностью:
(2)
для низкой тектонической активности или не выходящего на поверхность разлома [20]:
для разлома с неустановленной тектонической активностью:
где L - длина однородного участка зоны ВОЗ или активного разлома, км.
Для территории Восточно-Европейской платформы с учетом новых данных получено соотношение:
где L - длина линеамента (активной геодинамической зоны), км;
К = 0 или 1 - коэффициент обеспеченности
оценки
,
при
К = 0 имеем наиболее вероятное значение
;
σ - стандартное отклонение, изменяется от 0,6 до 0,76.
С учетом одного и двух стандартов формулу (5) можно представить соответственно в виде:
(7)
2.
Соотношения для оценки
по мощности
сейсмоактивного слоя Н (км) и длине разрыва в очаге землетрясения Lo (км):
(8)
а
для оценки
:
(9)
(10)
(11)
3.
Абсолютную привязку этого уровня проводят, исходя из представлений о
наблюдаемых максимальных магнитуд ах землетрясений и скорости тектонической
деформации в данных структурно-тектонических условиях. Тектоническая деформация
оценивается по данным о новейших движениях, глубинам поверхности
консолидированного фундамента и
с учетом степени
надежности используемой информации.
Для
оценки
геодинамических зон, установленных
для платформенной территории и рассматриваемых как потенциальные зоны ВОЗ,
рекомендуется использовать соотношения, приведенные в приложении
2 и полученные с учетом параметров сейсмогенных деформаций, параметров
сейсмического режима, параметров геодинамических зон и параметров и свойств
земной коры:
где
- градиент
тектонической деформации; устанавливается по геодинамическим данным как
отношение амплитуды относительных смещений блоков земной коры к ширине
потенциальной зоны ВОЗ, отнесенный к единице времени;
b и А - показатели графика повторяемости землетрясений различных магнитуд М;
d и D - параметры зависимости сейсмического момента Мo от магнитуды М;
m - сдвиговый модуль земной коры;
Н - мощность сейсмоактивного слоя;
k - индекс упорядоченности;
С - константа.
Соотношение (12) основано на связи
скорости накопления сейсмического момента со скоростью сейсмотектонических
деформаций и позволяет установить
посредством
построения своего рода геологической шкалы магнитуд, учитывающей определенные
допущения о параметрах и свойствах сейсмического режима, тектонические
деформации, наблюдаемые магнитуды землетрясений и предполагаемые реологические
характеристики земной коры.
1. Выделение зон ВОЗ
При выборе площадки АЭС определяют
1. Наличие или отсутствие зон активных разломов в районе размещения площадки АЭС.
2. Параметры выделенных зон активных разломов (протяженность и долговременный градиент неотектонической деформации).
3. Параметры сейсмического режима (сейсмическую активность, угол наклона графика повторяемости, максимальную магнитуду для представительного диапазона магнитуд землетрясений).
4. Максимальный сейсмический потенциал землетрясения в зоне каждого установленного активного разлома.
Так как для оценки сейсмической опасности тех или иных участков территории Восточно-Европейской платформы имеется мало исторических сведений и инструментальных данных о землетрясениях, произошедших в пределах ее территории, то основное внимание, как правило, направлено на анализ геодинамических условий с целью выделения зон ВОЗ и оценки их максимального сейсмического потенциала. Локализация зон ВОЗ практически свелась к выделению геодинамически активных зон, которым приписывают как тектоническую, так и сейсмическую активность. На первом этапе выделяют квазиоднородные блоки земной коры и межблоковые зоны различных порядков, а затем оценивают тектоническую активность межблоковых зон и взаимодействующих блоков различных порядков в неотектонический и четвертичный периоды геологического развития.
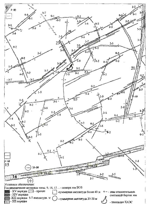
К активным относят разломы, на которых были подвижки за последний 1 млн. лет. В процессе изысканий и исследований не удалось установить наличие активных разломов в районе размещения Калининской АЭС. Однако определены зоны, где за последние 1.5 млн. лет имели место деформации поверхностных отложений (интенсивное развитие оврагов, суффозионно-карстовые и другие процессы), интенсивное развитие гидродинамики подземных вод. Оконтуренные по этим проявлениям геодинамические зоны (потенциальные зоны ВОЗ) приведены на рис. 1. Установлены следующие характеристики этих зон: протяженность и ширина, разница амплитуд вертикальных движений сопрягающихся блоков, период последней активизации, связь с кристаллическим фундаментом и осадочным чехлом. Некоторые параметры выделенных в районе размещения Калининской АЭС геодинамических зон (потенциальных зон ВОЗ) приведены в таблице.
2.
Уточнение региональных оценок
для площадки
Калининской АЭС
Сейсмичность района размещения Калининской АЭС по нормативным документам неоднократно менялась от 4 до 6 баллов по шкале МЗК-64 на средних грунтах. Согласно современным представлениям, магнитуда потенциальных очагов землетрясений в районе и на площадке Калининской АЭС может изменяться от 3,5 до 5,2, а интенсивность - от 5 до 7 баллов на средних грунтах. Эти данные указывают на возможность увеличения уровня сейсмичности района и требуют уточнения сейсмических условий размещения АЭС с целью получения исходных данных для анализа сейсмостойкости ее систем и элементов и разработки мероприятий по обоснованию их сейсмостойкости.
Для
уточнения тектонических и сейсмических условий выполнен комплекс
геолого-геофизических исследований по району (масштаб 1:500000) и ближнему
району (масштаб 1:50000). С целью уточнения региональных оценок
участка размещения площадки
Калининской АЭС была использована упомянутая выше методика.
В
районе размещения Калининской АЭС по результатам выполненных работ выделены
геодинамические зоны ХШ порядка и более, активные в четвертичном периоде
геологического развития (рис.
2), и определены протяженность и ширина геодинамических зон, амплитуда
относительных смещений соседних блоков земной коры в течение последних 1,7 млн.
лет. Указанные данные использованы для оценки
.
Значения
, в свою очередь, использовались для разработки
схемы ДСР района Калининской АЭС (рис.3).
Согласно полученным данным, площадка Калининской АЭС расположена в зоне,
сейсмичность которой равна 5 баллам по шкале МЗК-64 на средних грунтах в
пределах квазиоднородных блоков земной коры ХШ порядка и более.
Для оценки степени неоднородности геодинамического блока XIII порядка, в пределах которого расположена площадка Калининской АЭС, и выделения геодинамических зон меньших порядков детально исследован ближний район, что позволило установить более мелкие неоднородности земной коры (XII порядка и менее) и оценить степень их геодинамической активности (рис.3). С учетом этих данных определены магнитуды ближайших к площадке зон ВОЗ и составлена схема ДСР ближнего района (рис.4). Выявлено, что в пределах зон ВОЗ ближнего района магнитуда изменяется от 3,5 (ближайшие к площадке зоны) до 5 (более удаленные зоны), а сейсмичность района - от 5 до 7 баллов на средних грунтах, как и на рис. 2. Но в пределах квазиоднородного блока дополнительно выделена потенциальная зона ВОЗ, пропущенная во время проведения более мелкомасштабных исследований.
Основные результаты работ по ДСР района (масштаб 1:500000) и ДСР ближнего района (масштаб 1:50000), проведенных с целью уточнения сейсмичности района Калининской АЭС, представлены на рис. 1 - 4 и в таблице. Полученные новые данные позволили:
-
устранить противоречия результатов региональных методов выделения потенциальных
зон ВОЗ и оценки
для площадки
Калининской АЭС;
- детализировать результаты региональных работ;
- выявить участки, благоприятные или менее благоприятные для размещения АЭС;
- уточнить сейсмичность района их размещения и показать, что уровень сейсмичности этих участков находится в пределах принятых проектных решений.




Параметры геодинамически активных зон района размещения Калининской АЭС и оценки
|
Номер зоны |
Протяженность зоны, км |
Ширина зоны, м |
Порядок структур |
Амплитуда вертикальных движений, м |
Градиент вертикальных движений, (1/год)·10^(-10) |
Категория зоны ВОЗ |
|
|
|
|
Принятое |
|
1 |
45/- |
5000 |
XIII |
20-30 |
28,6-42,9 |
4-5 |
3,9/- |
4,4/- |
4,4-4,7 |
3,4-3,8 |
4,0-4,5 |
|
2 |
70/70 |
3000 |
XIV |
20-30 |
47,6-71,4 |
3-4 |
4,2 |
4,8/3,2 |
4,8-5,1 |
3,9-4,4 |
4,5-5,0 |
|
3 |
50/100 |
5000 |
XIII |
до 10 |
<14,3 |
5-6 |
4,0/4,4 |
4,5/3,5 |
<3,9 |
<2,6 |
3,5-4.0 |
|
4 |
250/- |
4000 |
XV |
20-30 |
35,7-53,6 |
3-4 |
5,0/- |
5,8/- |
4,6-4,9 |
3,6-4,1 |
4,5-5,0 |
|
5 |
70/70 |
5000 |
XIV |
20-30 |
28,6-42,9 |
4 |
4,2 |
4,8/3,2 |
3,4-3,8 |
3,8-4,2 |
4,5 |
|
6 |
80/80 |
3000 |
XIV |
20-30 |
47,6-71,4 |
3-4 |
4,3 |
4,9/3,3 |
4,8-5,1 |
3,9-4,4 |
4,5-5,0 |
|
7 |
200/200 |
5000 |
XV |
20-30 |
28,6-42,9 |
4 |
4,9 |
5,6/4,1 |
4,4-4,7 |
3,4-3,8 |
4,5 |
|
8 |
100/100 |
5000 |
XIV |
>40 |
>57,1 |
3 |
4,4 |
5,0/3,5 |
>4,9 |
>4,1 |
5,0 |
|
9 |
200/250 |
5000 |
XV |
>40 |
>57,1 |
3 |
4,9/5,0 |
5,6/4,3 |
>4,9 |
>4,1 |
5,0 |
|
10 |
30/30 |
4000 |
XIII |
20-30 |
35,7-53,6 |
4-5 |
3,6 |
4,1/2,5 |
4,6-4,9 |
3,6-4,1 |
4,0-4,5 |
|
11 |
250/250 |
4000 |
XV |
20-30 |
35,7-53,6 |
3-4 |
5,0 |
5,8/3,5 |
4,6-4,9 |
3,6-4,1 |
4,5-5,0 |
|
12 |
40/250 |
5000 |
XIII |
20-30 |
28,6-42,6 |
4 |
3,8/5,0 |
4,3/4,3 |
4,4-4,7 |
3,4-3,8 |
4,5 |
|
13 |
75/- |
6000 |
XIV |
20-30 |
23,8-35,7 |
4 |
4,2/- |
4,8 |
4,3-4,6 |
3,2-3,6 |
4,5 |
|
14 |
175/175 |
4000 |
XV |
20-30 |
35,7-53,6 |
3-4 |
4,8 |
5,5/4,0 |
4,6-4,9 |
3,6-4,1 |
4,5-5,0 |
|
15 |
175/175 |
5000 |
XV |
>40 |
>57,1 |
3 |
4,8 |
5,5/4,0 |
>4,9 |
>4,1 |
5,0 |
|
16 |
100/100 |
4000 |
XIV |
20-30 |
35,7-53,6 |
3-4 |
4,4 |
5,0-3,5 |
4,6-4,9 |
3,6-4,1 |
4,5-5,0 |
|
17 |
>250/>350 |
4000 |
>XV |
20-30 |
35,7-53,6 |
3-4 |
5,0/5,2 |
5,8/4,5 |
4,64,9 |
3,6-4,1 |
4,5-5,0 |
|
18 |
>170/>300 |
4000 |
>XIV |
>40 |
>71,7 |
3 |
4,7/5,1 |
5,5/4,4 |
>5,1 |
>4,4 |
5,0 |
|
19 |
50/125 |
3000 |
XIII |
20-30 |
44,6-71,4 |
3 |
3,9/4,5 |
4,5/3,7 |
4,8-5,1 |
3,9-4,4 |
5,0 |
|
20 |
250/250 |
4000 |
XV |
20-30 |
35,7-53,6 |
3-4 |
5,0 |
5,8/4,3 |
4,6-4,9 |
3,6-4,1 |
4,5-5,0 |
Примечания. 1. Номер зоны соответствует номеру зоны на рис. 3 и 4.
2. (3)*, (4)*, (5)*, (6)* - номер равенства, использованного для оценки параметра.
3. Приведены в числителе протяженность активной части зоны и
соответствующее значение
, в знаменателе - протяженность зоны с учетом ее слабоактивизированной
части и соответствующее значение
.
|
|
|
|