//
ТехЛит.ру
- крупнейшая бесплатная электронная интернет библиотека для "технически умных" людей.
WWW.TEHLIT.RU - ТЕХНИЧЕСКАЯ ЛИТЕРАТУРА

:: Алготрейдинг::


АЛГОТРЕЙДИНГ
шаг за шагом
с нуля по урокам!

Торговые роботы на PYTHON, BackTrader,
Pandas, Pine Script для TradingView. Связка с брокерами, телеграм и легкими приложениями.


ВСЕСОЮЗНЫЙ НАУЧНО-ИССЛЕДОВАТЕЛЬСКИЙ ИНСТИТУТ ТРАНСПОРТНОГО СТРОИТЕЛЬСТВА

МЕТОДИЧЕСКИЕ РЕКОМЕНДАЦИИ ПО ПРИМЕНЕНИЮ СЕЙСМОАКУСТИЧЕСКИХ МЕТОДОВ ПРИ ИЗУЧЕНИИ ИНЖЕНЕРНО-ГЕОЛОГИЧЕСКИХ УСЛОВИЙ НА БАМе

Согласованы с Главтранспроектом

МОСКВА 1977

СОДЕРЖАНИЕ

ПРЕДИСЛОВИЕ

В настоящей работе приводятся рекомендации по применению сейсмоакустических методов при инженерно-геологических изысканиях в условиях Байкало-Амурской магистрали. Она выполнена на основе исследований ЦНИИСа, проведенных на некоторых характерных участках трассы БАМа, и опыта работы ряда организаций в районах распространения вечной мерзлоты. Исследования проводила лаборатория инженерной геологии и геофизики в содружестве с Ленгипротрансом.

В Рекомендациях указаны объекты и типы разрезов, благоприятные для изучения сейсмоакустическими методами, необходимые аппаратуре, оборудование, описаны методика наблюдений и приемы интерпретации получаемых материалов. В дальнейшем, по мере накопления экспериментального материала, Рекомендации будут дополнены.

Работа предназначена для геофизиков проектно-изыскательских институтов, ведущих инженерно-геологические изыскания на трассе БАМa.

Авторы: О.П. Аникин (гл. 2, 3, 4 и приложения) и Ю.В. Горшенин (гл. 1 и 5).

Зам. директора института Н.Б. СОКОЛОВ

Руководитель отделения изысканий и проектирования железных дорог Д.М. КОЗЛОВ

1. ОБЩИЕ ПОЛОЖЕНИЯ

1.1. При проектировании сейсмоакустических работ в качестве ориентировочных можно принимать скорости распространения упругих волн в мерзлых породах, указанные в таблице [1-8].

Тип породы

Скорость распространения волн, км/с

продольных

поперечных

Базальты

4,9-5,7

2,8-3,1

Граниты

5,0-5,2

2,7-3,3

Известняк мраморированный

5,9

-

Доломит-ангидрит

5,4

-

Доломитизированный известняк

2,8-3,9

1,7-2,1

Песчаник кварцитовидный

2,46-5,74

2,44-3,48

Сланцы

2,8-3,9

1,33-1,5

Песчано-глинистые коренные породы

4,6-5,2

-

Алевролиты

4,4-4,6

-

Гравийно-галечные отложения

2,7-4,2

1,2-2,4

Обломочные делювиальные отложения

2,1-3,9

1,1-2,1

Пески среднезернистые и супеси

1,9-3,8

0,9-2,2

Лед

3,1-4,0

-

Суглинки

1,8-3,5

0,7-1,9

Из таблицы видно, что одни и те же скорости могут быть присущи различным породам, находящимся в различных температурных условиях. Однако если брать сравниваемые мерзлые породы при одинаковой температуре, тo имеющиеся различия в скоростях распространения упругих волн в разных горных породах заметно увеличиваются (рис. 1) [6].

Рис. 1. Диаграмма скорости распространения упругих волн в мерзлых горных породах при одинаковых температуpaх

1.2. Наиболее сильно на скорости распространения упругих волн в горных породах влияют температура и влажность (рис. 2 и 3). В области положительных температур скорость при понижении температуры не изменяется, в области отрицательных (ниже минус 5°С) она медленно возрастает с понижением температуры. В переходной области (от 0 до минус 2-5°С) скорость претерпевает резкие изменения (в 2-3 раза). При этом наиболее быстро она нарастает в рыхлых несвязных и скальных породах при падании температуры от 0 до минус 2°С, более плавно - в глинистых при падении температуры от 0 до минус 16°С. Это объясняется различным характером фазовых переходов вода-лед в породах разной дисперсности и литологии. В сухих песках и трещиноватых скальных породах скорость распространения упругих волн с переходом в область отрицательных температур повышается незначительно (на 6-10 %) [7, 8].

О степени влияния влажности на скорость paспpocтpaнения

Рис. 2. Зависимость скорости распространения ультразвуковых волн VP от температуры t и типа скальных пород Прибайкалья:

а - в воздушно-сухом состоянии;
б - в увлажненном.

упругих волн дают представление графики на рис. 2 и 3. В рыхлых породах скорость в области отрицательных температур резко вoзpaстает при увеличении влажности.

Рис. 3. Зависимость скорости распространения сейсмических волн Vp в мерзлых песчано-глинистых грунтов от их весовой льдистости W и температуры t:

а - песок крупнозернистый; б - песок мелкозернистый; в - супесь; г - суглинок;  - твердомерзлые;   - пластичномерзлые;  - сыпучемерзлые грунты; цифры 1-10 номера кривых

Пороговое значение влажности, начиная с которого ее рост сопровождается заметным увеличением скорости, для песков составляет 0,2-0,3 %, для супеси - 2.5 %, для суглинков -5,5%, Для скальных пород пороговое значение влажности в области отрицательных температур достигает в зависимости от типа пород 1,5-3,5 %

Приведенные выше данные рекомендуется использовать при изучения мерзлых разрезов сейсмоакустическими методами.

1.3. В зависимости от наличия многолетнемерзлых по род и характера их расположения все геологические разрезы в районах трассы БАМа можно разделить на несколько типов (рис. 4). В каждом из типов имеется слой сезонного оттаивания-замерзания мощностью 1-4 м. В талых рыхлых грунтах может быть еще и граница, соответствующая уровню грунтовых надмерзлотных вод.

Особой разновидностью мерзлотных разрезов являются зоны таликов, имеющие крутопадающие боковые границы, а также включения подземных льдов различной формы.

1.4. На БАМе можно выделить следующие объекты, благоприятные для изучения сейсмоакустическими методами:

мостовые переходы искусственные сооружения через водотоки;

выемки и полувыемки;

осыпи, курумы и другие глыбовые образования;

подземные льды и массивы высокольдистых рыхлых пород.

На данных объектах решаются следующие инженерно-геологические задачи:

определение глубины залегания кровли коренных пород, мерзлых и рыхлых отложений;

выделение в мерзлых рыхлых толщах литологических границ;

выявление и оконтуривание таликов, подземных льдов и массивов сильнольдистых рыхлых пород;

определение объемной льдистости рыхлых пород, уровня грунтовых вод;

выявление зоны разрушенных скальных пород и определение ее мощности.

 

Рис. 4. Геокриологические разрезы (I-VII - типы разрезов)

2. УЧАСТКИ МОСТОВЫХ ПЕРЕХОДОВ И ИСКУССТВЕННЫХ СООРУЖЕНИЙ ЧЕРЕЗ ВОДОТОКИ

2.1. При проектировании работ следует учитывать, что по своему строению геологические разрезы, наблюдаемые на участках, довольно однотипны. Сверху залегают рыхлые грунты, представленные валунно-, гравийно-галечными и песчано-глинистыми отложениями, которые подстилаются коренными, обычно скальными и полускальными породами. Разрез характеризуется относителъно большой мощностью рыхлой толщи (до 50 м) и значительным диапазоном ее изменения, высокой степенью влажности (льдистости) грунтов и, как следствие, повышенными скоростями распространения упругих волн.

2.2. Различие разрезов на участках переходов обусловлено в основном мерзлотным фактором. На БАМе встречаются практически все типы разрезов, отмеченные на рис. 4. Разрезы типов I, III, IV наиболее распространены в западной и восточной зонах, где нет сплошного развития вечномерзлых грунтов и мощность их относительно невелика. В центральной части БАМа такие разрезы приурочены к гидрогенным та ликам крупных рек и озер, а также к зонам тектонических нарушений. Разрезы типов II и VII характерны для центральной зоны БАМа, где мерзлота имеет сплошное распространение.

На выделенных разрезах с помощью сейсморазведки можно решать следующие задачи:

определение глубины залегания коренных пород;

расчленение толщи рыхлых пород;

определение глубины залегания кровли толщи мерзлых пород;

оконтуривание таликов (участков мерзлоты);

определение глубины уровня грунтовых вод.

2.3. Сеть профилей на участке наблюдений выбирают в зависимости от поверхностных условий, строения разреза, характера распространения мерзлоты в нем и решаемых задач.

Профили наблюдений располагают по простиранию долины, поперек трассы. При наличии буровых скважин желательно, чтобы профили проходили через них. Если позволяют условия, поперечные профили увязывают между собой продольным профилем, проходящим по трассе или вблизи нее.

Длина профилей определяется глубиной залегания коренных пород и типом разреза. При глубине исследований 10-15м длина профиля составляет 40-70 м и при максимальных глубинах (до 50 м) достигать 200-300 м. При одинаковой глубине исследований наименьшая длина профиля необходима для разрезов типов I и IV, наибольшая для разрезов типов II и VI. Разница в их длине может достигать двух и более раз. Необходимая длина профиля для разрезов остальных типов имеет промежуточное значение.

Шаг расстановки сейсмоприемников по профилю должен составлять 3-10 м. Для определения верхних неглубоких границ разреза вблизи пункта возбуждения колебаний (ПВ) целесообразно отрабатывать расстановки с шагом 1-2 м.

Систему наблюдений на профиле рекомендуется выбирать с таким расчетом, чтобы обеспечить выделение сейсмических границ и определение сейсмических характеристик пород. Достаточные надежность, полнота и точность определений достигаются, как правило, по системе встречных и нагоняющих годографов из 3-6 ПВ.

2.4. В качестве измерительной аппаратуры применяют многоканальные сейсмостанции СС-24П, АСМ-2, "Поиск-1"-24 МОВ ОВ, СМП-24, установленные на автомобиле или вездеходе. В случае отсутствия подъездов следует использовать переносную 24-канальную станцию СС-24П, которую можно транспортировать поблочно. Отработку коротких расстановок с малым шагом вблизи ПВ удобно выполнять малоканальными установками ДОСУ-1 и ОСУ-1. При этом предпочтительна фиксация волновой картины на фотопленку.

2.5. Колебания возбуждаются взрывами зарядов массой от 50г до нескольких килограммов. Наибольший эффект достигается при взрывании ВВ в воде и мерзлых грунтах, при этом спектр возбужденных волн обогащен высокочастотными составляющими колебаний. Взрывы на суше осуществляют в ямках глубиной около 0,5 м. При разведке относительно малых (до 20 м) глубин короткими расстановками в благоприятных для передвижения по профилю поверхностных условиях рекомендуется использовать механические источники возбуждения (например, треноги с падающим грузом). Возбуждение волн кувалдой практикуют при отработке коротких расстановок и использовании малоканальных установок.

Колебания принимаются вертикальными сейсмоприемниками, воткнутыми в грунт или установленными на торцах стержней, погруженных на некоторую глубину. Последний способ особенно эффективен при работе на мерях, стержни в этом случае следует погружать до слоя мерзлых пород.

В комплекте оборудования необходимо иметь отдельный удлинитель к сейсмическим косам длиной 50-100 м. Это дает возможность отрабатывать несколько расстановок с одной стоянки сейсмостанций, что особенно эффективно, если аппаратура переносится вручную с разборкой и сборкой ее на новом месте.

2.6. На начальной стадии исследований целесообразно проводить опытные работы в небольшом объеме, во время которых уточняется система наблюдений, подбираются оптимальные фильтрации каналов, их чувствительность, тип источников возбуждения волн и величины зарядов ВВ.

Методика измерений, характер волновой картины и интерпретация материалов имеют свои особенности в зависимости от типа разрезов.

2.7. Тип 1. Мерзлота в разрезе полностью отсутствует. Методика изучения разрезов этого типа подробно описана в литературе [9-11].

На записях колебаний наблюдаются следующие типы волн. Прямая волна tp, распространяющаяся со скоростью 200-500 м/с, прослеживается на ближних каналах до расстояний 5-20 м от ПВ, преломленная волна tM1ррр, имеющая скорость 1400-2000 м/с и связанная с толщей сильно обводнен ных рыхлых пород в первых вступлениях на интервале 10-150 м. Преломленная волна видна и в последующих вступлениях.

Частоты колебаний волн tр и tM1ррp близки между собой и составляют 30-170 Гц. На больших удалениях в первые вступления выходит рефрагированная волна tCK1рpp, соответствующий градиентному слою трещиноватых скальных пород, плавно (граница 2-го рода) сменяемая головной волной от толщи относительно сохранных пород, характеризующейся скоростью 2500-5000 м/с.

Рыхлая толща может расчленяться на слои, дающие свои преломленные волны. В ряде случаев от границы коренных пород регистрируется обменная волна типа PSP. Интерпретация полевых материалов не вызывает особых трудностей и производится с помощью обычных способов.

В зимне-весенний период, когда вблизи поверхности образуется слой сезонномерзлых грунтов, условия исследований усложняются, а возможности сейсморазведки ограничиваются (см. тип VI). Поэтому работы рекомендуется проводить во второй половине летнего сезона, когда слой мерзлых пород отсутствует.

2.8. Тип II. Вся толща пород разреза находится в мерзлом состоянии. Разрез условно можно представить двухслойным, состоящим на покрывающей толщи рыхлых грунтов, подстилаемой коренными, обычно скальными породами.

Волновая картина, наблюдаемая на разрезах данного типа, не отличается большой сложностью. Устойчиво регистрируются три группы волн, которые условно обозначены tMppp  tCKppp  tMPSP

Волна tМррр - прямая или преломленная (при наличии сезонноталого слоя), связанная с поверхностью мерзлых грунтов. Скорость распространения волны равна 2500-4800 м/с, преобладающая частота колебаний составляет 50-250 Гц. Затухание волны малое, оси синфазности глад кие. По амплитуде она более интенсивная, чем волна tCKppp от коренных пород.

Волна tCKppp - продольная преломленная, связанная c кровлей коренных пород, прослеживается в первых вступлениях, сменяя волну tMppp Смена волн определяется по интерференции их в области первых вступлений и непараллельности нагоняемых и нагоняющих годографов. Скорость распространения волны равна 4000-6000 м/с, преобладающая частота колебаний составляет 40-180 Гц. Оси синфазности волны более изрезанные, чем у волны tMppp от мерзлых рыхлых пород,

Волна tMPSP - поверхностная релеевская или обменная типа РSР (при наличии значительной зоны сезонного оттаивания), связанная, как и волна tMppp с поверхностью мерзлых пород; прослеживается только в последующих за волнами tMppp и tCKppp вступлениях. По сравнению с вол ной tMppp рассматриваемая волна имеет в 1,7-2 раза меньшую скорость распространения и на 20-40 % меньшую частоту колебаний. Амплитуда колебаний ее в 2-3 раза больше, а затухание несколько более сильное.

Другие типы обменных волн при объеме по системе не наблюдаются. В некоторых случаях при большом (в 2 и более раз) различии в скоростях волн tMppp и tCKppp от кровли скалы могут: регистрироваться обменные волны типа РSР. Слой ослабленных скальных пород, если он присутствует в разрезе, как правило, не отражаются в волновой картине записи из-за высокой льдистости пород разреза.

При наличии слоя сезонноталых пород в первых вступлениях вблизи ПВ регистрируется прямая волна tp (см. тип I).

Интерпретация материалов не вызывает трудностей и выполняется на основе известных методов t0 и разностного годографа. Построения выполняют по годографам первых вступлений волн tMppp и tCKppp.

При трехслойном разрезе (присутствии слоя сезонноталых грунтов) глубину залегания коренных пород лучше определять по способу пластовых скоростей, так как при этом исключается влияние талого слоя и неидентичности установки сейсмоприемников. Однако для расчетов по указанному способу нужно располагать точными значениями tM0 от кровли мерзлоты на всем отрезке определения глубины залегания коренных пород, а это бывает часто связано с увеличением числа ПВ и наблюдением волн во вторых вступлениях.

Толща рыхлых мерзлых пород с помощью сейсморазведки расчленяется лишь в том случае, когда тонкодисперсные грунты (глины, суглинки) подстилаются более высокоскоростными грубодисперсными (валунно-галечными и песками) отложениями. Из-за малого различия скоростей в контактирующих толщах эта граница выделяется только по непараллельности нагоняющих годографов. В волновой картине записи она, как правило, не отображается. При обратном порядке залегания указанных слоев в разрезе граница, естественно, не выделяется, так как преломленных волн на ней не образуется. Более детального разделения рыхлой мерзлой толщи сделать не удается.

Участки таликов и чаш протаивания в мерзлых породах выделяют по следующим признакам:

уменьшению скорости прямой волны (в 1,5-2 и более раз);

увеличению значений t0 преломленных волн над таликами;

уменьшению над таликом преобладающих частот колебаний преломленных (на 15-30 %) и особенно релеевских (на 30-60 %) волн при возбуждении их в мерзлых грунтах;

увеличению амплитуды релеевских волн;

отсутствию обменной волны tMPSP (при наличии значительного слоя сезонноталых пород).

Выделение участков островной мерзлоты рекомендуется производить на основании тех же признаков, но характер изменения каждого из них будет противоположным изложенному выше.

Наиболее благоприятные условия для исследования разрезов данного типа в самом начале летнего сезона, когда слой сезонноталых пород отсутствует или имеет малую мощность.

2.9. Тип III. Толща мерзлых рыхлых и скальных пород залегает на глубине, большей слоя сезонного промерзания и оттаивания. Разрез можно представить как трехслойный, состоящий из верхнего слоя - талые рыхлые породы, среднего - мерзлые рыхлые породы и нижнего - мерзлые коренные породы. При значительной мощности талого слоя в нем выделяется граница, связанная с уровнем грунтовых вод.

Волновая картина, наблюдаемая на разрезе данного типа, складывается из фрагментов картин разрезов типов I и II (см. выше),

В ближней к ПБ зоне, протяженность которой зависит от мощности слоя талых пород, характер волновой картины такой же, как и в разрезах типа I. В первых вступлениях прослеживается прямая tp и преломленная tM1ppp про дольные волны. Далее в первые вступления выходит волна tMppp связанная с поверхностью мерзлых пород, и вол новая картина становится полностью сходной с той, которая наблюдается в разрезах типа II.

Интерпретация материалов не представляет особых трудностей и выполняется обычными для многослойных разрезов методами. Наибольшая трудность состоят в определении мощности рыхлых мерзлых грунтов и глубины залегания коренных пород. Мощность мерзлого слоя определяется с наибольшей ошибкой, при этом наилучшие результаты обеспечивает способ пластовых скоростей (см. тип II трехслойный разрез). Наличие опорных скважин на профиле наблюдения или вблизи него упрощает задачу интерпретации.

В начале летнего сезона в верхней части разреза присутствует слой сезонномерзлых пород, который создает значительные трудности в исследовании разреза, понижает точность и надежность определений (см. тип VII). Поэтому наблюдения наиболее удобно проводить во второй половине сезона, когда этого мерзлого слоя нет.

2.10. Тип VII. Верхняя граница мерзлоты совпадает с кровлей коренных пород. Разрез данного типа является самым благоприятным для применения сейсморазведки. Разрез двухслойный, состоящий из верхнего талого слоя рыхлых пород, подстилаемого толщей мерзлых коренных. Контакт между ними является сильно преломляющей границей. Волновая картина сходна с той, которая наблюдается в разрезе типа I. Характеристика преломленной волны tCKppp приведена в описания волновой картины для разреза типа II. Вследствие большой скоростной дифференциации толщ от кровли скалы может часто регистрироваться обменная волна tCKPSP типа РSР.

Слой сезонных рыхлых грунтов, как и предыдущем случае, создает трудности в исследовании разреза, поэтому работы лучше проводин, когда мерзлый слой отсутствует.

2.11. Тип V. Верхняя граница мерзлоты находится в коренных породах. Выше нее разрез полностью совпадает с разрезом типа I, исследование которого не вызывает трудностей. О характере границы мерзлоты в скальных породах известно мало. Разница скоростей распространения волн в талых и мерзлых грунтах при высокой их влажности зависит от степени трещиноватости и пористости пород (см. рис 2). В сильно трещиноватых и пористых породах при замерзании скорость может возрасти в 2 и более раз, в сохранных монолитных породах она практически не изменяется.

В волновой картине, регистрируемой на таком разреза, можно отметить следующие особенности. Преломленная волна tCKppp от кровли коренных пород будет прослеживаться на ограниченном отрезке, длина которого зависит от мощности слоя талых коренных пород. Далее в первые вступления вый дет волна tMppp от поверхности мерзлых коренных пород. Смена волн устанавливается по непараллельности ей нагоняющих годографов и зоне интерференции волн tCKppp и tMppp Наибольшую трудность представляет определение мощности слоя коренных талых пород, особенно при небольшой ее величине. Как и для разрезов типов II и IV, слой сезонной мерзлоты создает значительные трудности.

2.12. Тип VI. Отличается от разреза типа I тем, что в толще рыхлых пород присутствует мерзлый слой небольшой мощности. Скорость распространения волн в этой слое близка к скорости в коренных породах или превышает ее. В последнем случае мерзлый слой является сейсмическим экранном по отношению ко всей нижележащей толще. Если мощность мерзлого слоя более 10 м (более половины длины волны), то изучение наземной сейсморазведкой толщи, лежа щей ниже мерзлого слоя, невозможно. Если же мощность этого слоя меньше 10 м, то с некоторыми ограничениями изучение возможно (приложение I).

Волновая картина имеет следующий вид. После прямой tp или преломленной tM1ppp волн в первые вступления выходит преломленная tMppp волна от кровли мерзлого слоя от той же границы регистрируется обменная волна tMpsp (см. тип I). Необходимо отметить только повышенное затухание волн с расстоянием, зависящее от отношения мощности слоя к длине волны. Чем меньше мощность, тем больше затухание с расстоянием. Волна tMРРР остается в первых вступлениях на всех удалениях от ПВ. Волна tCKppp в таком разрезе практически всегда следится в последующих вступлениях (см. приложение I, рис. 4 и 5). Успех ее выделения зависит от степени разреженности во времени с волной tMppp. Разреженность в свою очередь зависит в основном от мощности мерзлого и талого слоев.

Если затухание волны не очень сильное, то при горизонтальных границах не играет большой роли удаление от ПВ участка наблюдений, так как оси синфазности упомянутых волн примерно параллельны. При ощутимой разнице скоростей волн tMppp и tCKppp или наклоне поверхности коренных пород удаление от ПВ оказывает существенное влияние на разреженность волн и соответственно на условия выделения волны tCKppp  При сильном затухании волны tMppp (малая мощность мерзлого слоя) наблюдения целесообразно вести на значительных удалениях от ПВ, где волна от мерзлоты имеет малую интенсивность.

В связи с регистрацией волны tCKppp во вторых вступлениях важную роль при измерениях играет точный подбор мощности возбуждения и чувствительности приемной аппаратуры. Слой рыхлых талых пород, залегающий под слоем мер злых, в волновой картине записи не отображается.

При интерпретации материалов основная трудность состоит в точном определении времен вступления волны tCKppp и средней скорости ее распространения в покрывающий коренные породы толще. Обе задачи надежно решаются лишь при наличии на профиле наблюдений опорной скважины, в которой должен быть проведен сейсмический или ультразвуковой каротаж.

Присутствие слоя сезонномерзлых пород создает дополнительные трудности в разведке разреза подобно тому, как слой многолетнемерзлых пород затрудняет исследование нижележащей толщи. Поэтому работы лучше проводить во второй половине сезона при отсутствии слоя сезонномерзлых пород.

2.13. Тип VII. Данный тип разреза отличается от разрезов типов II-V тем, что в толще рыхлых талых пород имеется мерзлый слой ограниченной мощности. Присутствие этого слоя вызывает те же трудности, что и при разведке разреза типа VI.

Ситуация в отношении верхней границы вечномерзлых рыхлых пород полностью) аналогична разрезу типа III, а коренных талых пород - разрезу типа V.

Для мерзлых коренных пород расположенный выше мерзлый слой не является экраном при любой его мощности. Поэтому волны от этих границ при больших удалениях от ПВ можно наблюдать в первых вступлениях. Однако это целесообразно делать лишь при большой мощности мерзлого слоя, когда разрез близок к типу II, или при малом расстоянии от этого слоя до нижнего мерзлого массива, когда разрез близок к типу III. При малой мощности экранирующего слоя и расположении его вблизи поверхности волны от нижележащих границ лучше регистрировать во вторых вступлениях на относительно малых удалениях от ПВ.

Однако во всех случаях, как и для разрезов типа VI, необходимы опорные скважины для определения скорости распространения волн в покрывающей толще и уточнения положения границ в разрезе.

Наиболее благоприятным периодом исследований является вторая половина летнего сезона, когда отсутствует слой сезонно-мерзлых пород.

3. УЧАСТКИ ВЫЕМОК И ПОЛУВЫЕМОК

3.1. Участки выемок и полувыемок расположены на приподнятых отметках местности и характеризуются относительно пересеченным рельефом поверхности, нередко значительной ее крутизной, худшей доступностью участка в транспортном отношении по сравнению с мостовыми переходами.

Геологический разрез имеет обычно следующее строение. Сверху залегают песчано-глинистые грунты, как правило, с большим включением щебня и глыб. Их подстилает толща скальных пород, в верхней части более разрушенная и выветревая, с глубиной постепенно переходящая в более сохранные монолитные породы.

Разрез характеризуется относительно малой (до 10 м) мощностью рыхлых отложений и малой степенью влажности (льдистости) пород, пониженными величинами скоростей распространения волн и меньшей сохранностью коренных пород.

Различие разрезов, как и на мостовых переходах, обусловлено мерзлотным фактором. Мерзлотные условия на косогорах обычно проще, чем на мостовых переходах, особенно в зонах гидрогенных таликов. В зависимости от характера замерзлоченности на участках выемок и полувыемок встречаются разрезы типов I-V и реже разрезы типов VI-VII (см. рис. 4). Разрезы типов I, IIII наиболее часты в западной и восточной зонах БАМа, а типов II и VI в цент ральной.

На выделенных разреpах c помощью сейсморазведки решаются следующие задачи:

определение глубины залегания коренных пород;

выявление зоны разрушенных скальных пород в верхней части массива и определение ее мощности;

определение положения кровли мерзлых пород;

дифференциация толщи рыхлых пород;

оконтуривание участков таликов в зонах дробления.

3.2. Профили наблюдений располагают обычно вдоль участка выемки по ее оси и на поперечниках к трассе через 50-100 м. При этом нужно учитывать рельеф местности и эффект проницания на выпуклых его элементах. При наличии буровых скважин, шурфов и точек электроразведочных наблюдений нужно стремиться к кому, чтобы сейсмические профили проходили через них.

При мощности рыхлого слоя порядка 10 м длина профиля составляет 40-60 м, реже 100 м. Более длинные профили необходимы на сильнозамерзлочнных разрезах (типа II, III) и короткие - на талых (тип I) или слабозамерзлоченных (тип IV) разрезах.

Расстояние между сейсмоприемниками составляет 1-3, реже 5 м. Расстановки с более редким шагом отрабатываются по оси выемки.

Намерения ведут по системе встречных и нагоняющих годографов с 4-6 ПВ.

3.3. В качестве измерительной аппаратуры рекомендуется использовать многоканальные сейсмостанций, при этом необходимо ориентироваться на переносную аппаратуру. Из отечественных многоканальных станций такой является лишь СС-24П, которая снята с производства и не в полной мере отвечает требованиям инженерной сейсморазведки [13]. Из зарубежных образцов очень удобна шведская 12-канальная переносная станция Trio - R.

Для регистрации первых вступлений волн на коротких профилях рекомендуется применять малоканальную переносную аппаратуру типов ДОСУ-1 и ОСУ. При этом желательна фиксация волновой картины на фотопленку. Очень удобны и наиболее приемлемы для условий изысканий малоканальные переносные установки американской фирмы "Бизон".

3.4. Возбуждение колебаний на относительно длинных расстановках с применением многоканальных станций наиболее удобно осуществлять взрывами ВВ массой от 50 г до 1-2 кг. Хуже, но возможно использовать для этих целей мощные механические источники (тренога со сбрасываемым грузом). При относительно небольших удалениях от ПВ и применении малоканальных установок колебания возбуждают с помощью кувалды.

Прием колебаний осуществляют вертикальными сейсмоприемниками, которые втыкают в грунт или ставят на камни. В последнем случае на сейсмоприемники вместо штырей навинчивают диски.

Рекомендуется иметь удлинитель (50-100 м) сейсмических кос.

На начальной стадии исследований работы следует проводить по расширенной схеме как опытно-производственные. На зтом этапе уточняют сеть и методику наблюдений, подбирают оптимальные параметры аппаратуры. Особенности разведки разреза каждого типа, характер волновой картины на записях наблюдений и интерпретация материалов зависят от типа разреза.

3.5. Тип I. Мерзлота в разрезе отсутствует. Изучение разреза не представляет значительных трудностей и подробно освещено в литературе. Волновая картина на выемках сходна с той, которая наблюдается на мостовых переходах. Особенностью рассматриваемого разреза является наличие, как правило, мощной зоны разрушенных пород в верхней части массива, от которой регистрируется рефрагированная волна tCK1ppp плавно переходящая в головную tCK2ppp от относительно прочных пород.

Наличие слоя сезонномерзлых пород создает большие трудности в исследовании разреза (см. тип VI), поэтому работы лучше проводить во второй половине сезона, когда мерзлота отсутствует.

3.6. Тип II. Весь разрез замерзлочен. Как и на мостовых переходах его можно представить двухслойным: верхний слой - рыхлые породы и нижний - скальные. При наличии слоя сезонного протаивания, который к концу сезона может достигать 3-4 м, разрез будет трехслойным (приложение 2).

Зона разрушенных скальных пород по-разному проявляется в сейсмогеологическом разрезе. В случае высокой льдистости пород она неотделима от остальной сохранной части массива и не отражается в записи волновой картины. Если льдистость скальных пород и покрывающей толщи невелика, то зона разрушенных скальных пород или часть ее будет представлять градиентный слой со значением скорости, увеличивающийся с глубиной, от которого регистрируется рефрагированная волна.

Характер картины на выемках такой же, как и на мостовых переходах. На записях наблюдаются те же группы волн: tР - от талого слоя, tMppp и tMPSP - от кров ли мерзлого слоя и tCKppp - от коренных пород (см. приложение 2, рис. 3). Из-за меньшей льдистости пород разреза они характеризуются несколько меньшими скоростями распространения волн и большим диапазоном изменения их.

 В рыхлых отложениях скорость распространения продольных волн составляет 1800-4000 м/с, в скальных - 2500-5500 м/с.

Вследствие относительно малых глубин исследований, высоких скоростей распространения волн и, следовательно, потенциально больших ошибок в определении глубины залегания границ измерения нужно выполнять с максимальной аккуратностью и точностью. В противном случае ошибки в определениях могут быть сопоставимыми по величине с определяемыми глубинами или мощностями слоев.

В целом интерпретация материалов не представляет значительных трудностей и может быть проведена на основе обычных методов, применяемых для двух-, трехслойных pазpeзов. При наличии опорных скважин интерпретация упрощается, точность и надежность определений повышаются.

При интерпретации двухслойных разрезов, в которых отсутствует сезонноталый слой, достигается относительно высокая точность даже при отсутствии опорных скважин. Однако ввиду того, что этот слой на косогорных участках образуется очень быстро и достигает значительной мощности, работы зачастую приходится вести при его присутствии.

Наибольшая точность в определениях обеспечивается при работе на коротких профилях с получением нагоняющих годографов ПВ. Последние нужны для выделения рефрагированных волн от разрушенного слоя скальных пород, если он присутствует в разрезе, и для корректировки положения toм и toк при определении мощности слоя рыхлых мерзлых пород и, следовательно, глубины границы.

В районах развития вечной мерзлоты на участках тектонических нарушений нередко бывают развиты талики. Выделение же таликов, как и на мостовых переходах, не представляет больших трудностей. В тех случаях, когда талики не сопутствуют участку тактонического нарушения, вероятность выделения его мала, особенно при большой льдистости пород.

Задача расчленения толщи рыхлых мерзлых пород не очень актуальна из-за малой мощности рыхлого слоя. Как и на разрезах мостовых переходов, это делается по непараллельности нагоняющих годографов.

Наиболее благоприятным временем проведения работ является начало летнего сезона, когда талый слой отсутствует или имеет малую мощность.

3.7. Тип III. Верхняя граница вечномерзлых грунтов находится ниже слоя сезонного промерзания и оттаивания. В принципе данный разрез повторяет разрез типа II когда в последнем имеется слой сезонноталых пород. Поэтому методика измерений, характер волновой картавы и интерпретация результатов мало отличаются от принятых для этого типа. Разница заключается в том, что из-за большей мощности талого и малой мощности мерзлого слоя насколько позже выходит в первые вступления в прослеживается на более коротком интервале волна tмppp oт мерзлого слоя. Это создает некоторые трудности при построении годографа вступлений волны tмppp и, как cледствие, при определении мощности рыхлого мерзлого слоя, перекрывающего породы.

Отличие разреза данного типа от предыдущего главным образом в том, что наиболее благоприятным временем изучения этого разреза является вторая половина полевого сезона, когда отсутствует сезонномерзлый слой, а не начало, как для разреза типа II. При наличии сезонномерзлого слоя по условиям проведения работ, характеру волновой картины и интерпретации результатов разрез приближается к разрезу типа VI, и уверенная интерпретация давних становится возможной лить при наличии опорных скважин.

3.8. Тип IV. Верхняя граница вечномерзлых грунтов совпадает с поверхностью скальных пород. Данный разрез благоприятен для сейсморазведки. Кровля мерзлой скалы является наиболее сильной предвидящей границей в разрезах всех типов. Глубина ее определяется с высокой точностью практически любой аппаратурой. Выделение градиентного слоя в скальных породах представляет большую трудность по сравнению с разрезом типа II. Присутствие мерзлого слоя с поверхности, как и в разрезах типа III, осложняет исследование разреза.

3.9. Тип V. Верхняя граница мерзлоты находится в толще скальных пород. Выше этой границы разрез полностью соответствует разрезу типа I. Граница мерзлоты в скальных породах носит тот же характер, что и на мостовых параходах. Скачок скоростей на косогорах для этой границы может быть меньше, чем на участках переходов, из-за меньшей влажности (льдистости) пород.

Слой сезонной мерзлоты создает те же трудности, что и в разрезах типов III и IV.

3.10. Типы VI и VII. Данные типы разрезов отличаются от разрезов типов I, III-V тем, что в них сверху находится слой мерзлых грунтов. В пределах глубин, изучаемых при изысканиях, это могут быть или перелетки, или сезонномерзлые слои. Изучение разрезов данных типов представляет значительную трудность и требует наличия опорных скважин для получения точных и надежных результатов (см. мостовые переходы, разрезы типов VI и VII).

4. УЧАСТКИ ОСЫПЕЙ И КУРУMOB

4.1. По геологическому строению осыпи и курумы можно разделить на два вида разрезов. В разрезах вида I слой глыб, валунов и щебня (глыбовый слой) с незаполненными пустотами мощностью от десятков сантиметров до 3-5 м подстилается скальными породами. В разрезах вида II слой глыб, валунов и щебня залегает на толще тех же пород, но с пустотами, заполненными более тонкодисперсным грунтом, или на толще песчано-глинистых пород (рыхлых породах). Скальные породы, подстилающие рыхлую толщу, могут залегать на разных глубинах и в зависимости от этого попадать или не попадать в сферу исследования разреза. Попадают они, как правило, в тex случаях, когда осыпи и курумы расположены на участках выемок и полувыемок.

Верхний глыбовощебенистый слой находится в зоне сезонного промерзания и оттаивания. Однако сейсмические свойства его практически не меняются в зависимости oт времени года.

Сейсморазведкой на осыпях я курумах решают следующие задачи:

определение мощности глыбового слоя без заполнителя;

определение типа пород (рыхлые или скальные), подстилающих глыбовый слой.

Остальные задачи, связанные с исследованием нижележащей толщи разреза, зависят от типа сооружения на осыпи и куруме и рассматриваются в предыдущих разделах настоящих Рекомендаций.

4.2. Наблюдения проводят на относительно коротких профилях (до 30-50 м), расположенных чаще по "течению" каменного потока поперек прохождения трассы, или на двух взаимно перпендикулярных направлениях - поперек и вдоль трассы.

Колебания принимаются вертикальными сейсмоприемниками, установленными на глыбы с помощью дисков, навинченных на место штырей. Шаг расстановки сейсмоприемников по профилю наблюдений составляет 1-2 м.

Колебания возбуждают кувалдой, что бывает достаточно по мощности при изучении непосредственно осыпей и курумов. Применение более мощных источников возбуждения волн необходимо при изучении нижележащей толщи разреза. Однако использование их на осыпях и курумах требует больших затрат труда.

Для исследований можно применять любую аппаратуру. При длинных расстановках и большой глубине исследования рекомендуется использовать многоканальные станции.

Системы наблюдений довольно разнообразны: от единичных годографов до системы встречных и нагоняющих годографов с 3-5 ПВ. Последняя наиболее распространена, так как обеспечивает большую точность и надежность определений и позволяет решать задачи по изучению нижележащей толщи.

Исследование разрезов каждого вида имеет свои особенности.

4.3. Исследование разрезов вида I не вызывает трудностей в любой период полевого сезона. Кровля скалы (как талой, так и мерзлой) представляет сильную преломляющую границу.

Волновая картина разреза проста. В ближней к ПВ зоне до 5-20 м в первых вступлениях прослеживается прямая или слаборефрагированная волна tp от глыбового слоя. Скорость распространения волны равна 350-500 м/с, преобладающая частота колебаний составляет 120-150 Гц. Оси синфазности волны часто изломаны, что особенно характерно для крупноглыбовых образований. Заметны изменения в частоте колебаний и их амплитуде. За пределами ближней зоны в первые вступления выходит преломленная волна tскррр от поверхности скальных пород и далее, волна tмррр от поверхности мерзлоты, если та не совпадает с кровлей скальной толщи (см. мостовые переходы и выемки, разрезы типов IV и V).

Интерпретация материалов проста и общеизвестна. Мощность глыбового слоя определяется точно и надежно.

4.4. Разрезы вида II более сложны для исследования (приложение 3). Определяющим фактором является наличие мерзлоты в разрезе и ее положение в толще рыхлых грунтов.

При отсутствии вечной мерзлоты или глубоком залегавши ее в разрезе подстилающие рыхлые грунты находятся в талом состоянии (вид Па). Контакт между ними и верхним глыбовым слоем является слабой преломляющей границей, которая может и не отображаться на записи колебаний из-за малой дифференциации толщ по скоростям волн. Наибольшие возможности для сейсморазведки имеются при глинистом или суглинистом подстилающем слое, характеризующемся повышенными скоростями распространения волн. Изучение подобных разрезов и интерпретация материалов достаточно полно освещены в литературе.

Когда верхний слой рыхлых подстилающих грунтов находится в мерзлом состоянии (вид Пб), контакт глыбового и подстилающего рыхлого слоев представляет сильную преломленную границу, от которой уверенно регистрируются волны tмррр и tмрsр (см. мостовые переходы, разрезы типов II-III). Мощность глыбового слоя определяется так же, как и в случае подстилающего слоя из коренных пород (вид I). Однако мерзлый слой является серьезной помехой для изучения нижележащей толщи талых грунтов.

В районах распространения вечной мерзлоты подстилающая толща рыхлых пород в той или иной степени замерзлочена. В начале летнего сезона, когда весь этот слой замерзлочен, разрез практически идентичен разрезу вида Пб.

В общем же случае кровля мерзлоты находится внутри рыхлой подстилающей толщи. Разрез является трехслойным. Однако на сейсмических материалах он отображается как двухслойный, так как средний слой, как правило, не выделяется (см. приложение 3, рисунок).

В волновой картине записи после волны tр следует в первых вступлениях волна tмррр и во вторых - волна tмрsр от поверхности мерзлых пород (см. переходы и выемки, рарезы типа II). В ряде случаев наличие талого слоя отображается на годографе первых вступлений в виде короткого звена (1-3 м), недостаточного для количественных определений.

При интерпретации материалов определяется суммарная мощность слоя глыб и талых рыхлых пород. Мощность этой толщи зависит ох времени года.

Таким образом, в условиях вечной мерзлоты мощность глыбового сдоя может быть найдена только в самом начале летнего полевого сезона.

Типы пород (рыхлые или скальные), подстилающих глыбовый слой, могут быть определены на основании следующих признаков:

по скоростям волн; величинами Vp большими 5000 м/с, обладают только скальные (преимущественно мерзлые) породы;

по наличии или отсутствию обменной волны; мерзлым породам всегда сопутствует обменная волна типа PSP, талым опальным - редко;

по изменения глубины исследуемой границы в течение сезона для рыхлых мерзлых грунтов и неизменности для скальных.

5. ИЗУЧЕНИЕ ПОДЗЕМНЫХ ЛЬДОВ И ОПРЕДЕЛЕНИЕ ОБЪЕМНОЙ ЛЬДИСТОСТИ РЫХЛЫХ ГРУНТОВ

5.1. С помощью продольного профилирования методы преломленных волн в резрезе могут быть обнаружены включения льда и сильнольдистых пород, если их размеры в плане превышают 7-10 м, а мощность более 0,5 м. Минимальная величина перепада скоростей распространения волн во льду и во вмещающей среде, позволяющая выделять включения не установлена из-за отсутствия достаточного опыта решения подобных задач.

Однако известно, что, например, при различии скоростей в 1,5 раза задача решается уверенно. Дополнительным признаком наличия в разрезе льда служит снижение над ним временем t0. [13]

5.2. Для определения по материалам наземного продольного сейсмопрофилирования высоты ледяных жил, залегающих в рыхлых мерзлых породах, может быть применена

формула

где h2 - мощность второго слоя (рыхлые мерзлые породы, залегающие под талыми)

t01, t02 - вертикальные времена, соответствующие подошвам верхнего и второго слоев;

i12=arcsinV1/V2

i13=arcsinV1/V3

i23=arcsinV2/V3, здесь

V1, V2, V3 - скорости в слоях 1, 2 и 3;

Vл, VэфС - скорости распределения волн во льду и вмещающей мерзлой породе слоя 2.

При вычислении hл рекомендуется время прихода волн определять с точностью до +- 0,1 мс

5.3. Единичными удачными экспериментами показана возможность по скоростям распространения упругих волн в пассиве определять объемную льдистость рыхлых пород на основе заранее составленной корреляционной зависимости между этими величинами [13] Однако при линейных изысканиях геологическая ситуация по трассе меняется нередко настолько значительно, что зависимости, справедливые для одного участка, не применимы для соседнего с ним.

Изменение степени льдистости рыхлых пород с глубиной может быть отмечено по изменению скоростей распространения упругих волн при ультразвуковой каротаже в сухих мерзлых скважинах. При этом могут быть выделены в разрезе отдельные прослоя льда мощностью более 20 см [14].

Приложение 1
МОСТОВОЙ ПЕРЕХОД ЧЕРЕЗ РЕКУ

Имелось два варианта трассы в районе постового перехода (рис. I). На каждой из них проведены буровые работы,

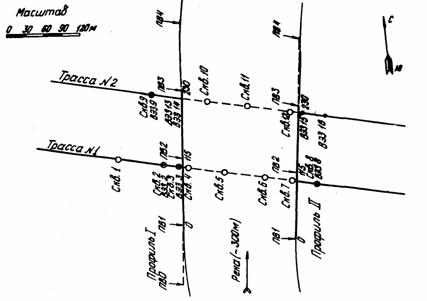
Рис. 1. План профилей на мостовом переходе через реку

Геологический разрез по данным бурения (рис. 2 и 3) представлен гравийно-галечными отложениями и песками, подстилаемыми скальными породами гранитного состава. О мерзлотном факторе ясных представлений нет. Предполагается, что в русле под дном реки верхняя граница вечномерзлых пород располагается на значительной глубине (особенно в районе трассы № 2), а вблизи поверхности мерзлые грунты присутствуют в виде слоев малой мощности, прослеживающихся от берегов к середине реки. На середине реки этих слоев нет.

Рис. 2 Сабоно-геологический разрез по профилю I на мостовом переходе через реку:

-лед; -песок; -супесь; -валунно-галечные отложения; -скальные породы; -граница между талыми и мерзлыми водами по данным сейсморазведки ; -кровля коренных пород по данным сейсморазведки

Основная задача, которую не удалось решить бурением, состояла в определении глубины залегания коренных пород. Несмотря на большое число (более десятка) буровых скважин глубиной до 28 м, скальные породы отмечены лишь в одной из них (скв. 4) на глубине 12 м (см. рис. 2) По скале пройдено около 3 м. Однако, по данным электроразведки (ВЭЗ № 3), скальный массив в районе упомянутой скважины вероятнее всего начинается с глубины 27 м а в районе трассы № 2- с глубины примерно 40 м. Если же принять скважину 4 за опорную и затем проинтерпретировать графики ВЭЗ, полученные на трассе № 2, то получим данные, полностью опровергаемые результатами бурения.

Такое несоответствие, естественно ставит под сомнение факт достижения скального массива в скв. 4

Рис. 3. Сейсмо-геологический разрез по профилю II на мостовом переходе через реку:

- песок с валунами; валунно-галечные отложения; - песок;  - лед; - граница между талыми и мерзлыми водами по данным сейсморазведки ; -кровля коренных пород по данным сейсморазведки

Для разведки коренных пород на трассе № 2 необходимо бурить более глубокие скважины по сравнению с теми, которые уже имеются. Однако из-за трудных условий бурения сделать это станком марки БСК-2М100 оказалось невозможным.

Для определения глубины залегания скальных пород была привлечена сейсморазведка. Объективной трудностью применения этого метода для изучения настоящего разреза является наличие в верхней части его мерзлых пород, экранирующих скальные породы. Отсутствие точных данных о мощности и положении в разрезе слоя мерзлых рыхлых пород, о соотношении скоростей распространения упругих волн в породах разреза создавало дополнительные трудности в решении поставленной задачи.

Было отработано два профиля по берегам реки (см. рис. I). Профили были расположены на сухой части поймы по возможности дальше от берегового уступа (ближе к воде) с целью уменьшения или исключения бокового влияния толщи мерзлых грунтов. Работы проводили с многоканальной станцией CC-24П. Транспортировали сейсмостанцию на лодке и вездеходе. На малые расстояния станцию переносили вручную поблочно. Возбуждение колебаний осуществляли взрывами зарядов массой oт 100 г до 3 кг в небольших ямках и в реке. Расстояние между сейсмоприемниками равнялось 5 м. Каждая расстановка отстреливалась из 3-5 пунктов взрыва (ПВ). Запись выполняли на открытых каналах и фильтрации ФНЧ-О, ФВЧ-65.

Волновая картина получалась сходной по обоим профилям. На всех записях четко прослеживаются три волны (рис. 4), которые условно обозначим tмррр tмрsр tскррр

Волна tмррр прослеживается начиная с расстояния 10-20 м от ПВ, скорость распространения ее равна 3800-4500 м/с, преобладающая частота колебаний составляет 100-140 Гц, амплитуды колебаний относительно малые. Волна испытывает сильное затухание с расстоянием. Оси синфазности волны гладкие. Волна tмррр идентифицирована как продольная преломленная, соответствующая поверхности мерзлых

Рис. 4. Характер волновой картины на мостовом переходе через реку (профиль I)

рыхлых пород. Основными отличительными признаками ее были:

высокая скорость, характерная только для скальных и мерзлых рыхлых пород;

наличие мощной обменной волны tмрsр;

отсутствие (по данным бурения) скальных пород на тех глубинах (4-8 м), с которых получена волна tмррр.

Сильное затухание волны, противоречащее известным данным, можно объяснить малой мощностью мерзлых рыхлых пород, о чем свидетельствует факт регистрации волн tскрр и tскрsр приходящих из-под мерзлого слоя.

Волна tмрsр прослеживается с расстояния 30-50 м от ПВ и везде находится в последующих за волнами tмррр и tскррр вступлениях, скорость распространения ее составляет 2000-2300 м/с, преобладающие частоты колебаний- 80-100 Гц. Волна характеризуется большими амплитудами колебаний и сильным затуханием с расстоянием. Оси синфазности гладкие.

Волна tмрsр идентифицирована как обменная типа PSP или релеевского типа от кровли рыхлых мерзлых пород. Основными характерными признаками ее были: cоотношение скоростей волн tмррр и tмрsр равное I: 1,8+2,0;

близкие значения t0 волн tмррр и tмрsр

Волна tугвр принята ss продольную преломленную, связанную с уровнем грунтовых вод. Об этом свидетельствуют скорости волны и положение в разрезе соответствующей ей границы.

На сейсмограммах, полученных из нагоняющих ПВ в последующих вступлениях прослеживается ряд других волн (рис. 5). Из них практический интерес представляет волна tскрsр. Скорость ее распространения равна 2000-2500 м/с, преобладающая частоте колебаний составляет 70-80 Гц. Волна характеризуется относительно большой амплитудой колебаний и малым затуханием с расстоянием.

Согласно данным электроразведки, проведенной на участке мостового перехода примерно в тo же время, слой мерзлых пород малой мощности присутствует лишь в верхней части paзpeзa на глубине, примерно соответствующей положению границы, от которой зарегистрирована волна tугвр и отсутствует там, где он определен по данным сейсморазведки.

Полученная на записях волновая картина с позиций газоэлектрической модели верхней части разреза может быть объяснена, если предположить, что волны tмррр и tмрsр приходят откуда-то сбоку от крупнопадающего слоя верхних пород, расположенному параллельно профилю измерений. Это предположение легко может быть проверено путем наблюдений на взаимно перпендикулярных профилях. Такие измерения были сделаны на малых базах вблизи ПВ 3 профиля I. Идентичность волновой картины, зарегистрированной на взаимно перпендикулярных направлениях, свидетельствует о том, что волны tмррр и tмрsр распространяются в вертикальной плоскости, проходящей черев профиль I. Следовательно, сделанное допущение нужно отвергнуть.

Рис. 5. Характер волновой картины на мостовом переходе через реку

Более точные данные о строении верхней части разреза можно было получить из более детальных измерений при шаге сейсмоприемников 1-2 м и регистрации как продольных, так и поперечных волн. Однако для решения основной задачи настоящих работ (определения глубины скальных пород) эти данные существенного значения не имеют. Поэтому такие измерения сделаны не были. Глубину залегания первой преломляющей границы, с которой связана волна tугвр, определяли по величинам t0, отсекаемым на оси времени при продолжении годографа волны tугвр. Скорость распространения волны в талых водонасыщенных грунтах найдена через кажущиеся скорости, определенные по встречным годографам волны tурвр

Положение в разрезе верхней границы мерзлых рыхлых пород и скорость распространения волн в них определены способами «t0» и разностного годографа. Мощность мерзлого слоя устанавливали приблизительно, исходя из известных представлений о степени затухания волн в зависимости от соотношения мощности слоя в длине волны [15]. Известно, что минимальная мощность слоя, от которого более или менее устойчиво можно регистрировать преломленную волну, составляет (0, 1-0, 2) λ [16]. В интервале 175-230 м профиля II вероятно, есть этот предельный случай, так как волны tмррр и tрsр прослеживаются здесь со значительными трудностями. Длина волны tмрррtмррр) равна примерно 20 м. Следовательно, мощность мерзлого слоя составляет 2 м.

В интервале 55-165 м волна tмррр прослеживается устойчиво на всех сейсмограммах, но испытывает сильное затухание с расстоянием. На профиле I затухание волны tмррр меньше, но все еще в несколько раз больше, чем волны tскррр. Следовательно, мощность мерзлого слоя здесь значительно меньше длины волны и составляет примерно четверть ее величины. Поэтому мощность мерзглого слоя на профилях II (интервал 60-160 м) и I соответственно принята равной 4 и 5 м. Более точно и обоснованно мощность мерзлого слоя можно определять по амплитудным графикам волны tмррр

Глубину залегания скальных пород определяли способом пластовых скоростей, представляя разрез до скалы двухслойным, состоящим из верхнего низкоскоростного слоя (слой I) и нижнего эффективного слоя (слои 2,3 и 4). Аномальные свойства слоя мерзлых пород (слой 3) учитывали путем введения поправки в значение глубины. Скорость распространения волн в скале определяли по разностному годографу волны tскррр. Линию tск0(x) соответствующую кровле скалы, подвергли сглаживанию. Наибольшая трудность при определении глубины залегания скального массива заключалась в вычислении средней скорости в нижнем эффективном слое, так как большая часть талых пород (слой 4) экранируется мерзлыми породами и не отражена в волновой картине.

Основой для определения средней скорости в эффективном слое послужили величины скоростей в верхнем талом водонасыщенном слое (слой 2) и в мерзлых грунтах (слой 3), которые были использованы потому, что величины скорости в слое 2 определены недостаточно точно и надежно. Поэтому была произведена условная "разморозка" мерзлых грунтов с помощью графика зависимости скорости распространения волн oт температуры грунта, исходной информацией явилась скорость распространения волны в мерзлых породах, а результатом - скорость для тех же пород в талом состоянии.

Наиболее точно и надежно величина средней скорости в подобных разрезах может быть найдена по сейсмокаротажу скважин. Однако в момент проведения работ на участке перехода не было скважин, пригодных для проведения каротажа.

Глубина залегания скального массива в разрезе по данным электроразведки в основном согласуется с результатами сейсморазведки, но, как правило, получается несколько большей (см. рис. 2 и 3). Меньшая глубина получена только на профиле I. Разница составляла 3-10 м. Погрешность определения границы по сейсмическим данным может быть оценена в 2-3 м. Эта погрешность обусловлена ошибками в вычислении средней скорости регистрируемых времен прохождения волн.

Результаты проделанных работ сводятся к следующему.

Определена глубина залегания поверхности скальных пород в условиях неполного экранирования их вышележащим слоем рыхлых мерзлых отложений. Полученные результаты подтверждаются данными электроразведки. Найдены сейсмические характеристики пород разреза, получены данные о мерзлотных условиях на участке измерений.

Некоторые трудности возникли при получении записей с хорошими проработкой и разрешенностью во времени волны tскppp от коренных пород, находящейся в последующих вступлениях. Это свидетельствует о необходимости предъявления более жестких требований к выбору сети наблюдений, а также подборку силы взрыва и чувствительности приемной аппаратуры.

Для точной и однозначной интерпретации полевых мате риалов нужны опорные скважины, с помощью которых производится привязка сейсмических границ и определятся скоpocти paспpocтранения волн в покрывающей толще.

Приложение 2
УЧАСТОК СКАЛЬНОЙ ВЫШКИ

Выемка длиной около 300 м прорезает небольшое местное поднятие на склоне скального массива. Глубина выемки достигает 10-11 м.

По данным бурения и шурфования, геологический разрез имеет следующее строение. С поверхности до глубины 4,2-4,5 м залегает влажный дресвяно-щебенистый грунт с песчаным заполнителем и глыбами. Ниже следуют хлоритосерицитовые сланцы, в верхней части сильно выветрелые и трещиноватые, а ниже более сохранные и крепкие. С глубины 5,1-6,0 м сланцы сильно окварцованы. Угол сланцеватости к вертикали составляет 30°. Верхняя граница мерзлоты на конец июля проходила в интервале глубин 1,5-3,5 м; более глубоко - на возвышенных участках.

Перед сейсморазведкой стояли следующие задачи:

определение глубины расположения кровли скальных пород, залегающих на относительно малых (до 10 м) глубинах, перекрытых толщей рыхлых мерзлых пород;

определение мощности слоя сезонного протаивания;

нахождение сейсмических характеристик разреза;

отработка технико-методических приемов съемки и интерпретации.

Измерения были выполнены на участке выемки длиной 115 м (рис. I) вблизи вершины поднятия. Вершина (скв.1) является резким перегибом в рельефе. Работы проводили с многоканальной сейсмостанцией СС-24П. До участка работ на расстояние в несколько сот метров все оборудование переносили вручную. Колебания возбуждали кувалдой или грузом массой 50 кг, поднимаемым на треноге и сбрасываемым с высоты 3,5 м.

На профиле I расстояние между сейсмоприемниками равнялось 5 м. Основной объем работ был выполнен с вертикальным возбуждением и приемом ZZ. Между ПВ 2 и 3 была отработана также расстановка длиной 46 м с шагом 2 м по системе У-У (горизонтальные, нормальные к линии профиля возбуждение и прием). На профиле II расстояние между сейсмоприемниками равнялось 2 м. Каждую расстановку отрабатывали из трех-четырех ПВ по системе ZZ. Из-за эффекта проницания на профиле I со стороны ПВ 3 отсутствовала запись из выносного ПВ. Регистрацию выполняли на открытых каналах и фильтрациях ФНЧ-О, ФВЧ-65,

Рис. 1. План сейсмических профилей на скальной выемке

Волновая картина, зарегистрированная на сейсмограммах, сравнительно проста. Помимо прямой волны прослеживаются три волны, которые условно обозначим tмррр, tскррр, tмрsр (рис. 2).

Волна tскррр является продольной преломленной, связанной с поверхностью сланцев. Она везде прослеживается в первых вступлениях начиная с расстояния 20-30 м от ПВ. Скорость распространения волны равна 5350 м/с, частота колебаний 130-160 Гц. Амплитуда колебаний - наименьшая среди других волн, затухание с расстоянием малое. Основным критерием выделения волны является высокая граничная скорость.

Рис. 2. Характер волновой картины на скальной выемке

Параметрические измерения, выполненные в том же районе на массиве кристаллических сланцев, находящихся в талом состоянии, дали величину скорости вдоль слоистости, равную 3800-4000 м/с.

Волна tмррр является продольной преломленной, связанной с поверхностью мерзлых рыхлых грунтов. В первых вступлениях волна прослеживается лишь на коротком интервале (15-20)м начиная с расстояния 4-7 м от ПВ. При больших расстояниях за пределами зоны интерференции с волной tскррр она прослеживается и во вторых вступлениях и является более интенсивной, чем волна от скалы. Скорость распространения волны tмррр равна 3000-3600 м/с, преобладающая частота колебаний - 140-170 Гц, затухание волны с расстоянием - небольшое, как и у волны tскррр. Одним из основных опознавательных признаков волны tмррр является присутствие в более поздних вступлениях интенсивной обменной волны tмрsр типа PSP от той же границы.

Волна tмрsр на всем протяжении находится в последующих за волнами tскррр и tмррр вступлениях. Скорость волны равна 1700-2000 м/с, частота колебаний - 100-120 Гц. Она характеризуется большой амплитудой и повышенным по сравнению с волнами tскррр и tмррр затуханием с расстоянием. Оси синфазности волны гладкие.

Скорости распространения волн tскррр tмррр tмрsр точно и надежно были определены по разностным годографам, имеющим, как правило, значительную протяженность. Скорость распространения прямой волны определяли по начальной части годографов.

Глубину поверхности вечномерзлых пород определяли способом “t0  Поправка за фазу для волны tмррр была найдена на интервале, где она находится в первых вступлениях. В зоне интерференции с волной tскррр волна tмрsр прослежена по нагоняющим годографам. Точность построений обеспечивает определение глубины залегания кровли мерзлоты (мощности сезонноталых грунтов) с погрешностью 20-40 см.

Сложнее определять глубину залегания кровли скальных пород, так как мощность рыхлой мерзлой толщи, перекрывающей скальные породы, относительно мала, а скорость распространения волн в мерзлых рыхлых породах очень высока по сравнению со скоростью в слое талых пород. Поэтому разность значений t0 для волн tскррр и tмррр (tск0 - tм0) характеризующая мощность рыхлого мерзлого слоя, составляет только несколько миллисекунд т.е. близка к точности измерений.

Поскольку основные изменения и скачки значений t0 для скалы tск0 вызваны воздействием верхнего низкоскоростного слоя, необходимо устранить его влияние на линию tск0(x). Это вызвало необходимостъ применения для построения границы способа пластовых скоростей, в котором используется не само значение tск0  а разность времен tск0 - tм0

Помимо указанных факторов, применение способа пластовых скоростей позволяет устранить искажающее влияние неидентичности аппаратуры и различий в условии установки сейсмоприемников. Не вносят ошибок в глубину определения границы даже одинаковые по величине навязки во взаимных временах прихода волн tскррр и tмррр, иногда получаемые за счет нарушения строения грунта на месте возбуждения колебаний.

Для расчета глубины залегания скалы нужно знать скорости распространения и t0 волн tмррр и Скорости распространения волн tскррр и tмррр найдены с высокой точностью. Определение значений tск0(x) не вызывает особых трудностей, так как волна tскррр регистрируется в первых вступлениях, и при достаточно мощных исходниках возбуждения волн времена вступлений определяются достаточно точно. В данном случае интенсивность применявшихся источников возбуждения волн оказалась достаточной лишь для короткой расстановки (профиль П) и недостаточной для длинной (профиль I). Поэтому значения tск0 (x) на профиле I были определены с меньшими точностью и надежностью.

Значительную трудность вызывает точное определение значений tм0(x) так как волна tмррр за исключением небольшого отрезка профиля, находится во вторых вступлениях. Определение поправки за фазу лишь на участке первых вступлений волны и распространение этой поправки на всю длину расстановки при большой ее длине является довольно грубым приемом. Это объясняется тем, что участок первых вступлений волны tмррр находится близко к ПВ в зоне, где волна еще окончательно не сформировалась и испытывает сильные изменения в преобладающих частотах колебаний, осложняется обменной волной tмрsр. В связи с этим найденные поправки будут вероятнее всего занижены по сравнению с истинными для удаленных oт ПВ участков расстановки.

Это подтверждалось при построении границы на профиле I. В интервале 40-115 м линия tск0 (x) вначале приблизилась к линии tм0(x) и затеи даже пересекла ее, хотя согласно бурению (скв. 1 и 2) граница мерзлоты проходит выше кровли скальных пород.

Непрерывная граница на профиле I была построена на отрезке 0-35 м, примыкающем к ПВ I, следующим образом. По нагоняющим годографам (для волны tскррр по первым вступлениям) продолжили нагоняемые годографы вступлений волн tскррр и tмррр до пересечения их с осью времен. Полученные значения tск0 и tм0 имеющие минимальные погрешности, послужили для корректировки положения линий tм0 (x) и tск0 (x).Аналогичные корректировки по нагоняющим годографам сделаны на ПВ 2 и ПB 2’.

На отрезке 80-115 м построить границу не удалось из-за отсутствия нагоняющего годографа к ПВ 3. В самом ПВ 3 величины tм0 и tск0 получены по единичному годографу путем продолжения прямых соединяющих линий ветвей годографов волн tскррр и tмррр до оси времен. Естественно, точность определений здесь невысока.

На профиле II длиной 46 м глубина залегания скальных пород по сейсмическим данным лишь на 0,6 м не совпала с положением границы в скв. 1. Корректировка линий tск0 и tм0 по нагоняющим годографам, сделанная на профиле II в ПВ 3, практически не внесла изменений в глубину границы.

В принципе наиболее точная корректировка линий tск0 и tм0 может быть сделана по опорной скважине, что особенно эффективно в случае длинных расстановок. Тогда по величине tск0 и глубинам до кровли мерзлоты и скалы можно рассчитать аналитически в данной точке величину tм0, следовательно, определять точное положение всей линии tм0(x)

Увеличение точности в определении глубины скальных пород может быть достигнуто за счет работы на поперечных волнах, так как скорость распространения этих волн в рыхлых мерзлых грунтах примерно в 2 раза выше, чем продольных.

Для проверки этих предпосылок на профиле I между ПВ 2 и 3 была отработана расстановка длиной 46 м с шагом сейсмоприемников 2 и по системе 77 с целью регистрации поперечных волн типа SH Возбуждение производили ударами кувалды по боковой стенке ямки нормально к профилю. Для приема колебаний использовали сейсмоприемники марки СГ-110. Положительного результата достичь не удалось, что объяснялось в основном малой мощностью возбуждения и присутствием на записях УУ в первых вступлениях продольных волн, создающих трудности для выделения поперечных волн.

Результаты сейсмических работ на выемке представлены на рис. 3 и 4. Здесь же нанесены данные электроразведки и бурения, выполненных примерно в одно и то же время с сейсморазведкой. Наибольшее совпадение наблюдается между сейсмическими и буровыми данными. Расхождение в определении глубины залегания скальных пород составляет 0,6-1,8 м. При этом границы, по данным сейсморазведки, располагаются ниже, что, возможно, oтражает степень сохранности и скварцованности сланцев. Точных определений верхней границы мерзлоты по бурению не проводилось. Имеющиеся же данные согласуются с результатами сейсморазведки, которые можно считать наиболее точными.

Электроразведка дала разнородные результаты. Верхний талый слой, в большинстве случаев разбиваемый на два слоя, имеет сопротивление 1600-3600 Ом-м. Граница мерзлоты удовлетворительно совпадает с данными сейсморазведки лишь на скв.1 и расходится на скв. 2 и ВЭЗ 4 (профиль II). На скв.2 граница расположена на 1,5 м выше, а на ВЭЗ 4 - на 2 м ниже сейсмической границы. Кровля скальных пород, как правило, не отбивается. С глубины 8,5-9,0 м выделяется какая-то толща скальных пород, имеющих сопротивление 5300-5500 Ом-м. Возможно, это относительно сохранные сланцы с малым содержанием льда на ВЭЗ 4 (профиль II) подобная толща пород oтбивается где-то на глубина 28 м. На ВЭЗ 5 (профиль I) на глубине сейсмических границ кровли скалы и мерзлоты выделены две границы слоев о высокими удельными сопротивлениями.

Рис. 3. Сейсмо-геологический разрез на участке скальной выемки (профиль I):

-почвенно растительный слой; -щебенисто-дресвяный грунт с супесчаным заполнителем;-суглинок;-супесь; -сланец хлорит серицитовый; -граница междуц мерзлыми и талыми породами по данным сейсмо-разведки; -кровля коренных пород по данным сейсморазведки

Результаты выполненных на выемке работ сводятся к следующему:

определена глубина залегания кровли скальных пород, перекрываемых слоем рыхлых мерзлых грунтов, составляющая 5-8 м и отличающаяся на 0,6-1,8 м от данных бурения;

найдена мощность слоя сезонного протаивания на момент исследований;

определены скорости распространения волн во всех слоях разреза;

проведено сравнение результатов сейсморазведки и электроразведки на разрезе выемки;

получена лучшая сходимость с бурением результатов сейсморазведки по сравнению с результатами электроразведки

Рис. 4. Сейсмо-геологический разрез на участке скальной выемки (профиль II):

-почвенно растительный слой; -щебенисто-дресвяный слой с супесчаным заполнителем;  щебенисто-дресвяный слой с суглинистым заполнителем; -сланец хлорит серицитовый; -кровля мерзлых пород по сейсмическим данным; -кровля коренных пород по сейсмическим данным

На основании вышесказанного можно утверждать, что при отсутствии опорных скважин целесообразно выполнять измерения на относительно коротких (40-60 м) расстановках с обязательным получением нагоняющих годографов;

для возбуждения колебаний нужны сильные источники волн (удары груза, взрывы); для определения глубины залегания скалы при интерпретации наиболее приемлем способ пластовых скоростей.

Приложение 3
ОСЫПИ

Работы были выполнены на двух участках трассы, отстоящих друг от друга на расстоянии 300 м.

Осыпи представляют собой глыбовые потоки шириной 20-50 м и длиной 100-200 м на нижней части склона крутизной 15-20°. По данный бурения и шурфования, геологический разрез имеет следующее строение. С поверхности до глубины 0,4-0,8 м залегают крупные глыбы гранито-гнейсов без заполнителя, которые переходят в валунно-галечные отложения до глубины 1,5-2,2 м. Ниже до отметки 3,6 м идут дресвяно-щебенистые отложения с супесчаным заполнителем, постепенно переходящие в супесь с большим количеством щебня. Далее следует толща из чередующихся слоев песка и супеси с включениями дресвы и щебня. С глубины 3-3,5 и грунт мерзлый льдонасыщенный (до 50-80 %).

К моменту проведения сейсморазведки (июль) этих данных о разрезе не было, так как буровые и шурфовочные работы были выполнены на 1-3 месяца позже. Однако представление о строении верхней части разреза как выяснилось в результате проведения этих работ, оказалось правильным. Не было известно только о глубине залегания коренных скальных пород. Допускалось, что они залегаю на относительно малых (до 5-7 м) глубинах.

Перед сейсморазведкой стояли следующие задачи:

определение глубины залегания поверхности скальных пород;

расчленение толщи рыхлых пород;

определение мощности слоя сезонного протаивания;

нахождение сейсмических характеристик пород paзреза;

отработка техники и методики измерения в специфических условиях осыпей.

На каждом участке было выполнено по одному профилю, которые располагались по падению склона перпендикулярно трассе. Ориентируясь на глубину исследования до 10 м, длину расстановок выбрали равной 46 м и при 5-7 пунктах возбуждения выносные ПВ удаляли oт расстановки на 12-20M. Расстояние между сейсмоприемниками равнялось 2 м и на отдельных отрезках измерения дублировались с шагом 1 м. Измерения выполняли по системе ZZ. Применяли сейсмостанцию СС-24П. На участки работ всю аппаратуру и оборудование на расстояние около 100 м доставляли вручную поблочно и собирали на месте измерений.

Колебания в грунте возбуждали ударами кувалды по металлической подставке, установленной на глыбах. При этом рабочий, наносящий удары, стоял на надутой автомобильной камере для исключения помех, возникающих от его движений на ближних сейсмоприемниках.

Сейсмоприемники C-130 с навинченными дисками вместо штырей устанавливали прямо на глыбы, а при малой амплитуде сигнала переставляли на соседние глыбы и придавливали камнями для улучшения контакта с грунтом.

Запись выполняли на открытых каналах и фильтрации ФНЧ-О, ФВЧ-65. На всех лентах получена качественно одинаковая волновая картина (рисунок). На ближнем к ПВ участке (до 7-10 м) фиксируется прямая волна, которая резко переходит в преломленную продольную tмррр связанную с поверхностью рыхлых мерзлых пород. Эта волна прослеживается в первых вступлениях на всех удалениях от ПВ, имевших место при съемке. Во вторых вступлениях начиная с удаления 20-25 м четко сладится обменная волна tмрsр типа PSP связанная с кровлей мерзлых рыхлых пород, как и волна tмррр

Волна tмррр имеет скорость 3800-4200 м/с, преобладающая частота колебаний составляет 140-170 Гц. Волна характеризуется относительно малой амплитудой колебаний и малым затуханием с расстоянием.

Скорость волны равна 2200-2400 м/с, преобладающая частота колебаний - 200-120 Гц. Амплитуда колебаний волны в 2-3 раза больше, чем волны tмррр затухание волны также более сильное. Годографы волн характеризуются повышенной изрезанностью за счет неоднородности верхнего слоя и микрорельефа поверхности. Нагоняющие и нагоняемые годографы преломленной волны tмррр параллельны. Разрез по годографам характеризуется как двухслойный. Интерпретация таких годографов общеизвестна.

Характер волновой картины на осыпи

Отсутствие на сейсмографах волны, связанной с кровлей коренных скальных пород, может быть объяснено лишь залеганием этих пород на глубинах, больших теx, на которые рассчитана выбранная система наблюдений. Следовательно, принимая скорость волн в скале равной 5000 м/с, можно рассчитать, что до глубины 8-10 м скальные породы должны отсутствовать. Позднее это было подтверждено бурением на участке № I, где скважина, пробуренная до глубины 9 м, на встретила скального массива. Разделения мерзлых рыхлых грунтов сделать не удалось из-за малого различия в гранулеметрическом составе и, следовательно, слабой скоростной дифференциации paзpeзa.

Электроразведка на обследованных участках (как и на других подобных участках) не проводилась из-за высоких сопротивлений заземления и, как следствие, больших ошибок измерений.

Результаты выполненных исследований сводятся к следующему. Была определена мощность зоны сезонного протаивания под глыбами на период исследований и установлено отсутствие скального массива до глубины 8-10 м. Мощность валунно-глыбового слоя установить не удалось, однако это, вероятно, можно сдалась в начале летнего сезона, пока не произошло большого оттаивания пород. Не удалось расчленить толщу мерзлых супесей и песков. Установлено, что специфические условия съемки на осыпях не влияют определяющим образом на качество получаемых материалов при обычной методике проведения работ.

список литературы

1. Анисимов Е.М. Определение мощности рыхлых отложений в условиях вечной мерзлоты методом сейсморазведки. Магадан-Колыма, 1964, № 7.

2. Баулин Ю.И., Герасимов А.В., Клишес Т.М. Опыт применения сейсморазведки при инженерно-геологических изысканиях в районах вечной мерзлоты. Сб. трудов, вып. 12. М., изд-во Фундаментпроект, 1972.

3. Воронков O.K., Методика и результаты изучения малых глубин методом КМПВ в условиях многолетней мерзлоты "Геология и геофизика", 1965, № 4.

4. Згировский Н.З. Методика сейсморазведки при изучении погребенных речных долин в районе распространения многолетней мерзлоты (на примере Ленского золотоносного района). Автореферат диссертации на соискание ученой степени канд. техн. наук. Иркутск, 1970.

5. Зыков Ю.Ц., Баулин Ю.И. Возможности сейсмоакустических методов при инженерно - геологических изысканиях под строительство на вечной мерзлоте. Д Международная конференция по мерзлотоведению. Доклады и сообщения. Якутск, 1973, № 6.

6. Фролов А.Д., Зыков Ю.Д. Особенности распространения упругих волн в мерзлых горных породах. Статья ТГ, известия ВУЗов. - "Геология и разведка", 1972, № 2.

7. Джурик В.И. Сейсмические свойства вечномерзлых грунтов Прибайкалья. Автореферат диссертации на соискание ученой степени канд. техн. наук. Иркутск, 1972.

8. Джурик В.И., Лещиков Ф.Н. Экспериментальные исследования сейсмических свойств мерзлых грунтов. Международная конференция по мерзлотоведение Доклады и сообщения. Якутск, 1973, вып. 6.

9. Савич А.И. и др. сейсмоакустические методы изучения массивов скальных пород. М., "Недра", 1969.

10. Руководство по применению инженерной сейсморазведки при изысканиях для строительства. Росглавниистройпроект. М., 1973.

11. Сейсморазведка при инженерно-геологических исследованиях рыхлых пород (Методические рекомендации). ВСЕГИНГЕО. М., 1971.

12. Дроздов А.А., Ипатов В.В. Серийная сейсмическая станция СС-24П. М., Гостоптехиздат, 1961.

13. Воронков O.K., Михайловский Г.В. Изучение подземных льдов методом сейсморазведки. II Международная конференция по мерзлотоведению. Доклады и сообщения. Якуток, 1973, вып. 6.

14. Акимов А.Т. Акустический способ определения физико-механических свойств мерзлых грунтов. Методика изысканий и ПНИИИС, труды, 1969, т. I.

15. Берзон И.С. Динамические характеристик сейсмических волн в реальных средах. М., изд-во АН СССР, 1972.

16. Авербух А.Г. Интерпретация материалов сейсморазведки преломленными волнами. 11., "Недра", 1975.




Яндекс цитирования



   Copyright © 2007-2026,  www.tehlit.ru.

[ ѓосты, стандарты, нормативы, инструкции, правила, строительные нормы ]